Big box update: Store developments

No dates for Bunnings Ulladulla build and Albion Park sold

Uber deliveries for Bunnings' regional stores, Tesla product offering and biosecurity concern from China-made brooms

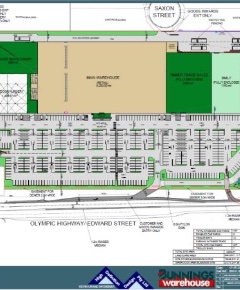
Construction has not yet commenced on the proposed Bunnings store in Ulladulla, (NSW) even though a development application was submitted in 2020. The retail outlet would be located between 189 and 197 Princes Highway, and represents a more than $16 million investment by the company.

The plans for the new facility are progressing but the company could not provide the Milton Ulladulla Times with a construction timeframe. A Bunnings spokesperson told the Milton Ulladulla Times:

It's still our intention to bring a new store to Ulladulla, but developments like this can take some time to work through and we don't have firm timings to share at this stage.

The new Bunnings warehouse will include the main warehouse, outdoor nursery, timber trade sales area, and playground and will span more than 11,000sqm. It will also have parking for over 180 cars.

The retailer's current site is earmarked for a major housing development.

Related

Decision on Bunnings store in Ulladulla, NSW deferred - HNN Flash, March 2022

Albion Park

in regional NSW, a Charter Hall fund has sold Bunnings Albion Park to a foreign investor for $40.6 million. The deal, struck on an initial yield of 4.89%, was the largest Bunnings Warehouse sale in NSW in more than three years and the largest nationally since early 2023, reports The Australian.

The site last traded in 2017 for about $26.79 million when the Charter Hall fund purchased it from the Woolworths-backed Masters venture. CBRE's James Douglas handled the off-market sale, with Costi Cohen's Tas Costi and Jacky He acting as the buyer's agents and transaction adviser.

Mr Douglas said the deal showed the continued high demand for this style of retail asset type and lease covenant.

Despite the lack of recent transactions, Bunnings stores remain highly sought-after by a broad range of investors due to the typically long-term nature of the leases and in-built fixed annual rental growth.

Opened in 2018, Bunnings Albion Park occupies a 32,000sqm site on the Princes Highway, 110km south of Sydney, and spans a gross lettable area of 13,120sqm, with parking for 344 vehicles.

The property has a weighted average lease expiry of about six years, with lengthy option periods. Mr Costi said the Bunnings asset offered strong growth prospects.

The strategic location, coupled with a high-quality tenant like Bunnings, provides a stable income stream and aligns perfectly with our client's focus.

Uber deliveries expanded

Bunnings is using ride sharing firm Uber's delivery arm, Uber Direct, to introduce same-day parcel delivery from selected regional stores across Australia. Uber is already the official same-day parcel delivery carrier for 45 metropolitan Bunnings stores offering the service.

Under the new deal, Uber Direct will deliver from more than 63 regional Bunnings stores, for parcel-sized orders placed on the Bunnings website.

In the first phase of the partnership, Bunnings customers who place their order online by 2pm will receive their delivery by 7pm that day across more than 100 stores in every state and territory. Bunnings chief operating officer Ryan Baker told The Australian:

I think when you think about what customers are starting to come to expect in the market, that same-day delivery offer is the reason why we partnered up with Uber to be able to do that offering for our customers.
They can order by 2pm and have it delivered to their house by 7pm, so I think it gives customers that opportunity to get any of those items that maybe they didn't necessarily have the plan to purchase, and they can have it delivered straight to their house...
This builds on our current same-day parcel delivery offering across metro Australia, bringing more convenience to our regional customers, and hopefully helping to ease some of the stress this time of year can bring.

This deal with Uber means that deliveries in regional and metropolitan areas across Australia will incur a $15 fee. The delivery address must be within a 15km radius of the store to qualify for the same-day promise.

Related

Bowens partners with Uber - HNN Flash, April 2024

Tesla products

Bunnings stores are now set to sell and install some of Tesla's energy products as the result of a new partnership.

Tesla's Australia and New Zealand account posted on social media platform X that the Powerwall 3 household battery, Wall Connector, and Mobile Connector are available at select Bunnings locations. Two of the three products are for EV charging, making it easier for EV drivers to purchase a charger directly from Bunnings.

The select Bunnings stores are also able to perform installations for the users. In Victoria, the Tesla products are currently available in Box Hill, Epping and Hoppers Crossing. In NSW they are available in Castle Hill.

  • Image credit: Cybertruck image from Tesla Owners Australia Facebook page
  • Tesla's Cybertruck was recently seen at Bunnings' Caloundra store on the Sunshine Coast (QLD) as part of a Tesla "activation" of the EV accessory and charging range launch. Bunnings director of merchandise Cam Rist said Bunnings is the first major retailer outside of the US and Canada to partner with Tesla on the products. He told The Australian:

    We're launching a range of electric vehicle chargers and accessories across selected stores to make it easier for our customers to own and maintain EVs. The range, which includes wall-mounted EV charges that can be installed in customers' homes, is currently being rolled out to 40 pilot stores across Australia in a phased approach.
    We know the EV market is growing rapidly in Australia and we're pleased to be making these products more accessible to customers at an affordable price.

    Tesla officially released the next-gen Powerwall 3 in Western Australia in September 2024, following the product's debut in the US, Canada, the UK, and Germany taking place throughout this year. The Powerwall 3 comes with a built-in solar inverter, and able to handle a peak power level of roughly 30kW - or enough to manage a dryer and air conditioner, according to the Telsarati website.

    Biosecurity investigation

    Bunnings is investigating a potential biosecurity incident involving millet brooms at a store in the New South Wales Riverina region. A farmer spotted what he believed were rice plants inside brooms for sale at the store.

    Keith Rowe, a former rice grower of 20 years, said he knew rice when he saw it and was concerned about a possible biosecurity breach. He told ABC News:

    I could see these grains in the head of the broom and on closer inspection I nearly fell over because I'm absolutely certain they were rice grains. The biosecurity concerns are just mammoth.

    The millet brooms imported from China appeared to have entire rice plants as part of the broom head. Mr Rowe said Australia was an ideal place to grow rice because there was little threat of diseases or pests to the plants.

    A Bunnings spokesperson told ABC News the company takes biosecurity "very seriously" and has removed the items from shelves while an investigation is conducted.

    [We] work with our suppliers and the Department of Agriculture, Fisheries and Forestry to ensure our products meet all relevant biosecurity and import regulations," they said.
    As soon as we became aware of these concerns ... out of an abundance of caution, we removed the brooms from sale while we investigate the matter with our two suppliers of millet brooms and the quarantine regulator.
    We strictly follow the biosecurity requirements for all imported products and can confirm the product underwent heat treatments at high temperatures for 24 hours and methyl bromide fumigation to ensure any seed material that may be remaining is unable to germinate.

    Mr Rowe shared his concerns on X, tagging the Department of Agriculture, Fisheries and Forestry, which has since begun an investigation into the imported brooms. A department spokesperson said in a statement:

    Biosecurity is a shared responsibility and we encourage all Australians to immediately report any unusual or unexpected items that may breach our strict biosecurity requirements.
  • Sources: Milton Ulladulla Times, The Australian, Telsarati and ABC News
  • bigbox

    Big box update: Market share

    Parliamentary inquiry into big-box retail sector

    Dahlsens Building Centres boss wants large format retailers including Bunnings to be subject to a mandatory code of conduct

    The question of Bunnings' power is being scrutinised in a parliamentary inquiry into the big-box retail sector. A Senate committee is exploring the role of big box retailers in Australia, and has received submissions for the inquiry with major players such as Bunnings, IKEA and Dan Murphys providing comments.

    John Dahlsen, head of Dahlsens Building Centres, contributed to a joint submission alongside University of Sydney retail researcher Lisa Asher. Mr Dahlsen is also a former Woolworths chairman and a former director of Myer and ANZ Banking Group. In The Australian, Mr Dahlsen claims he was forced to sell small regional stores to Bunnings when it opened up against him and sent the stores into a loss.

    Robert Gobleibson writes in The Australian that the 72-page submission estimates the hardware retailer achieves a huge 69% return on invested capital - twice the level of similar US businesses such as Lowes and Home Depot.

    The Asher-Dahlsen submission said Bunnings' market share in 2023-24 reached 66% of the $26 billion Australian hardware and building supplies market. The next competitor, Mitre 10, had 13.4%.

    The submission said a combination of market power and acquisitions has enabled Bunnings to rapidly expand its stores from 378 some four years ago to 513 in 2023-24, including 286 warehouses, 65 smaller format stores, 31 trade centres, 15 Tool Kit Depot stores, and 116 Beaumont Tiles stores.

    Bunnings' key advertising message is that they have the lowest prices and offer to beat competitors by 10% if they are found to be lower. In areas where major non-building retailers have similar products to Bunnings there will be price differences, but the market concentration in hardware makes it very difficult for small rivals to beat Bunnings on price. Ms Asher and Mr Dahlsen ask the Senate to request Bunnings to disclose how many times it activates the 10% discount.

    Bunnings' market share and the flexible design of its stores gives it the ability to change its product mix and enter new fields. That ability gives it great power over its suppliers. Some suppliers have only one buyer, which is - Bunnings - so they are heavily reliant on this relationship for ­viability.

    Ms Asher and Mr Dahlsen say that in retail, those who hold the greatest control over the supply chain hold the most power. Bunnings has much greater supply chain power than Woolworths and Coles, as an expanding part of the Australian building industry is being supplied by Bunnings.

    They say that Australia is now entering a new age of mega retail, where "we are seeing dominance of category killers". But Bunnings is now transitioning from this stage into an "industry crusher" as it extends from being a consumer retailer to be the major supplier to the building trade and from there to other sectors. They say greater regulation is required. This includes the need for a big box retailer code of conduct, and an ombudsman to assist in overseeing the sector.

    Independents who trade in a limited number of categories have great difficulty coping with Bunnings' disruption because it invariably applies to the whole, or a significant part, of their business, putting them at a significant competitive disadvantage.

    Meanwhile, Bunnings is reinvigorating its trade offer by expanding its presence in roof truss manufacturing. It has built huge, capital-intensive, robotic plants in Melbourne and Sydney and is proposing the same in Brisbane, Adelaide and Perth. This is vertical integration into its supply chain, and delivers greater control over that supply chain.

    Bunnings, unlike all the other players, can absorb the losses and continue running at a loss without materially affecting its profit statement. Later it can lift prices, as there will be no competition.

    The Dahlsen family company also submits it is being attacked by Bunnings in the roof trusses sector. Bunnings, in its submissions to the Senate, will put forward a different view to Ms Asher and Mr Dahlsen.

    In the Australian Financial Review (AFR), Mr Dahlsen, said:

    Bunnings' power is definitely worse than the supermarkets. I'm not critical of them. I think Bunnings have a brilliant business model. It is as good as anything around the world and I've got no criticism of the people.
    They're working hard for their shareholders, they're not doing anything illegal, they've grown an enormous business and it makes it very difficult for us small guys.

    Bunnings managing director Mike Schneider rejected the criticism, saying the company was not a monopoly and had a market share of about 20%.

    A trained competition lawyer, Mr Dahlsen said the loss of independent trade and competition in hardware was bad for the country. He said market failure was a real possibility, with monopoly firms able to charge as much as they wish.

    Mr Dahlsen said Bunnings is also a monopsony player. A monopsony is when a single buyer substantially controls goods and services offered by would-be sellers.

    It's a problem for Australia. Like the four big banks, like in the media, like in energy. Bunnings is the biggest monopoly of all and the most profitable.
    It's relentless because it is a very good disruptor. Any kind of new opportunity that comes up, it disrupts and grabs a lot of the market.

    Dahlsens currently has 79 stores and manufacturing plants around the country. Mr Dahlsen said:

    Whenever Bunnings goes into a small market, the local operator will fail. If retailers don't keep growing, they get gobbled up by their costs. That's the problem that Bunnings faces. They've got to keep growing sales. And where do they do it? It can only be done by crushing further smaller businesses.

    Mr Schneider said hardware remained very competitive in Australia, including in Black Friday and Cyber Monday sales, and from smaller retailers. He told the AFR:

    It's a pretty misguided comment, based on the fact that there's only one big box format store in Australia, but there's plenty of other alternatives across every category. You tell me a category, and I'll tell you, you know, a couple of competitors. It's that diverse.

    Mr Schneider said he welcomed the parliamentary inquiry but questioned how consumers would be better off with a code of conduct.

    If you speak with suppliers, they see us as an important partner. They see us as, in some cases, a significant part of their business. But a lot have other channels to market and their own direct channels.
    We know that we have to go out every single day and earn the right to be chosen, not only by our customers but our suppliers.

    A public hearing is expected to be held before the committee's report is handed down in February 2025.

    Related:

    Bunnings has provided a submission to a parliamentary inquiry - HNN Flash, October 2024

    GIA

    Earlier this year, Greenlife Industry Australia (GIA) said the retailer controls 70% of all live plant sales, which it says gives Bunnings the market power to dictate terms to suppliers.

    GIA chief executive Joanna Cave has told the inquiry, and an earlier probe into the pricing practices of supermarket giants Coles and Woolworths, that Bunnings' control grows to as much as 80% in some regions and towns. In the AFR, she said:

    By volume of sales in their stores, plants are second only to tins of paint. Other big-box retailers include Mitre 10 and IKEA, with the much smaller remainder of the retail market made up of garden centres, supermarkets, green-life [plant product] markets and lifestyle stores.

    GIA calculates its number using all sales to the public of plants for homes, gardens and veggie patches, and said Bunnings is wrong to base its calculation on a $2.9 billion assessment of the plant market. Ms Cave argues that the Bunnings total accounts for all plant production, including in farming, landscaping, revegetation and forestry.

    However Bunnings said the (70%) figure is wrong, and puts its total market share at less than 25%.

    Using private-sector economic modelling and figures from the Australian Bureau of Agricultural and Resource Economics and Sciences, GIA said the relevant value of the Australian plant retail sector is actually $1.4 billion. Ms Cave said:

    Simply put, it is only growers who know with certainty how many plants they supply to each retailer in the market.
    Not one single grower we have spoken to accepts Bunnings' claims that its share of the plant retail sector is 25 to 30%. Most growers agree that 70% is about right, with some growers claiming it is higher.

    Mr Schneider rejected the claims made by GIA in a letter to MPs on the inquiry committee. He said Bunnings used data from analysts IBISWorld that put the value of the Australian plant retail sector at $2.9 billion. The company said GIA has misapplied figures from a separate research source.

    GIA has failed to acknowledge that the value of plant sales by nursery producers to retail channels is substantially lower than the value of plant retail sales by retail businesses to their end customers.
    The primary reason for the difference in these values is due to the margin earned by retailers and wholesalers on the sale of green-life products purchased from nursery producers.

    Mr Schneider said Bunnings' market share did not distort its relationships with key suppliers. The company is one of the country's most trusted brands. (Bunnings has held the top spot in Roy Morgan's Most Trusted brands for four consecutive quarters, maintaining its position since it surpassed Woolworths at the close of 2023.)

    Bunnings rejects any contention that we use market information to make 'take it or leave it offers' or that we request green-life suppliers to supply at or below cost.
    Bunnings' processes involve green-life suppliers proposing a fair price and, if required, engaging in negotiations about that price in good faith. In any event, we simply do not have the information to set a price at or below cost.

    Related:

    Plant lobby accuses Bunnings of "stranglehold" on greenlife category - HNN Flash, April 2024
  • Sources: Australian Financial Review and The Australian
  • bigbox

    Big box update: FRT and privacy

    Bunnings to roll out facial recognition technology (FRT) in-store

    The retailer said it would seek a review of the privacy commissioner's determination that it had breached the privacy of hundreds of thousands of customers, arguing its use of FRT appropriately balanced privacy with the need to protect staff against violent or organised crime

    Bunnings said it intends to roll out facial recognition technology (FRT) to all of its stores if successful in its appeal of a ruling from the privacy commissioner Carly Kind. In its findings, the Office of the Australian Information Commissioner (OAIC) determined that Bunnings collected customers' sensitive information without consent and did not disclose it in its privacy policy.

    The hardware retailer was found to have breached customers' privacy when it used FRT via CCTV cameras across 63 stores in Victoria and NSW. During a trial between 2018 and 2021 in these stores, Bunnings took the data of customers' faces and compared it against a database of individuals the company had deemed a risk due to past crimes or violent behaviour. It also worked with Victoria Police during a trial of the system.

    In the Sydney Morning Herald (SMH), the company said it compared customers' faces with a database of fewer than 500 customers, and the FRT system was available only to six "specially trained Bunnings team members ... in a centralised location".

    It said no customer biometric data was uploaded to the cloud or third-party services. The use of FRT also complemented extensive training, resources, leadership tools and policies Bunnings has in place to equip its team to handle threatening situations.

    Bunnings managing director Michael Schneider said stores that participated in the trial had at least 10% fewer violent incidents.

    There's no doubt that privacy concerns need to be balanced, but the technology is critical to reducing retail crime and harm to our team and customers.

    Bunnings acknowledged that when it started using FRT it did not inform customers on its conditions of entry poster, but said that during the trial it started referring to its use of FRT on both its entry sign and in its privacy policy.

    The company said it would go to the Administrative Review Tribunal, arguing the technology's use appropriately balanced privacy with the need to protect staff against violent and organised crime.

    In the Australian Financial Review (AFR), Mr Schneider said:

    We had hoped that based on our submissions, the commissioner would accept our position that the use of FRT appropriately balanced our privacy obligations and the need to protect our team, customers and suppliers against the ongoing and increasing exposure to violent and organised crime, perpetrated by a small number of known and repeat offenders.
    If we protect even one person from injury or trauma in our stores, the use of FRT has been justifiable.

    In an editorial written by Mr Schneider that appeared in the SMH, Mr Schneider wrote:

    That is why Bunnings introduced facial-recognition technology: to identify known repeat offenders and people previously banned from our stores ... We deeply respect the role the commissioner plays to protect the personal information of everyday Australians. But we disagree on this occasion. We believe we have struck a balance that protects our staff and customers...
    The pace of technological advance, including FRT, is something regulators, legislators and businesses worldwide are grappling with. CCTV and FRT have become a part of everyday life, at airports, railway stations, banks, concerts, sports venues and in cities. There's no doubt privacy concerns need to be balanced, but the technology is critical to reducing retail crime and harm to our team and customers.
    We take this responsibility seriously. As we seek a review of the privacy commissioner's determination before the Administrative Review Tribunal, we are also talking to federal, state and territory leaders, industry peers and associations to try to bring legislation and regulation up to speed with the ever-increasing range of technologies that can help turn the tide on retail crime and violence.

    In-store security

    Bunnings released CCTV footage with examples of abuse and assaults in its stores. The footage shows multiple incidents of people physically assaulting staff and pulling knives and other weapons on Bunnings team members.

    In The Guardian, Mr Schneider claimed that 70% of incidents are caused by the same group of people, and it was impossible to enforce bans on people given the high number of visitors. He said facial recognition tech provided the fastest and most accurate way to identify individuals and remove them from the store.

    Bunnings reported a 50% increase in abuse, threats and assaults in 2023, and that FRT meant it could instantly spot the 10% of people who were responsible for 60% of store thefts. Mr Schneider said:

    Statistics don't convey the real impact it has on the lives of our team and our customers, and we provided the OAIC with numerous examples of violent and abusive situations in our stores.

    He said unless a facial image was matched against the company's database of people known to have displayed abusive, violent behaviour or criminal conduct, it was deleted in 0.00417 seconds. Mr Schneider also said:

    Everyone deserves to feel safe at work. No one should have to come to work and face verbal abuse, threats, physical violence or have weapons pulled on them.

    Bunnings said using the technology had nothing to do with tracking customers for marketing or convenience, but was used to report criminal, violent and aggressive behaviour, and to alert security when known offenders entered its stores.

    OAIC

    In its investigation, the OAIC found that FRT had been deployed at 63 Bunnings stores between November 2018 and November 2021 - likely capturing hundreds of thousands of people.

    As the privacy commissioner, Ms Kind found Bunnings collected sensitive information without consent, and failed to take reasonable steps to notify people their information was being collected. She said:

    Facial recognition technology may have been an efficient and cost effective option available to Bunnings at the time in its well-intentioned efforts to address unlawful activity, which included incidents of violence and aggression.
    However, just because a technology may be helpful or convenient, does not mean its use is justifiable. In this instance, deploying facial recognition technology was the most intrusive option, disproportionately interfering with the privacy of everyone who entered its stores, not just high-risk individuals.

    The use of FRT was paused when the investigation began, and Bunnings published a dedicated page on its website explaining why it used the technology.

    Ms Kind said Bunnings had failed to comply with the Privacy Act, and ordered the company to not repeat or continue the practices, and destroy all the information collected via the facial recognition system. The company was not fined.

    The privacy commissioner found that Bunnings had breached privacy laws by failing to appropriately inform customers about its use of facial recognition technology. Bunnings was ordered not to repeat or continue the acts and practices that led to the interference with individuals' privacy. Ms Kind siad:

    Individuals who entered the relevant Bunnings stores at the time would not have been aware that facial recognition technology was in use and especially that their sensitive information was being collected, even if briefly.
    Because facial recognition technology is a high-privacy-risk technology, it is not justifiable for entities to use it merely because it is available, convenient or desirable. Rather, businesses will need to ... satisfy themselves that it is reasonably necessary to collect this information in order to carry out their functions and activities.

    Ms Kind also said FRT and the surveillance it enabled had emerged as one of the most ethically challenging new technologies, and that she acknowledged it could help protect against crime and violent behaviour.

    Related: In 2022, consumer group CHOICE has found that Bunnings, Kmart and The Good Guys were using FRT.

    Bunnings uses facial recognition technology - HNN Flash, June 2022
  • Sources: Sydney Morning Herald, The Canberra Times, The Australian Financial Review, The Age, The Australian and The Guardian
  • Main image credit: einfochips
  • bigbox

    Wesfarmers/Bunnings results FY2023/24

    Growth slows

    Growth has slowed for Bunnings, though it still retains the revenue gains through the Covid 19 surge in hardware retail purchases. While the company seems to be waiting out a market slump, there are questions as to whether the market is changing fundamentally.

    Wesfarmers/Bunnings released its full year financial results for FY2023/24 on 29 August 2024. The results for Wesfarmers showed that the company has essentially kept pace with market growth overall. Revenue was $44,189 million, an increase of 1.5% over the previous corresponding period (pcp), which was FY2022/23. Earnings before interest and tax (EBIT) rose by 3.3% over the pcp to $3989 million, and net profit after tax (NPAT) lifted by 3.7% to $2557 million.

    Outside of Bunnings, Kmart Group (incorporating Target) saw earnings increase by 24.6% over the pcp to $958 million and Officeworks lifted its earnings by 4.0% to $208 million. WesCEF (Wesfarmers Chemicals, Energy & Fertilisers) saw a decline in earnings of 34.2% to $440 million. Catch, which had losses of $163 million in FY2022/23, reduced losses to just $96 million in the reporting period.

    Bunnings

    Bunnings saw revenue grow by 2.3% over the pcp to reach $18,968 million. With a background growth rate of 0.5% for hardware retail turnover throughout Australia in FY2024, this indicates that Bunnings grew marketshare. EBIT for Bunnings came in at $2374 million, an increase of 1.2% over the pcp.

    Total stores sales growth fell to 2.6% as compared to the pcp's 3.7%, but store-on-store (comp) sales growth was 2.1%, as compared to the pcp's 1.8%. Digital sales rose to 5.5% of all sales, where the pcp reported 4.4%. Digital sales in the first half of FY2023/24 were 5.1%, and this rose to 5.9% in the second half.

    Presentation

    In his introductory remarks to the results presentation, Wesfarmers managing director (MD) Rob Scott had this to say about Bunnings:

    This year, Bunnings continued to expand its range with innovation across categories such as Smart Home, supporting an increase in customer demand. Bunnings also continued to invest in supply chain data and technology projects to strengthen the customer experience across channels such as the new Bunnings local delivery service.
    The business continued to improve its whole build commercial strategy and in the second half, Bunnings opened a new state-of-the-art frame and truss site to supply customers with pre-made frame and trusses with greater efficiency at a lower cost.

    The delivery service was further described in the results documentation:

    A new last-mile delivery service, Bunnings Local Delivery, was launched and expanded to more than 50 stores, improving the delivery experience for customers.

    According to the Bunnings website:

    Bunnings Local Delivery is a service provided by selected Bunnings stores to deliver customer orders within their local communities. The Bunnings Local Delivery service is recognisable by our team members, in their Bunnings uniforms, delivering customer orders to homes, businesses and sites in our Bunnings-branded vehicles.

    Further:

    Bunnings Local Delivery is not an option for customers to select. Bunnings Local Deliveries are determined at a store level, factoring in product dimensions, loads and other delivery options.

    In his remarks, Wesfarmers CFO Anthony Gianotti profiled the performance by Bunnings:

    In Bunnings, sales growth of 2.3% was supported by growth in both consumer and commercial segments, driving growth in transactions and units sold. As household budgets remained under pressure, consumer sales growth was supported by Bunnings' strong value credentials with bulk pack quantities, own brand products and entry-level ranges all performing strongly.
    Pleasing second half sales growth was supported by sustained demand for repairs and maintenance, online channel growth, and range innovation partly offset by a market-wide softening in building activity. Commercial sales growth reflected continued demand from trades, but demand from builders moderated through the year as new buildings starts will lower, relative to recent years.

    The sentiments were echoed by the documentation, with an added note on the outlook for Bunnings:

    The market-wide softness in building activity is expected to continue in the 2025 financial year, but population growth and the shortages in Australian housing stock are anticipated to support a recovery in building activity over the medium term.

    At the end of the presentation's introduction, Mr Scott returned to the prospects for FY2024/25:

    For the first eight weeks of the 2025 financial year ... Bunnings continued to see positive sales growth, but growth has moderated from the second half of 2024 financial year impacted by the continued market-wide softening in building activity.

    Presentation questions

    The majority of the questions at the results presentation focused on Bunnings. Tom Kierath from Barrenjoey started with a question about store growth at Bunnings. The reply by Bunnings MD Mike Schneider is interesting, as it outlines a shift in the retailer's thoughts on expansion. After outlining the actual store expansion that is in place, Mr Schneider said:

    Then alongside that and complementing that is the work that we're doing inside the box to drive space productivity harder. So automotive for example, rolling into our stores at the moment and that's coming as we reduce some space in flooring because we can lean more on Beaumont's, for example. So hopefully that gives you a bit of a perspective that we sort of see space growth continuing to be sort of that 10% over the five-year period, but just some timing on some of the projects.

    David Errington of Bank of America followed up on this line of questioning:

    This is the only question I've really got front of my mind when I'm looking at valuing Wesfarmers as an investment, and that is whether Bunnings has got a lot of growth runway, or whether it's going ex-growth?
    What worried me in listening to your answer to Tom's question, and it did worry me when I see the CapEx dropping off as significantly as it does for Bunnings (and it's ironic that I'm saying that about CapEx), but when I look at, like, a Woolworths that spends $2.5 billion on CapEx and Coles are spending over a billion, your CapEx on Bunnings is only $260 million. It's dropped. And when I'm looking at your working capital, you've really driven working capital extremely hard in Bunnings this year, a saving of $230 million despite an inflationary world, [where] I'm imagining inventory ... costs would go up.
    So I don't want to poke the bear, but I am in a way, but I am poking you in a way that you're running Bunnings as if it's an ex-growth business. Now I know that there's delays in buildings and whatnot, but I was wondering if Mike [Schneider] can really basically talk about some of the growth initiatives that you've got. Because at the moment when I look at Bunnings' numbers, I understand it's a tough environment, but for me in valuing Wesfarmers, the most important thing for me today is to ensure that still a premium growth business and you are not running it as a mature business that's gone ex-growth.

    In his response, Mr Schneider began by pointing out that the design of Bunnings' stores was highly modular, which meant new lines could be added with less effort.

    What we don't find ourselves with is the need to go back and sort of hack into 50, 60 stores... We've built a lot of functionality and modularity into our racking in our layout so that when we roll in new categories and new ranges, it's very CapEx light, but it's very revenue positive.

    He also pointed to new initiatives in the tool section of Bunnings.

    We've got a new tool shop concept that we're rolling into 50 stores before Christmas that when you see them, our tool shop looks materially different. It's delivering some really interesting and very positive results both across our consumer brands and our commercial brands. But we don't have to go and build a new tool shop to do that, David, we just have to modify and adjust racking so we can do that in a CapEx light way.

    He also defended Bunnings' further expansion into building, trade and commercial:

    We've thought very deeply about how we drive growth in trades, how we drive growth in organisations and we're actually - not withstanding some of the headwinds from a domestic construction point of view - we're actually seeing some incredibly positive results in those areas.

    Mr Scott added the comment that one thing which had retarded growth was the high price of construction. He also pointed to Bunnings' investment in frame and truss plants, which would likely only show returns in the medium term.

    Pressed further by Mr Errington, Mr Schneider listed more of the growth plans that Bunnings has. In fact, in response to a range of questions, Mr Schneider mainly enumerated what he sees as the growth opportunities for Bunnings. So it is perhaps best to simply list a number of these here.

  • National Disability Insurance Scheme (NDIS) accreditation, that points to new opportunities
  • "Significant" expansion of tool categories
  • Rural and regional categories
  • New products from major suppliers based in the US
  • "[Consumables] make up a pretty small part of our overall offer and what we drive in timber, what we drive in paint, what we drive in plumbing, these are all strong categories and we continue to innovate in those."
  • "There's as much innovation going on in the way that we think about paint. We're just bringing the Wattyl brand back into Bunnings. That's a great, well-known Australian brand."
  • Smart home: "The sort of transformational change in that category in just on 18 months has been unbelievable."
  • Analysis

    The question about Bunnings is this: how do you manage a retailer in a market which sees extraordinary growth over a period of around three years, followed by a decline in growth that is set to last somewhere from 18 to 36 months?

    The two main approaches are to: 1) take full advantage of the upward "blip", then ride out the downwards "blip", preserving the same basic structure to the business, while making as many non-structural accommodations as you can; or 2) see this pattern as being something more than a market boom-and-bust, and set about reforming the business to cope with a changed market.

    Bunnings has very much elected to take the first option. Reading the above discussions with the investment analysts it is evident that the overall strategy for Bunnings, in HNN's opinion, is based on treating the current down trend in the building - and therefore hardware - market as a "blip", not a structural shift. In that view, once interest rates are reduced (which HNN expects for the second RBA meeting in 2025, not the first) the housing construction market will recover, at least back to FY2018 levels of activity, and Bunnings will pop back into revenue growth.

    The main step the company is taking to deal with the "blip" is to cut back - temporarily - on investment in Bunnings. To blunt the force of the market setback, Bunnings is also expanding its product lines into areas such as pet products and automotive maintenance.

    That approach will seem somewhat justified if the downtrend ends up lasting the equivalent of three halves - FY2023/24 and the first half of FY2024/25. But if it extends beyond that, through all of FY2024/25, and even into FY2025/26, it will be seen as a more questionable move.

    Not all of the category expansion is based on growing revenue by relying on "convenience" sales driven by foot traffic, such as Christmas gifts for dogs.

    There are also expansions that one guesses might have originated with Bunnings' Marketplace, such as kitchen appliances.

    Notably, as hinted at in Mr Schneider's remarks at the results announcement, engagement with TTI's Ryobi brand seems to be ramping up. At the same time, HNN is detecting some signs that the Bunnings captive sub-brand, Ozito, is being de-emphasised.

    That's a smart move by Bunnings, because while Ozito and Ozito PXC might have attractive margins, it's a somewhat limited sub-brand as compared to Ryobi. That is in terms both of product range and product depth.

    For example both Ryobi and Ozito PXC offer circular saws in the 150mm, 165mm and 184mm ranges, but Ryobi offers these in a "basic" model as well as its "HP" range. The latter provides a considerable performance boost, offering customers an easy path to upgrade, while retaining the same battery platform.

    In terms of range, TTI has been hard at work with Ryobi over the years, adding tools that extend into craft and "upscaling" uses, as well as engaging with the Maker community (which often combines woodworking with electronics and 3D printing).

    That said, there is a continuing question as to whether Bunnings is innovating its products at the same rate as eight or nine years ago. Adding brands isn't really a substitute for sourcing new and exciting products.

    bigbox

    Big box update

    Parliamentary inquiry

    A new Bunnings store is set to open in Tauranga, New Zealand next year - about 500m away from the Mitre 10 Mega

    Bunnings has provided a submission to a parliamentary inquiry into the price setting and market power of big box retailers, their negotiation practices and how they engage with suppliers.

    The inquiry was called by Nationals Senator Ross Cadell, who sat in on the inquiry into supermarkets earlier this year that heard Bunnings had allegedly treated its plant suppliers like "slaves".

    Plant lobby accuses Bunnings of "stranglehold" on greenlife category, April 2024

    Senator Cadell told The Australian Financial Review (AFR) he wanted suppliers and smaller businesses to detail their treatment by big box retailers in inquiry submissions. He believes Bunnings "had to be investigated" over price gouging allegations.

    They're only allegations at the moment. They are certainly, prima facie, interesting to me, and that's why we have this committee to interrogate them.

    In response, Bunnings managing director Mike Schneider told the AFR the retailer takes its promise to beat any competitor's price seriously and critics would not find evidence that it had engaged in price gouging.

    Mr Schneider said he was surprised by the claims (of price gouging), given the company had long advertised using the slogan "lowest prices are just the beginning". In the AFR, he said:

    I had to read it a couple of times when I heard the words price gouging. To advertise using the word 'lowest' means we've got to do a lot of work to prove that.

    Mr Schneider said the company invested "tens of millions of dollars" in a sophisticated pricing ecosystem to track competitor pricing and test claims that it had the lowest prices on items carried by other retailers. The business then invested tens of millions more to match competitor discounts and promotions.

    Senator Cadell said Mr Schneider's comments were directed at Wesfarmers shareholders and would not dissuade him from examining Bunnings via a parliamentary inquiry. He told the AFR:

    I think he's setting the baseline case for the financial markets and the stock exchange with what he says. He's got to do the right thing by his company and maintain investor confidence in his share price.
    He's doing that and we will do the right thing by the Australian people and quiz him on it.

    Mr Schneider said Bunnings' everyday low prices model also informed its operating model, which was designed to be low cost. He said that model explained why Bunnings stayed out of some product categories that were complex or costly, and why it preferred to pay staff above-award wages to ensure high retention of permanent employees.

    While Mr Schneider said critics would inevitably find a dissatisfied supplier or former supplier given the size of his business, many suppliers had worked with Bunnings for decades. He said any parliamentary inquiry would be a "great opportunity to explain" the group's pricing approach and business model.

    You don't want to hear [criticism], but it's important to listen to it and you understand it so that you can, if it is the problem, put it right.

    The Senate committee will also look at whether big box retailers that sell grocery items should be included in the grocery code of conduct. Mr Schneider said Bunnings should not come under the grocery code of conduct as Senator Cadell had suggested but would adhere if required.

    Brand relationships

    Exclusive brands were discussed in the inquiry submission by the next biggest player in hardware retail, Metcash/Independent Hardware Group (IHG). Metcash claims the arrangements being locked in by Bunnings are problematic. Its submission said:

    Our major competitor in hardware has exclusive arrangements in place with many national suppliers such as Ryobi, Irwin and Nylex. These brands were once available to consumers via the independent market and are now only available in the hardware channel via our major competitor.
    Dominant market participants have the power to demand exclusive arrangements, detrimental to smaller independent retailers, suppliers and ultimately consumers.

    The rise of exclusive brands in the tools space has also not gone unnoticed by independent hardware store owner, Frank Penhalluriack. He said they can lock customers into using tools only sold by one retailer, and make it difficult for his store in the Melbourne suburb of Caulfield to offer parts to customers who own these products. He told ABC News:

    The batteries are compatible for that brand, but generally not between the brands.

    Mr Penhalluriack said his store is struggling with lower margins as it tries to keep up with the larger retailers. For instance, it is currently selling a 15L tub of Dulux at the same price as Bunnings, at a very low margin. He said:

    Our margins are squeezed down because we will match Bunnings' price. We can't afford not to because we don't want to have our customers going elsewhere.
    I just fear that as too many of the smaller traders go out of business, then you will lose that competition. It's becoming very, very difficult, harder and harder.

    Bunnings notes that exclusive brands are common in hardware retail, with Ozito having Bunnings and Metcash-owned Mitre 10 selling its range Rockwell. The retailer's submission said:

    Whilst Bunnings uses exclusive brands to differentiate our offer, we do not use them to exclude operation of our lowest prices policy or as a reason to not apply our Price Guarantee.

    Mr Schneider said exclusive supply relationships with brands such as Ryobi and British Paints were not only common in the global hardware sector, these arrangements were often required by large manufacturers.

    ACCC

    The inquiry comes as Treasurer Jim Chalmers announced new legislation to overhaul the country's merger rules.

    The Australian Competition and Consumer Commission (ACCC) said in its submission big box retailers can acquire "significant market power" through large-scale operations and extensive supplier networks. It reiterated its limited power to control mergers, even where certain market share or market capitalisation levels are met.

    The increased powers of the ACCC were introduced after concerns were raised by the competition regulator about acquisitions in the pet retail category. Specifically, Petstock made "a large number of acquisitions" that had eroded competition from small stores. The ACCC ended up ordering Petstock to divest 41 shops before Woolworths could take its controlling stake.

    In the wake of the Petstock situation, the federal government is set to introduce laws that will require major merger and acquisition proposals to seek approval from the competition regulator.

    Metcash also raised concerns that these merger powers don't go far enough. In its submission to the big box inquiry, Metcash said the ACCC should have "intervened" to stop Bunnings having "complete dominance" in a specific regional Queensland town, and that planning laws were failing to stop store openings that forced its smaller Mitre 10 hardware stores to close.

    University of Sydney Business School retail academic researcher Lisa Asher told ABC News:

    With big box retail, we've seen consolidation and expansion occur under single banners over a long period of time.

    Ms Asher - who worked as a supplier to retailers for years before turning to academia - said a lack of competition is problematic because it increases the stand-over power that retailers have over their suppliers. She said:

    When a retailer has a significant amount of market power, if anyone speaks out against them, there is fear of retribution. You could lose your business.

    This fear is why Ms Asher doubts many suppliers to the big box retailers will front the looming inquiry.

    While the big box inquiry may put more heat on big box retailers, Ms Asher isn't sure it will achieve much in the way of policy or law change.

    The inquiry was called by the Nationals, which isn't the ruling power. The federal Labor government has already ruled out changes to powers that could help split up retailers that have gotten too big and powerful. Ms Asher said:

    Suppliers need to know that if they speak up (to an inquiry that) something good could happen from it.

    Hearings are expected before the end of the year, with the six-month inquiry due to report by February 2025.

    New Zealand stores

    "Opening Soon" signs for a new Bunnings store have gone up on fencing located at 1150 Cameron Road Gate Pa, Tauranga, a harbourside city in the Bay of Plenty region on New Zealand's North Island. It is located down the road from the local Mitre 10 Mega.

    The signage comes about a year after a company linked to the Mitre 10 Mega store was fined NZD500,000 for engaging in anti-competitive conduct to prevent Bunnings from opening nearby.

    Bunnings told the Bay of Plenty Times it was "looking forward to bringing a new, smaller format Bunnings store" to Tauranga.

    Bunnings' overall investment for the new retail store was NZD23 million and "about 50 staff" would be employed. The retail space of the site was about 4500sqm including a nursery area, and there would be 80 car parks. The hardware retailer said:

    We've started some works to prepare the site for construction and we're hopeful of a mid-2025 completion date.

    Court documents show Bunnings acquired the site in 2018 for NZD7.9million.

    In 2019, NGB Properties Ltd, the then sister company of the Mitre 10 Mega Tauranga operator, bought the site next door. After an investigation, the Commerce Commission accused NGB Properties Ltd of putting a covenant on that site preventing it from being used as a hardware store, to stop Bunnings from opening. In 2021, the covenant was lifted and the site was sold to another party. NGB Properties was fined NZD500,000 in the High Court at Wellington last year after admitting the covenant breached the Commerce Act.

    Tauranga Business Chamber chief executive Matt Cowley said Bunnings' Cameron Road development had advantages for tradespeople, retailers and shoppers. He told Bay of Plenty Times:

    Firstly, it shows that brick-and-mortar stores are far from dead with significant investments like these happening across the country. Consumers still want to buy in store and take it away, unlike buying online and waiting for the delivery a week later. Having these two retailers aggressively compete in price is good for tradies and shoppers.

    For transparency, Mr Cowley noted Bunnings was an alliance sponsor of the New Zealand Chambers of Commerce. He said having the two competitors operating nearby on the same road, was "market forces at play".

    As long as there is a good selection of players in the local market, such as Placemakers, ITM, Hammer Hardware etc, the competition will be good for consumers.

    Mr Cowley said Bunnings and Mitre 10 served a diverse range of customers, and not everyone was just after the cheapest item.

    Consumers weigh up several factors, such as personalisation, service, range, convenience, as well as the best price.

    Tauranga Mayor Mahe Drysdale said the proposed Bunnings store still had to go through the building consent process but represented "an exciting opportunity" for Tauranga's growing city.

    Tauriko ward councillor Martin Rozeboom said it was especially "good news" for Bunnings customers currently having to travel to the Mount Maunganui store.

    I'm quite in favour of having more competition between retailers and businesses as it gives shoppers a greater choice and the opportunity to compare prices.

    He said he shopped at both businesses as each had a different range of items and healthy competition was good for everyone.

    Bunnings already has a retail store in Mount Maunganui (almost 6km away) and a trade store in Tauriko (just over 9km away).

    Bunnings Westgate

    New Zealand's largest Bunnings Warehouse in Auckland's Westgate shopping park has been sold by property developer Ben Cook to property investment firm Investore for NZD51 million. The 16,000sqm branch sits on a 21,200sqm site.

    Investore announced on the New Zealand Stock Exchange (NZX) that it had "entered into an unconditional agreement to acquire Bunnings Westgate, for an initial purchase price of NZD51 million, payable in cash".

    The NZX statement said the Bunnings deal was expected to settle in December 2024.

    The Westgate Bunnings had been listed with Colliers agents Blair Peterken, Josh Coburn and Shoneet Chand and first hit the market in November 2023. The agents highlighted in their marketing that the property was leased to Bunnings in December 2020 for 12 years and earned NZD 2.869 million plus GST per year in rental income.

  • Sources: Canberra Times, Australian Financial Review, ABC News, Bay of Plenty Times (NZ) and OneRoof (NZ)
  • bigbox

    Big box update: Retail media

    Retail media business

    US-based Home Depot launched a retail media network in 2018 and rebranded it to Orange Apron Media in March 2024. Since its introduction, its retail media network has become the largest home improvement offering of its kind, according to Home Depot.

    Wesfarmers-owned Bunnings will launch a retail media business as a way to diversify revenue and improve profits.

    Retail media refers to new sources of revenue for retailers that can use their customer data to sell targeted advertising to shoppers, either on their websites, in their own branded magazines, on social media, YouTube, or in-store on screens or on the radio.

    For many retailers, it's a way for them to connect their shoppers with brands. The revenue comes from suppliers looking for a bigger in-store marketing presence.

    According to the Australian Financial Review (AFR), Bunnings had been searching for a technology partner for its planned retail media business. An industry source also told the AFR that Bunnings already generates an estimated $150 million in annual trade marketing revenue.

    In the US, big box retailer Home Depot works with retail media technology provider Pentaleap and uses the Vantage platform.

    The AFR also reports that Morgan Stanley estimates the Australian retail media market is valued at $1.6 billion and will grow to $2.8 billion by 2027.

    Co-founder of media consultancy Sonder, Jonathan Hopkins, said Wesfarmers' exploration of a retail media offering makes sense given the large trove of first-party data it has through its OnePass and Flybuys loyalty schemes. He told the AFR:

    Data is a retail media network's secret sauce. They have vast foot and website traffic across their brand portfolio.

    In another report, media companies Nine Entertainment and oOh!media, have pitched to work with Mitre 10 owner Metcash to monetise advertising in and around its stores. At an investor day this year, Metcash predicted its retail media network could drive new earnings of $30 million by 2029.

    Related

    Bunnings links to data through Flybuys - HNN Flash, December 2021

    Home Depot retail media

    Earlier this year, the home improvement retailer held its first "InFronts" event where it gave suppliers an inside look at data it gathered on consumer insights, and business strategies to grow its retail media advertising channel.

    The InFronts is an in-person marketing summit modelled after Upfronts and Newfronts presentations hosted by traditional and digital media companies.

    At the event, Home Depot detailed its systems, reporting and measurement capabilities, and the new products and partners to expand its retail media network. Melanie Babcock, head of Home Depot's retail media business, said:

    It's an educational moment for that supplier, because as they think about investing into retail media networks, where do they want to invest? They want to invest with a retailer that aligns to their own objectives and is in a growth position.

    At a recent panel organised by US based Advertising Week, Ms Babcock said:

    We have thousands of small suppliers who may only have one to three products ... and they don't know anything about how to buy an ad, so we have to help them succeed inside of Home Depot.
    We have to think about everyone from the big guys all the way down to the small and we believe Orange Access provides this capability for every supplier at Home Depot to be successful.

    On the same panel, Aran Hamilton, CEO of Vantage said:

    Retail media is no longer a siloed business on the side of retail. It is becoming an integral part of the overall retail business model.
  • Sources: Australian Financial Review, Marketing Dive and Advertising Week
  • bigbox

    Big box update

    Portland North precinct gets Bunnings store

    Bunnings has shared its new fiscal 2025 plan with internal staff and suppliers, according to an exclusive report in The Australian

    Work has begun on the Portland North Employment Precinct in regional Victoria that will feature a new Bunnings store as an anchor tenant. Construction of the store will span 5,300sqm and have 120 car parking spots when it opens in 2025. Bunnings regional manager Dave Roddis said:

    This investment will enable us to serve the growing Portland region which our team is excited about, and we're pleased construction is underway.

    The precinct has been made possible by $2.5 million in funding from the Allan Labor Government's Portland Economic Diversification Plan, as a way to boost local jobs and economic growth.

    The Labor Government said its investment in the precinct including upgraded drainage and road infrastructure has been instrumental in attracting this major investment to Portland.

    Preliminary works, including the construction of an access road on New Street, are underway with expected completion by the end of the year.

    Led by Regional Development Victoria, this project marks a milestone in the ongoing development of Portland as an industrial hub. The project is a part of the government's record $45 billion investment since 2014 in projects and programs that support regional and rural Victoria to be an even better place to live, work and stay. In a statement, Minister for Regional Development Gayle Tierney said:

    The arrival of Bunnings at the Portland North Employment Precinct will drive economic growth, create more local jobs, and position Portland as a hub for major employers, benefiting the entire Great South Coast region.

    Glenelg Shire Mayor Karen Stephens said:

    The Portland North Employment Precinct has been a long-term project that is starting to come together. It is an engine room for jobs and Bunnings will certainly provide those when it opens, with more than 50 ongoing jobs in addition to around 50 during construction.

    According to a report in The Warrnambool Standard in 2022, Glenelg Shire Council had received a planning application for a Bunnings store.

    Related

    Portland, VIC could get a Bunnings store - HNN Flash, October 2022

    "Blueprint" for 2025

    In its new fiscal 2025 plan called "Better Together", Bunnings will address the perception of alleged mistreatment of a number of its (mainly greenlife) suppliers following the public criticism it received from during the Senate supermarkets inquiry earlier this year.

    The inquiry heard from aggrieved plant, flower and nursery businesses, and Bunnings, Woolworths and Coles were reprimanded in the inquiry's final report.

    The plan details how the hardware retailer will deepen current supplier links and focus on the better use of store space, improved stock flow and productivity, reports The Australian.

    There is also a focus on a more seamless offer for shoppers as they switch between channels, in store and online. In a letter to suppliers seen by The Australian, Bunnings chief customer officer Rachael McVitty and chief operating officer Ryan Baker wrote:

    Later this month we'll celebrate 30 years since the opening of our first warehouse store in Sunshine, Victoria.
    A lot's changed over that time and there is plenty that has stayed the same, but one consistent part has been our relationship and shared success with our suppliers and partners.
    We have also kept a focus on deeper trust and partnerships with our suppliers. So many of our suppliers have longstanding relationships that have seen mutual growth over decades, and we don't ever take that for granted.

    The "Better Together" theme is about looking for a better connection with suppliers and staff. The Bunnings letter to suppliers also said:

    The outcome of this plan will be determined by how we bring 'Better Together' to more than just a slogan.
    We met with 1200 team members last month to launch the plan and said to them that all of the focus points will have a key lead and will mean different outputs to different teams.
    Innovating and expanding our ranges are led by Merch (merchandise team) but can't be achieved without input and offers from suppliers, then having those products marketed correctly and making sure team are trained and excited to fill the bays with stock and correctly answer customer questions.

    While there will be a focus on reducing injuries, which will include looking at how products are packaged and designed to improve safety considerations, innovation will be driven by working closer with hardware suppliers.

    As Bunnings changes its store layouts to take in new categories such as pets and expanded offer in home cleaning, it is seeking to capture better productivity and a better experience for the shopper in 2025. The letter said:

    Better use of space or seamless customer offers across all channels will only work if Bunnings share that information and decision process with suppliers.
    Improved stock flow, handling and deliveries has the potential to deliver big benefits, but will require collaboration from our stores, logistic companies, distribution and fulfilment centres and of course suppliers.

    Related

    Growers and supermarket code - HNN Flash, April 2024
  • Sources: The Warrnambool Standard and The Australian
  • bigbox

    UK update

    Kingfisher using AI to make DIY more accessible

    The home improvement group is using generative AI internally to improve efficiencies and boost sales

    In an interview with Retail Gazette, group AI director at Kingfisher Mohsen Ghasempour explains his team's efforts have been focused on creating initiatives that improve customer experience and internal operations - many of which have helped to increase sales under each of the group's banners.

    (Kingfisher is the parent company behind UK retailers B&Q, Screwfix and French brand Castorama.)

    Hello Casto is the first AI-powered assistant in the home improvement industry that uses generative AI to help customers with their DIY projects. Mr Ghasempour said customers can use the online tool, which is currently available at Castorama France, in their "natural language" to ask DIY related questions that they might typically ask a sales assistant in store.

    When you talk to Hello Casto, you explain your problem, 'I want to remove my old wallpaper', and then our agent will tell you 'you need wallpaper remover, you need this part of product, you need this and you need that to do your project'.
    It's quite new and we have to educate both internally and people to use this technology, but it's one that's potentially going to have a very big impact on the younger generation, especially those getting into DIY because we're providing that level of advice digitally to our consumer.

    Mr Ghasempour said the team is working on launching an English version of the assistant for B&Q and Screwfix.

    Product recommendations are also a key area. Last year, Kingfisher launched a suite of "best product" solutions for its app and online, as well as in multiple formats such as "frequently bought together" carousels, "substitute products" or direct personalised offers based on customer shopping trends and preferences.

    For B&Q, where the solutions have been in place the longest, more than 10% of its ecommerce sales had come from product recommendations.

    On top of that, its own recommendation engine had driven a more than 100% increase in online sales from product recommendations compared to its previous third-party solution.

    Mr Ghasempour said it uses machine learning technology, which has been trained from the group's product data and sales history, to deliver the right recommendations.

    The algorithm can also spotlight a very similar product if the one it would typically recommend is out of stock - something its previous third-party solution was unable to do.

    Internal efficiencies

    Mr Ghasempour notes the potential to use AI in the supply chain is huge, as there is "so much manual effort going into that process".

    At the moment, Kingfisher uses AI for demand forecasting - predicting the quantity of products consumers will want - as well as working out how to clear stock in a more beneficial way for the business. Mr Ghasempour said:

    About 12 to 18 months ago, we started a big project around mark down and promotions for B&Q [looking at] using technology to identify the best route to mark down a product.
    When you want to mark down or get rid of a product, it's very important for you to understand discount you can put on the product and what period you have to leave it for.

    The pilot tested in the first half of last year delivered encouraging gross margin improvements, while increasing the sell-through of seasonal stock and improving the efficiency of range changes.

    Similar technology is being used for promotions, which combines demand forecasting and optimisation to provide "the best price for Kingfisher's customers", he said.

  • Source: Retail Gazette
  • bigbox

    Big box update

    Bunnings' real estate investment trust books $180.2m profit

    Blood pressure testing stations in NSW stores, tradie health, and lead exposure concerns lead to packaging changes

    Bunnings Warehouse Property (BWP) Trust has reported $180.2 million profit for the 2024 financial year, up from last year's profit of $36.7 million.

    In The Australian, BWP said it recently bought two properties - the Southport Showrooms (QLD) and Broadmeadows Homemaker Centre (VIC) for $10 million and $20 million respectively - as it looks to expand.

    These acquired sites afford potential options for Bunnings' expansion, over time, and enable additional income generation for BWP...

    These deals added to BWP's $540 million acquisition of the listed Newmark Property REIT that was completed in June. The merger provided BWP with nine properties.

    BWP is also re-purposing and re-leasing properties vacated by Bunnings. At Hervey Bay (QLD) it put retailers Amart and Super Retail Group into a site. It is also re-purposing the ex-Bunnings Warehouse property in the Melbourne suburb of Fountain Gate.

    BWP has sold sites in Wollongong and Belmont in NSW, in Albany (WA) and is looking to sell a former Bunnings Warehouse in Port Kennedy (WA).

    Established and listed on the ASX in 1998, BWP Trust invests in and manages commercial properties throughout Australia.

    The majority of the Trust's properties are large format retailing properties, in particular, Bunnings Warehouses, leased to Bunnings Group Limited.

    Blood pressure trial

    NSW residents have a new way to conveniently check whether they have hypertension (high blood pressure) at a Bunnings store.

    The "Shop2Stop Hypertension" research study aims to identify more people with high blood pressure - the top risk factor for death in Australia - and raise community awareness by placing SiSU Health stations in 30 Bunnings stores across NSW.

    This innovative approach to detecting hypertension comes from The George Institute for Global Health and UNSW Sydney in partnership with SiSU Health.

    Alta Schutte, professor of cardiovascular medicine at The George Institute for Global Health and UNSW Sydney, said:

    Efforts to reduce the rate of high blood pressure in the community have stopped being effective over the past 10 years, and the profile of those affected is changing.
    For example, raised blood pressure is increasingly linked to stroke deaths in men aged 25-49 years but they wouldn't think of themselves as being at risk. We needed to think creatively about reaching this and other groups at high risk, in the places they already go, and Bunnings stores are a great way to do that.

    Doing a screening at a SiSU health station takes about five minutes. Customers are asked a series of questions about their age, lifestyle and family history, and given the opportunity to accurately weigh themselves, check their blood pressure and measure their heart rate. They can also sync up with the SiSU Health app to capture their results and track their progress. Prof. Schutte said:

    The check is free, and the self-operated machines are in discreet locations, so it's only the individual who sees and hears their results in the store.
    Importantly, the SiSU kiosk gives people recommendations on how to reduce their blood pressure and, if needed, directs them to see their GP straight away. The good news is that if someone finds out they have high blood pressure, it can be effectively treated with medication and lifestyle changes.

    TradeMutt

    Bunnings Trade announced a three-year partnership with social impact workwear brand TradeMutt, to raise funds and awareness for mental health support among tradespeople. It officially launched in late July with a National Funky Shirt Friday Brekkie, according to the Mi3 website.

    The partnership aims to support the free mental health care counselling service, This is a Conversation Starter (TIACS), founded by TradeMutt creators, Dan Allen and Ed Ross.

    Allen and Ross, both tradies, started TradeMutt after Allen lost a close friend to suicide. The brand's colourful work shirts are designed to spark conversations about mental health, breaking down barriers in industries where such discussions are often stigmatised.

    Bunnings Trade desks nationally will display "TIACS for your toolbox" cards, highlighting how to easily access the professional and confidential counselling service.

    Bunnings Trade x TradeMutt work shirts and water bottles will be available in-store at Bunnings Trade desks, with 100% of profits from sales going directly to TIACS.

    Ben Camire, Bunnings director of operations & commercial, said the retailer is committed to improving mental health support within the trade community.

    Many of us can be unsure on how best to start a conversation about mental health, so we've partnered with TradeMutt to encourage our team and customers to check in with each other and raise awareness and funds for TIACS, a valuable resource there to help tradies.
    We are committed to improving mental health support within the trade community and know the positive impact the simple act of starting a conversation can make. Breaking down barriers so tradies feel comfortable reaching out for help will help drive cultural change in our industry.

    Related

    Workwear with a conscience - HNN Flash, November 2021

    Product packaging

    Bunnings is changing its packaging and storage of lead products after concerns were raised about customers and workers being exposed to the material in its stores across the country.

    Officials from the Shop, Distributive and Allied Employees' Association (SDA) in at least three states have inspected sites and contacted work safety authorities. Vision and photos supplied to the ABC showing potentially hazardous dust gathering on shelving.

    Bunnings told the ABC it received "expert advice" the way the product was sold poses "little risk" but it is updating packing and labelling as "an additional safety measure".

    In a report to SafeWork SA, the SDA alleges the state's work health and safety laws were being broken, with lead sheets stored "without an appropriate container" or safe handling equipment.

    The report also alleges because the lead products were not being kept correctly, they had rubbed together forming dust on the shelving.

    Bunnings director of merchandise, Cam Rist, said there was "nothing more important" than worker and customer safety.

    While we've received expert advice that confirms the way the product was sold poses little risk, we have worked with our supplier to update the packaging and labelling as an additional safety measure.

    Bunnings has liaised with work safety authorities in New South Wales, Queensland and South Australia about the changes it has made and says no formal notices have been issued against the company.

    Areas of stores where the products were kept have been cleaned with specialist vacuuming equipment, wipes and appropriate personal protective equipment (PPE).

    In a statement, Workplace Health and Safety Queensland said follow-up inspections showed the products were "no longer on shelves".

    A SafeWork SA spokesperson said products "only pose" a risk of lead contamination if they were handled unprotected.

    This can be avoided by appropriate packaging and the wearing of gloves.
  • Sources: The Australian, Mi3 and ABC News
  • bigbox

    Big box update

    Bunnings Wagga store plan at a standstill

    The hardware retail chain will not be classified as a retailer under the Food and Grocery Code of Conduct but is "on notice" to negotiate a fairer trading environment for greenlife growers

    The local community in Wagga Wagga (NSW) continues to wait for new plans for Bunnings' relocation to one of the city's busiest intersections, according to a report in The Daily Advertiser.

    In late 2023, plans were rejected by Wagga councillors for Bunnings' proposed move to 64 Pearson Street.

    Car Wash owner Steve Kenyon - whose business is located on Person Street - said he has been talking directly with Bunnings over recent months, and there have been meetings with various stakeholders. Mr Kenyon is waiting for Bunnings to come back with a new plan that no longer include a traffic light outside his location's driveway. He said:

    We have no objection to Bunnings going there, but we just want to make sure that the traffic movement doesn't affect the businesses on Pearson Street. The ball is in Bunnings' court as to going with a few of our wishes and changing their application.

    The $25 million move that was initially approved with conditions by Wagga City Council in 2021. The rejected plans by Bunnings included traffic lights, a median strip, a Pearson Street exit and reduced on-street parking.

    However discussions are continuing between Bunnings, council and regional transport and roads minister Jenny Aitchison, according to Wagga City Council general manager Peter Thompson. He told The Daily Advertiser:

    While there has been some progress in relation to the issue, the concepts under discussion still present challenges. Discussions will be ongoing between all parties, including the community representatives and the businesses in the area.

    Related

    Bunnings loses bid to change access plans to new Wagga site - HNN Flash, November 2023

    Greenlife suppliers

    The federal government recently announced it would adopt every recommendation from the independent review of the Food and Grocery Code of Conduct led by economist and former Labor trade minister Dr Craig Emerson.

    However, plant growers were disappointed the review decided Bunnings should not fall under the code alongside other big retailers such as Woolworths and Coles.

    Greenlife Industry Australia (GIA) CEO Joanna Cave told The New Daily while she was pleased the code would be strengthened, the decision to leave Bunnings out was "deeply disappointing". She said:

    The issue's acknowledged, but greenlife growers are left out in the cold. They're effectively the only growers within the whole of the horticultural sector that don't benefit from a code of practice protection, which is why we were asking for them to be included in the first place.

    The review has recommended Bunnings work with GIA to develop a document setting out expectations about the supply of nursery plants, and progress of the relationship could be reviewed in two years' time.

    The government's response to the review also outlined concerns about allegations of retailer conduct towards nursery plant suppliers, and said it would "continue to monitor conduct in the nursery plants industry".

    Ms Cave said GIA would approach negotiations with an open mind, and she hoped Bunnings would do the same. She said Bunnings had placed some rebates under review, including one in which the volume of plants it bought had a direct effect on the discount growers were obliged to give it.

    They've been very careful to say that any measures are likely to be temporary. We're interested to see what sticks now that the government has made its position clear that they won't be admitted to the Food and Grocery Code.
    Will Bunnings breathe a sigh of relief and go back to business as usual? Or have they learned their lesson and are they willing to make some changes for the benefit of the greenlife growers?

    In a statement to The New Daily, Bunnings managing director Mike Schneider said the company welcomed the recommendation that retailers outside the supermarket and grocery industry are not be taken into the code.

    We note the report's suggestion that we work collaboratively to set out expectations relating to the supply of nursery plants, and we look forward to continuing to engage with suppliers and relevant industry associations.
    We recognise that good supplier relationships are essential for the continued success of our business.

    New code mooted

    Ms Cave said GIA had been approached by the Department of Agriculture, Fisheries and Forestry to discuss potential nursery code of conduct. It is likely it would emulate the food and grocery code, but be more specifically tailored to the needs of greenlife growers.

    Ms Cave said one of the areas in most need of attention included stronger commitments between the retailer and greenlife growers. A common complaint from growers is that Bunnings would not commit to buying specific volumes of plants, leaving many out of pocket.

    A nursery code of conduct would also need to include an anonymous complaints mechanism, similar to the one that will become part of the food and grocery code, thanks to the review's recommendations.

    In the current situation, Ms Cave said growers had little to no avenues for recourse when facing problems.

    Bunnings does operate a complaints procedure of its own. But you can understand why growers would feel very reluctant to use a complaints procedure managed, funded and organised by the very organisation it wants to complain about.
    And [regarding] the [Australian Competition and Consumer Commission], for example, the burden of proof is on the growers. It's very hard to successfully make a claim through that avenue. It takes a long time, costs money.
    That's why we've been lobbying for a code that contains within it decent dispute-resolution mechanisms, because without that the growers really have no way of raising concerns.

    Related

    Growers and supermarket code - HNN Flash, April 2024
  • Sources: The Daily Advertiser, The New Daily and The Mercury
  • bigbox

    USA update

    Lowe's tries out Apple Vision Pro for kitchen design

    Home Depot has a partnership with Instacart that allows consumers to order home improvement products and have them delivered the same day, in some cases within an hour, the companies said

    Home improvement retailer Lowe's has piloted an Apple Vision Pro-powered kitchen design experience at three locations across the US.

    The Lowe's Style Studio app enables viewers to explore kitchen projects with Apple's new mixed-reality headset and design a kitchen while immersed in a virtual 3D environment.

    During the free, 45-minute one-on-one appointment with a Lowe's kitchen specialist, customers are set up with an Apple Vision Pro headset so they can personalise their kitchen using Lowe's Style Studio.

    Users can explore preset styles curated by Lowe's professional designers as well as customise hundreds of real-world materials, fixtures and appliances all available at Lowes.com or in store.

    Then, customers can save their selections or share them with friends, designers and contractors (tradies). They can additionally shop the products they selected to build their real-world kitchen.

    Lowe's executive vice president - chief digital and information officer, Seemantini Godbole said:

    We believe Apple Vision Pro can enhance in-store kitchen design experiences, empowering our customers to visualise their dream kitchens using advanced spatial computing technology.

    Following the pilot program, the Lowe's Style Studio app will still be available for free for Apple Vision Pro.

    Home Depot

    Home Depot's delivery partnership with Instacart is being made available at 2,000 of the company's stores. In a statement, Jordan Broggi, president of Home Depot's online division, said the aim is to give customers "a seamless interconnected experience".

    We're increasing flexibility for our customers ... no matter how they choose to shop.

    The deal allows an Instacart customer to order items of modest size that Home Depot sells, "from garden essentials and building supplies to light fixtures" but also to use a special Instacart service that specialises in items up to 60 pounds (27.2kgs), such as BBQs, ladders and large boxes, said a Home Depot spokesman.

    Customers who have "Instacart+" memberships will have free delivery. Others will pay a delivery fee.

    The partnership, one of many Home Depot has with companies that provide deliveries, was finalised after the companies ran pilot projects of the arrangement, the spokesman said. He said the trial programs were conducted for several months in three markets, but declined to say which ones.

    Online transactions accounted for 14.8% of Home Depot's business last year, about USD22.6 billion, the company said.

    Related

    Hardware retailers look to delivery partnerships - HNN Flash, April 2024
  • Sources: NJBIZ and The Atlanta Journal-Constitution
  • bigbox

    Big box update

    Senior executives exit Bunnings

    The Senate Select Committee on Supermarket Prices Inquiry report included a recommendation that another committee examine the role of multinational food manufacturers and Australia's big box retailers - notably Bunnings - in price setting

    Bunnings recently made an internal announcement regarding changes to its executive team that led to the departure of its chief commercial officer Ben McIntosh, chief transformation officer Leah Balter, and general manager of corporate affairs Maria McCarthy. It was first reported by the Australian Financial Review (AFR).

    Other changes include chief customer officer Ryan Baker being appointed as chief operating officer, while current chief financial officer Rachael McVitty will become chief customer officer. Michael Howard, currently at Wesfarmers, has been appointed chief financial officer from July 1.

    Director of merchandiser Jen Tucker has also decided to leave the business following a family bereavement. Managing director Mike Schneider told the AFR:

    I would have said it's a reshaping, rather than a restructure ... This is not a cost thing.

    Mr Schneider said the reshuffle was designed to bring the commercial and customer teams closer together, and the cost savings would be minimal.

    We want to stay laser-focused on customers.

    Mr Schneider also dismissed any connection the "restructure" was part of a succession plan that involved his potential departure. In the AFR, he said:

    I've got really, really strong plans. I'm a Bunnings lifer through and through.

    The changes come in the wake of what many have seen as an underperforming first half for Bunnings in FY2024. Revenue grew by just 1.7% over the previous corresponding period (pcp), which was FY2023 H1. Store-on-store revenue increased by 1.2%, versus 2.8% in the pcp, while total store sales growth came in at 1.9%, versus 5.1% in the pcp.

    This comes as its fellow Wesfarmers retailer, Kmart Group, increased earnings before taxes from $475 million in the pcp to $601 million for FY2024 H1.

    As Mr Schneider has pointed out, the Bunnings model has now been in operation for 30 years. Many of the challenges the hardware retailer faces actually originate in its outstanding success over the decades.

    As Wesfarmers managing director, Rob Scott, pointed out in his opening remarks for the conglomerate's Strategy Day in early May, the market retailers operate in is now splitting between cashed-up baby boomer and Gen X retirees, and the ever-growing base of Gen Y and Gen X, who are struggling in a tough economy.

    The challenge for Bunnings is how to keep the "rusted on" deep fans of Bunnings from older generations happy, while reaching out to the new market represented by younger generations. This is likely one of the reasons for Bunnings' expansion into the pet category - aside from the very good margins - as pets reach across generations.

    Much of Kmart's success has been put down to its successful Anko home brand, which has managed to have that broad appeal across generations, offering a value/price combination that has proved popular. In contrast, it's clear that the basic Bunnings store concept may be in need of revitalisation. It has also not succeeded in better integrating newer categories, such as Smart Home, into its overall offerings.

    That said, the company has managed to improve its very popular website in ways that bring it into best practice for online retailers. It is also reaching out into new forms of advertising and marketing, including a TikTok campaign aimed to better acquainting tradies with financial complexities such as depreciation.

    Bunnings employs more than 55,000 people across its stores.

    Supermarket prices review

    Bunnings has argued its sales of flowers and plants, and some grocery items don't warrant classifying it as a supermarket retailer following the final report released by the Greens-led Senate Select Committee on Supermarket Prices Inquiry.

    The report also suggested that the Food and Grocery Code, which is currently voluntary, should be made mandatory and expanded to include greenlife industries and all retailers stocking food and groceries. Both suggestions would bring in Bunnings, given its large greenlife offer and its recent push into home cleaning products such as dishwasher tablets.

    However, Bunnings managing director Mike Schneider said there could be unintended consequences of including it with the supermarkets and placing it under the Code. He told The Australian:

    We note the recommendations in the select committee's final report but maintain our view that as the Food and Grocery Code was tailored for the supermarket and grocery industry by Coles, Woolworths and the Australian Food and Grocery Council, it should not be extended to retailers in other industries.
    We agree with Dr Emerson's comments in the Food and Grocery Code of Conduct interim review report, that there could be unintended consequences. We operate in the home improvement, building materials and lifestyle product sectors, which have fundamentally different characteristics to the supermarket and grocery sector.

    Although Bunnings was outside the terms of reference when it was invited to contribute by the Senate committee towards the end of its process, the hardware retailer fully engaged. It made two written submissions to respond to the evidence from Greenlife Industry Australia (GIA) and aggrieved greenlife growers. Mr Schneider said:

    We appeared at the hearing, responded to questions on notice and invited the committee to ask further questions if it wanted more information.

    But the final report noted that Mr Schneider did not personally appear before the inquiry:

    The committee was disappointed that the Bunnings chief executive officer did not appear personally to give evidence.

    In response to some of the claims made by nursery owners, plant growers and greenlife industry body GIA at the Senate inquiry, Mr Schneider said he had written to all of Bunnings suppliers to get their feedback.

    We highly value our suppliers and work hard to build enduring relationships. On hearing GIA's concerns, I wrote to each of our greenlife growers inviting their feedback as we know we can always learn and improve.
    We have engaged with many of them through the forums we run annually across the country and spoken with a number of industry associations. It's been heartening to receive positive and helpful feedback. I'm proud of the relationships we've built with our greenlife suppliers and over half of them have been with us for more than 20 years, which demonstrates the strength of our commitment to achieving shared success.

    GIA chief executive Joanna Cave applauded the recommendation that "growers be protected from unfair trading practices via Bunnings' inclusion", saying it brought them a step closer to "a decent and equitable trading relationship" with Bunnings.

    The Senate Select Committee on Supermarket Prices Inquiry report made 14-recommendations designed to tackle the price of food and reign in the power of Coles and Woolworths through increased competition, new legislation and strengthened regulations.

    Dr Craig Emerson is due to present his review of the Code by June 30. An ACCC Supermarkets Inquiry is also expected to table an interim report no later than August 31 with a final report due next February.

    Related

    Big box update: Growers and supermarket code - HNN Flash, April 2024
  • Sources: Australian Financial Review, The Australian, Good Fruits & Vegetables and Country News
  • bigbox

    USA update: Home Depot

    Interest rates hurt bottom line

    The home improvement retailer is seeing customers defer major home projects due to high interest rates. It is continuing to focus on building its business with professionals.

    Home Depot posted a bigger-than-expected drop in quarterly same-store sales as cautious US consumers spent less on big-ticket items while focusing on small-scale home repair and maintenance tasks.

    Customers have cut discretionary spending and put expensive, large-scale renovations on hold as they adjust to higher borrowing costs and elevated inflation.

    As interest rates remain high, consumers have been reluctant to move out of their homes and into new ones - the kind of turnover that often inspires home improvement projects.

    In the fiscal first quarter that ended April 28, customers made fewer visits to Home Depot's stores and website and tended to spend less when they did. Customer transactions declined 1% to USD386.8 million and average ticket fell 1.3% to USD90.68.

    Comparable sales of items priced higher than USD1,000 were down 6.5% in the quarter.

    Inflation may also be playing a role in that pullback, as consumers spend more money on essentials and have to make trade-offs when spending discretionary income.

    Home Depot reported revenues of USD36.4 billion for the first quarter of its fiscal year, down 2.3% from the same period a year earlier. It had net earnings of USD3.6 billion during the three months, roughly 7.7% below a year ago.

    However, chief financial officer Richard McPhail said Home Depot is not seeing customers trade down to cheaper items, like less expensive power tools or appliances. He reasoned that the company's softer sales in large part on consumers' "deferral mindset" and a housing market that has slowed dramatically. He told CNBC:

    When we have seen mortgage rates decrease slightly, as we saw at the beginning of this quarter, the housing turnover seems to respond quickly and sharply in a positive direction.
    And so we think that's an indicator that there is a tremendous amount of pent-up demand for household formation and housing turnover and the larger projects that are associated with housing turnover.

    Weather pressured sales, too, in the recent quarter, he said. Spring is the biggest sales season for home improvement retailers. Yet customers delayed outdoor purchases because of colder and wetter weather in many parts of the country. Those spring purchases have begun to pick up as the weather improves, he said.

    To overcome slower sales, the home improvement retailer has revved up its strategy to attract professionals, since they tend to buy larger quantities and offer a steadier source of sales.

    Home Depot has a growing network of distribution centres across the US that can store and deliver roofing shingles, insulation and other supplies straight to job sites.

    It also announced in late March that it would acquire SRS Distribution, a Texas-based specialty distributor of roofing, landscaping and pool supplies, for USD18.25 billion in the largest acquisition in the company's history. Mr McPhail said the deal is still on track to close this fiscal year, which ends in early February 2025.

    Along with targeting professionals, Home Depot is trying to drive growth by opening about a dozen new stores this year and adding features to improve its online and in-store experience.

    Mr McPhail also said Home Depot stores are fully staffed and have the best in-stock levels they have had in years. Transportation costs have fallen. While organised retail crime remains a challenge for the industry, he said shrink, a term that refers to items lost, stolen or damaged, declined at Home Depot year over year, too.

    Home Depot has also added technology to make sure it has items on shelves when customers need them. For example, it is using computer vision to make sure that products for sale are damage-free and to prevent theft when customers use self-checkout, said Ann-Marie Campbell, senior executive vice president who oversees US stores and operations.

    Home Depot has a workforce of about 465,000 operating 2,337 retail stores.

    Related

    Home Depot's latest acquisition targets tradies - HNN Flash, April 2024
  • Sources: Atlanta Journal Constitution, CNBC and Reuters
  • bigbox

    Big box update

    Bunnings Ashfield store set for rebuild

    A Bunnings Trade Centre has been approved for a site at Noosaville (QLD) adjacent to the existing Bunnings Warehouse

    The Bunnings store in Ashfield, an inner west suburb of Sydney will close for a major redevelopment that will cost an estimated $60.6 million. Plans have been lodged with Inner West Council and are currently under assessment.

    Development plans show that almost all sections of the Ashfield Bunnings store could be demolished as part of a rebuild that will involve almost doubling the amount of retail space, reports the Inner West Courier.

    The redeveloped store would span 17,518sqm, a 96% increase on the 8896sqm size of the current warehouse. It would span three levels including two underground carparking areas with 431 spaces - almost 169 more than the current 262 spaces. The third main level retail area would include a cafe, playground, garden centre, back of house facilities and amenities.

    The expansion would be accommodated by moving the existing ground level carparking spaces, located at the rear of the store, to underground carparking areas.

    Plans also indicate the distinctive clock tower on the corner of Parramatta Road and Frederick Street would escape the wrecking ball. The tower - which records show was built sometime between the mid-1940s and 1950s - would be incorporated into the new development.

    In the plans, Bunnings stated the development would address the ageing state of the current warehouse which it described as "functionally sub-optimal" with a "collection of disparate components which results in inefficiencies" and a "diminished customer experience".

    According to the plans, the redevelopment would also negate the need to permanently close the store and relocate to another site. It will replace the outdated facility with a contemporary style warehouse with significantly more efficient functionality and improved energy efficiency.

    Bunnings has consulted with Transport for NSW to discuss traffic impacts from the redevelopment and there was a "general agreement" that the proposal could be supported.

    Noosaville

    Known as the Noosa Trade Centre in Noosaville, the new Bunnings Trade Centre will be located on the same block as Bunnings Warehouse on Eumundi-Noosa Road, on a currently vacant portion of the site. It will have separate driveway access to the existing Bunnings Warehouse, via Gateway Drive, and include its own car park, reports Sunshine Coast News.

    The development was initially approved by Noosa Council last year, with amended conditions carried unanimously at a recent Planning and Environment Committee meeting.

    A report presented at this meeting recommended that a negotiated decision be issued based off the conditions. In Sunshine Coast News, the report stated:

    An application for a hardware and trade supplies store was approved by council at its Ordinary Meeting on October 26, 2023, subject to conditions, including required plan amendments regarding the northern exit driveway design, the proposed building's height and provision of an awning to the front facade.
    The applicant suspended the appeal period and made representations on December 4, 2023, to the development approval conditions.
    Following discussions with the applicant, further plans were subsequently provided to council on March 4, 2024, with the time frame for a negotiated decision extended to enable the application to be reported back to council.

    The councillors unanimously agreed upon the amended conditions, which included reducing the building height from 12.14 metres to 10.94 metres. The report stated:

    While the proposed building still exceeds the code's acceptable outcome for building height of 10m, the proposed height of 10.94m to the roof pitch is compatible with the height of buildings in the area and will not visually impact on the streetscape.
    Some minor amendments are however recommended to the conditions regarding external colours, performance bond, street trees and acid sulphate soils.

    There is currently only one other Bunnings Trade store on the Sunshine Coast, located at Kunda Park.

    Related

    Bunnings development in Noosa - HNN Flash, November 2023
  • Sources: Inner West Courier and Sunshine Coast News
  • bigbox

    Big box update: Growers and supermarket code

    Plant lobby accuses Bunnings of "stranglehold" on greenlife category

    Woolworths and GIA have formed an unlikely alliance in calling for Bunnings to come under the supermarket code

    Bunnings managing director Mike Schneider has rejected claims made by the chief executive of plant industry lobby group Greenlife Industry Australia (GIA), Joanna Cave that the hardware/home improvement retailer has 70 per cent market share of greenlife products.

    He recently told The Australian Financial Review (AFR) the retail horticulture sections of the 310 Bunnings outlets in Australia selling seedlings, native grasses, flowers and shrubs had an overall market share of about 25 per cent.

    In GIA's submission to the Senate Select Committee's Inquiry into Supermarket Prices, Ms Cave said its figures came from extensive surveys with growers, carried out over the past five years.

    We think the growers are best placed to know. We're very confident that we're right.

    However, Mr Schneider said there were between 1000 and 1100 growers of seedlings and plants around Australia with diverse avenues to market, and Bunnings only dealt with about 250 of those.

    GIA

    The commercial gardening and nursery sector has publicly expressed - for the first time through GIA - its concerns about Bunnings' market power and how it treats growers.

    The nursery industry has been valued at over $2 billion at the retail level and GIA represents businesses that grow seedlings, plants and trees that are sold to gardeners. It employs more than 25,000 people. GIA said by volume of units sold in Bunnings' stores, plants were second only to tins of paint.

    In its submission, GIA said Bunnings' massive market share allowed it to dictate prices and supply of plants. The submission said:

    Whilst growers of nursery products do supply plants to many supermarkets, our bigger concern is with the supply of plants to what are commonly described as big box stores.
    Bunnings is by far the biggest of these, maintaining a national market share of 70 per cent, rising to over 80 per cent in some regions and towns.

    Ms Cave said:

    We've got lots of examples where we feel Bunnings is abusing their dominance of the marketplace. Growers have shared their stories with us in complete confidence because they are genuinely scared of retribution.

    Ms Cave said she had spoken to at least 200 growers in the lead up to the inquiry, and some were being encouraged to plant up to 10,000 seedlings but given a contract for only a single plant.

    And they might ask several of the growers in the region to also plant 10,000. But they're under no obligation to take any from anybody. Of course, that's a perfect example of asymmetry of information, because the big-box retailer has all the information on who is growing, the numbers they've been encouraged to grow and the prices that they're requesting. They can pick and choose. They can take 8000 or 5000 or none. It's up to them.

    Ms Cave said grower appeals for price increases were routinely rejected after lengthy reviews while retailers would raise costs of nursery products overnight. She also said fear of retribution or being punished for raising complaints against Bunnings was "the biggest issue" growers expressed to her.

    It's been the No. 1 preoccupation for growers.

    Growers

    Tasmania-based Brocklands Nursery owner Karen Brock supplied native trees, grafted and standard roses, herbs and perennial plants to Bunnings from 2003 to 2016.

    Appearing before the senate inquiry, she said the relationship worked "incredibly well", until increased demand to supply plants for merchandise stands in store "with no contract or even an indication of what numbers they were looking at" placed her business under pressure. In The Weekly Times, she said:

    When you've got merchandise space, you've got this Holy Grail of space, it gives you confidence to put stock on the ground, but not off an order. We were growing (plants) two years out, this is a long-term investment you're spending now to get a sale out of in two years. You get the confidence, and you get sucked in, you start investing and borrowing money because you have to put all this stock down.

    She said there was no supply contact, and was subjected to intimidation when complaints were raised with Bunnings, citing one example where an entire range of plants were cancelled.

    They would not give decent orders, they would not confirm orders, they would not give us any forward planning.

    When Ms Brock raised concerns with Bunnings, she said the barcode for her product was cancelled. She said Bunnings' practices resulted in low prices for her business and order sizes in some years collapsing without any warning, as the retailer switched between its various suppliers in an apparent "divide and conquer" strategy.

    Ms Brock said troubles with the giant retailer escalated in 2014-2015, when Bunnings opened new stores in Burnie, Launceston and Glenorchy. She told the senate committee:

    Because we're growing stock two or three years in advance, we needed to know what were their plans so that we could grow stock.

    Bunnings refused to sign trading terms or contracts detailing the number of plants they would buy from her over time. It also refused to adhere to minimum plant order sizes, forcing her to incur losses delivering small orders to Bunnings stores state wide. Ms Brock said:

    We were travelling to Hobart and back ... for a $78 order, or a $48 order. We tried to bring in a $300 minimum order but that was rejected.

    Ms Brock said the unfair lack of transparency on its ordering schedule was rife in Bunnings.

    We had these huge pressures put on suppliers, they promised the world, and then those promises weren't delivered.

    Her business was left with mountains of unsold stock as a result. She said:

    I don't think there's anything worse than seeing your work of two to three years sitting on the tip. I felt that we were slaves, we were slaves to Bunnings.
    We were a mouse running around the hamster wheel and no matter how fast you spun that wheel, you could not ever achieve the goal of making somebody happy in that environment.

    Nick Powell is a nursery grower near Stanmore in Queensland. He is aged in his 70s and faced health issues, including a battle with leukaemia. He has vented his frustrations at dealing with Bunnings Warehouse in the past.

    Growing a mixture of indoor foliage plants and landscaping plants, Mr Powell said he felt he was a very good supplier to Bunnings, but grew increasingly frustrated with a lack of certainty around orders. Bunnings was its largest customer, with other minor customers. In the Weekly Times, he said:

    The issue was we'd try and get allocations for stock we knew would be ready at a certain time, that was the hard part.

    He said there were no supply contracts at all between his nursery and Bunnings. In order to work with the uncertainty, Mr Powell would invest in bigger pots to replant stock in "to keep growing it, and hope to sell it as larger stock items".

    That was one of the only ways we could cope with not being able to get our stock into store.

    Tim Drewitt is a nursery plant grower, selling to Bunnings through his Silvan-based farm, Drewitt's Bulbs, in Victoria. He said he has supplied product to Bunnings since late 2018, and has had a positive relationship with the company, contrary to some stories being told by other suppliers. In The Weekly Times he said:

    We're purely a Mum and Dad business, I have a young family. I'm a little frustrated with GIA. I have reached out to them a couple of times asking for support in various avenues, and they tend not to respond.
    I'm sure there are suppliers who have had issues, but I have not experienced that. We employ up to 30 employees, and especially during COVID, the support and patience shown by Bunnings was very accommodating.

    Bunnings' response

    Mr Schneider said he was "concerned" to hear the accounts from some of his former suppliers. In the Examiner, he said:

    Some of the claims made were new to us, some quite historical, and others are not aligned to the information we have to hand. They're absolutely at odds with the way we believe we do business and we look forward to responding to these more formally in due course.
    Assertions that we do not have contracts or that our team refused to make commitments or agree to price increases are simply not true. We're confident the two accounts don't reflect the views of the vast majority of our around 220 greenlife suppliers. However, we know we don't always get it right and if we let a supplier down, we act as quickly as we can to remedy it.

    He said he invited suppliers who were unhappy with their dealings with Bunnings to reach out and meet him, with GIA as an intermediary if they wished. In the Sydney Morning Herald, Mr Schneider said:

    I'm always going to be sad to hear about situations where people say we haven't done the right thing. Me personally, I want to put it right.
    If someone's done the wrong thing in my team, we've got very strong internal processes in our own code of conduct that we hold our team accountable to. I'm not saying we're perfect, I'm not saying 'nothing to see here, move on'. There could be truth in what [they] said.

    An independent whistleblower resource managed through Deloitte is also available to suppliers, Mr Schneider said.

    We have previously asked the GIA for their assistance in connecting growers with us if there are concerns so we can assist and support them.
    We have reached out to all current greenlife suppliers and encourage anyone that has feedback or an issue they'd like to discuss to contact us directly so we can investigate.

    Mr Schneider said the business worked hard "to build longstanding, win-win partnerships" with plant suppliers. He told the ABC:

    We have robust processes in place, including as part of our trading agreements, to ensure those relationships are fair and transparent.
    Many of our supplier relationships span a number of decades and generations, and over the years they have engaged our team on ways to partner, grow and collaborate to support their businesses.

    Most recently, Bunnings category manager Belinda Raskers told the parliamentary inquiry it was in the best interest of the company to maintain its relationships with producers and she was shocked at previous evidence from plant suppliers. She said:

    We rely purely on our suppliers over supply, and having not really strong relationships with our suppliers is of no commercial benefit for us. We have to have really long-term, viable supplier relations here.

    Supermarket code

    Coles and Woolworths have signed on to plans to make the supermarket code of conduct mandatory, following a review led by economist and former Labor trade minister Dr Craig Emerson. The interim report - which is being released for feedback - recommends the code "be made mandatory and apply to all supermarkets with annual revenues exceeding $5 billion, which at present are Coles, Woolworths and Aldi and [the] wholesaler Metcash".

    The report calls for the code to be strengthened to better protect suppliers, including by outlining new protections against retribution for complaints.

    Woolworths and GIA have both called for Bunnings to come under the code, with the supermarket arguing that the hardware retailer is now a competitor in certain grocery categories and the association accusing Bunnings of abusing its market power in the plant retail sector.

    However, Mr Schneider said broadening out the code would mean it becomes a "catch-all" that is "not going to service everyone".

    It's a supermarket code ... Bunnings is just not a supermarket. We are simply not a grocery retailer or a food retailer.

    Mr Schneider said that the code should be assessed through an "industry lens" rather than by product, pointing out that supermarkets might, from time to time, sell power tools.

    Businesses will dabble in adjacent categories, either periodically or build those out, but that doesn't make us a supermarket, and that's a fundamental difference.

    The Food and Grocery Code of Conduct regulates how supermarkets and their suppliers do business. While it includes plants and flowers in its definition of groceries, the voluntary code is only signed by the major supermarkets.

    Ms Cave said growers who supplied Bunnings and other stores like Mitre 10 and IKEA need to be protected from unfair trading practices. She said that could be achieved if the government included them in the Food and Grocery Code of Conduct and made the code mandatory.

    Growers really feel that Bunnings has all the power in the relationship. [Bunnings] sets the price, control supply, there is an absence of proper legally enforceable contracts - all kinds of practices that would be in breach of the code, were Bunnings covered by it.
    If everything they are doing is above board they have nothing to fear - but it will certainly be a reassuring gesture to their suppliers, who are on their knees.

    Ms Cave argued that the big box retailer had more in common with major supermarkets than local garden centres.

    It seems ludicrous that Bunnings would sit outside the code and not be subject to any of the rules.

    In the AFR, Mr Schneider referred to the vast products purchased by shoppers from Bunnings as "discretionary spend" meaning they wanted to buy them, not because they were a staple of life like in food sold by supermarkets.

    As a result, it would seem unfair to try to apply a "universal" code of conduct on retail businesses which had vastly different characteristics. He said:

    There's more differences than there are commonalities.

    The Senate Select Committee on Supermarket Prices will hand down its report in May, and the Australian Competition and Consumer Commission is conducting a separate inquiry into supermarket pricing, due to report in February 2025.

  • Sources: Australian Financial Review, Australian Broadcasting Corporation, The Australian, The Guardian, Canberra Times, The Examiner, Weekly Times and Sydney Morning Herald
  • bigbox

    USA update

    Home Depot's latest acquisition targets tradies

    Texas-based SRS Distribution serves parts of the home renovation market that include roofers, landscapers and companies that install pools. It will open up a new customer segment for the home improvement retailer.

    At a conference call to announce the acquisition, Ted Decker, Home Depot's chair, president and chief executive officer, said the deal will both complement the company's current business and add "new pathways" for sales.

    We can expose their catalogue to our customers and we can improve the convenience to their customer. We are building our capacity to get more share of wallet for the complex project.

    The company believes that the purchase of SRS adds USD50 billion to Home Depot's "addressable market" - ie. the amount of yearly spending it can go after. That potential business is now nearly USD1 trillion, the company said.

    The acquisition continues Home Depot's foray into the vast and fragmented US market for the contractors (tradies) who do projects for homeowners and builders. Mr Decker said the combination of the companies' networks and Home Depot's diverse product line "provides the residential pro customer with more fulfillment and service options than ever before..."

    The strategy is a complex calculation that depends on the housing market. Demand for materials and services has splintered, and Home Depot is trying to exploit the market's new directions.

    US home prices have decelerated recently, but over the past several years, values are up dramatically. As a result, US homes are now worth more than USD45 trillion, Mr Decker said.

    Yet current homeowners have often been reluctant to sell, since their existing mortgage rates are so much lower than what they would have to pay if they buy another home. That "locked-in" effect means many owners are spending money on maintenance, improvements and renovation.

    Meanwhile, experts say there is a massive shortage of homes, thanks to the aftermath of the Great Recession, in which construction was minimal. So homebuilders are trying to catch up, and while building is nowhere near pre-recession levels, it is up. And that means demand for materials and services, but a different sort, and different scale, than with either DIYers or the contractors who do repairs.

    Home Depot has more than 2,300 retail stores across all 50 US states. Meanwhile, SRS has roughly 760 locations in 47 US states and a fleet of over 4,000 trucks.

    SRS has more than 2,500 sales team members, a fleet of more than 4,000 trucks and 760 locations in the US.

    SRS is owned by private investors, and its purchase is more than twice the price of Home Depot's purchase of HD Supply four years ago. (Read more at the link.)

    Home Depot buys HD Supply Holdings (again) - HNN Flash, November 2020

    New DCs

    The company has pushed hard into e-commerce and has opened four distribution centres with dedicated sites handling bulky construction materials - timber, insulation and roofing shingles, for instance - that contractors need.

    Chip Devine, senior vice president of outside sales, told the Wall Street Journal that Home Depot is grouping together similar products in its warehouses so it can handle them in bulk, which cuts costs and speeds up fulfillment. Sales to the professional market account for about 48% of Home Depot's sales.

    The company is looking to handle bulky items more efficiently so it can offer lower prices to its professional customers, Mr Devine said.

    Home Depot estimates the market for bulky, big-ticket orders going to professionals is about USD200 billion. To win more business from those customers, Home Depot is adding features such as the ability to reserve products, have products delivered to job sites and to pay when items are delivered rather than paying after each order like retail customers.

    Its four new warehouses, planned for Detroit, San Antonio, Los Angeles and Toronto, will add to an existing network of 14 so-called flatbed distribution centres that the retailer uses to stow bulky merchandise. Home Depot also fulfills retail shoppers' orders for those items from those warehouses.

    For these flatbed distribution centres, Home Depot seeks bigger yards, compared with its standard distribution sites, that back up to railroad lines so the company can get building materials directly from suppliers.

    The retailer used to fulfill orders for items such as trusses, drywall and shingles out of its stores, which clogged up aisles and tied up store associates who could otherwise be attending to retail shoppers. With the flatbed sites the company has been adding, Home Depot is putting "the focus on these core products that we never really could move very easily," Mr Devine said.

    IDG acquisition

    The home improvement retailer sees construction and remodelling professionals as a strong growth market in an uncertain economy. Professionals spend an estimated USD475 billion a year, Home Depot said.

    In late 2023, Home Depot purchased International Design Group, a supplier of slab, tile, appliances and specialty products for kitchens and baths in a deal meant to help it will increase its business with contractors. The deal was made with IDG's owner, Mill Point Capital, a New York-based private equity firm.

    IDG, created by Mill Point last year together with other acquisitions, has about 1,000 employees. It owns Construction Resources, a distributor of products for flooring, walls, countertops, decking and fireplaces with 39 showrooms. In a statement, Home Depot said:

    The acquisition combines Construction Resources' expertise in complex, cross-category professional projects with the Home Depot's scale, product authority and distribution expertise.
  • Sources: The Atlanta Journal-Constitution, Quartz and Wall Street Journal
  • bigbox

    Big box update

    Noarlunga in SA gets bigger, revamped Bunnings

    Six Bunnings stores in Australia and one in New Zealand have been rebranded to Hammerbarn, inspired by the popular Bluey series. Also Belmont Bunnings site for sale and the retailer is taken to court over an alleged workplace injury

    A new Bunnings outlet has replaced an old store in Noarlunga, in the southern suburbs of Adelaide (SA). It features 1400sqm more retail space and 60 extra carparks, representing a $37 million investment by the company. The additional space expands the old store on the same site. Complex manager Sonny Papst told the Messenger-Eastern Courier:

    Our team has been working tirelessly over the past few months getting everything ready to open the doors to our brand-new warehouse.

    The brand new 12,500sqm site will have a five-lane drive-through trade and timber yard, dedicated special orders desk, kitchen design centre, kids playground, cafe, and more.

    Bunnings said this store will include LED lighting, energy efficient heating and cooling, on-site water reuse, and solar panels to reduce its environmental impact despite it being larger.

    The previous store had been in the Noarlunga community for over 24 years. Mr Papst said:

    We know locals are really excited about the bigger and better store and we can't wait to welcome them inside and show them what we have to offer.

    Part of the store opening celebrations have seen the Bunnings Noarlunga team deployed for "hands on support" for community groups in gardening, landscaping, and painting projects at the Noarlunga Hospital Emergency Department, the Trevor Parry Community Rehabilitation Centre, and the local "Transition to Home" NDIS centre.

    Bunnings becomes "Hammerbarn"

    During the month of February, six stores in Australia - and one in New Zealand - will be rebranded to "Hammerbarn" as seen in the popular Bluey children's series. In Australia, they are located in Keperra (QLD), Munno Para (SA), Cannington (WA), Glenorchy (TAS), Blacktown (NSW), and Carrum Downs (VIC). In New Zealand, the Hamerbarn store is in the Auckland suburb of Glenfield.

    Exterior signage of the participating stores has changed and there is exclusive Hammerbarn merchandise including garden gnomes, Bluey themed DIY workshops as well as branded aprons and trolleys for kids to use in-store. Life-size Bluey and Bingo mascots have also entertained families.

    The collaboration between Bunnings and Brisbane-based Ludo Studios, who created the Emmy-award winning series, pays homage to a Bluey episode where the cartoon blue heelers visit a Hammerbarn store.

    Hammerbarn's resemblance to Bunnings is no coincidence, with the episode taking inspiration from the real-life Bunnings Keperra store. In the episode, the characters visit their local hardware store to buy a pizza oven, with Bingo and Bluey getting a trolley full of their own items to use to build mini-homes - complete with garden gnome "husbands". Ludo Studios said:

    The design of Hammerbarn draws inspiration from the Bunnings Keperra store in Brisbane, the home of Bluey, which adds an extra layer of significance.

    Kate O'Connor, director of brands and licensing (Australia and New Zealand) at BBC Studios - international distributor for the Bluey series - said going to Bunnings was a "quintessential" experience of growing up in Australia.

    That's why we couldn't be more excited to see this iconic Bluey and Bunnings collaboration come together - and on such a grand scale - giving Kiwi and Aussie fans the world-first chance to experience Hammerbarn for real life, including exclusive and very collectable merch like Bluey and Bingo's much-loved garden gnomes that feature in the episode.

    Reflecting on how the campaign came about Ms O'Connor, told Mediaweek:

    I reached out to Bunnings' managing director Mike Schneider, and explained a little bit about the brand, the episode, and the reach of the episode. I wasn't really sure how much he would know about Bluey, but he got back to me pretty much straightaway and was really enthusiastic about a collaboration together. He mentioned that his wife had bought him the Hammerbarn book for Christmas!
    Once Mike was on board, it started filtering down through both of the organisations at once, and we all started brainstorming - we got to the point where the scale really exceeded our wildest expectations. Bunnings has never done anything like this before, but despite that, they really matched us in terms of innovation and drive...
    Bluey is one of the most-watched television shows in the world at the moment, which is just amazing. We don't take that for granted. It's in more than 60 countries, 30 languages, it was the second most streamed show in the US last year, and definitely the most streamed show in Australia.
    Being able to do something like this with Bunnings - which is ultimately a store for adults - goes to show the versatility and appeal of Bluey across various demographics.

    In Mediaweek, Tess Connery writes that it is a bold move to remove the name of a brand during a campaign but that's exactly what has happened when a number of Bunnings stores became Hammerbarn. It is a move that Ms O'Connor said reflects the strength of both the brands involved. She said:

    ...The campaign doesn't say Bluey or Bunnings anywhere, but because there's this knowledge and love of these two icons, just having the word Hammerbarn means something to audiences and consumers of both."

    Ms O'Connor said the goals of the campaign came down to bringing Bluey to more Aussies than ever before.

    One of the key objectives is to really weave Bluey deeper into the cultural fabric and keep Bluey front and centre in the zeitgeist, to really maintain that momentum. We know that Hammerbarn is a fan-favourite episode, and we also know that many Aussie families have referred to Bunnings as Hammerbarn since the episode aired in season two. So we knew that this was something that could make a huge impact.

    Belmont Bunnings

    The former site of Bunnings Warehouse in Belmont, a suburb in the City of Lake Macquarie (NSW), is on the market. It is listed for sale with James Wilson and Ben Wilkinson of Colliers on behalf of the owners, Bunnings Property Management Ltd.

    The site is on the market for the first time since the hardware retailer closed its doors in early 2021 to relocate to new premises at the Bennetts Green shopping centre, according to the Newcastle Herald.

    The single level 12,820sqm warehouse occupies a 4.038-hectare site at 393 Pacific Highway. Mr Wilkinson said the expansive land holding provided "excellent repositioning opportunities for industrial, retail or mixed-use usages" for developers or owner-occupiers.

    Mr Wilson has overseen the sale of several Bunnings Warehouse properties across NSW including Eastgardens in Sydney which fetched $75 million along with Port Macquarie ($44.65 million), Coffs Harbour ($30.6 million) and Albury ($30.4 million).

    During COVID-19 restrictions, Belmont Bunnings was leased to the NSW government for use as the state's first regional mass COVID-19 vaccination hub in July 2021 until August 2022. It took just over a month to renovate the former Bunnings site into a medical facility with the capacity to administer up to 20,000 COVID-19 vaccines a week.

    Expressions of interest close on March 6.

    Court case

    Bunnings employee Nicole Moldenhaue has lodged a claim against Bunnings for more than $500,000 after she said she sustained a back injury moving heavy products onto shelving at the retailer's Maroochydore store. In an exclusive report in The Australian:

    According to the claim lodged in the Brisbane District Court, Bunnings had a policy of discouraging staff from lodging WorkCover claims and of attempting to manage work-related injuries internally.
    According to court documents, the policies meant Ms Moldenhauer delayed seeing her own doctor until three months after the alleged injury.

    Ms Moldenhauer was told in December 2018 by a duty manager that after six sessions of physiotherapy paid for by Bunnings, it would not pay for any further treatments and enquired whether she wished to lodge a workers' compensation claim. In The Australian, the claim states:

    The manager reminded her that if she did so all staff in the Maroochydore store would lose their bonuses. Ms Moldenhauer did not then appreciate that her right upper limb symptoms were in fact related to a disc injury in her cervical spine.

    Ms Moldenhauer alleges the injury occurred while she replenished stock items as heavy as 20kg on the top shelf of a racking system. In order to complete the restocking, Ms Moldenhauer had to stretch her arms and manually handle items from an electronically operated raised platform. The claim states:

    To perform the work, it was necessary for her on occasions to reach forward, fully extend her upper limbs, bending at the waist and bearing her weight on tippy toes to reach and take a hold of the stock.

    Ms Moldenhauer claims Bunnings failed to take reasonable steps to eliminate manual handling risks and to properly instruct her on using the platform safely. Symptoms of her injury included numbness and soreness.

    According to the claim, Ms Moldenhauer did not pursue her own investigations into her symptoms because of Bunnings' policy of discouraging staff from lodging WorkCover claims as well as attempting to manage work-related injuries internally and not report them to WorkCover Queensland.

    Ms Moldenhauer did not see her general practitioner until February 20 2019, more than three months after the injury.

    In a defence lodged with the court, Bunnings denied Ms Moldenhauer was required to lift products as heavy as 20kg onto shelving and "anything above that weight would need to be handled by two persons".

    Bunnings said the injury was not reported contemporaneously to the company and Ms Moldenhauer had expressed uncertainty as to whether the injury was "work related given her activities at home with three children".

    Bunnings said it "remains uncertain as to the truth or falsity" of the other ­allegations.

    Ms Moldenhauer's lawyer, Travis Schultz of Travis Schultz and Partners, said it would not be appropriate to comment on the specifics of the case, but under Queensland law, employers were obliged to report to their workers compensation insurer any work-related injuries they became aware of. Mr Schultz told The Australian:

    While employers have an interest in managing their statistics regarding workplace injuries, the legislation imposes a duty on employers to complete a report in the approved form, and give it to their insurer if a worker sustains an injury for which compensation may be payable.
  • Sources: Messenger-Eastern Courier, SmartCompany, 9News, Mumbrella, Waikato Times (NZ), The West Australian, The Courier-Mail, Mediaweek (UK), Newcastle Herald and The Australian
  • bigbox

    Big box update

    Bunnings in Cairns

    Stores in South Australia, expanded cleaning products offer, Woolworths' pets acquisition, and property merger

    Approval is being sought to expand the Bunnings store in Cairns, Far North Queensland.

    A development application (DA) was recently submitted to Cairns Regional Council to expand the existing Portsmith Bunnings store to an adjacent landholding that would include an additional 2000sqm bulk trade area and 1000sqm staging area. According to the DA, a completed expansion would represent an overall investment of $31 million. In The Cairns Post, the report states:

    The proposal involves the expansion of the existing Bunnings Warehouse Store, to facilitate an increase in the range of goods sold and to improve the operational efficiency of the existing facility.
    Based on traffic impact assessment, (planners) do not anticipate any adverse impacts to result from the proposed expansion and, therefore, no mitigation works or upgrades are required.

    Patrick Siegel, co-director of NQ Building and Construction, said the increased supply of bulk materials the Bunnings' expansion could bring would be beneficial for the city's construction sector. He told The Cairns Post:

    It's good to get more competition in town. We need more bulk supply for trades. Supply has been an issue. Hopefully this brings a better range to choose from.

    Mr Siegel said customer service at other stores could be better, so he hoped Bunnings' standard of customer service would be high at the expanded store.

    At the moment some stores have poor service. But you just have to take it. It's no good.

    Port Augusta

    A Bunnings store is expected to be built in Port Augusta (SA). Bunnings general manager - store operations Jess Hitchin said the start of the build would begin soon. She told The Transcontinental:

    We're pleased to confirm positive progress has been made and we're now hopeful construction of the new Bunnings store can begin in a few months.

    The bricks-and-mortar store is located on the corner of Daw Street and the Stuart Highway near the Eyre Highway turnoff.

    The DA had been delayed by minor changes, including the lowering of the roof by 15cm and further resealing works of Daw Street.

    The store should retain the usual Bunnings layout while the application stated there would be 142 car parks.

    Related

    Proposed Bunnings store for Port Augusta - HHN Flash, July 2021

    Adelaide Hills

    Initial construction has begun on the new $40 million Bunnings store in Totness, in the Adelaide Hills (SA). The 16,300sqm site is double the size of the existing Bunnings that is close by.

    However, the store would be moved nearer to the freeway under planning changes, reports Messenger-Eastern Courier.

    Originally proposed as a two-level building with undercroft parking and a nursery, the changes mean the new Bunnings would now be one level with an uncovered 350-space carpark, requiring a shift west.

    It has been moved to incorporate land that would have still been home to other bulky goods outlets, and the changes allow trucks easier access to loading docks.

    Developers must also provide a 20-metre buffer of trees or landscaping between roads and buildings. Consultation is taking place with the Department of Infrastructure and Transport (DIT) to grow screening on its land along the Mount Barker freeway entry ramp. Planning consultant Emma Barnes told Messenger-Eastern Courier:

    For the streetscaping along the freeway, it will mean that a portion of that landscaping is on DIT land, but it will remain 20-metre in width. There could well have been other bulky goods on that corner, which will now be dedicated to landscaping, which is a good outcome. There would have otherwise been other buildings there.

    The project is being led by developer Totness Commercial.

    Cleaning category

    At the Wesfarmers Strategy Day in mid-2023, Bunnings said it would include more leading brands in its cleaning range, while also widening the variety of products available. During his presentation, Bunnings managing director Mike Schneider said:

    Cleaning is another area where we have strengthened our range of authority in response to the elevated and sustained customer demand we saw emerge during the pandemic. We've introduced more market leading brands that consistently attract higher frequency purchases.

    See page 22 here:

    Wesfarmers Strategy Day - HI News 7.2

    Since then, Mr Schneider said he believes a move into the home cleaning market - valued at $5 billion - will see the hardware chain gain a significant slice of the category.

    It will be in direct competition with the main supermarkets as well as bulk goods specialist Costco, and targeting consumers, tradies and small businesses that often buy cleaning products such as liquid handwash paper towels in bulk.

    Bunnings has a strong focus on bulk packages at better prices for a range of leading popular cleaning brands such as OMO, Finish, Dettol, Sukin, Cold Power, Sard and Hoover.

    In-store, the layout varies depending on the size of the store, with the largest outlets having up to four dedicated aisles. To make space for cleaning, Bunnings will tighten its range of window furnishings and curtains which Mr Schneider believes can generate better margins.

    As the cleaning products were being launched into stores, Mr Schneider said after 13 interest rate hikes consumers were hunting for value. He told The Australian:

    Consumers are incredibly focused on value, probably more than I have really ever seen in any other point of time ...
    ...What we learned from pets was that really strong value and bulk products are things that are really important for consumers because I think in categories like cleaning, consumers have a really acute eye for the value of a bulk product, right down to the unit of measure.
    So consumers are very quick to work out what that equates to 'X dollars' a litre or per 100ml or whatever it is, and by bringing a bulk offering into the market, we are increasing our range by over 200 products ... consumers are really being blown away by the value offering that's there. And we've established some real credibility and trust in another consumable category like pets and translating that into a cleaning range has been really well received.

    By the end of 2023, Mr Schneider said:

    The recent launch of our expanded cleaning range is all about delivering customers everyday value and an even wider range of necessity products with bigger quantities and better prices. While it is still early days, we're hearing really positive feedback from customers and our data is indicating the range is boosting visitation and cleaning basket size.

    Mr Schneider also told The Australian that Bunnings is increasingly focused on home improvement - not just hardware - and the moves into pets and cleaning reflected that repositioning of a brand which has been evolving for many years.

    I don't think we have called ourselves a hardware store now probably almost since when I joined in 2005. And the way we talk about our merchandising focus is anything "from the front gate to the back fence". That gives you a fairly strong licence ... Cleaning is a form of home maintenance. Keeping your home clean is as relevant as changing your light bulb or putting mulch in your garden.

    Woolworths and Petstock

    The Australian Competition and Consumer Commission (ACCC) has given the green light for Woolworths to move ahead with acquiring a controlling stake in speciality pet retailer PETstock.

    The deal was initially announced in December 2022 and will see Woolworths buying a 55% stake in Petspiration Group, which trades as PETstock.

    The purchase price for the 55% stake is now expected to be $438 million, reduced from $586 million. The adjusted enterprise value is about $1.46 billion, Woolworths said.

    ACCC chairwoman Gina Cass-Gottlieb said the regulator had significant concerns that PETstock's previously completed acquisitions (between 2017 and 2022) of the Best Friends Pets, Pet City, and Animal Tuckerbox chains and the Pet & Aquarium Warehouse store in Eltham, Victoria, might have contravened the Competition and Consumer Act.

    In response to the ACCC's' concern, the Woolworths and PETstock offered to provide court-enforceable undertakings.

    PETstock will sell 41 specialty pet retail stores, 25 co-located veterinary hospitals, four brands and two online retail stores.

    As part of its undertakings, PETstock must ensure the sale of the businesses to be divested will result in a standalone, independent and long-term competitor nationally and in local markets, and that the buyer can compete with PETstock in pet specialty retail. It must also keep those businesses in question competitive and economically viable until they are divested.

    The ACCC has accepted the undertakings and will not oppose the proposed acquisition.

    The COVID-19 pet boom spurred Woolworths to invest in the $10 billion specialty pet sector last December, according to the Australian Financial Review (AFR).

    PETstock is the second-biggest player in the sector behind TPG Capital's Greencross. PETstock continued to grow over the past year with underlying sales increasing by 10% to $892 million in the 12 months to October and underlying EBITDA relatively stable at $125 million, Woolworths said.

    Related

    Woolworths takes majority stake in PETstock - HNN Flash, December 2022

    Property deal

    The country's largest owner of Bunnings warehouses, BWP Trust is striking a deal to take over smaller landlord Newmark Property REIT - whose tenants include Bunnings, Officeworks and Kmart. BWP Trust is the owner of 75 mostly Bunnings Warehouses.

    Under the bid, BWP - which has a market capitalisation of $2.2 billion - would buy all shares in Newmark in an off-market takeover comprising 0.4 BWP shares for every one Newmark share owned.

    The Newmark board supports the proposal, which values NPR shares at a 43% premium. Newmark has a market capitalisation of nearly $181 million.

    According to The Australian, the deal is billed as an opportunity to combine two complementary portfolios of quality assets and similar tenant profiles. It creates a combined portfolio of $3.5 billion and sets up the Bunnings-owning trust for long-term capital growth.

    The combined portfolio will remain heavily exposed to Wesfarmers' businesses, reports the AFR. That would make it harder for the landlord to negotiate higher rents, Jarden analyst Lou Pirenc said in the AFR.

    It's hard to push Wesfarmers to increase rents when in most locations it's not as if you can kick them out and replace them with a non-Bunnings. Most sites will be fairly specific for Bunnings.

    In The West Australian, UBS analyst Tom Bodor maintained his "sell" rating on BWP, based on "challenged earnings growth given low returns on development spend, unfavourable new leases with Bunnings, higher debt costs and inflation normalising".

  • Sources: The Transcontinental, Messenger-Eastern Courier, The Cairns Post, The Australian, Retail Insight Network, The West Australian and The Australian Financial Review
  • bigbox

    Engineered quartz banned by big boxes

    Bunnings and IKEA just say "no" to EQS

    After Safe Work Australia released a paper suggesting EQS should be banned due to its role in causing silicosis, and unions accelerated their demands, both Bunnings and IKEA have announced plans to ban the benchtop granite alternative by the end of 2023.

    On 15 November 2023 both the Wesfarmers-owned Bunnings and Swedish furniture group IKEA announced they would no longer sell engineered quartz stone (EQS) products. This came in the wake of a report from Safe Work Australia which recommended a nation-wide ban on the product by early 2024. Unions have also been active in campaigning for such a ban.

    This relates specifically to kitchen benchtops, where EQS is used as an artificial manufactured alternative to natural granite (and other stone). It has many advantages, in that it is both less expensive and requires only minimum maintenance.

    The bans will be completely in place by the end of 2023, though it's likely the effective date will be earlier than that.

    However, working with EQS without safety precautions and with a degree of carelessness can result in stonemasons contracting silicosis. This has been known for some time, but efforts to reduce exposure have proven ineffective.

    While the debate over what to do with EQS had developed over more than the past two years, there remains a good deal of inaccurate information about both the product and its situation in Australia.

    Silica and the problem with EQS

    Perhaps one of the biggest problems with EQS is that the hunt for a more familiar analogue to the material and its problems have led people to compare it to asbestos - which it, pretty much, in no way really resembles. Equally, people seem very confused about what actually causes the danger with EQS.

    The main difference between EQS and asbestos-based products is that there are no circumstances under which EQS becomes friable, and a source of simple contamination. In some forms asbestos crumbles to dust, and contamination can occur by simply moving the product around, or cutting a board product with a handsaw.

    Where asbestos releases very fine fibres, the contamination by the silica in EQS is the result of very small particles. These particles are known as respirable crystalline silica (RCS). The only way of producing those particles is to work on the substance with some kind of power saw, drill or grinder. Having finished EQS benchtops in a house or commercial business produces zero risk in everyday use.

    What is not broadly understood in the tradie community is that RCS is not the dust you see, but particles so small they are all but invisible. These particles really cannot be seen without some form of vision magnification, as they are much smaller than the diameter of a human hair. So if you are controlling only for visible dust in your work practices, you have somewhat missed the point.

    In the realm of lung disease, the size of particles is measured in terms of the "Particle Matter" index (PMx). Larger particles in dust might have a PM of 100, and these are the ones that get stuck in your mouth and the top of your throat, and can be spat out. Particles with a PM of 10, will get down into your throat and the top of your lungs, and probably make you cough, until they are in your mouth and can also be spat out.

    The ones that are of concern are those with a PM of less that four. These can go down all the way into your lungs, and are too small to make you cough. It is also the case that not all particles of the same size will behave the same way. Heavier particles will tend to fall to the ground, and lighter ones to float on air currents.

    This is where the really bad news about RCS comes in: silica dioxide forms relatively low-density particles. Once they've been formed and released into the air, they are going to drift around for some time. If you want to read more details on this Microanalysis Australia - a commercial material analytics firm - has a very accessible guide at:

    Microanalysis Australia

    If you are looking for an analogy that works, you could think of RCS as being more like a poisonous, odourless gas that gets released whenever you work on tiles with a power tool. You're not going to see it, and it's not going to have an immediate effect, but cumulatively, over time, it could first disable you, then kill you. It really is that serious.

    In its simpler form, silicosis is caused by the lungs trying to wrap the particles up so that they are harmless to the body. When the particles are some kind of bacteria this works great, as the bacteria eventually dies and breaks down, the threat is eliminated, and the inflammation goes away. Unfortunately, as the RCS particles are somewhat "unnatural" and cannot break down, their ongoing presence triggers an over-response, somewhat like an auto-immune disease, and that wrapping up becomes so widespread that it eventually destroys the lung.

    In a more complex form, if the RCS particles are small enough, they can go deeper into the respiratory system and directly interfere with the way the lungs transfer oxygen to the blood. It is very, very unfortunate, but patients with this form of the disease literally suffocate.

    There are also additional bodily functions that can be impaired. This can lead to cardiovascular diseases, as well as pulmonary tuberculosis, additional autoimmune diseases and kidney disorders.

    It's also very unfortunately the case that once it gets started the process cannot be entirely reversed. That said, if silicosis is detected early enough, there are some treatments that can provide relief from silicosis symptoms. Whole lung lavage - effectively "washing out" the RCS particles from the lungs - was a treatment originally tried in China, and has now been further developed in Australia, with some apparent success (though longer-term benefits remain to be determined). More details of this are available at:

    MetroNorth Health QLD

    There has also been some success with various medications to help inhibit the inflammation.

    At the moment the only known treatment for end-stage silicosis is a double-lung transplant, which is itself a difficult operation to undergo. The three-year survival rate for the surgery is around 76%, and typically life is extended for a total of another six to seven years.

    Preventative measures

    Again, unlike working with asbestos, actually preventing the spread of RCS when working with EQS is not all that difficult. In general, silica is hydrophilic (water-absorbing), as its surface typically has silanol groups on its surface - though it can be made hydrophobic through the use of additives. This means that techniques such as wet-saw cutting are highly effective in all but eliminating the risk from RCS.

    In other words, it is possible to handle EQS safely, and the real failure has not been with the product itself, but rather with getting tradies to understand the risks and to alter their behaviour.

    That failure really comes down to three different parties: the tradies themselves, the various WorkSafe entities around Australia, and the manufacturers of EQS. In a better situation, all three of these would have come together to find a solution. Instead, we've seen comparative inaction.

    The real problem with this failure is that it indicates how broken safety systems in the construction industry really are. We don't know what new products and construction techniques will be developed over the next decade, but we do now know that the existing safety systems simply cannot cope with any complexity, and that links between manufacturers and safety organisations are precarious at best.

    The second risk: tiles

    One reason this systemic failure is so important is that there is a second front in the spread of silicosis through exposure to silica-rich products: tiles.

    One marker of just how pervasive silicosis is now thought to be in tilers comes from WorkSafe Victoria. The following chart illustrates the increase in rates tilers are required to pay for coverage.

    This chart shows the rates for tilers and stonemasons in the set of industry rates that are over 2.5%:

    Tilers now have the second highest rate in Victoria - second only to stonemasons. WorkSafe Victoria has admitted this is mostly down to an increase in silicosis among tilers.

    The big question with tilers is: why now? There has not been an introduction of a radical new product, such as EQS into the industry, so what has gone on?

    It's also evident that the actual work safety practices of tilers have not deteriorated over the past five years or so (in fact, they've improved). Also, there have not been any radical innovations in how tiles are handled (except more wet saws, which is a good thing).

    So we've been left with one central suspect for the increase in silicosis: the tiles themselves. Have the tiles in use in Australia somehow increased their concentration of silica to the point where the safety of tilers has been endangered?

    One factor that indicates this may be the source of the problem is the commonly listed of ranges for silica content in tiles. The figures most often quoted for ceramic tiles is between 5% and 45%. That's one heck of a range. It would be evident that tiles with 5% of silica would pose a minimal risk, and those with 45% could pose a substantial risk for RCS. Less alarming, but still indefinite, porcelain tiles are typically listed as having a silica content between 15% and 25%.

    If we wanted to get more definitive data on silica content, we would need the sales figures from at least Australia's top two tile retailers/wholesalers for each line of tiles, along with the silica content of each of those tile lines. We would need that data for 2010, 2015 and 2020. Then we could compare how what we might call the "tile demand silica loading" varied over time, and draw conclusions as to whether the exposure had shifted.

    Unfortunately, though that data exists, there is no way we will ever get access to it. So, absent the perfect, "definitive" data, we need to see if we can develop some kind of "indicative" data in its place.

    What we came up with was this: we started with the tile products listed by several of Australia's top tile retailers, and downloaded all of the available product data sheets (PDSs) from their websites for current products. Then we processed those PDFs to extract three pieces of data: the product name, country of origin and declared silica content (where listed).

    What that provides us with is what we might call the "tile supply silica loading". There are a lot of caveats that come with this. It's likely that, as several tile suppliers were used, that some product lines will be repeated, with the same product being listed under different names. That could lead to over-representation of some tile lines.

    The other glaring problem is that, without adequate weighting for the number of tiles actually sold and installed, we could uncover higher levels of silica in tiles that had low distribution, and were thus over-represented. That's a very real problem, but as it turns out the tiles with higher levels of silica fall into a group that is know to be widely popular.

    The chart below shows two graphs. The doughnut graph on the left shows the proportion of tiles on sale by country of origin. The doughnut graph on the right shows the same data, but only for tiles with over 37% of silica content.

    Not only is a substantial portion of the high-silica tiles sourced from China, but taking all the low-wage producing countries together, they account for 73% of all the high-silica tiles (Spain is also a major contributor).

    So, one of the most likely scenarios is that, as tile imports from China - and other low-wage nations - radically increased from 2015 onwards, the tiles most tilers used in their daily work ended up increasing in silica content. That has meant that the safety practices most tilers learnt as apprentices prior to 2015 are simply no longer adequate for the materials they now work with.

    Analysis

    What the silicosis situation has done is to, once again, illustrate that the current relationships between industry, government bodies and unions representing trades is not in a good place. There has been a great deal of dithering over the past three to four years - while more tradies became ill with a disease that is not only devastating to the patients, but to their families as well.

    The decision to ban EQS is being portrayed as being equivalent to banning asbestos, even though the two situations are widely different. The ban on EQS is very evidently about how dysfunctional the industry/government link has become. The real solution was to convince trades to follow basic safety precautions when working the EQS. That failed. That has left only the current draconian solution.

    If there is a pathway back to a more sane situation, it may emerge out of the tile industry. There is no way to ban tiles, though there might be additional restrictions placed on tiles with more than 35% silica content. But overall the only solution is to mount an effective campaign that gets trades to better follow safe practices.

    bigbox

    Big box update

    Bunnings loses bid to change access plans to new Wagga site

    Neighbouring properties in Wollongong (NSW) owned by Bunnings have been sold and the two largest Bunnings stores in New Zealand are on the market

    Wagga City councillors recently voted to reject Bunnings' proposed amendment to its $24.9 million development on the corner of the Sturt and Olympic Highways in Wagga Wagga (NSW), reports The Daily Advertiser.

    The current approved plans for the 18,000sqm site allow customers to enter the site from Pearson Street and the Olympic Highway. But while customers may exit onto the Olympic Highway, council ruled light vehicles could not exit from Pearson Street when the development application (DA) was approved, citing "road safety and efficiency reasons".

    Bunnings asked council to reconsider, to allow light vehicles to conduct left-turns only onto Pearson Street. It also called for an extension to the median strip along Pearson Street, which would inhibit drivers from turning right at the location. (See more at the link.)

    Bunnings development proposal back before Wagga Council - November 2023

    Councillors rejected that option seven to one.

    While councillors agreed more had to be done to fix looming traffic issues when the new Bunnings store is built, there was disagreement on the best way forward. Tabling an amendment to defer the decision, Cr Richard Foley sought to allow more time for consultation, but Cr Rod Kendall argued the request should be put to bed.

    The meeting heard the council had received correspondence from Bunnings raising the prospect that if councillors deferred the amendment, the company would be open to negotiations. However, general manager Peter Thompson argued councillors could reject rather than defer Bunnings' DA request, a point backed by Cr Kendall.

    Cr Kendall argued it was important "the traffic issues be addressed holistically once and for all before [the new Bunnings] is built". He said with traffic issues seemingly the "only sticking point", rejecting the request would clear the way for another solution to be found.

    In its resolution against Bunnings' request, councillors also called on Mr Thompson to contact Bunnings and request discussions between it, council and Traffic for NSW. Cr Georgie Davies, who supported deferring, was the only councillor to vote against the final motion.

    Wollongong

    Sydney-based property development group, Level 33 has purchased adjoining sites in Wollongong (NSW) owned by Bunnings.

    Level 33 was the successful purchaser of the former site of the North Wollongong Bunnings store, located at 73-75 Gipps Street. That 2.73-hectare site was listed for sale earlier this year, and sold for $40 million.

    The Gipps Street site was sold by Perth-based company BWP Management Limited, the property trust which owns a number of Bunnings sites throughout Australia and is itself part owned by Bunnings' parent company Wesfarmers.

    The property was bought by the Trust in 2003 for $12 million. In mid-2022, Bunnings indicated they would be vacating the store when the lease expired in early 2023.

    Bunnings in North Wollongong to close - HNN Flash, September 2022

    BWP Management Limited managing director Mark Scatena said the Trust identified the best use for the site was high density residential redevelopment.

    More recently, the 5152sqm site at 60-72 and 74 Flinders Street was for sale via an Expressions of Interest campaign. Level 33 purchased this site for an undisclosed price. CoreLogic records show the site was owned by Bunnings Properties Pty Ltd, according to the Illawarra Mercury.

    Level 33 managing director Eddy Haddad told the Illawarra Mercury the plan had always been to purchase both sites. Mr Haddad said they had purchased the latest property to "connect it to our current site", in accordance with their plans for the Bunnings site, which were to create "a mixed use village".

    It will expand on what we've currently got there... To build off the community we're looking to build on Gipps Street.

    New Zealand

    Bunnings' biggest store in New Zealand, located in Westgate and seen as one of Auckland's fastest growing regions, is for sale. Bunnings' second-largest New Zealand store in New Lynn, is also for sale.

    Westgate

    Located at 21-33 Fred Taylor Drive, Westgate, the building has 16,001sqm of gross lettable area on a 20,724sqm freehold site. The main retail area spans 9278sqm, while there is a 1876sqm timber yard, 1093sqm building materials yard and a 1133sqm crop cover nursery. It is zoned Business-Mixed Use under the Auckland Unitary Plan.

    Surrounded by a host of national-brand tenants, the property is part of a prominent commercial development, which includes West Auckland's major retail and commercial hub and occupies a pivotal position in the heart of Westgate.

    As an emerging metropolitan centre, it is set to become the primary destination for the surrounding community.

    Next to the property, Universal Homes is actively developing 1400 homes with additional parks and walkways. Just 1km north a major development from the Hugh Green Group will cover approximately 256ha and include up to 8000 homes.

    Directly north, the Sonn Group is embarking on the development of their 27ha site, where they plan to construct 1800 terraced homes and apartments.

    New Lynn

    The Bunnings store in New Lynn is situated on a 2.2ha site. The property features a net lettable area of 10,722sqm made up of a large-format store and associated facilities including retail, timber yard, garden area, cafe, offices, canopies and inward goods area.

    The store services the high-growth catchment of New Lynn and was purpose-built for hardware retailer in 2014.

    Bunnings New Lynn is being offered via an international expressions of interest campaign, closing on December 6, unless sold prior.

  • Sources: The Daily Advertiser, Illawarra Mercury, Real Commercial, The New Zealand Herald (Colliers and JLL)
  • bigbox

    Big box update

    Bunnings developments in Wagga and Noosa

    Roy Morgan reveals the 2022 winners for customer satisfaction and Bunnings wins Hardware Store of the Year

    Almost four years since it was first released, plans for a $24.9 million Bunnings development on a proposed new site on the corner of the Sturt and Olympic Highway in Wagga Wagga (NSW) has been back before Wagga Council.

    The current approved site plans for the 18,000sqm site allow customers to enter the site from Pearson Street and the Olympic Highway. But while customers may exit onto the Olympic Highway, council ruled light vehicles could not exit from Pearson Street when the development application (DA) was approved, citing "road safety and efficiency reasons."

    Bunnings is now asking council to reconsider, to allow light vehicles to conduct left-turns only onto Pearson Street. It is also calling for an extension to the median strip along Pearson Street, which would inhibit drivers from turning right at the location.

    Bunnings regional manager David Williams said the business recently submitted a "proposed modification" to the DA to allow customers to exit the store via Pearson Street. He told The Daily Advertiser:

    This change is about creating a convenient access point which is something we know is important for the community.

    However, in a recent council report, it recommended the council reject the request, arguing approval is "not in the public interest". It gave several reasons including the move would "result in increased and unacceptable traffic impacts on the road network ... in particular on the performance, efficiency and safety of the roundabout at the intersection of Pearson Street [and] Edward Street."

    The report found impacts on that intersection would "accelerate the need for a substantial upgrade to this intersection, which would be at considerable cost to the community, and may result in removal of U-turn opportunities at this point."

    It said the solution to those impacts would be replacing the roundabout with traffic lights, but found funding for those works has "not been clearly identified." Further, it said the "modification is not supported by Transport for NSW." In a statement, a Transport for NSW spokesperson said:

    On this occasion, Transport advised the council it did not support this modification as the application did not adequately address potential impacts to the existing roundabout at the intersection of the Sturt Highway, the Olympic Highway and Pearson Street.

    In December 2021, Wagga Council approved an application for a new Bunnings development just 500 metres from its existing store. It was approved with the condition one of the only exits to the 400-space car park would be through Saxon Street - a small road which connects to the south side of the plot.

    Related

    Modifications requested for planned Bunnings Wagga store - HNN Flash, September 2022

    Noosa

    Noosa Council staff has recommended giving the green light to Bunnings' proposal to build an adjoining trade centre alongside its current warehouse store in Noosaville, QLD -despite it not meeting shire height restrictions and a councillor questioning the colour scheme.

    The council only allows local businesses to colour their building's exterior in "muted tones". That clashes with the traditional paint job sported by Bunnings Trade stores, which is white with green lettering. The matter came up for discussion at Noosa Council's latest meeting of its planning and environment committee in early October.

    It was also found the proposed expansion would be two metres taller than council's 10 metre limit, which Bunnings said was needed for its stock, noting that the build site is lower in elevation than the existing building.

    Council documents showed the 1087sqm two-level building would have parking on the lower level and a trade area on the upper level, according to the Sunshine Coast Daily. The documents state:

    The applicant intends to provide timber and trade supplies primarily to professional builders and trades customers and is expected to operate independently of the existing Bunnings Warehouse with no changes proposed to this store.

    Noosa Council staff recommended approving the development, with conditions. Planning acting co-ordinator Nadine Gorton said the trades supplies store had different branding, a different colour scheme and provided access for people with trailers.

    Noosa Councillor Brian Stockwell asked why the council staff was recommending approval for the building with certain characteristics.

    I wonder why we're going down a path of approving an aesthetic that is over height and is inconsistent in terms of colours to allow a business to once again do what the signing policy and signing law tried to avoid.
    Commercial enterprises will want the corporate colours spread over their buildings. In Noosa, we don't, we want what our scheme says, which is muted tones, and I think they could do better.

    Roy Morgan winner

    Research firm Roy Morgan polled 60,000 shoppers from around the country to find out which brands they loved best, and Bunnings took home the trophy for Hardware Store of the Year. Australia's most popular retail brands for 2022 include the following (in alphabetical order):

  • Auto Store of the Year - Supercheap Auto
  • Coffee Shop of the Year - Muffin Break
  • Clothing Store of the Year - Suzanne Grae
  • Department Store of the Year - Myer
  • Discount Department Store of the Year - Costco
  • Discount Variety Store of the Year - The Reject Shop
  • Furniture/Electrical Store of the Year - JB Hi-Fi
  • Hardware Store of the Year - Bunnings Warehouse
  • Chemist/Pharmacy of the Year - Chemist Warehouse
  • Quick Service Restaurant of the Year - Zambrero
  • Major Quick Service Restaurant of the Year - Subway
  • Liquor Store of the Year - Dan Murphy's
  • Shoe Store of the Year - Skechers
  • Sports Store of the Year - Rebel
  • Supermarket of the Year - Aldi
  • Roy Morgan chief executive Michele Levine said brands at "the forefront" of the country's rising cost-of-living crisis scored well in the survey. She said:

    The newest class of award winners in the retail categories have been at the forefront of dealing with the issue of cost of living amid high inflation and rising interest rates over the last year.
    As the country emerged from the pandemic restrictions during 2022, Australians went on an unprecedented spending spree which drove record retail sales and record profits for many retailers but also led to new challenges as supply chains were tested like never before.
  • Sources: Sunshine Coast Daily, News.com.au and The Daily Advertiser
  • bigbox

    Big box update

    Noarlunga Bunnings to move and re-open

    Bunnings store approved in Victoria and production begins at a timber and truss plant in Melbourne's west

    A Bunnings Warehouse in the southern suburbs of Adelaide is set to relocate to be part of a local retail hub with more space. The Noarlunga Bunnings store will close in early-2024, with a new branch opening in the Colonnades shopping centre. Bunnings regional manager Tom Miller exclusively told the Adelaide Advertiser:

    The proposed new store ... will feature an additional 1400sqm of retail space, a much-improved five-lane drive-through timberyard, as well as an additional 60 car spaces.
    The existing Noarlunga team will transfer to the new store, as well as the creation of around 20 new local jobs. Works have commenced at the new site to convert the vacant building into a Bunnings Warehouse, which is expected to open in the first half of 2024.

    Mr Miller said the current location will continue to operate until the new location is ready to open.

    Manor Lakes, Victoria

    A Bunnings store will be part of a new retail and trade supplies precinct in Manor Lakes, a Melbourne suburb located 33km south-west of the CBD, in the City of Wyndham local government area.

    Wyndham council's planning committee unanimously approved a development application for the construction of Manor Lakes Town Centre 2A.

    The proposal from Ranfurlie Asset Management involves a Bunnings store being built on the site at 485 Ballan Road, adjacent to Ranfurli's existing Manor Lakes Central shopping centre. Ranfurlie Asset Management CEO Cameron Male said:

    It will cement the precinct as a key retail and lifestyle asset for the area. Manor Lakes Central boasts over 75,000 visitations per week and is established as a retail & commercial focal point not only for the local community, but for the surrounding population.
    This development will generate construction jobs and inject increased dollars into the local economy with additional spend by workers and consumers alike.

    In the Wyndham Star Weekly, local councillor Pete Maynard said:

    This permit application will ensure timely access to goods, services and employment of in excess of 600 ongoing jobs and approximately 200 with construction to existing and future residents in the area.

    Along with construction jobs and Bunnings Warehouse, other large retail outlets, showrooms, restaurants, convenience stores and a service station are also expected to provide ongoing employment.

    Timber and truss plant

    Bunnings has begun production at a 31,000sqm just-in-time timber and truss plant in Truganina, a Melbourne suburb located 22.4km west of the CBD.

    When operating at full speed, it is expected to produce 2800 home lots -trusses and frames - a year, according to a report in The Australian Financial Review (AFR).

    It is part of the $75 million the hardware retailer is investing in plants to manufacture timber wall frames and roof trusses for houses, townhouses and low-rise apartment buildings.

    The plant at Truganina Business Park follows a similar one opened in outer Sydney's Minto in July and precedes a third due to open in south-western Brisbane's Wacol early next year.

    Bunnings plans to expand its footprint of frame and truss plants - HNN Flash, April 2022

    Bunnings is three years into a five-year plan to make its commercial business as big as the retail arm. As cited in the AFR, Bunnings chief operating officer for commercial Ben McIntosh is reported as saying:

    There was always a trade or commercial part of the business, but it was never the focus. We can do two things at once.

    According to the AFR, the strategy behind selling frames and trusses - which make up about 15% of the cost of a home - is that it establishes a supplier's relationship with a builder at the start of construction and makes it easier to sell other products throughout the typical nine-month construction process.

    Some analysts, such as Tim Moore from consultants Industry Edge, have seen fit to portray this as somehow being the first step towards pre-fab builds. While pre-fab certainly makes sense, it has long been much more of a demand problem - with tradies loathe to set aside their 1970s era production techniques - than a supply issue.

    It's also worth noting that pre-fab - if and when it comes at scale to Australia - is likely to be boosted by major investors in large mid-size to smaller large-size construction companies, while Bunnings has repeatedly asseverated that its target market is the same as that of the Independent Hardware Group (IHG): house-by-house builders working with small teams of sub-contractors.

    That said, it's possible Bunning might tap into a slight expansion of pre-fab as a shortage of qualified tradies becomes less a matter of better efficiency and more about just getting a build completed. As Mr McIntosh is quoted as stating:

    [Builders] are time poor, they need efficiency - it is harder and harder to get skilled labour on site, and it's getting more expensive.

    Bunnings managing director, Mike Schneider, has commented that the ongoing demand for more dwellings will help to fuel the bottom line at the big box retailer. However, if you look over the plans by Victorian government, and other solutions provided for the housing crisis, the more is towards larger, multi-dwelling construction - which will be the only way to supply affordable housing in Australia's major cities.

    That's a category which Bunnings (and IHG) have all but excluded themselves from. Certainly, there will be ongoing strength in single-house builders, but it's not going to be quite the boom for retailers that many seek to portray this as.

  • Sources: Adelaide Advertiser, Wyndham Star Weekly, The Australian Financial Review and The Age
  • bigbox

    USA update

    Lowe's solution to increasing theft

    CEO Marvin Ellison has attributed low theft rates at the home improvement retailer to investing in the company's workers

    Like many retailers, home improvement retailer Lowe's has reported increased losses from missing or damaged inventory over the past few years, reaching nearly USD1 billion by one estimate.

    But unlike dozens of other retail executives, Lowe's CEO Marvin Ellison said the losses from retail theft this year are not expected to have a material impact on the company's profits. Speaking at Goldman Sachs Global Retailing Conference recently, Mr Ellison said:

    It is one of the areas of the business that we're most pleased with as a major big box retailer.

    Lowe's inventory shrink as a percentage of sales last year was just over 1% - at the low end of the typical industry range of 1% to 1.4% - and that's after an uptick from a 2016 low of 0.57%, based on an analysis by CNBC. Mr Ellison highlighted technology investments and his stores' more rural and suburban locations as factors that help reduce shoplifting and organised retail crime.

    More than the cameras, sensors, and secure merchandising displays, Mr Ellison said investing in human capital provides the most bang for retailers' buck in keeping crime out of stores.

    Having spent my entire adult life in retail at every level, the one thing that I understand clearly is that the greatest deterrent for any type of theft activity is effective customer service.

    In other words, having more employees engaging with customers in stores goes a long way toward preventing losses.

    Earlier this year, Mr Ellison said Lowe's spending on employee compensation had increased by USD3 billion since 2018, and would grow by another USD1 billion over the next three years. He also said that Lowe's is the highest-paying retailer in certain smaller markets.

    Joe McFarland, executive vice president of stores at Lowe's, said in another interview:

    We are awarding over USD100 million in bonuses for our frontline hourly associates in recognition of their hard work and dedication during the second quarter. Our investments in our associates are paying off as we continue to elevate the customer experience with a 200 basis point improvement in both our DIY and Pro customer service scores this quarter as compared to last year.

    Lowe's spends "a lot of time" training employees, Mr Ellison said, and he described the company's asset protection team as "best-in-class in retail." Strong local partnerships with law enforcement also factor into the equation.

    So when you take all of those things together, they've been incredibly beneficial to us even in the second quarter. It's a difficult environment - I've never seen anything like it - and we're incredibly pleased that we're able to have a differentiated performance relative to the other major retailers.

    Related

    Curbing retail theft - HNN Flash, June 2023
  • Sources: Business Insider and Infotech Lead
  • bigbox

    Bunnings full-year results FY2023

    Gains are subdued

    With inflation taken into account, Bunnings contracted over FY2023. This is most likely due to contraction in DIY sales over the second half of the year.

    Wesfarmers released its results for FY2023 on 25 August 2023. Overall revenue was $43.6 billion, up by 18.2% on the previous corresponding period (pcp), which was FY2022. Excluding the acquisitions making up Wesfarmers Health, revenue was up by 7.4% on the pcp to $38.2 billion. Net profit after tax (NPAT) was $2.5 billion, up 6.3%.

    While HNN will be providing a full analysis of the results for Bunnings in the next edition of HI News, we will provide a brief look at the results here.

    For the company's Bunnings division, revenue was $18,539 million, up by 4.4% on the pcp. Earnings before interest and taxation (EBIT) was $2345 million, up by 1.2% on the pcp. Store-on-store (comp) sales growth came in at 1.8% for FY2023, down from 4.8% in the pcp.

    In his opening remarks, Wesfarmers managing director Rob Scott stated:

    Bunnings delivered solid sales growth reflecting the resilience of demand across its offer and strong execution of its strategic agenda. Bunnings again demonstrated its capacity to grow its proposition and addressable market whilst maintaining strong returns during the year.
    This included the successful pets launch and continued advancement of their whole of build commercial strategy. Bunnings also continues to make significant progress on its digital agenda with increasing engagement through the Power Pass app, Bunnings marketplace and OnePass and Flyby programs.

    These remarks were later followed up by Wesfarmers CFO Anthony Gianotti:

    Bunnings sales growth of 4.4% was supported by growth across both consumer and commercial segments. Bunnings continued to demonstrate the resilience of its operating model with all trading regions delivering sales growth for the year. Despite the impact of prolonged wet weather across the east coast during the 2022 spring trading season, Bunnings sales were supported by continued building activity and robust demand from commercial customers, which was offset by slightly lower consumer sales.
    In the second half, Bunnings has seen some good consumer demand continue for necessity products that support recurring home repairs and maintenance and for smaller scale DIY projects. But compared to the second half last year, consumers have demonstrated a more cautious approach to bigger ticket purchase decisions and the commencement of larger projects. Overall, Bunnings earnings of $2.2 billion represented an increase of 1.2% or 1.9% after excluding the net impact of property contributions. This result continues what has been a remarkable period of growth for the business with earnings up 42% since 2019.

    Analysis

    It is somewhat predictable that after the strong growth across the major COVID-19 years, Bunnings would see some decline in growth for FY2023. Given the inflationary background to these results, there is little doubt that these results represent a net contraction.

    That is highlighted by the growth of comp sales of 1.8%, while the background sales growth for hardware retail was 4.3%, according to Australian Bureau of Statistics (ABS) numbers. This most likely reflects a stronger contraction in DIY-based sales over the second half of FY2023.

    It is notable that for the year penetration of online sales is now at 1.7%, down from 3.0% in the pcp.

    bigbox

    US update

    Lowe's tops quarterly estimates, slightly misses on revenue

    Spending on small-scale repair and maintenance work has helped Lowe's counter a fall in demand for big-ticket items, amid a challenging housing market and inflation

    Home improvement retailer Lowe's reported mixed results for its second quarter as US consumers tackled springtime projects and helped offset weakening home improvement demand.

    A delayed spring season pushed demand for goods such as garden equipment and outdoor supplies into the quarter from earlier in the year.

    In addition to spring projects, Lowe's said it got a lift from online growth and momentum with home professionals.

    As a result, the company topped Wall Street's earnings estimates, but fell slightly short of expected sales.

    Revenue reached USD24.96 billion compares to the expected USD24.99 billion. Net sales fell from USD27.48 billion a year earlier.

    Comparable sales in the second quarter decreased 1.6% but that is better than the 2.6% decline that analysts expected, according to FactSet.

    Lowe's has been working to attract more home professionals, which tend to be bigger and more steady spenders. Only about a quarter of Lowe's sales come from home professionals, while they account for about half of sales at Home Depot.

    On a call with investors, chief executive Marvin Ellison said those professionals tell Lowe's that they still have a healthy amount of projects in the pipeline. That helps drive purchases of paint, plumbing tools and more.

    But after a period of higher costs and out-of-stock items, falling prices are now contributing to lower sales, Mr Ellison said. Not only have timber prices dropped significantly, but appliances have come down in price, too.

    Mr Ellison also said Lowe's feels good about the long-term outlook for home improvement because of the older age and low availability housing in the US. But, he added, the business will have a tougher time in the short term.

    When you look at consumer sentiment, we noted that we're seeing a pullback in DIY discretionary spend. And that's really for us the overall theme of how we see the second half of the year.

    Mr Ellison added he expects Lowe's to outperform the home improvement market in the second half of the year "irrespective of what the macro environment presents," citing strong online sales and growth in the company's Pro-customer business that caters to professional builders, contractors and handymen.

    While the pro-customers were working on slightly smaller projects, they still had a healthy backlog of projects left, Mr Ellison noted.

    Rural offering

    In May, Lowe's announced "a new one-stop shop concept" tailor made for shoppers living in rural communities. New or revamped stores would cater to that market's indoor and outdoor needs with expanded product categories in pet, livestock, trailers, fencing, utility vehicles like ATVs, clothing and specialised hardware.

    The company's enthusiasm for pushing aggressively into smaller rural communities comes as its sales in larger metropolitan markets have slowed as the pandemic emergency has come to an end.

    Lowe's told analysts that it had piloted the rural store concept a year ago with successful results and has been expanding the idea into existing Lowe's stores, primarily in the South, Midwest and Northeast throughout the US summer. Mr Ellison said:

    While in years past, our penetration of rural and remote stores was viewed as a competitive disadvantage, we now expect that these stores will be a key component of our operating profit growth over the next 3 to 5 years.

    Lowe's said it was scaling its rural store format to as many as 300 additional stores by year end for rural customers. Mr Ellison said:

    When we look at the pilot stores where we've been very diligent on going after those specific categories of apparel, farm and ranch types of items as part of our expansion opportunity, we actually saw sales per square foot improve.

    More recently, he told CNBC:

    I grew up in a town of less than 10,000 people with two stoplights, and I lived 12 miles in the country from the 10,000 people, so I understand the rural experience really well, and this is passion project for me. Our goal is to give these customers a one-stop shopping experience.

    Mr Ellison said he heard from customers in rural areas that they sometimes had to travel to multiple locations to find products they needed, especially related to pets and livestock. In late July, Lowe's said it was expanding its store-in-store pilot program with Petco, aiming to give customers easier access to pet supplies.

    We have the unique ability to execute both urban and rural and do it in a way when a customer walks in, it feels like their hometown store.
  • Sources: Reuters, CNBC, Business Insider and CNN
  • bigbox

    US update

    Sales drop at Home Depot in Q2 - but still above forecasts

    Spending on home improvement will be down overall this year, according to one analyst. There are signs that American consumers, after spending big on homes during the pandemic, are slowing their roll.

    The Home Depot announced another quarter of declining sales, but it was a dip that was expected as the company works through what executives called a post-pandemic "settling". During a teleconference, chief executive Ted Decker said:

    We look at 2023 as a year of moderation after the explosive growth we had in the last few years.

    The home improvement retailer beat profit and sales expectations in its second quarter, but sales continued to decline as inflation and interest rates play a larger role in the spending choices made by Americans.

    Comparable sales, which strip out the effects of store openings and closings, fell 2% rather than 3.9%, as had been expected by analysts polled by FactSet.

    In the US, consumers have been pulling back their spending on home improvement after more than a decade of large demand, which accelerated during the pandemic as people spent more time in their homes and spent less money on services.

    Spending on major projects continues to weaken as customers opt for smaller renovations, either because they already completed a larger project during the pandemic or because they are waiting for interest rates to soften before breaking ground, executives said.

    Customers are also buying fewer big-ticket items such as patios and appliances. Sales of items costing USD1,000 or more were down 5.5% during the second quarter. In a statement, Mr Decker said:

    While there was strength in categories associated with smaller projects, we did see continued pressure in certain big-ticket, discretionary categories.

    As the pandemic faded over the past two years, Home Depot has relied on fewer, higher-dollar transactions to lift its top line. Growth in Home Depot's average ticket size fell flat in the first quarter and was flat again in the second quarter, though the decline in transaction count moderated compared with previous quarters to 1.8%. Part of that decline was attributed to deflation in core commodity categories.

    The home improvement retailer also reported that its Pro sales outperformed DIY in the second quarter. However the company said that Pro sales performance was "slightly negative" this quarter, as backlogs for Pro orders start to decrease.

    Despite its above-expected second-quarter sales and signs that project demand is still healthy, Home Depot is refraining from revising guidance while the winds of consumer spending continue to shift, Mr Decker said.

    We don't know how quickly or further the share shift in [personal consumption expenditures] will occur and where spending in home improvement in particular will ultimately settle.

    Many concerns remain, including the Federal Reserve's campaign to chill inflation with interest rate hikes.

    The company posted a profit of USD4.66 billion for the quarter, down from USD5.17 billion last year. Sales slid 2% to USD42.92 billion, topping analyst forecasts for USD42.19 billion, according to FactSet.

    Home Depot reiterated its guidance for sales and comparable sales to fall 2% to 5% from the previous year. Management lowered its financial forecasts when it reported first-quarter results, which helped reset expectations.

    The US housing market is making a sluggish recovery, with higher interest rates keeping potential buyers on the sidelines. Add in the effects of inflation, and people are less eager to invest in home-improvement projects, according to Wedbush analyst Seth Basham.

    Harvard's Leading Indicator of Remodelling Activity predicts that annual expenditures for home improvement in the US will decline at an "accelerating rate" through the first half of 2024.

    But Mr Decker said the company remains positive on the medium-to-long term outlook for home improvement and its ability to grow share in a fragmented market. There may still be some caution, but there's no economic reason to panic, he said.

    The overall economy and the consumer in particular have remained incredibly resilient.

    Home Depot has 2,326 retail stores, the vast majority in the US, and more than 470,000 employees.

    Related

    In May this year, the company projected that its sales this year would be between 2% and 5% less than the previous year's.

    Home Depot in a "transitional" year - HNN Flash, May 2023

    In 2022, The Home Depot posted its first annual sales decline since 2009.

    Home Depot results FY2022/23 H1 - HNN Flash, August 2022
  • Sources: The Atlanta Journal-Constitution, Wall Street Journal and Barron's
  • bigbox

    US update

    Home Depot's CIO discusses the role of technology post-pandemic

    The home-improvement retailer aims to increase and better serve its professional customers at a time when DIYers are pulling back on their projects

    In an interview that appeared in the Wall Street Journal (WSJ), chief information officer at Home Depot, Fahim Siddiqui talked about how technology is vital to the retailer's future as it looks to expand its base of professional customers, and take advantage of generative artificial intelligence.

    It comes at a time when Americans are curbing their spending on home improvement, and Home Depot has warned that annual sales will fall for the first time since 2009. In May, it reported a 4.2% decline in revenue to USD37.26 billion.

  • WSJ: Go through a little bit of what happened during the pandemic, and how technology helped you get customers what they needed.
  • Mr Siddiqui: Since we were open and our stores were open, we had to also invariably connect what traffic we saw in dot-com, to what we saw in supply chains, to what we saw in our stores. We did not have curbside delivery until then, and we went and built curbside delivery capabilities in a matter of days and deployed it to our stores.

    Now, in theory, curbside delivery sounds pretty simple. I put an order in and somebody delivers that order to me. But in the back end, it's complicated because you have to take the order, process the order, home it into the correct store, then create the work order within the store to pick up the appropriate order, stage it, and when the person does arrive, connect them again to have the associate deliver the order to that vehicle.

    You can see how many things have to possibly come together across a varied platform and multiple applications.

  • WSJ: How does the Home Depot mobile app drive what you learn about customers, and how you guide them to the right products?
  • Mr Siddiqui: We look at the app as a competitive differentiator for us, and we provide specific journeys within that for our customers. If you look at the highest level, our DIY customers constitute half of our business, and our [professional] customers constitute half of our business.

    We have customised the actual user experience based on the needs of the DIY customer who might be more interested in browsing and searching.

    I was showing the app to somebody and we were at a dinner table, which had a sunflower in the middle. So I took an image of the sunflower and the app went and found everything that looked like a sunflower from our inventory. Unfortunately, in this case, they were all plastic, but that's what we sell in stores.

  • WSJ: How do you view technology's role in supporting the health or continued growth of the business?
  • Mr Siddiqui: Our growth story, first of all, really focuses on building the capabilities for complex order management, for trade credit, for delivery that will meet the needs of our [professionals] that are looking for a planned purchase event.

    Next, customer experience. We do the best job that we can on customer experience, but we also know there are so many more opportunities in the customer journey to take friction out and be the preferred provider. As of last year, we transitioned a hundred percent of appliance deliveries to our network [rather than outsourcing to external distribution centres]. Are we perfectly good and great at it? No. We believe we have opportunities just in that one instance.

    We are continuing and we will continue to make appropriate technology investments. As we have shared, our target is to invest 2% of our capital into new capabilities, be it new stores, be it technology.

  • WSJ: What are you personally excited about in retail technology?
  • Mr Siddiqui: I'm very excited about the power of generative AI, and AI becoming a core part of our technology stacks, both in terms of browse, search, call centres, what associates have in their handhelds. So that they can anticipate, have the productivity, and really be supportive and helpful - be it the chatbot we write, be it the application, or the device that our associates have in their hands.

    Related

    Home Depot technology renews focus on customers - HNN Flash, April 2022
  • Source: Wall Street Journal
  • bigbox

    HI News 7-02: Wesfarmers Strategy Day

    A personal remembrance of Graeme Danks

    This edition includes a deep dive on the Wesfarmers Strategy Day and a perspective on the recent passing of Graeme Danks

    The Wesfarmers Strategy Day 2023 introduces some new elements to Bunnings.

    The following is an excerpt:

    It seems likely that Australia is entering into a period when its relationship to its past commercial history is changing. One aspect of these shifts is that the immediate strategies of Bunnings - which are important to the overall hardware market in Australia - are set to become more entwined with the overall functioning of its parent, Wesfarmers.
    That's not to say that there's been much of a shift in responsibilities, as Wesfarmers managing director Rob Scott made clear. But, with the advent of OneDigital, which combines responsibility for OneData, its analytics workshop, along with OnePass, its customer loyalty program, the conglomerate now has a somewhat different stance when it comes to facing the future and developing new strategies.
    From HNN's perspective, a strong undercurrent to the Strategy Day was the early development of a conversation between the investment analysts and Wesfarmers' management about those new strategies. That discussion is being driven by two main factors: the increasing importance of the digital in accessing markets (including less-digital markets); and the maturation of the Wesfarmers retail business model, which brings with it a reduction in its structural (therefore exponential) growth potential.
    Download HI News 7-02

    Graeme Danks

    The following is an extract from the main story:

    As a business, Danks always wore "hardware" on its heart because of the independent retailers in the group, and was known for a culture of "sticking to its knitting" that helped it to deliver successive earnings growth.
    When Woolworths announced the acquisition of Danks in 2009, it was a distributor and marketer to 583 Home Timber & Hardware, Thrifty-Link Hardware, and Plants Plus stores as well as 939 other retailers.
    For Graeme Danks, it meant his family's unbroken 150 years' ownership of the company that bears his name had ended.
    Download HI News 7-02
    bigbox

    Big box update

    Bunnings' new operating model

    The hardware retailer has been named as a litigant in a writ filed to the County Court regarding a fatal incident that involved sub-contracted security guards at one of its stores

    Bunnings announced it has restructured its senior management team, taking out a layer of eight "regional manager" roles.

    In the new structure, according to The Australian, Bunnings managing director Mike Schneider will have a director of store operations reporting directly to him, who in turn will have a larger pool of general managers and area managers that then feed into store managers across its 352 outlets.

    Mr Schneider said the latest restructure would be good for local Bunnings store managers, and give a greater voice to store teams as they pass on to senior managers what customers want. In The Australian, he said:

    This supports our low-cost operator model, ensures a stronger voice for our team, simplifies communication and enhances execution across our network. Post-pandemic, this design will help enable deeper engagement with our store teams and in turn a more consistent customer offer.

    The number of redundancies is expected to be less than 10, with executives offered redeployment opportunities. Mr Schneider said:

    We can confirm this will not affect our team working in stores and will simplify their reporting lines. Overall, our team continues to grow as we actively recruit roles across our store network to ensure we are offering customers the best experience.

    Bunnings will also cut 100 jobs from its New Zealand head office as way to increase efficiency as consumers slow down their spending and seek lower prices. The hardware retailer plans to cut staff in areas such as finance, human resources, merchandise, marketing and retail operations.

    Mr Schneider said the restructuring would not affect the more than 5000 employees at store level or its trade centres and distribution outlets in New Zealand. He told The Australian Financial Review (AFR):

    We continue to be absolutely committed to the New Zealand business and its growth and success. We have really thought about this, and it's about improving the operating model and about leveraging scale and cost. We see this very much as helping drive more simplicity and more group alignment [between the Australian and New Zealand business.]

    The New Zealand business will still have localised buying and marketing.

    The most recent restructure follows a round of redundancies in late 2022 across Bunnings' national support centre and head office in areas such as training, communications and other support services.

    Bunnings planning staff cuts: report - HNN Flash, November 2022

    Bunnings' efforts to flatten its corporate structure comes at a time when consumers face tougher economic times and inflationary pressures.

    The move also comes as Bunnings doubles down on projects to boost efficiency and use of tech to help staff spend less time on tasks like locating stock and refreshing price tickets. Mr Schneider told The Age:

    We're continuing to work really hard to find innovative ways to boost productivity and efficiency across our business.
    We've invested in a number of tech-based projects that are helping us achieve this, aimed at reducing the number of hours our team spend on task[s] and reinvesting them into customer service.
    This investment, coupled with the small changes we've made to our operations team, all comes down to simplifying our business. Our goal is to help our store and support teams become more efficient, productive and streamlined, leading to an even better experience for customers.
    We know that simplicity can be a really powerful asset in retail, which is why it's a real focus for us moving forward.

    At Wesfarmers' strategy day in May, Mr Schneider told investors that the group had used technology to remove or redeploy 2.4 million hours of "task time" since 2020.

    Bunnings Strategy Day 2023 - HNN Flash, June 2023

    Bunnings has been trialling electronic shelf labels to save hours spent updating paper tickets, and has run trials using robots in store to scan aisles overnight and work out what stock needs replenishing.

    Big box update: In-store robots - HNN Flash, June 2023

    Court case

    In September 2016, Anthony James Georgiou, had allegedly stolen a gas cylinder and saw blade when he was tackled to the ground by subcontracted loss prevention officers Abdul Habib Brenzai and George Oyee at Bunnings Warehouse in Frankston (VIC).

    He was restrained while they waited for police but fell unconscious before he was taken to hospital, where he died later that day, according to the Herald Sun.

    Mr Georgiou's daughter, who the newspaper has chosen not to name, has launched legal action against the security guards, claiming her father died as a result of a prolonged assault which was "intentional, reckless and/or negligent".

    In a writ filed to the County Court, the daughter accuses the security guards' employer New Security Solutions Group of negligence for failing to properly train or supervise the men.

    Bunnings has also been named as a litigant for allegedly failing to provide the security guards and their employer with the hardware company's Code of Conduct which outlined their obligations when detaining people.

    In her claim, Mr Georgiou's daughter says she is seeking compensation for injury, loss and damage that resulted from her father's death. In a statement to the Herald Sun, Mr Georgiou's family said his death had left them "burdened with indescribable pain and sorrow".

    Slater and Gordon Public Liability Lawyer Neha Pratap said dependants of a person who had died due to the negligence of others were entitled to compensation.

    My client, through her litigation guardian, is exercising her legal rights to compensation following father's death, which we say was avoidable.
    This is also an important public safety issue given a person was placed in a situation of danger that would have been avoided had the defendants taken reasonable care in the circumstance.

    Bunnings director of store operations Ben Camire said the company would defend the allegations.

    We've previously extended our sympathy to the Georgiou family. This matter is currently the subject of legal proceedings which we'll be defending. As we've maintained through the extensive process to date, there's nothing more important to us than the safety of our team and our customers.

    Bunnings said it expected its contracted security providers to employ people who had undergone industry training, held required licenses which are registered with the overseeing government department in Victoria and to monitor the delivery services provided by its staff.

    Last year, coroner Darren Bracken found Mr Georgiou's use of methamphetamine, his weight and a pre-existing heart condition contributed to his death, but he would still be alive had he not been detained by the security guards.

    Related

    Coroner reports on Bunnings-related death - HNN Flash, September 2022

    Property developments

    The Bunnings store in the inner Melbourne suburb of Collingwood has been sold to a private investor for about $65 million.

    The 7000sqm store attracted offers from seven private investors and sold unconditionally just three days into an expressions of interest campaign. Based on annual income of $3.12 million, a $65 million purchase price would translate into a relatively tight yield of 4.8%.

    Yosh Mendis from Burgess Rawson said the sale achieved the third-highest price paid for a freestanding Bunnings in Victoria after a 21,670sqm Hoppers Cross store sold for $79 million on a 3.95% yield last year and fund manager Newmark Capital paid $85 million in 2021 for an under-construction 18,626sqm warehouse in the Melbourne suburb of Preston on a yield of 4.4%.

    Related

    The 7000sqm Bunnings site in inner-city Collingwood in Melbourne is expected to sell for about $65 million - HNN Flash, June 2023

    The former site of the North Wollongong Bunnings store has also been placed on the market, according to a report in the Illawarra Mercury. It is owned by Perth-based company BWP Management Ltd.

    The 2.73-hectare site, located at 73-75 Gipps Street, is being marketed as "a significant development proposition poised to become a major residential mixed use apartment development".

    Bunnings announced the store's closure in September last year with its final day of trade in January ahead of the lease expiring in March.

    Related

    Bunnings in North Wollongong to close - HNN Flash, September 2022
  • Sources: The Age, The Australian, Herald Sun, The Australian Financial Review and Illawarra Mercury
  • bigbox

    Big box update

    Bunnings Wonthaggi is open

    Preston store welcomes customers, challenges of selling pet care goods in WA stores, and valuing older workers

    Bunnings has opened doors in a new location in Wonthaggi, around 132 kilometres south-east of Melbourne. It has replaced the existing store.

    Expanding from a two-lane, to a four-lane fully enclosed trade drive-thru, the new 9,000sqm store is designed to have more stock in weight and width, according to The Sentinel-Times. For example, the Wonthaggi outlet has increased its pets range from a three bay offer to 12 bays, and the electrical department has expanded to three aisles.

    The hardware retailer has also invested in the size and scope of the nursery with a separate entrance and service area.

    For the local community, one of the biggest draw cards is the addition of the playground and cafe. The leisure area adjacent to the cafe has been expanded to approximately five times bigger than the original site; inclusive of outdoor furniture, gazebos, and BBQs.

    The store will have a range of sustainability initiatives that will reduce its environmental impact including a major solar PV system on the site roof with 366 panels, a 240,000-litre water tank for the nursery as well as energy-efficient heating, cooling, and LED lighting.

    Bunnings Wonthaggi complex manager Chris Deacon said they were proud of the team's performance. They have not only kept the other store running at 110% pace, but managed to put the new store together in just four weeks. He told The Sentinel-Times:

    We know the community are excited to have the bigger store in town and our trade specialists have had a lot of interest from local trades and commercial builders and they're really looking forward to the increased offer we'll have available in-store.

    As part of the store opening celebrations, the Wonthaggi team offered hands-on support to community groups. This included assisting with repair works at Pound Creek CFA's station and amenities, as well as lending a helping hand in the garden at Inverloch RSL and Wonthaggi North Kindergarten.

    Bunnings Wonthaggi is located at the corner of McKenzie Street and White Road.

    Bunnings Preston

    Prior to the new Bunnings Preston store officially opening in Melbourne, managing director Mike Schneider gave the Australian Financial Review (AFR) a tour of what it had to offer.

    The store measures 18,000sqm across two levels, and key differences include a pet products aisle and battery-powered garden tools that customers can shop by brand (rather than comparing 10 different hedge trimmers).

    For future growth. Mr Schneider pointed to the cleaning aisle of the new Preston store. Similar to pet products, expanding the cleaning range gives Bunnings the potential to increase the frequency of customer visits (given many cleaning products are consumable) and tap into different customer groups, according to the AFR.

    This comes at a time when shoppers could also be turning to online giant Amazon for discount home essentials as the e-commerce retailer continues to expand its range of home and leisure products.

    In the Sydney Morning Herald (SMH), Amazon Australia country manager Janet Menzies said its "Subscribe & Save" program - in which users can get 10% off regular orders of products like soap, beauty goods and pet care - has been a hit with shoppers.

    Ms Menzies said Amazon Australia had seen a 60% increase in subscription deliveries over the past year. Its growth comes as the retail sector grapples with changing consumer behaviour, with shoppers modifying their spending habits, seeking out the best bang for their buck in the most convenient way possible, according to the SMH.

    The major supermarkets and everyday retailers have also been developing their own delivery subscription models over the past two years. Bunnings' owner Wesfarmers is doubling down on growing its membership program, OnePass, which offers free delivery on a range of its brands and the option to bundle in a Disney+ subscription for one monthly fee.

    With rising costs spurring Australian shoppers to seek out the best value, retail analysts believe Amazon has cemented its position as a key platform for bargain hunting. Jarden analysts have said:

    Amazon is increasingly the first point of call.

    Most at risk remain the office, electronics, fashion, house and garden, and recreation categories, they added.

    UBS said the impacts of COVID explained in part a greater swing away from big ticket items now, with a trend during the height of the pandemic to buying goods and items associated with the home. This naturally tailed off as lockdowns eased, but the effect was being amplified by cost-of-living pressures. It said:

    Home improvement spending intentions remain elevated but are starting to moderate.

    Related Bunnings Preston

    Bunnings Preston store being built - HNN Flash, May 2021

    Management

    Mr Schneider said he is preparing the business for a new environment, where smaller decisions about how best to use Bunnings' floor space and website to find incremental growth and improved productivity is more important. He told the AFR:

    We're not all about just driving sales. We've got to be productive in terms of people, productive in terms of inventory and simple in what we do. When you're a more efficient business, then your ability to drive the middle of your profit-and-loss statement to deliver a better outcome is there. But it also gives you a level of resilience if the economic outlook is a bit uncertain.

    After the hectic period during the pandemic - staff numbers have grown from 45,000 before the pandemic to about 58,000 today - Mr Schneider has simplified the Bunnings agenda for the year ahead to focus on four main areas: care for staff (who've been hit with a wave of violence from customers); improving supplier partnerships; building sales to commercial customers from the current level of 40% of total sales to about 50%; and finding supply chain improvements, including trialling local delivery directly from some of the group's 397 stores, using store staff.

    This is in part a response to rising delivery charges and more regulation for the gig economy. Mr Schneider said the early success of the local delivery trials and the introduction of pet products has helped drive a fresh wave of momentum after the exhausting pandemic period.

    There's huge energy and appetite because we can see very tangibly a lot of our planning on this stuff is coming alive. It gives us the confidence to go again.

    WA stores

    Bunnings discovered it can only sell pet products in in two of its 38 stores in Western Australia as a result of the state's shopping laws.

    Despite Bunnings being allowed to open from 6am to 11.30pm every day, it can only sell pet goods at its Bunbury and Armadale stores, according to The West Australian.

    The confusion governing WA's trading hours has prompted Mr Schneider to call for change. He told The West Australian:

    Under the trading rules we choose to open most of our WA stores with extended hours because we know customers and tradies need access to essential home repair and maintenance products.
    However this option does put some constraints on what we can offer our WA customers, like being unable to offer items from our new pets range at these stores. I think it's a logical time to look at the rules again and we'd welcome this.

    Ironically, West Australians can order from Bunnings' pet range online - as long as it's from a store interstate. Mr Schneider said:

    If a customer in WA wants to purchase products from our range that we're not able to sell in-store, they can order it online for home delivery. But it would need to be fulfilled by a store and team from a different part of Australia.

    The majority of Bunnings stores in WA trade under special retail "domestic development" trading regulations, which allow them to trade from 6am to 11.30pm every day of the year. However, Bunnings stores licensed to operate 6am-11.30pm have restrictions on what they can sell. This means not being able to offer its pets range. Selling indoor lighting is also out, although outdoor lighting is allowed.

    Bunnings' Bunbury and Armadale stores trade under a "general retail" category, which enables them to stock their full range, including the new pets range. But these stores are subject to shorter trading hours.

    Outside WA, relatively unrestricted shopping laws have meant pet goods can be offered in Bunnings stores.

    The WA Liberal Party is positioning itself to make shopping hours an issue at the 2025 State election.

    Older workers

    Bunnings has recently been praised for its long-time efforts to recruit older workers, aged over 50.

    University of South Australia's Professor Carol Kulik said Bunnings understands the value of older workers. Thirty per cent of its store workforce are aged over 50 and 14% are over 60. Bunnings chief people officer Damian Zahra told The Age:

    We learnt a long time ago that these team members play an integral role in creating a great place to work and providing our customer the best experience. They often have significant life, industry and trade experience, which makes them a wealth of knowledge for both our customers and wider team.

    To ensure age is not a barrier to employment, Bunnings adopts a flexible recruitment process, which includes accepting resumes dropped off by walk-ins (ideal for the non-tech-savvy), job ads on in-store posters and videos featuring stories of some of its long-tenured team.

    Flexible rostering and tailored support are part of a retention strategy, and younger workers are regularly encouraged to turn to older colleagues for advice. Mr Zahra said:

    By sharing their knowledge, skills and life experiences, our older team members often become great mentors to their younger teammates.

    When it's time for a Bunnings worker to retire, a "Retiring Well" program provides a tailored pathway that includes options for a gradual reduction in hours over time and advice on how to enjoy financial, emotional and physical wellbeing in retirement.

    Given that older workers are often some of the most productive in the workforce, Ms Kulik believes organisations with proactive policies in place will reap rewards. She said:

    The research emphasises that ageism isn't just about denying older people access to jobs. Ageism is also about expecting older people to do jobs in exactly the same way, at exactly the same pace, as younger people.
  • Sources: Sentinel-Times, Australian Financial Review, Sydney Morning Herald, The Australian, The West Australian and The Age
  • bigbox

    US update

    The Home Depot moving to rechargeable OPE by 2028

    This transition will reduce over 2,000,000 metric tons of greenhouse gases annually from exhaust pipes of residential lawn equipment

    US home improvement retailer The Home Depot has announced it plans to shift to rechargeable outdoor power equipment (OPE) by the end of fiscal 2028. This means that more than 85% of the company's sales in outdoor power equipment, such as push lawn mowers and handheld outdoor equipment like leaf blowers and trimmers, will run on rechargeable battery technology instead of gas/petrol.

    The company said this transition will also reduce noise pollution and make neighborhoods cleaner and quieter.

    To reach its goal, The Home Depot will offer cordless outdoor power tools from brands such as Ryobi, Milwaukee, Makita, DeWalt and more. These brands are committed to building rechargeable tools that deliver the power that customers have come to expect from gas-powered equipment and the run times they need to complete a job, all with less noise, less maintenance and easier start ups. In a statement, Ron Jarvis, chief sustainability officer for The Home Depot, said:

    By working with our suppliers to bring innovative and sustainable products to every aisle of our store, we can help our customers create more sustainable homes and workplaces.

    Mr Jarvis also told The Cool Down website that the move is a win-win. He said:

    We all have houses, we all have neighbours. The carbon emissions are one thing, the noise pollution is another. If you can solve both of those things with one change, that's a win.

    And he was initially a sceptic about going electric himself. He explains:

    I thought, if I buy this electric chainsaw, there's no way I can do what I normally do. Well, I was completely surprised. The torque and the power you get with these electric tools are just as good, maybe better, than the gas-powered. So the customer gets the attributes they're used to with gas-powered equipment.

    Now Mr Jarvis is on a mission to make The Home Depot's offerings cleaner and healthier for consumers. He said:

    Today, most customers do the reviews and the research. And they see a lot of these products have great reviews...

    The fact that customers can get a comparable - if not better - product at the same price point while reducing pollution led to The Home Depot's decision.

    Electric equipment also requires less maintenance, on top of being far quieter than their gas-powered counterparts. Mr Jarvis told The Cool Down:

    The customer is not going to be smelling these fumes, not going to have to send it to the repairman, they'll have a more pleasant experience.

    The Home Depot has been working with suppliers for the past 10 years to make top-tier battery-powered lawn products more readily available, and the company plans to make sure its customers know they're not giving up anything. Mr Jarvis said:

    We don't want the customer to have to stand in the aisle and have to choose between 'good for the environment' or 'good for my wallet'. We know we're a destination store for a lot of people, and we can influence people to do the right thing.

    Mr Jarvis likens The Home Depot's shift to electric lawn equipment to the company's decision to remove toxic ortho-phthalates, which are known to be an endocrine disruptor, from vinyl flooring.

    If you get a chance to clean something up, you should. There are certain things that you intuitively know, this is where we need to go.
  • Sources: RetailWire, Yahoo News and The Cool Down
  • bigbox

    Big box update

    Bunnings' Timaru store in New Zealand has opened

    The hardware retailer is also part of a global taskforce to help the home improvement sector reduce its Scope 31 greenhouse gas emissions. IKEA launches its smallest store in Sydney.

    A new NZD25 million, 9500sqm Bunnings Warehouse has opened for business in Timaru, about 157km southwest of Christchurch and 196 km northeast of Dunedin, in New Zealand. It is part of The Showgrounds retail development. Bunnings area manager Dean Gick told the Timaru Herald:

    The project has taken four to five years from inception, and we're thrilled to kick the doors open. There have been no delays.

    While Ashburton's Bunnings Warehouse was one of seven stores closed by the company in 2020, the Timaru store had gone ahead as South Canterbury was a "thriving area", Mr Gick said.

    It is a decent sized catchment and the store should do really well here. It's exciting for the town, and we're in a great complex.

    Bunnings Timaru complex manager Phil Rees said the store would have a range of sustainability initiatives which will reduce the store's environmental impact including rainwater harvesting for its nursery, energy-efficient LED lighting and a highly efficient comfort heating and cooling system.

    Related

    Store development: Bunnings in Timaru, New Zealand - HNN July 2022

    Climate change taskforce

    Bunnings is a founding member of a taskforce set up by the European DIY Retail Association and Global Home Improvement Network (EDRA/GHIN) to cut down on Scope 31 greenhouse gas emissions - those that come from retailers' supply chains.

    Other founding members include Adeo (Europe, South America, South Africa), Cainz (Japan); The Home Depot (North America), Hornbach (Europe), Kesko (Scandinavia), Kingfisher plc (UK & Europe); OBI (Europe) and Sodimac (South America).

    For retailers, Scope 3 greenhouse gas emissions make up more than 90% of their overall emissions. Given the scale of their impact, they are the most important, but also the most difficult to address, as they fall outside of retailers' direct operational control, according to EDRA/GHIN.

    There are a range of different approaches and methods used to measure and report on companies' Scope 3 carbon footprints. This causes confusion and inefficiencies for retailers trying to lower their emissions across their value chains and creates an additional burden on their suppliers. The announcement from EDRA/GHIN also said:

    The Scope 3 task force will aim to address this challenge by agreeing more consistent methodologies in how carbon data is treated through the supply chain and sharing best practices in both the reporting and, most importantly, accelerating the home improvement sector's progress in reducing Scope 3 emissions. These learnings will also be shared with a wider learning group for all EDRA/GHIN members to benefit from.
    Scope 3 spans the entire supply chain, and EDRA/GHIN members will also be talking to suppliers, on a pre-competitive basis, to see how we can encourage innovation and work towards a more circular and carbon efficient economy.

    Thierry Garnier, president of EDRA/GHIN and group CEO of Kingfisher, said:

    As retailers, reducing emissions in how our products are made and used is our biggest challenge. But it's also an opportunity. Many of the products we sell help customers afford to create better homes that are more resource efficient, using less energy and water. While a number of EDRA/GHIN members have been working on measuring and addressing their Scope 3 impacts in their own businesses, it is a highly complex area with many shared challenges.
    By coming together, hopefully we can find more consistent, simpler ways to drive down our emissions. I invite home improvement retailers from around the world to join us in this new task force.

    EDRA/GHIN has 224 retail members in 78 countries.

    Related

    Bunnings works towards 100% renewables - HNN, November 2020

    Bunnings, Kmart, Target and Officeworks signed an agreement with CleanCo in Queensland.

    Wesfarmers' retail businesses sign onto clean energy - HNN, April 2022

    IKEA's smallest branch

    Home improvement retailer IKEA has opened its smallest store in Australia, in Belrose, part of Sydney's northern beaches.

    It is a fraction of the size of larger warehouse stores at only 215sqm, and is part of the Belrose HomeCo centre, reports The Australian.

    An IKEA spokesman said the smaller stores were part of a broader campaign to offer a more "personal and tailored shopping experience" by offering face-to-face, one-to-one expert advice on planning a complex home. He added:

    While kitchens and wardrobe systems are on display to make planning complex areas of the home easy, customers can also take advantage of the convenience of Ikea Belrose and place an order for any product across the full IKEA range.

    The first Plan and Order Point store opened in Melbourne's Highpoint Shopping Centre in September last year.

    IKEA has confirmed more stores of this kind will be opened throughout the year in Australia, and is part of its "growth strategy".

    Related

    IKEA Planning Studios in Australia - HNN, May 2022
  • Sources: Timaru Herald, Retail Times UK and The Australian
  • bigbox

    US update

    Curbing retail theft

    Retail theft is on the rise and The Home Depot and Lowe's are fighting back with technology and product cages

    The US-based National Retail Federation (NRF) estimates that inventory shrink - the industry phrase for missing inventory - accounted for nearly USD95 billion in losses in 2021, up from USD90.8 billion in 2020.

    While shrink encompasses a variety of inventory loss - including customer and employee theft, administrative errors, and damage - theft by organised retail crime drove 2021's increase, the NRF said. The groups behind this type of crime consist of professional shoplifters who resell stolen merchandise at cheaper prices, often on third-party marketplaces, which became more prevalent following the pandemic-era e-commerce boom.

    With theft eating into margins and affecting employees and customers, retailers are now looking for ways to tackle the problem.

    Some companies are attempting to avoid the issue by closing stores in places with higher shrink levels. Those that stay are investing in new loss prevention strategies. Close to half of retailers said their loss prevention budgets expanded in 2022 compared with the previous year, according to a recent survey conducted by the NRF.

    Retailers have also been bulking up their security teams and hiring private security companies or off-duty police officers. Nearly 40% of retailers said they hired more people to their loss prevention teams in 2022, the NRF found. Some companies are also doubling down on policies that prevent store employees from engaging with shoplifters to reduce instances of potentially violent encounters.

    Others are investing in theft detection technology. The Home Depot, for instance, is spending more on machine learning and data analytics tools to identify which regions or product categories are most at risk, said CEO Ted Decker at the company's annual shareholder meeting in May.

    At the same time, the home improvement retailer has resorted to locking items away in cages in an effort to combat theft. It started locking more expensive items like power tools behind cages in January, according to news reports. Locked up products now include less expensive things like phone chargers, work gloves, and shower drain covers.

    Shoppers have to request the assistance of a worker, who will then open the cabinet. Customers have complained about the length of time it can take to retrieve items.

    The anti-theft policy has been rolled out across all Home Depot stores in California. It comes after Scott Glenn, vice president for asset protection at The Home Depot, issued a warning about shoplifting and theft. He has said:

    Organised retail crime is what I call theft for greed, not theft for need. [But] they don't just come to a Home Depot and then decide to go home ... they go to Target, they go to Lowe's, they go to CVS, they go anywhere.

    Home Depot has investigated roughly 400 cases of suspected organised retail theft in the past year alone - which is more than one shoplifting scenario at its stores every single day, Mr Glenn said. As a result, the home improvement retailer loses "billions of dollars a year".

    The retailer is locking up more products to prevent this from happening.

    Related

    Home Depot testing technology to combat organised retail theft - HNN Flash, April 2021

    Technology

    One of the most popular loss prevention technologies is RFID (Radio Frequency Identity), which uses radio waves to identify objects that have been tagged with special readers. This is especially useful to track high-value items, said Matthew Guiste, Global Retail Technology strategist at Zebra Technologies.

    AI-based video analytics software is another popular tool, as it helps retailers recognise repeat offenders or potential threats at checkout counters or in parking lots.

    Major Australian retailers like Woolworths and Bunnings are using AI, in the form of software called Auror. Auror chief executive Phil Thomson says the software is used to catch shoplifters. He told ABC News:

    There are different tools that a retailer can choose to use. So, with an image, once that's uploaded into the platform, that can then be referenced across crimes reported today, to see if it's the same person who's committed those other offences.

    Mr Thomson said the AI is powerful enough to spot crime and send alerts to security staff in real-time - but only if it detects wrongdoing.

    For a general customer, they would have no interaction with Auror at all, so they wouldn't be impacted by it.

    Lowe's

    Lowe's Innovation Labs and Asset Protection teams have been collaborating on Project Unlock.

    Project Unlock is designed to tackle the theft of powered products - in Lowe's case, power tools - in a way that is virtually invisible to retail customers. Products are embedded with an RFID chip and are set to inoperable. When the item is purchased at a store register with a point-of-sale RFID scanner, the item is unlocked and ready to use, ensuring that only legitimately purchased products are activated. If it's stolen or not unlocked, the product won't work.

    To work, manufacturers would first have to embed a wireless RFID chip into a power tool product. The chip is already preloaded with the item's serial number. It is also embedded in the box's barcode. Lowe's chief digital and information officer Seemantini Godbole told FOX Business earlier this year:

    Customers don't do anything different. If the tool was legitimately purchased, it will be ready for use the moment you walk out of the store.

    The process is essentially "invisible for the customer," she said.

    They should not even know that there's anything extra happening.

    Once a customer purchases the product, the transaction will also be recorded on the blockchain. This record, which doesn't involve any personal data, can then be used by retailers and law enforcement officials to validate an authentic purchase.

    Ms Godbole said this system isn't meant to necessarily replace asset protection teams but rather help them "combat this [organised retail crime] more effectively" without putting associates in harm's way, she added.

    Lowe's has seen a 180% increase in acts of violence against staff and customers in stores since 2020 and a 77% increase in weapons-related incidents over the last year.

    In response, Lowe's has put in place several security solutions to keep people and products safe from criminals, creating an organisation-wide, collaborative ecosystem to detect, deter and respond to thefts and violence. Luke Moeller, senior director of asset protection (AP) operations said:

    We need to have a multi-faceted approach to make an impact on Lowe's. There's not one solution that will solve all the problems.

    The outside of each store has robot parking lot patrols, security towers, integrated CCTV and camera platforms that use analytics to identify vehicles, not just plates. Vehicle analytics has been particularly useful, Mr Moeller said. Within the first 60 days of deploying the technology, the AP team was able to close 478 active cases.

    Post-incident prosecution is also a major strategy for Lowe's, Mr Moeller explains.

    If we can't deter and we can't respond, we let it go. This is part of our strategy. We want to make sure we keep associates safe first.

    Collaboration with the IT department and CCTV helps identify criminals for post-incident prosecution. Mr Moeller said:

    When we first started this project, we got 50 of our 1,700 stores done, and wired up with cameras. When we started working with our IT partners and truly allowing them to take the reins, we had 650 stores done in one year.
  • Sources: Barron's (Online), National Retail Federation, ABC News Australia, The Sun (US) and FOX Business
  • bigbox

    Bunnings Strategy Day 2023

    Replay of familiar hits

    After a surge of interest in technology during the pandemic years, Bunnings has reverted to themes familiar from 2018, such as the "addressable market". The retailer seems surprisingly out of tune with Wesfarmers' general approach to retail.

    Australian retail, mining and healthcare conglomerate Wesfarmers held its 2023 Strategy Day briefing on 30 May 2023. HNN will be covering this in-depth in the upcoming issue of HI News, but we wanted to provide a brief summary of the key points from the perspective of the broader hardware retail industry.

    Overall, the Strategy Day was a curiously mixed experience. In some ways it seemed to HNN to be something of a "breakthrough" event, in that the pieces of the strategic development Wesfarmers managing director Rob Scott started assembling five years ago are now coming together, and it's possible to see more detail of his vision for the company.

    In the face of that, it was a little surprising to find that Bunnings, in its presentation, seems to have taken more of a step back than a step forward. Where the Strategy Day presentation from 2022 had a clear focus on digital technologies, these played more of a minor role in 2023. In 2022 there were four presentation slides clearly addressed at technology. In the 2023 presentation there was perhaps one - though technology was mentioned elsewhere, incidentally.

    Newly revived in the presentation were those staples from pre-pandemic Bunnings, most notably the "addressable market" slide, which now states this market is worth $100 billion. There was also quite a focus on the past, with 2023 marking the 30th anniversary of Bunnings' core strategies. One slide provided a timeline of developments at Bunnings going back five years.

    It is just a little like Fleetwood Mac getting back together to sing "Dreams". Nothing wrong with it, really, but it's not, you know, Expired Candy, or even The Civil Wars.

    Despite that, however, Bunnings managing director Mike Schneider did offer a glimpse of some changes to come at Bunnings that could heavily influence the overall hardware market.

  • The launch of Bunnings' pet range seems to be successful: "The launch of our pet range is a great example that's been our most significant category reshape in two decades. We're seeing an excellent response not only from customers, but also suppliers."
  • Bunnings has launched another captive brand, CITECO. "Our newest brand, CITECO, is a great example of where our team identified an opportunity in the market to build range authority, and offer customers really attractive price points across ladders, site safety and PPE."
  • Cleaning: "Cleaning is another area where we have strengthened our range of authority in response to the elevated and sustained customer demand we saw emerge during the pandemic. We've introduced more market leading brands that consistently attract higher frequency purchases."
  • Rural supplies: "Bunnings operates in and is a part of many rural communities across Australia and New Zealand, and we're looking at how we can refine and tailor the Bunnings offer in these categories to meet the needs of customers."
  • Trade paint: "For our builders and tradies we see a real opportunity to expand our commercial paint offer as well as others so we can better address the finishing stages of their projects." And later: "We're increasingly interested in the commercial paint space. And we'll explore opportunities with paint suppliers across the market to build a credible, trusted and value accretive offer."
  • Frame and truss: "The way we're growing our frame and truss offer is a deliberate initiative to reach customers early, and it gives us the opportunity to really understand the products of building needs for their entire project, and consider how we can best provide these."
  • Store-based order fulfilment: "We're piloting our own last mile delivery by having team at selected stores complete same day and next day deliveries as part of their broader store duties. So far, this pilot has been really successful achieving very high customer satisfaction scores at a lower cost to serve than existing last mile options."
  • Analysis

    We'll provide far more detail in our upcoming June edition of HI News on this Strategy Day.

    To pick up on one theme, it does seem that we are now more than ever living in the world described in the 1990s by US/Canadian author William Gibson as a place where "The future is already here; it just isn't evenly distributed."

    For businesses, especially in Australia, that tends to lead them to follow one of two potential paths. The first path is to take advantage of that situation by using "future" technology themselves to produce a less-technological experience for customers. This is the path we could call "optimisation", which relies on existing products, existing markets, and existing marketing techniques, supercharged by available technologies.

    The second path is to get into the business of being a "future distributor". That means developing new products in new markets by introducing new technologies or new uses for existing technology.

    It seems pretty clear that while Bunnings is avidly pursuing the first path, Wesfarmers - at least in the rest of its retail division - is pursuing the second. A good reason for that is a better understanding of the risk/reward ratio. The first path is a safer and more conservative approach, but it is also inherently low-growth. Bunnings, in Mr Schneider's words seeks to outperform the market - which it definitely does. But the second approach suggests a truer metric for success that is less relative and more absolute: how much of the total business potential can be realised. As technological and social changes lifts that potential higher, the balance of acceptable risk also shifts.

    To look at this in slightly different terms, much of retail exists on a continuum between logistics on one end ("how do I get what I need?") and experience on the other ("how do I know what I need?"). A good part of Bunnings' success - based largely on some brilliant insights by former managing director John Gillam - was to make the logistics solution part of the experience solution, largely through the raw tool of unexpectedly low prices.

    That worked 30 years ago, but will it work as well today - especially in a world where general retailers, such as Amazon, compete in the home improvement sector?

    bigbox

    Big box update

    Bunnings sites up for sale

    The hardware retailer is also conducting a trial of Zippedi robots in stores as a way of creating more time for staff to provide customer service

    Properties that have Bunnings stores located in two Melbourne suburbs and regional NSW have been placed on the market.

    The 7000sqm site in the inner-city Collingwood in Melbourne is expected to sell for about $65 million, according to The Age.

    Bunnings has four five-year options on a lease that expires in 2027. The property returns $3.11 million a year in rent.

    The property is on a large 5375sqm parcel of Commercial 1 zoned land which allows for a range of potential multi-level developments.

    The Holckner family, known in part for its philanthropy, paid $30.7 million for the building in 2005. It was converted from offices in 2016, when the site underwent a $46 million re-fit that included strengthening the floor and adding a travelator.

    Burgess Rawson agents Billy Holderhead, Yosh Mendis, Zomart He and Beau Coulter have the listing. In The Age, Mr Coulter said:

    Underlying land value of the site will reflect about 75-80 per cent of the purchase price.

    The second Bunnings for sale is located in the Chadstone Homemaker Centre, owned by Newmark's listed real estate trust NPR.

    The 19,574sqm centre anchored by Bunnings is on 15,175sqm of land and returns $5.61 million a year in rent. It has Commercial 1 zoning, which allows for future development.

    Records indicate the centre is valued at around $82 million, which is a likely price guide, according to The Age.

    JLL agents Stuart Taylor, Nick Willis, Tom Noonan, Sam Hatcher, MingXuan Li and Stonebridge's Justin Dowers, Philip Gartland and Kevin Tong have the listing.

    The stand-alone Bunnings store in Young, NSW sits on a 11,530sqm site and carries a 10-year lease expiring in November 2030. It could draw strong interest from local and foreign investors chasing a passive investment, reports The Australian.

    In-store robots

    Bunnings is trialling a robot made by Zippedi to do night-time rounds of stores, scanning aisles and shelves for out-of-stock items.

    In 2018, HNN included a story on digital merchandising that featured robots in Lowe's stores:

    Digital Merchandising - HI News, September 2018, page 41

    Managing director Michael Schneider revealed the trial at this year's Strategy Day hosted by parent company Wesfarmers. He said it was part of a broader program of work to make in-store processes more efficient.

    [We're trialling] robots to optimise our space and stock replenishment with overnight aisle scanning. What we're aiming to do here is reduce team member hours spent locating hand stock to be filled, or completing [shelf] gap and price checks.

    Mr Schneider said the retailer had also made improvements to the picking app that team members use to fulfil ecommerce orders from shelf stock. In addition, he said that Bunnings is also "trialling electronic shelf labelling to further save team member hours."

  • Sources: The Age, The Australian and iT News
  • bigbox

    Big box update

    Bunnings introducing four-day week for staff

    Construction has progressed for the five-storey Bunnings store being built at Frenchs Forest, NSW and the company is monitoring whether timber harvested by the WA government is sustainable

    Australia's largest hardware retailer will trial different models to achieve either a four-day week or nine-day fortnight and test what the benefits are to its workers, after reaching a landmark agreement with the Shop, Distributive and Allied Employees Association (SDA). Bunnings will also bring in more holidays to its full-time team members. It will be the first Australian retailer to trial a four-day working week.

    SDA delegates supported the retailer's proposal to deliver pay rises of 10.5% - 4.5% this year, 3% in 2024 and 3% in 2025 - to 40,000 staff over three years and lift annual leave to five weeks a year, reports the Australian Financial Review (AFR).

    SDA national secretary Gerard Dwyer said the union had been seeking a four-day week in the industry for years and the Bunnings deal could set a precedent. He told the AFR:

    This is a significant breakthrough for work-life balance...This package is good for workers and for this major retailer alike, setting Bunnings up as a preferred employer in a tight retail market.

    Full-time employees will be able to request the option and, on agreement, spread their rostered hours over four days or over 18 or 16 days per four-week roster cycle, provided they agree to work some weekend shifts.

    The deal will be submitted to the Fair Work Commission for approval, after workers vote on it.

    Bunnings chief people officer Damian Zahra said the retailer had a track record of industry-leading pay and benefits.

    In addition to pay increases, higher penalty rates and greater choice for teams on how they structure their work week, the new EA [Enterprise Agreement] provides a number of changes to the treatment of days in lieu relating to public holidays, which in turn changes our approach to annual leave provisions.

    He said that Bunnings had withdrawn its previous 2019 agreement to "provide certainty for our team" after a delay with approval by the Fair Work Commission and "uncertainties facing us at the time with the pandemic".

    It was always our intent to implement a new agreement as we came out the other side of COVID.
    We've worked hard to simplify the agreement as much as possible, and have been consulting with our team for a number of months to ensure we've captured what's important to them, and as a result we are optimistic the agreement will be endorsed by team and Fair Work.

    Bunnings managing director Mike Schneider previously criticised the bargaining system as "a waste of time" after becoming frustrated with the delays in approval and the "never ending cycle of review".

    Frenchs Forest store

    Northern Beaches Council recently approved a modification to the development application of the Bunnings store being built at the corner of Warringah, Allambie and Rodborough Roads in Frenchs Forest (NSW), allowing all floor levels to move upwards by 50cms - but with a corresponding decrease to the internal height of the Level 2 warehouse. In the Manly Daily News, the council said in its assessment report:

    The modification does not change the overall height of the building, and the change is not perceptible from the exterior of the building.

    Bunnings was aiming to complete construction in early 2025.

    The project is still generating some community concerns about traffic in the area, especially with the new The Forest High School set to be built about 400m away (on Allambie Road). There was also another conflict over the size of the Bunnings Warehouse logos and signs, as well as the building's predominantly green colour scheme.

    Bunnings agreed to reduce the size of the logo by 33% on Rodborough Road, remove a number of hammer logos from the rest of the building and restrict the amount of green paint it used on the facades.

    The Frenchs Forest outlet will be first time Bunnings will offer three levels of retail that includes hardware and building supplies, an outdoor garden centre, a large cafe and a kids' playground. There will be two levels of parking for close to 400 vehicles.

    The hardware retailer said this store will generate more than 800 jobs, including 700 during construction and about 135 vacancies for retail workers.

    Related

    Demo works continue for Bunnings Frenchs Forest - HNN Flash, May 2022

    WA jarrah timber source

    Bunnings is monitoring how timber harvested by the West Australian government to allow Alcoa to mine has been labelled sustainable despite no rehabilitation of the jarrah forests being completed in 60 years of bauxite mining.

    In 2020, UK company British Standards Institution (BSI) audited the Forest Product Commission's (FPC) timber harvesting before mining, and Alcoa's rehabilitation afterwards, and decided it met the requirements for sustainable forest management under the global Programme for the Endorsement of Forest Certification (PEFC). However the Wilderness Society called that conclusion "greenwashing".

    Bunnings, which sells jarrah products described as "sustainably harvested", confirmed some of its products made from WA hardwood come from PEFC-certified forest areas cleared for Alcoa.

    In March, The Age revealed that none of the almost 280 square kilometres of jarrah forest cleared by Alcoa over 60 years has been rehabilitated to the point where it meets the completion criteria agreed between Alcoa and the WA government.

    Bunnings is aware of concerns about the rehabilitation of areas cleared for Alcoa. It plans to review the findings of an upcoming audit that it understands will consider the adequacy of Alcoa's rehabilitation.

    Timber harvested from a native forest can only be classified as sustainable under the PEFC standards if it is not "converted" to another use. In practice, this means the return of the natural ecosystem.

  • Sources: Australian Financial Review, SBS, Manly Daily News and The Age
  • bigbox

    USA update

    Home Depot in a "transitional" year

    The home improvement retailer expects to post its first annual sales decline since 2009, reflecting increasing headwinds for the industry

    Home Depot has reported revenues of USD37.3 billion for its first quarter, down 4.2% from the same three months a year ago. Its comparable-store sales also declined 4.5% from a year earlier during the quarter ended April 30.

    Billy Bastek, executive vice president, merchandising, said business during the period was strong for products related to "smaller-ticket outdoor projects." Homeowners are opting for smaller projects and shifting away from large renovations.

    Mr. Bastek said consumers reduced spending on large, discretionary items such as outdoor furniture, BBQs and appliances, as well as kitchens and flooring. Big-ticket transactions of USD1,000 or more were down 6.5% in the first quarter.

    Four of the retailer's 14 merchandise categories - building materials, hardware, plumbing, and millwork - posted positive comparable sales which helped to drive the average ticket up 0.2 percent despite timber deflation. Mr. Bastek said:

    During the first quarter, we saw a significant decline in lumber prices relative to a year ago. As an example, on average, framing lumber was approximately USD420 per 1,000 board feet, compared to approximately USD1,170 in the first quarter of 2022, which is a decrease of 64%.

    Net earnings were USD3.9 billion, down about 7%, from the same period last year. Ted Decker, company chief executive, said during a conference call with industry analysts and reporters:

    We expected that fiscal 2023 would be a year of moderation for the home improvement market. We also observed more broad-based pressure across the business, compared to a few months ago.

    Home Depot will finish the year with sales between 2% and 5% lower than last year, and expects earnings to fall between 7% and 13% this year on lower margins.

    This result comes after three years of sometimes spectacular growth. Since the novel coronavirus pandemic began in 2020, sales have grown 43% to USD47 billion.

    But in the past three months, it has been plagued by bad weather including extreme weather events in California, erratic timber prices and suddenly cautious consumers.

    In 2023, consumer spending on home improvement projects has slowed down, and reduced the scale of some remodelling projects. They have become less confident in their economic prospects and pulled back spending as they navigate continued high inflation and elevated interest rates. Many homeowners have completed most of the projects they wanted to accomplish during the pandemic.

    Overall, Home Depot's core shoppers, often homeowners, are in good financial health, said Richard McPhail, Home Depot's chief financial officer said, but "there has been this shift in the consumer psyche."

    Professionals such as contractors and electricians, who have historically driven about half of its revenue, are still reporting healthy backlogs, Mr. McPhail said in the Wall Street Journal.

    The retailer's expectation for "2023 to be a year of moderation in the home improvement market" might apply to industry peers as well.

    Pay increases for workers

    Home Depot sees this year as a "transitional period" but remains bullish on the medium-to-long-term outlook. It is especially excited about the investments it has made to recruit and retain the best workers to serve its customers. Earlier this year, it announced the decision to invest USD1 billion in employee wages even as sales are slowing in a weakening consumer economy.

    Giving pay raises at the same time sales are slumping seems like an incongruous strategy, but Home Depot executives believe it will actually boost the big-box retailer's industry-leading position. At the time of the announcement, Mr Decker said the investment "positions us more favourably in every market where we operate." He said higher wages will improve the customer experience as the company attracts more high-quality workers and keep experienced staff.

    This investment will help us attract and retain the best talent into our pipeline.

    Home Depot also added more training opportunities, including the promotion of more than 65,000 employees in 2022 alone. Ann-Marie Campbell, executive vice president of US stores and international operations at Home Depot, said:

    Our ability to attract qualified pools of candidates and hire from the top tier of these pools has improved even in our high volume - higher-volume stores. And in March (this year), we saw the greatest year-over-year improvement in our attrition rates across all associate tenure cohorts that we have seen in some time. As a result, we are seeing improvements in key customer service metrics, as well as benefits to our operations in the form of consistent staffing and less safety incidents across all our regions.
  • Sources: RetailWire, CNBC, The Atlanta Journal-Constitution and Wall Street Journal
  • bigbox

    Big box update

    Exclusive pet brands

    New category of fertiliser at Bunnings and store development in Timaru, New Zealand

    Bunnings' expanded pet range has over 700 new items including toys, bedding, grooming tools, carriers, training accessories, smart technology and flea and worm treatments. Brands exclusive to Bunnings include Happy Tails, Baxter & Bone and PetZone, while Pedigree, Whiskas and Schmackos are among pet food partners, according to the Herald Sun.

    According to RSPCA Knowledgebase, more than 60% of Australian households have a pet. Australia's pet population outnumbers people by more than two million.

    Research conducted by Bunnings reveals two in three pet owners consider their fur baby the most pampered family member. Sixty per cent of respondents said they are giving their animal free rein of the house and almost half (48%) have made or planning to make changes to the home to accommodate a pet.

    These pet owners are designing their homes to cater to their pets. Top changes include installing a pet door (23%), adding a doghouse (16%) and changing or removing existing furniture (13 %).

    Australians' willingness to put the welfare of their pets ahead of other priorities will obviously be tested as the slowdown intensifies and mortgage stress increases, writes Robert Gottliebsen in The Australian.

    :Related

    Bunnings expands pet range offering - HNN Flash, March 2023

    Fertiliser product development

    Victoria-based agtech startup Bardee has launched a new category of fertiliser at Bunnings.

    Bardee breeds Black Soldier Fly larvae to break down industrial quantities of food waste. The company harvests the larvae for use in protein-rich livestock and pet feeds. The larvae also leave a nutrient-rich by product, known as frass or castings, which Bardee collects and processes into fertiliser. Its certified organic fertiliser is branded Superfly.

    The business was founded by Phoebe Gardner and Alex Arnold in 2019 while they took part in an accelerator program at University of Melbourne. In the same year, it booked a $5 million funding round backed by Blackbird Ventures, and investors including Culture Amp founder Didier Elzinga, and Who Gives A Crap co-founder and CEO Simon Griffiths.

    Prior to its launch in Bunnings, Bardee supplied its fertiliser directly to farmers and offers some garden products online. Ms Gardner says Superfly's debut at Bunnings will mark a number of industry firsts. She told Smartcompany:

    It's not just a new company on Bunnings shelves. Bardee is only three years old, and for any other fertiliser company to make it on shelf at Bunnings, I think the next youngest company was 18 years old before they got a product on shelves. So it's a huge acceleration.

    It will also represent the first time a Black Soldier Fly fertiliser product is stocked at any national retailer globally, Ms Gardner said.

    The product will be priced comparably to existing fertilisers in terms of cost per application, she added.

    Being stocked in a national retailer is a major goal for many startups, and Ms Gardner said Bardee spent nine months working with Bunnings' garden care team to perfect its retail offering.

    That included efforts to homogenise its smell, texture and nutritional makeup. While Bardee's existing farmer and nursery customers are comfortable with minor variations between batches, Bardee said retail customers can expect a refined and consistent product.

    Bardee also worked with Bunnings' in-house team to ensure its branding stands out from the plethora of garden additives already available in-store. It had to prove its product could withstand the rigours of nationwide distribution. Ms Gardner said:

    We really wanted to show that we could supply them nationally with consistency and a high quality product that was always the same for every store and for every household across Australia.

    To do so, Bardee, based in Melbourne, shipped a pallet of its product to an outdoor warehouse in northern Queensland, where it sat outside in tropical conditions for a number of months. Ms Gardner said:

    That was for us, in order to prove that no matter where we ship this product to, it will be the same everywhere in every store, and that it can withstand the rough and tumble of a national supply chain, and still deliver a high quality product and that it's stable.

    Bunnings in Timaru, NZ

    Progress on a Bunnings store is continuing at the site of a new retail development in Timaru, a port city in the southern Canterbury Region of New Zealand. Bunnings area manager Dean Gick said construction of its new Timaru store was "progressing well". He told the Timaru Herald:

    We're on track to open by mid-year. We're really looking forward to opening our doors in a few months' time and bringing a wide range of home, lifestyle and DIY products to the area.
    The store will have around 65 team members spanning a range of different roles. Recruitment of team members is in full swing.

    While the developer experienced some minor construction delays because of inclement weather and challenges posed by COVID-19, Mr Gick said Bunnings is "really pleased to be on track to open mid-year".

  • Sources: Herald Sun, The Australian, Smartcompany, The Weekly Times and Timaru Herald
  • bigbox

    Big box update

    Bunnings store development

    Lithgow in development, Caboolture opens, North Wollongong closure and no definitive dates for Cowra store expansion

    Lithgow, in the Central Tablelands of NSW, will have a larger Bunnings store after the approval of a Development Application (DA) by Lithgow City Council.

    The current Bunnings is located on the Bathurst end of Lithgow's Main Street, and the new store is proposed for Pottery Plaza in Lithgow's south. Councillor Almudena Bryce told the Lithgow Mercury:

    This is a great DA proposal for Lithgow and Bunnings. It's taking it away from the Main Street, where it's dangerous. It's absolute mayhem.
    I'm looking forward to a bigger Bunnings, one that we don't have to leave town to go and buy parts. This is going to be a great asset to our area.

    The topic was the subject of heated debate as both residents and councillors expressed their concerns about the significant impact the new site would have on traffic flow.

    Councillor Stephen Lesslie asked questions relating to his concerns about the impact of road access to residents in Silcock and Hill Street. They were addressed by Lithgow City Council general manager Craig Butler, who advised he couldn't provide specifics as the director of planning was absent due to illness.

    Councillor Lesslie proposed a motion to defer the development application vote, but it was lost.

    The development application motion was eventually passed, and mayor Maree Statham thanked the councillors.

    Related

    Application for bigger Bunnings Lithgow store - HNN Flash #104, July 2022

    Caboolture store opens

    The new Bunnings store, behind Big Fish Junction at 459 Pumicestone Road, Caboolture (QLD) has a main warehouse retail space, outdoor nursery, timber trade sales area, special orders desk, hire shop, cafe and more. The 13,000sqm centre, which cost $32 million, has over 400 car parks.

    The new warehouse is part of the huge $80 million Big Fish Business Park which has already seen a Coles, Chemist Warehouse and KFC open.

    Complex manager, Emily Sweet, said she was very excited to see an investment of this scale come to the growing Caboolture and Elimbah area. She told the Caboolture Shire Herald:

    ...The layout of the warehouse is slightly different to others to make it more convenient for the customers. The size of the landscape and nursery area is quite considerable as well as the timber yard - we really have invested considerably in those areas.
    We have a great positioning from the highway. For any trade customer driving from the Sunshine Coast through to Brisbane or anywhere else in between, this location is handy for them to pop in.

    The store has a range of sustainability initiatives to reduce its environmental impact including LED lighting, on-site water reuse and solar energy.

    The developers of the Big Fish Business Park hoped the new store would service the planned Caboolture West satellite city, expected to be home to 70,000 people.

    Related

    Bunnings Caboolture expected to open at the start of 2023 - HNN Flash #112, September 2022

    North Wollongong

    Following the closure of the North Wollongong Bunnings store in NSW earlier this year, complex manager Kirstin Beveridge said staff will be redeployed to surrounding stores and thanked customers for their support over the past 25 years. She told the Illawarra Mercury:

    We also thank our store team members, past and present, for their commitment to the community and for always providing friendly and helpful service.

    Bunnings opened the North Wollongong site in 1997 and closed the store ahead of the lease expiring in March. It is one of its oldest stores in the state. The site is owned by Perth-based BWP Trust, which owns a number of Bunnings sites around Australia and is itself part owned by Bunnings' parent company Wesfarmers.

    Related

    Bunnings in North Wollongong to close - HNN Flash #109, September 2022

    Cowra

    The Cowra Guardian recently asked Bunnings about its plans for its Cowra store in the Central West region of NSW, nearly 12 months after Cowra Shire Council approved a $10 million expansion.

    Bunnings regional operations manager Debbie Perano told the Cowra Guardian the retailer is "going through the usual steps ahead of any potential construction".

    But at this stage no timelines have been confirmed. We were really pleased with Cowra Shire Council's decision to grant a development approval for a new Bunnings store last year.

    Ms Perano said Bunnings will "continue to keep the community updated with any developments".

    The approved DA sought the consent for the redevelopment of the existing Bunnings warehouse site in the following manner:

    The demolition of existing buildings; construction of a hardware and building supplies centre including a warehouse, covered outdoor nursery, bagged goods store, timber trade sales area, office, amenities and loading areas; seven wall signs and one pylon sign; a main carpark accessed from Redfern Street containing 91 car parking spaces; a secondary carpark accessed from Mulyan Street containing 15 car parking spaces; tree removal and new landscaping works; ancillary civil engineering works including earthworks, stormwater works and road and access works including directional signage and line marking to facilitate vehicular access; and consolidation of allotments.

    Related

    Bunnings plans store development in Cowra, NSW - HNN Flash #86, March 2022
  • Sources: Lithgow Mercury, Western Advocate, Caboolture Shire Herald, Illawarra Mercury and Cowra Guardian
  • bigbox

    Bunnings results FY2023 H1

    Growth slows, partially due to weather

    Bunnings began to resume some of its growth patterns from the past, including entering new categories and experimenting with store merchandising

    The Wesfarmers-owned big box hardware retailer Bunnings announced its results for the first half of FY2023 (July to December 2022) on 15 February 2023.

    Wesfarmers itself reported revenue for the half of $22,558 million. This represents an increase of 27.0% over the previous corresponding period (pcp), which was the first half of FY2022. Earnings before interest and taxation (EBIT) increased by 13.4% on the pcp to $2160 million, while net profit after tax (NPAT) came in at $1384 million, up by 14.1%.

    For Bunnings, revenue increased by 6.3% over the pcp to reach $9792 million, while EBIT came in at $1334 million, an increase of 1.4%. Total store sales growth was 5.1%, up from 1.0% in the pcp.

    Store-on-store (comp) sales growth was 2.8% - though a footnote indicates "Store-on-store sales growth excludes stores in months that were impacted by extended periods of temporary closure in New South Wales, Australian Capital Territory, Victoria and New Zealand".

    On Tool Kit Depot, the results had this to say:

    Tool Kit Depot expanded into the east coast of Australia with the launch of its first Queensland store, complementing its existing network in Western Australia and South Australia and its growing national online presence.

    As regards Beaumont Tiles, the company states:

    Beaumont Tiles traded positively during the half, supporting Bunnings' 'Whole of Build' offer.

    The company also outlined some experimentation in its stores:

    To improve ease of shop, new store-in-store concepts in power tools and power garden were trialled during the half, with these initiatives well received by customers and Bunnings' supplier partners.

    However, online penetration fell, retreating to 1.8%, where the pcp was at 4.3%. According to a statement in the results:

    Online penetration declined during the half as retail customers increasingly returned to physical stores. This was partially offset by continued strong online growth from commercial customers.

    In his introduction to overall Wesfarmers' performance, the company's managing director Rob Scott commented:

    Bunnings delivered another strong performance, highlighting the strength and resilience of its operating model. Bunnings further strengthened its consumer offer during the half through refresh and expansion of product ranges and the trial of new store-in-store formats in some categories.

    Analyst questions

    The one slightly surprising element in the results was the slight decline in EBIT margin, which prompted a question from Shawn Cousins of Citi about whether margin growth was suppressed to secure market share gains. Bunnings' managing director, Mike Schneider replied in part:

    The change in margin from last year is really price investment as you know from what I've said in the past, it does vary significantly category to category. We've got inflation in some categories, deflation in others and movement in COGS that sort of goes up and down. So we are very, very focused on that value proposition. So I think when you sort of think about going forward, where we're positioned, we want to continue to invest for long-term growth. That's very much at the heart of what we do.

    Grant Saligari from Credit Suisse asked all the retail divisional MDs to provide an insight into shopping behaviour - "shopping frequency, value trends, basket size trends", and Mr Schneider responded by stating:

    I think from a Bunnings point of view, if you look at the commercial side, that's really helpful for us because we can see more into the pipeline, the nature of the contracts and things like that suggests to us that there is a good pipeline.
    If you look at the numbers that have been called out on housing starts, they drop a little bit, but it's not material and you then see a reversion to what we've seen over a number of different housing cycles, which is moving to alteration and addition, you then sort of look at the sort of demand for trades and the shortage of trade and the shortage of apprentices.
    That pushes people to DIY things themselves. And I think they will - my guess is you'll hear a bit about movement to value from my colleagues. But for us, when we sort of see this sort of market and you're not going out and doing things, you're not travelling as much because things are a bit tighter. You're spending more time at home and I think for a business like Bunnings, with the assortment and the price/mix and the value proposition that positions us well to participate strongly in the consumer market and the commercial market.

    Analysis

    With a comp sales number of 2.8%, and - according to Australian Bureau of Statistics (ABS) figures - a background sales rate of 4.46%, it's possible that Bunnings lost market share, or more likely held steady, given the total store sales growth number of 5.1%.

    As Metcash's Independent Hardware Group also showed a decline against its background number, it's likely that in the current market independent hardware retailers outside of Metcash are gaining some ground in the market.

    bigbox

    Big box update: Store development

    Bunnings lodges DA in Tasmania

    A preview of the new Bunnings store in Hervey Bay (QLD). The site will replace the existing store and trade centre in the area.

    A development application (DA) has been lodged by the Bunnings store in North Launceston (TAS) to use part of its land to create a commercial building for bulky goods sales.

    The proposal for the site at 80 Lindsay Street, Invermay, is being advertised by the City of Launceston, according to The Mercury.

    Under the proposal, the new building would be at the front of the site. The main retail space in the new building - the future tenant of which is yet to be chosen - would be about 1520sqm, with space for back of house, an office and workshop.

    The maximum building height would be 7.5 metres. There will be 25 new parking spaces. In a report, building surveyors and engineers Pitt & Sherry said:

    One loading bay will be provided on the western side of the site and will be accessed by a new vehicular crossing from Lindsay Street. This area will be surrounded by a 2.7-metre high transparent mesh fence. Landscaping is proposed along the Lindsay Street frontage.
    As the future operator of the new building is unknown, the applicants estimate there will be approximately six members of staff onsite.

    Hervey Bay

    The new store in Pialba, a suburb of Hervey Bay, will provide the community with access to a six-lane drive-through timber yard, a bigger paint department, tool shop, nursery, landscaping and bagged goods and more than 430 carparks.

    The precinct will also include a new kitchen design centre, which is a first for the Fraser Coast.

    Bunnings Hervey Bay complex manager Jackie Roberts said all hands were now on deck. She told the Fraser Coast Chronicle:

    The team has been working tirelessly to ensure the store is ready for customers when we open the doors to the new Hervey Bay warehouse for the first time.

    As part of the store opening celebrations, the team has provided some hands-on support to local community groups. Ms Roberts said:

    The team really enjoyed working alongside the Hervey Bay Spinners, Weavers and Fibre Artists to refurbish the historic Old Schoolhouse and meet some passionate local residents. We helped landscape the surrounding garden and freshen up the deck, entrance stairs and ramp, making the entrance safer...

    The new store will also have a range of sustainability initiatives that will reduce its environmental impact including LED lighting, on-site water reuse and solar energy.

    Related

    Pre-Christmas opening for Bunnings Hervey Bay store - HNN Flash #118, November 2022
  • Sources: The Mercury and Fraser Coast Chronicle
  • bigbox

    Big box update

    Bunnings' chief operating officer exits after one year in the role

    Bunnings managing director believes Australians will still be spending up big on DIY projects during long summer days, and into 2023

    The departure of the hardware retail group's chief operating officer Simon McDowell has created an opportunity for Bunnings to restructure its senior management, according to an exclusive report in The Australian.

    It has promoted Ryan Baker to chief customer officer and Ben Camire to head of store operations across Australia and New Zealand. Mr Baker and Mr Camire have essentially split the former role of chief operating officer between them. Bunnings managing director Michael Schneider said in response to questions from The Australian:

    We're pleased to confirm Ryan Baker was appointed to the role of chief customer officer a few months ago. Ryan has been with the Bunnings business for over 20 years and brings an enormous amount of experience and success as a retail leader into this role.

    Mr McDowell joined Bunnings in 2021 as COO, and no official reasons have been given for his exit. The COO role was the second most important position in the organisation, with Mr McDowell often running Bunnings when Mr Schneider was overseas.

    Related: It has recently been reported that Bunnings may have begun a round of redundancies at its head office and support centres that will eliminate about 140 roles, revised down from an estimated 300 roles.

    Bunnings planning staff cuts: report - HNN Flash #121, November 2022

    "DIY summer": Bunnings MD

    Mr Schneider provided The Age with some comments relating to the Christmas holiday spending period that continues into early 2023.

    Despite customers facing intense cost-of-living pressures, rising interest rates and speculation about a slowdown in the nation's housing market, he believes Australians will still be spending up big on DIY projects during long summer days, and into 2023.

    With our DIY customers, if housing churn slows - and there's no clear evidence it has at this point, customers go from spending money on their homes to get ready for sale or spending money on their homes because they've just bought it and are personalising their space.

    He is confident customers will be out in force for gardening projects into next year, with the group's shopper surveys suggesting families have been sprucing up their spaces in the lead-up to Christmas.

    One in four customers was working on a project for outdoor entertainment in November - which means the maintenance of those things will carry through into the summer period.
    When we start to see those long hot summer days, in late January and early February, when the tennis is getting going, I think you'll find a lot of people are out in their gardens, out around their decks, and doing things to stay active to make the most of the sunshine.

    Mr Schneider said as households absorb higher interest rates, the company's pledge to have the lowest prices on items in the market remains Bunnings' edge over its competitors.

    Customers are very much focused on value for money ... Bunnings positions itself very well in that space.

    He also highlighted the power of Bunnings' broad ranges.

    Whether it's paint rollers or potting mix, you have an array of products at different price points - so that customers have choice. Also, if the first product they were looking for isn't available or isn't available at the quantity they want to buy, we're able to offer them an alternative.

    Australians have kept the spending momentum up going into the festive season, but the market is anticipating households will moderate their interest in home goods and furnishings in 2023 as the pandemic-fuelled spending splurge of the past two years ends. Mastercard Spending Pulse data for November 2022 showed a 5% increase in overall spending for the month compared with same period in 2021 but home furnishings saw the biggest drop, down 4.1%.

    Mr Schneider said the more cautious spending environment is a reminder of the importance of getting the basics of retail right, including staffing.

    That is, a well-presented store, a team that is really friendly ... we've got people with years and years of experience on the tools, whether as builders or electricians, and we've got people who have built really fantastic careers over decades.

    Related

    Investment firm UBS has raised concerns over slowing sales at Bunnings - HNN Flash #122, December 2022
  • Sources: The Australian and The Age
  • bigbox

    USA update

    Lowe's sets goal to reach net-zero emissions across by 2050

    The Home Depot is taking a significant step toward its 100% renewable electricity goal by increasing its use of solar power

    Lowe's has announced its goal to reach net-zero emissions across the company's scope 1, 2 and 3 greenhouse gas emissions by 2050, in accordance with guidelines from the Science Based Targets initiative (SBTi), the global body enabling businesses to set emissions reduction targets in line with climate science.

    To meet interim SBTi targets, Lowe's has also committed to decreasing its scope 1 and scope 2 emissions by 40% and reducing scope 3 emissions by 22.5% below 2021 levels by 2030.

    To reach net-zero emissions by 2050, Lowe's reduction strategy includes:

  • Increasing operational efficiency and working to reduce emissions within Lowe's footprint: Lowe's is making further investments in energy efficiency and renewable energy within the company's operations, while exploring emerging technologies to reduce emissions associated with its vehicle fleet and facilities.
  • Continuing to expand sustainable products and services offered to customers: Lowe's continues to encourage the transition of gas-powered products to battery and electric, while also promoting energy-efficient products, such as those certified by ENERGY STAR(r). In 2021 alone, the company helped customers save 34.6 million metric tons in greenhouse gas emissions from the sale of ENERGY STAR certified products over their lifetime.
  • Partnering with suppliers to help reduce upstream emissions: Lowe's is working closely with suppliers to increase their operational efficiency and reduce their emissions through the use of renewable energy and low-carbon innovations.
  • Chris Cassell, Lowe's vice president of corporate sustainability, said:

    This new target marks a significant expansion of our previous climate commitments. Through strong collaboration, this challenging but critical work will drive meaningful improvements across our full value chain, from our suppliers to Pros' worksites, to our customers' homes and our communities.

    Related

    Kingfisher sets stronger zero-net targets - HNN Flash #101, July 2022

    The Home Depot solar

    The Home Depot has pledged to produce or procure 100% renewable electricity equivalent to the electricity needs for all of its facilities by 2030. It has also joined the SBTi to reduce global emissions, committing to set goals for Scope 1, 2 and 3 emissions by 2023.

    The big box retailer is purchasing 100 megawatts (MW) of solar energy from National Grid Renewables at its Noble solar and storage project in Denton County, Texas (known as Noble). This purchase will generate the approximate equivalent of nearly 8% of The Home Depot's total electricity usage.

    Since 2010, The Home Depot has reduced electricity consumption in its US stores by 50% and currently operates rooftop solar farms on more than 80 stores and electricity-generating fuel cells in more than 200 stores.

    The Home Depot currently purchases solar power from a 75 MW facility and is under contract for another 50 MW of solar capacity. The company also purchases energy from a 50 MW wind facility.

    The retailer expects the combined annual renewable energy generation from these agreements would be enough to power more than 500 stores. Ron Jarvis, chief sustainability officer for The Home Depot, said:

    Solar energy is the most abundant energy resource on earth. With this purchase, we are getting a step closer to our goal to produce or procure 100% renewable electricity equivalent to the needs of our facilities. We anticipate about three-quarters of our alternative and renewable energy capacity will come from solar energy by the end of 2023.

    Noble is a 275 MW solar and 125-megawatt hour (MWh) energy storage project located in the Electric Reliability Council of Texas (ERCOT). It is projected to avoid 450,000 metric tons of carbon dioxide emissions annually during operation.

  • Sources: Lowe's Companies, PR Newswire, Chain Store Age and Renewable Energy magazine
  • bigbox

    Big box update: Store development

    Bunnings store in Dubbo is set to expand

    A plan for a new $9.5 million Bunnings store in Portland has been approved by Glenelg Shire Council

    In Dubbo (NSW) Bunnings' development application for an expansion of its current site has progressed with Dubbo Regional Council.

    The expansion with an estimated value of $11.5 million will include a main warehouse, outdoor nursery, bagged goods canopy, trade sales area, building materials landscape yard, bulk trade yard, new internally relocated cafe and playground, an additional trolley bay and 33 standard and one accessible carpark spaces.

    Bunnings property development manager, Tim Wilkinson, told the Daily Liberal and Macquarie Advocate:

    If approved it will create one of the top 10 Bunnings in terms of size, and certainly bigger than any of the regional Bunnings in this vicinity.

    Mr Wilkinson said the expanded store will give them more opportunities to recruit even more people from the local community. That's in addition to the construction jobs that will take place during the building phase, which is expected to take around a year to complete. He said:

    Furthermore, there's a safety impact that's worth mentioning; being able to have the trucks ingress and egress through the proposed design along the rear boundary of the site and ensuring there is no trucks mixing with consumer cars will be really beneficial.
    In addition to a second goods area where the smaller trucks that are both dropping off and picking up bulk loads can do the same through the rear boundary, we think that's a real beneficial point.

    The extension will mean council has to relocate the sewer line and access easements. Councillor Richard Ivey said it was a "win-win" situation for the business to add to their existing infrastructure with further infrastructure that will complement what it already has. He said:

    It's so much better than moving to another site and therefore having to do something with the old site. Being able to expand what's there and end up with something that's much, much better than what's there now is win-win, it's great.

    Portland

    A majority of councillors on Glenelg Shire Council has granted a proposed planning application for a new Bunnings store at the end of 68 Richardson Street in Portland (VIC) to go ahead.

    The store will have a total retail floor area of 5382.62 sqm and include an enclosed covered main warehouse building measuring approximately 2113.45sqm, a fully enclosed timber trade sales areas of 1685.29sqm, and 127 car parking spaces.

    According to the planning application, the Portland community will be able to generate jobs, develop its economy, and reinforce its role as a shopping and employment destination. Mayor Scott Martin The Warrnambool News:

    It's fantastic having Bunnings invest into the Glenelg Shire, so it's showing faith that we are very much a high growing area.
    We do have Bunnings stores out in the country but we've obviously got a lot of industry, and I guess like most places around Victoria at the moment it can be very hard to get a builder, so that's a bit of Bunnings' niche there, they supply a lot of timber and tools, so they see an area where they can do business.

    Roadworks will be required to be undertaken once the development of the site commences when the development process commencement is yet to be announced.

    Mr Martin said the parties hoped the development to begin in 2023.

  • Sources: Daily Liberal and Macquarie Advocate and The Warrnambool News
  • bigbox

    Bunnings' slowing sales flagged by UBS

    Outdoor furniture, gardening and BBQ sales affected by wet weather conditions

    The hardware retailer is also facing higher warehouse costs for pre-ordered stock for the busy Christmas season now negatively impacted by bad weather events in parts of Australia

    UBS has become the first investment firm to raise concerns over a slowing sales momentum at Bunnings as wet weather conditions constrict some seasonal sales for some categories throughout spring and summer.

    In The Australian, analyst Shaun Cousins increased his earnings guidance for Bunnings owner Wesfarmers in 2023 and 2024 driven by its Kmart and its chemicals arm. However, it will be somewhat offset by moderating growth at Bunnings and Officeworks.

    Mr Cousins revised his sales and earnings outlook for Bunnings, and has reduced his 2023 sales target by 2.1% and his pre-tax earnings target for the hardware chain in 2023 by 0.9% to around $2.17 billion

    Mr Cousins has highlighted a growing concern that poor weather conditions on the east coast of Australia is having a detrimental effect on Bunnings' key outdoor categories. He said in his report:

    Reduced Bunnings sales and earnings before tax due to lower revenue per Bunnings store ... due to lower DIY revenue - wet weather delaying, and overall reducing, spring sales, plus a more conservative outlook - albeit still above pre-COVID due to a better network.

    While some categories are growing at a double-digit pace, key categories sensitive to weather conditions - such as outdoor furniture, gardening, barbeques and air-conditioning - have slowed. However, this has not been a material impact on Bunnings' profitability at this stage, and recent improvements in weather conditions have seen customers return to these categories.

    He also noted that Bunnings was gaining share in a larger addressable market, and greater category participation by consumers.

    Mr Cousins said Bunnings should benefit from strong housing demand and more sales to trade and professional customers. In his report, he said:

    Looking forward, the Australian consumer is facing significant headwinds from the rising cost of living across energy, food, fuel and housing costs, with house prices falling.
    These headwinds have yet to weigh on spending with the strong labour market (low unemployment and rising wages despite falling purchasing power) and elevated recent household savings key supports as the consumer returns to traditional spending patterns and engages in catch-up spend after difficult years with COVID.
    For Wesfarmers, the company is comparatively well positioned for a slower consumer environment, especially in its larger retail businesses Bunnings and Kmart. Each holds a strong value proposition for consumers with a track record of lowering prices/holding back prices in the face of cost inflation.

    Stockholdings

    Bunnings is facing higher warehousing costs for stock it pre-ordered to support expected strong sales over spring and Christmas, only to see a downturn in demand because of poor weather across much of the country.

    According to The Australian, Bunnings has been forced to pay higher than usual rates for third-party warehouse spaces. In some instances, the hardware retailer has had to book warehouse locations that are less than ideal as it faces heavy competition from other retailers that need similar space.

    As a result, Bunnings has had to actively explore options to secure more of its own warehouse space rather than relying too heavily on third party providers, including the possible construction of a warehouse in South Australia. Bunnings Group managing director Mike Schneider told The Australian

    As we do every year, we use warehouse space to support seasonal stock, and over time we have grown warehouse capacity in line with business growth. Given the cooler and wetter conditions in some markets, sales in outdoor-related categories have been softer, which means some of our additional warehouse capacity may be maintained. Like all retailers, we will continue to manage our stock position to ensure our customers can access the products they need.

    To manage uncertainties relating to the continued supply chain disruptions from China, closed ports and other dislocations along its global supply chain links, Bunnings ordered more stock to fill shelves for spring and summer, which are normally bumper months. Bunnings managers have also been building inventory over the past year back to pre-COVID levels.

    But now conditions are changing. Weakening consumer demand leaving many retail chains such as Bunnings with bloated inventory levels with more stock on hand than expected. It is now alleviating the problem by taking on more warehouse space from third-party landlords.

    Bunnings has always operated a hybrid supply chain model, with its own warehouses and third-party facilities. To support peak trading and seasonal stock, Bunnings has typically used outside storage facilities for its short-term needs.

    However, its need for warehouse space - and therefore warehouse costs - has increased in line with its business and sales growth trajectory.

    In the current environment, where industrial land is scarce, third-party warehouse costs are hundreds of thousands of dollars a month higher than usual.

  • Source: The Australian
  • bigbox

    Big box update: Property

    Bunnings building in Brunswick (VIC) for sale

    The Bunnings building and property in Hawkes Bay (New Zealand) is on the market

    The owner of the site that houses Bunnings and Australia Post in the Melbourne inner suburb of Brunswick is flipping the property.

    The 3700sqm site at 409-419 Sydney Road sold quickly in 2020, according to The Age. At the time, Bunnings was planning a larger store on nearby Glenlyon Road, but locals objected, and the proposed new outlet was quashed at VCAT (Victorian Civil and Administrative Tribunal).

    Records seen by The Age show the purchase settled in March 2022, with Sydney property developer Sam Ballas paying $13.82 million to a syndicate of northern suburbs investors. It was a well-timed sale for the vendors because the latest quote looks similar to the old price, $13 million-plus.

    Melbourne Acquisitions agent James Latos and Dom Gibson, who are selling it again, said it is one of only three sites on the strip larger than 3500sqm not in planning or under construction.

    The frontage to Sydney Road includes five double-storey Victorian terrace facades. The rear includes a modern warehouse. Tenants pay about $415,000 a year in rent for the site, which has 58 car parks at the rear.

    Bunnings' 10-year lease runs until 2025, plus it has two five-year options.

    Related

    Bunnings proposed development in Brunswick (VIC) has officially been rejected - HNN Flash #90, April 2022

    New Zealand

    Bunnings still has a lease on the property in central Hastings (Hawkes Bay, NZ) that is for sale, for another four years. It has an option to continue leasing the site for a further five years after that.

    The site is known as 207 and 301 Market Street North and includes an area of about 9000sqm.

    The owner of the property has decided to sell, and the site is being marketed by Colliers. Colliers Hawke's Bay director Danny Blair said it was a great investment opportunity. He told Hawkes Bay Today:

    Bunnings is one of the most recognisable brands across the New Zealand retail landscape and are long-term occupants at the site.
    With future rental growth locked in through the current lease, this represents an outstanding offering for buyers who have the opportunity to secure a top-quality asset with an established occupant.

    In addition to the Bunnings building, there are about 100 car parks on the site.

    Colliers says the annual rental income from the current lease agreement with Bunnings is NZD521,551 plus GST.

  • Sources: The Age and Hawkes Bay Today
  • bigbox

    Big box update

    Bunnings planning staff cuts: report

    It has also been recognised in a number of brand-related listings including YouGov and the Neilsen Brand Sustainability Ranking

    Bunnings is expecting to make several office-based roles redundant as it looks to manage a different economic environment, post-COVID. Economists have indicated that consumers cut back their shopping from January as higher interest rates, bills and everyday item costs continue to drain household budgets.

    Sources have told The Australian that the hardware retailer will be restructuring its head office and support centre teams. Bunnings hopes to minimise any impact on current team members through redeployment and it expects the proportion of its team leaving the business to be low.

    A management review of the company's back-office workforce is to be carried out and expected to find that "some support office roles" around Australia "will no longer be required" now that the COVID-19 period of disruption and lockdowns seem to be over. In the Daily Mail Australia, the review reportedly said:

    Now that we're on the other side of the most disruptive part of the pandemic we're reviewing our support centre resourcing to ensure we're set up for the future. We periodically review our team resourcing to make sure we have the right skills and capabilities to support our growth strategy.

    Bunnings has not confirmed exactly how many positions will be made redundant but the overall loss is estimated to be around 300. Sources said there will be some job losses through attrition. But the job cuts will also take into account jobs currently unfilled, so not every lost position means a lost job.

    Bunnings overhauled its development teams during the COVID lockdowns and added to its staff numbers, but this timely review will focus on it support centre resourcing to ensure it is set up for the challenges facing the Australian economy.

    It has already been shifting its training, human resources and skill development programs to an online format.

    Brand recognition

    Bunnings has topped YouGov's Best Brand Rankings, retaining a dominant position among Australian consumers with a score of 48.4.

    Consumers were asked about their views on brands across various markets, which allows YouGov to build a picture of how these brands are perceived by the general public.

    The rankings are based on YouGov BrandIndex's Index score that is a measure of overall brand health calculated by taking the average of Impression, Quality, Value, Satisfaction, Recommend and Reputation.

    The rankings show the brands with the highest average Index score between 28 September 2021 - 27 September 2022 compared to 28 September 2020 to 27 September 2021. The scores are representative of the general population of adults aged over 18 (and some are online representatives).

    Neilsen

    As part of its inaugural Brand Sustainability Report, data and market measurement firm Nielsen has revealed its 2022 Brand Sustainability Rankings, with Bunnings rating highly in consumer sustainability perceptions.

    Neilsen surveyed 8,430 Australians consumers to determine the perceived sustainability credentials of 247 core brands across 18 categories.

    Each of the 18 categories was assigned a "social ranking", "environmental ranking" and an "overall ranking", with the latter being a combination of the social and environmental rankings. As opposed to focusing on how brands are positioning their sustainability practices in the marketplace, the findings reveal how consumer perceive companies across key sustainability metrics.

    Amongst home goods retailers, Bunnings had the top performance across all three metrics.

    In Mumbrella, Andrew Palmer, Nielsen head of media analytics in Australia, said:

    Consumer expectations of the sustainability efforts of brands are changing rapidly. Increasingly, they want to know that their environmental and social claims can be substantiated and aren't just 'greenwashing'.

    Each of the categories used in the rankings were selected based on their relevance to the Australian consumer market, in terms of market share, prominence, and additional data from Neilsen. No company was involved in the selection process, and none had the option of being excluded.

  • Sources: The Australian, Daily Mail Australia and Mumbrella
  • bigbox

    Lowe's Q3 2022 results

    Canadian sale hits profits

    While Lowe's has chosen to bow out from its Canadian operations, the company's CEO, Marvin Ellison, sees strong prospects for ongoing growth in the future.

    US-based big-box home improvement retailer Lowe's Companies has announced its results for Q3 of its FY2022. One highlight was Lowe's sale of its Canada-based operations, including the Rona store chain. This follows years of not being able to make the more northern operations match the US-based stores in terms of profit and performance. The sale was made to US-based private equity firm Sycamore Partners for USD400 million, plus unspecified performance benefits. Previously Lowe's had acquired the Rona store chain for USD2.4 billion in May 2016.

    The result of this sale was that selling, general and administrative (SG&A) costs took a heavy hit. Sales for the reporting quarter were USD23.48 billion, down by 2.45% on the previous corresponding period (pcp), which was the third quarter of FY2021. SG&A came in at USD6.44 billion, up by 47.34% on the pcp. Consequently, operation income was USD924 million, down 66.87%, while net earnings were USD154 million, compared to USD1896 million in the pcp.

    For the nine months year-to-date, sales were USD74.61 billion, down slightly on the number for the pcp, which was USD74.91 billion.

    In the press release from Lowe's, the company's CEO, Marvin Ellison is quoted as saying that the company's store-on-store (comp) sales rose by 3.0% in the US, driven by a 19% uplift in Pro/trade sales, and continued strength in DIY sales.

    Analysts' presentation

    Mr Ellison opened the presentation with some comments about how Lowe's sees the market in the US developing. While he acknowledges the impact of high interest rates, and the US Federal Reserve Bank's commitment to slowing the economy to ward off continued inflation, he remains optimistic that the fundamentals of the home improvement market will continue to support strong sales through 2023.

    You've heard me talk about this before, but demand drivers for home improvement are distinctly different from those that drive home building, so it's important not to confuse the two. And as a reminder, at Lowe's, the three highest correlating factors of home improvement demand are home price appreciation, age of housing stock, and disposable personal income.
    So, let's start with home price appreciation. Even if there is a broad-based decline in home prices, homeowners currently have a record amount of equity in their homes, nearly $330,000 on average, which remains supportive of home improvement investment.
    ...
    Second, the average age of homes in the US is over 40 years old and roughly three million more homes built during the housing boom in the mid-2000s, will be entering prime remodelling years by 2025, which is a key inflection point for big-ticket repairs. This is one of the key reasons why two-thirds of home improvement spend is non-discretionary on repair or maintenance projects that cannot be delayed.
    Third, consumer savings are near record highs, while disposable personal income remains strong. And more than 90% of homeowners either own or home or are locked into a low fixed mortgage insulating them from rising rates. On top of these three factors, there is a persistent $1.5 million to $2 million undersupply of homes, and 250,000 first-time millennial homebuyers are expected per year through 2025.
    This unique combination of factors is causing homeowners to trade up in place, preferring to invest in repairs and renovations, to make their current homes meet their families evolving needs rather than buying a new home.
    And this is why we're so confident about the outlook for the home improvement industry even in a period of high inflation and rising interest rates because the key drivers of our business remain supportive.

    What Mr Ellison terms "trading-up in-place" is, in fact, a central part of Lowe's strategic overview, as the CEO made clear in his response to one analyst's question.

    We talked about trading up in place, and that is a phenomenon that we're seeing because the 1.5 million to 2 million shortages of homes and the high-interest rate environment is just incentivising homeowners to keep their low fixed rate and modify their existing home. And so, because of that, you're seeing a combination of older homes getting the maintenance and repair that falls in that two-thirds. But then you see the other one-third that simply upgrading and improving the environment, a new kitchen, finishing the basement, a new bathroom, etc. And so, we're seeing a combination of all of those things.

    One of the areas that Lowe's highlighted as being a growth area was its paint business. This was described by Bill Boltz, the executive vice president for merchandising.

    Paint delivered strong positive comps this quarter across both Pro and DIY. Many of our Pros, especially those who focus on repair and remodel work, paint as part of their larger jobs. In other words, these are Pros who paint rather than professional painters.
    And these Pros are starting to see the value of our new MVPs Pro Paint Rewards program paired with our expanded job site delivery for paint. These enhanced benefits and capabilities are making it more convenient and cost-effective for Pros to purchase their paint directly from Lowe's, earning us more of their business.
    In our continued partnership with Sherwin-Williams, we are also upgrading our paint departments across the US, including a new colour wall that converts all HGTV colours to Sherwin-Williams colours, which resonates with both DIY and Pro customers ... We are also resetting some categories to pull relevant, higher-margin, and more frequently purchased products closer to the front of the department, making it easier for customers to get everything they need for their paint project in one trip.

    Analysis

    With a major investor conference planned for early December 2022, the analysis offered by Lowe's at these results was somewhat muted. However it is interesting to explore this particular strategic view. It is fairly common for commentators on the US home improvement market to see underlying growth primarily driven by increases in household formation. The view suggested here is that a relatively static number of households, with reduced building and sales of new homes, will continue to produce growth through maintenance and in-place upgrading of residences.

    While this certainly has some relevance, there is a contrary theory that sees the possibility of home improvement spending reaching a saturation point. That could be driven by the past two years representing something of a "pull forward" in overall demand for home improvement, and also the possibility that the current fad for living better through better homes will fade to be replaced by more externally oriented expenditure.

    Two factors that need to be taken into account are the lingering effects of COVID-19 and the influence of climate change. If infection rates from COVID-19 continue to be contained through the northern hemisphere winter, it's likely that economies will shift into a new phase, with more expansionary spending.

    Climate change has been incidentally mentioned in the results for both Lowe's and Home Depot. It is simply a fact of the industry that no matter how appalled we may all be at floods, hurricanes, tornadoes and fires, these end up contributing to the home improvement sales. However, at some point, if these continue to increase, we could see this motivate a lessening investment in homes, due to perceived risks.

    Related

    Lowe's divests Canadian business - HNN Flash #119, November 2022
    bigbox

    Retail update

    IKEA Australia launches Sustainable Living Shops

    The home improvement chain is offering a store-within-a-store setup that is about helping customers make eco-friendly choices

    IKEA's Sustainable Living Shops have started to open around Australia, including at its Rhodes, Marsden Park, Canberra, Springvale and Perth locations. The retail concept will also be rolled out at its Adelaide, Tempe and Logan stores in December, to be followed by Richmond and North Lakes in early 2023.

    In-store, shoppers can find products designed to assist with reducing their climate footprint at home by using less energy and creating less waste. IKEA is also positioning the shops to manage higher cost-of-living expenses.

    Many products in the Sustainable Living Shops are designed to bring about savings, such as not having to buy lightbulbs as often, or batteries, or run heating and cooling systems.

    For example, LED lightbulbs that last 25,000 hours, energy-saving light control systems, rechargeable batteries, blinds that trap heat, cooling pads, and mattress protectors that help control the temperature while sleeping. There are also energy-efficient induction cooktops, home solar systems and water-saving showerheads.

    Despite some of the cost saving benefits associated with habits such as energy saving lightbulbs, or reducing food waste, a recent survey conducted by IKEA Australia revealed over half of Aussies (52%) believe living sustainably would increase their cost of living.

    The research also revealed that 60% of Aussies think they should adopt more sustainable practices in their home, however over a third are holding back from making their home more sustainable due to cost.

    In the survey, Aussies said they would have to see an average return on investment of $55 per week to consider being more sustainable.

    The survey was conducted as part of IKEA Australia's annual Sustainability Report that outlines IKEA Australia's sustainability initiatives and achievements from the past 12 months, as well as goals for the future. Mellisa Hamilton, country sustainability manager - IKEA Australia said:

    Right now, the cost of living, energy and food are all rapidly increasing and we understand the challenges consumers face when it comes to living sustainably at home. There's still a perception that introducing sustainable products or habits in the home will cost too much, but it's quite the opposite. There's never been a better time to help Aussies to reduce their climate footprint at home with affordable products and low-cost solutions from IKEA which can also save them money longer term.
  • About the research: This study was commissioned by IKEA Australia conducted online between the 22nd - 29th September 2022 by Decibel. The sample comprised of a nationally representative sample of 1,000 Australians aged 18 years and older. Decibel designed the questionnaire. Following the completion of interviewing, the data was weighted by age, gender and region to reflect the latest Australian Bureau of Statistics population estimates.
  • Related

    IKEA Australia using electric tuk-tuk vehicles for delivery - HNN Flash #119, November 2022
  • Sources: Concrete Playground and IKEA
  • bigbox

    Home Depot and business cycles

    Q3 2022 results show ongoing growth

    While Home Depot continues to show growth, the company sees trading conditions as hardening. Areas of ongoing growth include innovative products and the medium to large Pro/trade customers.

    US big-box home improvement retailer The Home Depot has released its results for the third quarter of its FY2022. Sales came in at USD38,872 million, up by 5.6% on the previous corresponding period (pcp), which was the third quarter of FY2021. Operating income was USD6148 million, up by 6.1% on the pcp. Net earnings for the quarter were USD4339 million, up 5.1%.

    Home Depot had 409.8 million transactions during the quarter, down 4.3% on the pcp. However, average transaction (ticket) spend did increase, from USD82.38 in the pcp to USD89.67 in the reported quarter, a rise of 8.8%. Sales per square foot also increased, by 5.3% to USD618.50. (This equates to USD6711 per square metre, roughly $10066.) The company reports that inflation accounted for roughly 200 basis points (2%) in ticket growth. Sales over USD1000 increased by 10% compared to the pcp.

    Business cycles

    Home Depot has not altered its forecast for net sales growth of only 3.0% for its FY2022 - which means that as year-to-date growth is around 5.1%, that the company expects to have lower sales for Q4 2022 than in Q4 2021. The CEO of Home Depot, Ted Decker, confirmed this in response to an analyst:

    Our transactions have been stronger than initially thought with this inflation. I mean, that's why we have raised guidance throughout the year, is that the price sensitivity wasn't as strong as we thought it would be. However, our guidance implies that fourth quarter comps will be the lowest for the year, albeit positive and we have tougher comps from Q4 last year.

    As Mr Decker, pointed out in his remarks and responses to analysts' questions, you can take two views on that. One is to see this as a lacklustre result, with lower growth prospects ahead. The other is to see this as a real "victory", as not only have past gains been retained, but growth - however slow - continues.

    Here's how Mr Decker summed up the situation in response to an analyst's question:

    When you go back now, what are we, we're 11 quarters into this pandemic. And the first five, six, we had tremendous transaction growth, right? We all know the story of what happened. Not necessarily a lot of cost inflation at that point.
    And then the last six quarters, we start to lap that tremendous activity. But also saw for all the reasons we know, supply chain, commodities, global cost pressures, we saw significant cost in our business, and comps were driven as they were this past quarter with ticket over transactions.
    What we see now as we step back approaching three years is our transaction run rate, our sort of three-year CAGR [compounded annual growth rate] at this point, is more or less pre-pandemic rates. And you could look at that at one hand and say, wow, here's the slowdown.
    On the other hand, Richard [McPhail, chief financial officer] used the term "holding serve". You can look and say, oh my gosh, this industry erupted with demand for a year and a half. Then it cycled significant cost increases. The customer hung in there and was resilient. And your net over this three-year period up in transactions and units despite, what we believe, you'll hold on to these price levels.
    I think that all goes back to my opening comments of what is the dynamic of this overall industry and the health and the engagement level of this customer. And if we normalise from here, gosh, more than great.

    Mr McPhail summed up the current trading conditions very succinctly in his prepared remarks:

    We find ourselves in a unique environment with many cross currents. We are operating in a broad-based inflationary environment not seen in four decades while managing through constrained global supply chain conditions, all against a backdrop of monetary policy shifts intended to moderate demand.

    To put those together, these are the four sets of conditions that the hardware retail industry, both in the US and Australia, has had to work through:

    March 2020

    High demand, both trade/Pro and DIY, under COVID-19 retail constraints. House prices at first decline, then begin to accelerate.

    March 2021

    With high demand and constrained supply, prices of core construction materials such as timber begin to spike higher. Demand in DIY begins to moderate, but trade/Pro demand continues to grow. House prices continue to rise.

    May 2022

    Central banks in the US and Australia sharply raise interest rates as inflation beings to surge out of control. Prices of some construction materials decline, but the construction industry faces a backlog of residential construction work that will take until the end of calendar 2023 to resolve. House prices reach a peak in mid-2021.

    November 2022

    Increasing interest rates begin to have some effect on markets, including a decline in building approvals. Building supplies continue price declines, but remain above historical price levels. Complicating factors, such as extreme weather events and an increase in fuel prices due to Russia's invasion of Ukraine, support ongoing inflation. House prices decline, but not steeply.

    How should hardware retailers respond in circumstances such as these? It's evident from Mr Decker's response to analysts that his strategy is to find out where the areas of ongoing growth are, then to concentrate resources there. To do that requires a kind of constant questioning, as illustrated by this partial response to an analyst asking about forecasting:

    We did see some deceleration in certain products and categories. And again, that's difficult to get at the root cause. Is it a consumer pulling back in general? Is there a reaction to price inflation? Do we have some pull forward in certain categories that people bought so much of certain categories during the pandemic? Or are they moving on to other projects?

    Remaining aware of the price sensitivities of different product categories is vital, as Mr Decker explains:

    On certain commodities, lumber, copper wire, where we're pricing to market weekly, you see a much more classic reaction to price and unit productivity. With other categories, and I hate to bring up grills again, but there's some classic price points on some plastic grills. And when we saw those grills get up over USD600, we saw a more dramatic drop off in engagement. And when Jeff [Kinnaird, executive vice president of merchandising] and the team work those prices down even to the low USD400s and - or high USD400s, low USD500s, you saw a response with unit productivity.

    The real positive, however, at least in the consumer market, is that product innovation continues to be a driving factor.

    Across the board, though, there has been - and Jeff mentioned this, there has been so much innovation across our categories. If you think of the dramatic shift of outdoor power equipment in power tools, in appliances and what the features and benefits of these products are, the technology embedded in these products.
    I'm not sure it's quite an iPhone, but we're getting close to power tools being in that genre. And people love the newness and the innovation and they're, albeit higher prices, but people are responding in buying. So I think it's a mix, Brian, across the categories, and that's what Jeff and our merchant teams do such a great job managing every day.

    That innovation is also something of a protection against customers choosing to "trade down" to less expensive products, Mr Decker explains:

    We are not seeing a trade down. If you take my grill or appliance example, it's not that people ultimately bought and they traded down. I think it's that people have already purchased in the past few years. And when people do purchase, again, they're buying innovation. Our Traeger business, for example, is incredibly strong, and as they bring out innovation, customers respond.

    The trade business

    While the consumer business is important to Home Depot, they are also experiencing growth through the trade/Pro business. As Mr Kinnaird explained:

    We are also encouraged by the momentum we continue to see with our larger Pro customers. These medium to large repair and remodeller pros continue to post strong double-digit comps.

    Mr Decker pointed to some of the services that Home Depot has started, to ease the major "pain points" the Pro market experiences.

    Our Pros tell us that finding qualified, skilled labor is a pain point in their business. To that end, we recently announced our 'Path to Pro' platform, connecting skilled tradespeople with hiring trades professionals. This unique and proprietary platform is available at no cost to all Pro Xtra members. It already contains thousands of candidates, and pros have begun posting their open jobs.

    Aside from this, of course, there is a constant push to increase the productivity of in-store, customer-facing staff. One recent development by Home Depot is the Sidekick app, which helps direct staff to the most productive tasks.

    We are currently launching a new application on our in-store mobile devices called Sidekick, which is an in-aisle tasking tool designed to direct associates to the highest value tasks in real-time. The tool will direct associates to key bays where on-shelf availability is low or outs exist. By simplifying our operations, we can generate productivity and enhance both the customer and associate experience.

    Analysis

    In terms of the general economic picture in the US and Australia, there are two main complicating factors going on behind the scenes. The first is that "capitalism" - or, more simply, globalised markets - does not, at first, seem to be working the way it should. High demand and limited supply resulting in increased prices is supposed to trigger more supply. That's not happening, because it's easy to forecast that demand is going to fall steeply once the supply-lag is solved. For example, there is only limited building of new container ships despite a current shortage, because the current supply of container ships will likely be adequate to service trade in 2025.

    The other side of that problem is what we've seen recently with major tech companies in the US. Encouraged by the surge in demand during the COVID-19 pandemic, they staffed-up to build adequate infrastructure. However, while demand did not diminish, it did stop growing at a high rate. This led to large layoffs of staff during October and November 2022. (Though it is more complex than that, with Apple effectively ending growth in Meta's [Facebook] advertising business by making privacy controls the default on its mobile devices.)

    The second fact is that the economy - and many commentators on economics - do not fully understand what the Reserve Bank of Australia (RBA) is doing with interest rates. The RBA's goal is clearly to cut consumption back to the low levels of early FY2020, if not below that. In fact, it's likely planning to manage one quarter of negative, or near negative growth, during the current financial year.

    What the accumulation of these factors have led to is a slightly odd economy. There is certainly demand and growth present still in 2022, but it's regarded as ephemeral. The resulting contradictions are considerable. Business investment, as a percent of gross domestic product, is at the lowest level it has been in 30 years - all the way back to 1992. Business conditions are rated as being 20 points above average, the second highest level in 30 years. Business confidence is positive, but close to average. And capacity utilisation is around 87%, the highest it has been for 30 years.

    Typically, when utilisation goes up, so does business investment (as well as confidence). In this case, however, instead of investing in more plant and machinery (and software), businesses are hiring more people, driving the unemployment rate sharply down. It's also likely we're going to see poor productivity figures emerging for FY2023 as well.

    While all this matters in terms of the next two to three years, the real question that continues to linger, and will become increasingly important, is: after the COVID-19 nightmare is finally over, what kind of economy will Australia be left with? Looking at key numbers such as business investment, which has been in historical decline for the past decade, it's difficult to form an optimistic answer.

    bigbox

    Big box update

    Bunnings trialling new categories

    Work-from-home and wet weather are driving home repairs. This has led Bunnings to seek out new categories and go deeper into existing product ranges

    In a recent interview with The Australian, Bunnings Group managing director, Michael Schneider said Bunnings is growing more in the pool maintenance area, offering chemicals and pool water applications. The hardware retailer also sees a big opportunity in barbecues, selling cookers and smokers, and large equipment that involves slow cooking, pellet-fired flames or charcoal for enthusiasts and more advanced cooks.

    Many new ideas and categories are being tried out in the larger format Bunnings store in the Melbourne suburb of Mentone.

    Mr Schneider believes Australians are rediscovering their own surroundings through COVID-19 and lockdowns. He told The Austrlaian:

    For me, what I have seen really strongly after the last two or three years is Australians have re-fallen in love with the home. We are spending inordinate amounts of time there, it is a really safe place to be and we want to do things around the home and create really great experiences.
    Anything that helps customers fall in love with DIY, big or small, is what really excites us, which is why we have so much content on our YouTube channel, more than 640 hours of YouTube content just shows how much people are interested in learning those new skills."

    An especially popular category at the moment is indoor plants, given the unseasonably wet and cold spring much of the east coast of Australia is having, and that is keeping many people away from starting gardening and outdoor projects. Mr Schneider said:

    It's easy to be very Melbourne centric because we are here. It's certainly been well documented that Victoria had its wettest October on record, that NSW has already had its rainfall for the year.
    There's clearly a bit of a bias to indoors in the home so a lot of our marketing and advertising will be what can you do with your indoor garden. And when it's wet there is more to do around the home, around mould and moisture in the home, you can do indoor painting projects...
    And for the commercial pipeline there is a lot of demand, there's a bit left over from the HomeBuilder scheme and it is just flowing through, a lot in the alteration and addition activity, and obviously with people working at home two or three days a week now there is a lot more wear and tear on the home.

    Related

    Bunnings Strategy Day 2022 - HNN Flash #97, June 2022
  • Source: Weekend Australian
  • bigbox

    Big box update: IKEA

    IKEA trials Australia's first electric tuk-tuks for city deliveries

    The tuk-tuk-style vehicles will be used from its Tempe store in high-density urban areas around Sydney

    IKEA will debut the electric tuk-tuks as a "last mile" - the final journey of cargo and parcels from distribution centre to the customer - delivery vehicle in early 2023. It will enable the home improvement retailer to drop off parcels without polluting the air in heavily populated areas. The three-month trial is part of the big box retailer's move to reach its global goal to provide all customers with zero-emission deliveries by 2025.

    The tuk-tuks were unveiled by last-mile delivery specialist ANC, and rental and fleet management group ORIX Australia Corporation. The specially designed electric tuk-tuk is manufactured by BILITI Electric in India and imported exclusively by Brisbane company EMoS.

    The vehicle comes in flatpack form with assembly required. It has a maximum carry limit of 625kg including the delivery driver and is limited to a top speed of 50km/h with an effective range of 100km. While it lacks delivery van safety features such as airbags, the tuk-tuk's seatbelt, windscreen and third-wheel stability offer advantages over conventional scooters. The electric three-wheelers also have swappable 9kWh batteries. Their drivers will need to wear helmets.

    IKEA Australia chief executive Mirja Viinanen said the tuk-tuk was a natural fit for the company, as "customers have increasing expectations for the retail sector to reduce the environmental impact of its delivery services". Ms Viinanen is also the company's chief sustainability officer.

    IKEA led the way as the first Australian home furnishing retailer to implement home deliveries with electric vehicles. We are committed to this (2025) goal and want to bring the retail sector on the journey with us, so we are calling on the government to help us get there by introducing targeted incentives and charging infrastructure for last-mile delivery and logistics.

    According to The Driven website, electric trucks remain expensive and although there is an expected "after-market" in used batteries - for homes and the grid - the monetary benefits of that remain ill defined. The partnership with Orix will help create a "capital light" expansion into EVs, and demonstrate that the running costs are favourable, and better than renting. Orix CEO Reggie Cabal told The Driven:

    It's still early days for EVs as fleet vehicles and there are still many challenges, however, partnering with like-minded organisations helps overcome barriers and creates greener, more sustainable outcomes.

    He said many companies are in a "holding pattern" as they seek to understand the market and the technology.

    We are helping remove the complexity for delivery professionals to adopt EVs by aligning vehicles, infrastructure, energy and optimisation into a single, practical plan for a decarbonised fleet future. It's important we act now.
  • Sources: Australian Financial Review, Daily Telegraph and The Driven
  • Middle image from ANC Facebook
  • bigbox

    Sausage sizzle stars at Wesfarmers AGM

    Questions asked about environment, cybersecurity

    The Bunnings sausage sizzle received praise, and Wesfarmers faced questions about its environmental credentials at its annual general meeting. Managing director Rob Scott reported Bunnings continued to trade well in the September quarter, though wet weather affected sales.

    The parent company of Bunnings, Wesfarmers, held its Annual General Meeting on 3 November 2022. Both the Wesfarmers chairman of the board, Michael Chaney, and the managing director, Rob Scott, offered prepared comments, and Mr Chaney subsequently answered questions from shareholders.

    Jumping ahead to the shareholder questions, there is little doubt which part would be the favourite of Bunnings managing director Mike Schneider. It wasn't really a question, but more a comment and a "thank you".

    Mine is not a question, Mr Chairman, but a thank you to you and your board and all the people that came up with the idea Australia wide of the good old Sausage Sizzle. You don't realise how all the sporting clubs, all the sporting clubs and social groups that I'm involved with, this is such a great way of raising money. And I thank you very, very much for coming up with the idea.

    Yep, the old sizzle rated a mention at the AGM.

    Rob Scott

    Mr Scott began by offering some comments on general trading conditions during the first quarter of FY2022/23:

    Consistent with our update at our full-year results in August, retail trading conditions have remained robust, and we have been pleased with sales through the 2023 financial year-to-date.
    Australian consumer demand continues to be supported by low unemployment and high levels of accumulated household savings, but rising interest rates and the impact of inflation are starting to affect consumer behaviour.
    Over recent months, shopping patterns and customer feedback indicate some customers are becoming more price sensitive, as they try to manage household budgets. We see these conditions as an opportunity for our businesses, which are well known for their everyday low prices, to outperform relative to others in their markets.

    Mr Scott went on to more specifically detail how Bunnings is performing:

    In Bunnings, sales in recent months have been impacted by an unusually prolonged period of wet weather over the start of Spring, but overall sales growth for the year-to-date remains resilient and continues to be supported by strong demand from commercial customers. While sales growth from DIY customers remains positive, it has moderated from the high levels experienced through COVID.

    He went on to stress the importance of the OneDigital program at Wesfarmers, which includes its substantial investment in data analytics.

    2023 is a foundational year for OneDigital, as we invest in the systems, processes, and capabilities to support our data and digital ambitions. As customers become more digitally savvy and value conscious, the enhanced multi-channel experience and value provided through OnePass will be even more important. Our investment in OneDigital is in line with prior guidance, being an operating loss of $100 million for the 2023 financial year, excluding Catch. We will provide a further update on progress at the half-year results in February next year.

    Michael Chaney

    Many of the questions from shareholders addressed to Mr Chaney dealt with environmental and climate-change associated reductions in energy use. There were also several questions on the move by Wesfarmers into Lithium mining, and questions about how Wesfarmers planned to manage its new health business in the future.

    One of the questions particularly pertinent to Bunnings was whether Wesfarmers as a whole was too dependent on China as a source of supply for its products. Mr Chaney responded:

    That's a very live issue, Mr. Stan, and if I heard you correctly, [you suggested] 60 to 80% of Bunnings products come from China? That's not correct. It's a lot lower than that. But certainly amongst our companies, right across the group, we have significant imports from China.
    There are ways of diversifying and some of the businesses have. Put it this way. We've got 26,000 suppliers over - is it 34 countries, Rob? And we [get] supply a lot from places like Bangladesh. One of the issues about diversifying out of China is that a lot of the people who would produce a product elsewhere source the raw materials and components from China. And so you end up with a dependency anyway.
    But it's an issue I think that all companies and countries like the US are considering and thinking about, and making efforts to make sure that their sources of supply are very diverse, and we're certainly amongst them.

    Mr Chaney was also asked about what steps Wesfarmers was taking to protect itself against "cyberattacks" - hacking of data systems. Mr Chaney replied:

    Sure, well, this is a huge issue that all companies and boards are addressing all the time. And it's something we've been addressing for years. And there's a huge amount of activity, a lot of people employed in the company in the group, handling cyber matters and security matters. The recent attacks have focused everyone's attention, I think, and, you know, as a result, we're renewing our efforts where we're looking further at the question of what sort of information we hold and need to hold. But it's an ongoing issue.
    And it's going to be with us for a long time. And, you know, as soon as you think you're well protected, the villains out there devise some other way of getting into your systems. And it's a matter of being constantly vigilant and making sure you apply the right resources to it.

    Mr Chaney was also asked about how the company was prepared for the potential of a recession in the coming years.

    I mean, it's an interesting question, because over the last 30 years, the world has gone through a few recessions which have not occurred in Australia. The one that has occurred since 1991 was the COVID-related recession, which was very brief and minor.
    So it's possible that the rest of the world would go through a recession and we would not. People talk about the US and Europe going through a recession. And yet the government in its budget ... predicted a growth rate here at 1.5%, which, you know, recession is defined as two quarters of negative GDP growth. So it's possible, we won't, but there's no doubt that, as Rob said earlier, when you have rising interest rates, falling house prices, inflation, and so on, it'd be surprising if you didn't have a fall in consumption, or a reaction in consumption at least.
    So what you've got to do is make sure you've got a strong balance sheet and that you're well prepared. You're looking at your costs, and so on, you're well prepared, whatever happens and hopefully we won't have a recession - albeit, we'll probably have some sort of a slowing down of economic activity next year, as the government predicts.

    Analysis

    The hidden question in all of this from the AGM is: how well prepared is Wesfarmers for the future? While that ended up being spelled out piecemeal through questions about cybersecurity, recession, supply and response to adverse economic events, that central question remains open.

    There is no doubt that Mr Scott is making good and necessary preparations for that future. It's worth noting that he has shown a good deal of restraint when it comes to acquisitions, and both the move into Lithium production and health care through a pharmacy acquisition are strongly predictive for future strong markets.

    The lingering questions that remain are really over the legacy retail operations. In the short to medium term, both Kmart and Bunnings will likely get through a declining economy, as both are value retailers. There are larger questions about Target and OfficeWorks. Target has been failing because it is largely a fashion business, and it did not adopt the quick reactivity that fast fashion groups such as Zara, H&M and Uniqlo have deployed. OfficeWorks remains as an apparent relic from 2004, with a product line largely devoted to paper products, and technology buying that only appeals to the least sophisticated customers.

    The real question that Wesfarmers faces is whether to treat these businesses as essentially EOL (end-of-life), and to extract what remaining value there is from them, or to invest in essentially new businesses, using their legacy value to leverage new opportunities.

    In terms of Bunnings itself, questions remain over its potential for real innovation. The acquisitions of Beaumont Tiles and its ongoing development of Tool Kit Depot are worthy, but they are not especially innovative in a broader sense.

    bigbox

    Big box update

    Pre-Christmas opening for Bunnings Hervey Bay store

    The hardware retailer turns its catalogue digital and managing director Michael Schneider emphasises training for young tradies

    The new Bunnings store being built in Pialba, a suburb of Hervey Bay on the Fraser Coast in QLD is close to completion. It is being built on Main and McLiver Streets, next door to the existing store on Boat Harbour Drive.

    Bunnings area manager Annabelle Fawkes-Jones recently confirmed the new Hervey Bay store will open prior to Christmas. She told the Fraser Coast Chronicle:

    The existing store in Boat Harbour Drive will close the evening before the new store opens.
    The new store represents an investment of around $59 million, and we expect to create approximately 80 new team members jobs to add to the existing 200 team members currently employed...

    The retail development will feature a warehouse, outdoor nursery, landscape and material yard, trade yard, cafe and over 460 car park spaces.

    The highly recognisable Bunnings signage has been put up, and finishing touches are being added to a retail area about 5000sqm larger than the current store, reaching more than 17,000sqm in floor space.

    Related:

    Bunnings' Hervey Bay development sold - HNN Flash #72, November 2021

    Catalogue turns digital

    Bunnings is replacing its old-school print catalogue with an online offering that includes mobile apps, emails, social media and YouTube videos, according to The Australian in an exclusive report.

    The retailer continues to embrace a digital future as its customers increasingly shift to online shopping.

    The decision to go digital with its catalogue comes after Bunnings informed suppliers at a forum in July that it would review its print catalogue. At the same time, it would look at its digital capabilities to create better experiences for shoppers and how to best showcase its latest products and project ideas.

    In a recent letter to suppliers, Bunnings merchandise director Jen Tucker confirmed the fate of the paper catalogue. According to SmartCompany, it reportedly said:

    Following this review, we've decided to move to a fully digital version of the catalogue in both Australia and New Zealand, which will kick off with a Christmas gift guide special ahead of the festive season.
    We are excited to be moving to this digital-only format which gives us the ability to reach more customers, provides an easier platform for customers to transact and can be evolved to meet the changing needs of our customers.
    The new format will also allow us to amplify and promote our catalogue in mediums where our customers increasingly spend time, including on social media and online as part of our digital advertising.

    Bunnings director of marketing Phil Wade said the retailer was being led by the behaviours and preferences of its shoppers. In 9News.com.au, he said in a statement that it hoped the digital push will make "transacting even easier".

    We know more of our customers are choosing to seek project inspiration and product information online. As such, we recently reviewed our printed catalogue and, like many retailers, have now made the decision to move to a digital-only version...

    Mr Wade added that products will be promoted through Bunnings' website, email, and social media channels and through the popular Bunnings custom magazine. He said:

    This will still be printed and offered for free in store,

    During the pandemic in 2020, Coles, unveiled plans to scrap its weekly printed specials catalogue in favour of digital catalogues. A t the time, Coles announced it was revamping the coles.com website to include a new section, dubbed coles&co, which will publish a digital catalogue with shoppable specials and exclusive content, including daily recipes, which incorporate the week's best deals, new products and shopping tips.

    Related

    Bunnings' merchandising team has been restructured - HNN Flash #104, July 2022

    Future tradies

    At Wesfarmers' annual general meeting in Perth (WA), Bunnings managing director Mike Schneider told The West Australian that the shortage in construction (tradie) skills should be taken more seriously. He said:

    ...The biggest challenge we find on the commercial side is just access to trades. I think that requires structural change over time around getting young people into trades.
    There's a lot of talk about getting people into STEM (science, technology, engineering and mathematics) subjects at school and into data science and technology at university.
    That's critically important for the country but it's just as important to get carpenters, electricians, plumbers and boilermakers.

    Bunnings is also feeling the shortage, finding the trades expertise it needs for its near 300 stores has become more difficult. Mr Schneider said:

    We've seen quite a significant reduction in the number of people wanting roles in our stores, not because the employment environment is not attractive but because you have almost full employment and there's not a lot of labour out there looking for work.
  • Sources: Fraser Coast Chronicle, The Australian, The Australian Financial Review, 9News and SmartCompany
  • Image credit: Real Estate Source
  • bigbox

    ABS building stats show sharp changes

    Work in pipeline grows

    The building stats from the ABS show a market generating strong demand, and an industry struggling to cope with backlogs. For the June 2022 quarter, there was an increase in new projects for multi-unit dwellings, compensating for slack demand during the pandemic.

    The Australian Bureau of Statistics (ABS) has released its statistics for the building and construction industry and markets through to June quarter 2022.

    While these are very useful statistics, they do take a certain amount of navigating to extract their full value. One aspect of the ABS it is best to remember is that their provision of stats is largely driven by historical government department demand. In the case of the building stats, there is a certain amount of repetition and overlap, and the stats don't quite mesh in a way that might be expected.

    There are seven key stats provided.

    1. Building work not yet commenced

    The anticipated completion value of jobs which have been approved, but not started construction at the end of the quarter.

    2. Building work yet to be done

    The value of work remaining to be done on jobs under construction at the end of the period. This would be the completion value of a project, minus the sum of building work done on the project.

    3. Building work in the pipeline

    The sum of the two categories above, work not yet commenced and work to be done.

    4. Building work commenced

    The anticipated completion value for jobs which started during the quarter.

    5. Building work done

    This is the estimated value of building work carried out during the quarter. This is the measure of the actual activity in the construction industry for the specific quarter.

    6. Building work under construction

    This is the anticipated completion value for jobs which were under construction at the end of the quarter.

    7. Building work completed

    The total completion value of jobs which completed in the quarter.

    In these seven stats, there are two primary categories. The first category includes all those stats which are always about the total value of the project. The second category consists of those stats which are about a partial value of the project, and relate to its progress.

    In Table 1, we provide a fictional history of a house with a project value of $1,500,000, that takes 14 months to build, from a building approval in September 2020, to final completion in November 2021.

    It's helpful to think of each of these stats as a kind of "sensor" that records events. One way of looking at the first category is that it includes only "binary" sensors, which record, just "on" and "off", a light sensor - on being the total project value, and off being zero. The second category records extent, like a thermometer.

    In the first category there are three main stats: work commenced, work under construction, and work completed. These are really market tracking stats. They give us an idea of the gross capital that is moving through the construction market.

    The other stats track how the industry is actually performing, under the given market conditions. Building work in the pipeline indicates the total "pressure" in the system, and the primary measure of all these stats, building work done, indicates how that pressure is being handled.

    Depending on what is going on in construction, these stats assume different priorities in understanding what is happening. In the case of current stats, during what is (hopefully) the post-COVID-19 Australian economy, the single most significant stat is for work in the pipeline, as shown in Chart 1.

    This chart illustrates very clearly what extraordinary times the construction industry is going through. Looking at the numbers for houses in the top two graphs, it is clear that starting in March quarter 2021, there have been unprecedented levels of growth in the pipeline of projects. June, September and December quarters of 2021 all recorded growth rates of over 60%. Throughout FY2022 the level of work in the pipeline has remained above $24 billion, where the previous average value for FY2017 to FY2020 was under $16 billion.

    Looking at the numbers for other residential (mostly multi-unit dwellings), there is something of a reverse image, with FY2021 showing very low values, seconded only by the low values of FY2020. However, there are also clear signs of growth in this area for FY2022.

    The corollary to this chart is Chart 2, which shows work to be done. Once again, the top two graphs show remarkable growth in the backlog of construction work in the market for houses, starting in March quarter 2021, and continuing throughout FY2022.

    The two lower graphs show work to be done for other residential. What is most striking here are the very low numbers for both FY2020 and FY2021, followed by numbers at the high end for FY2022.

    Chart 3 shows the number for actual building work done during each quarter.

    The top two graphs for houses show a sharp increase in capacity, especially for the September and December quarters of 2021, with this level maintained through the rest of FY2022.

    The bottom two graphs for other residential show a very different picture. Capacity for both FY2021 and FY2022 has been lower than the historical average, though this began to change in June quarter 2022.

    Chart 4 shows the same numbers on an annualised basis for financial years.

    This chart highlights why it's necessary to see the full stats, in particular the growth in the pipeline, to understand what is really going on in the industry. These graphs would appear to suggest there has "simply" been a mix in composition, with more houses replacing other residential. The pipeline indicates very high demand, that is being filtered out through a limited capacity.

    Chart 5 details building work commenced.

    Perhaps the most significant of these stats is illustrated by the lower graph, which shows the sharp turnaround in projects for FY2022, as commencements for houses drops steeply from its historic high for FY2021, to a level below commencements for other residential.

    This is in sharp contrast with the under construction stats, illustrated in Chart 6, which shows the numbers of projects.

    These show the historical "overhang", with house projects dominating over other residential.

    That overhang is also present in the stats for the number of residential completions, again showing houses as dominant, in Chart 7.

    Analysis

    These charts do make clear just exactly how extraordinary the current period in the construction industry really is. These stats bear out the commonly accepted analysis of the situation, which is that there remains a backlog and ongoing high level of demand, which is stretching the capacity of the industry. The meaning of the stats has shifted from identifying demand, to illustrating where supply has managed to shift.

    It is highly unlikely that the demand will be fully serviced before the end of FY2023, and may extend to the end of calendar 2023 as well. The question that remains is what happens past that point. Are we witnessing a mammoth "pull forward" of demand, which will create a subsequent "shadow" period, where demand decreases sharply, or will demand revert to a more historically normal level?

    That is a difficult question to answer, as it will largely depend on how both the Australian and global economies develop in 2024.

    What is most interesting about the construction situation, however, is that it echoes conditions that we've seen elsewhere in the general economy, both during the COVID-19 pandemic and over the past year as global economies emerge from its influence. There are still radical shortages in the economy of basic goods, including everything from microprocessors for automobiles to staples in grocery stores. While there are still aspects of supply chains that are constrained, it is noticeable that few industries are willing to see shortages as opportunities to invest.

    That is, at a basic level, driven by a fear that investing in boosting supply will produce over investment that will not be justified when the supply problem is solved and demand reverts to normal. You do not, for example, want to double the size of a construction company, only to see it crash when demand reduces in mid-2024.

    Underlying this, however, is what might be interpreted as overall pessimism. There is a growing sense in many economies, as part of what is sometimes described as "secular stagnation", that growth opportunities will be limited in the future.

    However, HNN believes that there is a far more complex situation developing. What we are seeing now is the spread of effects developed by the increasing importance of technology in economies. For example, if we look at the car market, there will come a point when electric vehicles begin to dominate, where the price of internal combustion engine (ICE) vehicles will decrease sharply, as their resale potential declines.

    It's also unclear at the moment how the second-hand market in electric vehicles will operate. Outside of needing to have their battery packs entirely replaced every seven or eight years, maintenance costs will remain low, and durability should be radically increased.

    There are similar effects already at work in areas as widespread as energy markets and transportation. As for construction, there is strong potential in areas such as increased pre-fabrication usage to see the economic situation change radically over the next 10 years.

    bigbox

    Big box update

    Portland, VIC could get a Bunnings store

    A furniture maker in Queensland is in a legal dispute with Bunnings Group Limited after signing a supply contract with the company in 2019

    Glenelg Shire Council has received a planning application from Bunnings Group Ltd, for a store on Richardson Street in the regional town of Portland, Victoria.

    The store would have a total retail floor of more than 5300sqm, according to The Warrnambool Standard.

    Bunnings area manager Patrick Neicho said the application was for a small format store. He told The Standard:

    It would represent a significant investment in the Portland community of more than $15 million. The proposed store would be located near the corner of New Street and Henty Highway and would span more than 5000 square metres, with onsite parking for 125 cars.
    Should our plans progress, we'll look forward to becoming part of the Portland community and supporting the region's economic growth.

    Legal dispute

    Birbilis Bros, a manufacturer of kitchens, wardrobes and furniture based in Logan, Queensland has gone into voluntary liquidation. It is understood cash flow difficulties began in 2019 when it signed a supply contract with Bunnings Group Limited, according to a report in the Albert & Logan News.

    After signing the supply contract, company director Terry Birbilis invested heavily in extra staff, retooling and other expenses so it could supply kitchens and joinery products to the hardware retailer's trade division.

    Mr Birbilis said in court documents that Bunnings agreed to buy a minimum of about $5 million a year in products but bought substantially less, resulting in them taking court action in June 2021.

    The court case is still ongoing, with no resolution following mediation. Mr Birbilis declined to comment but he submitted a statement of claim to the Supreme Court.

    Bunnings general manager - commercial, Rod Caust said Bunnings was defending the claims. He told the Albert & Logan News:

    We have made attempts to resolve the dispute, but unfortunately these have not been successful. As the matter is before the courts, we are unable to provide further comment at this time.

    Founded in 1969, Birbilis Bros was based in Springwood before moving to a larger, 10,000sqm factory at Crestmead in 1994. At one stage it was supplying 120 kitchens a week to Kitchen Connections and other retailers.

    Nick Kombis from liquidators Vincents said it was unlikely the company would be able to return to its factory but the directors still hoped to regain control of the business. Mr Kombis said:

    They have submitted a proposal for a deed of company arrangement. I'm liaising with stakeholders and creditors. The directors are hoping to salvage the company, but at the moment it has ceased trading.
  • Sources: The Warrnambool Standard and Albert & Logan News
  • bigbox

    Big box update

    Bunnings set to tweak its inventories: report

    The new $55 million Bunnings store in Pialba (QLD) is taking shape just metres from its existing premises

    Bunnings is slimming down stock of some of its products and increasing others as it tightens inventory coming out of COVID restrictions.

    The Australian reports that in a letter to suppliers, Bunnings merchandise director Jennifer Tucker revealed the early stages of changes to its inventory management. Ms Tucker wrote:

    With the most disruptive phase of the pandemic-related supply challenges behind us, it's pleasing to see our in-stock performance continuing to improve. With more stock now in stores and our warehouses, we're continuing to calibrate our inventory management to ensure we have the right stock for customers.

    For suppliers to the hardware retailer, it will mean a stronger focus on ensuring the retailer can maintain its low price position while also maintaining the right level of stock to suit changing demand. Ms Tucker wrote:

    Our focus continues to be on ensuring we have stock that supports our lowest prices position, key seasonal categories and demand from our commercial customers. We will however tighten up the inventory settings of lower-turning and niche products.
    For some lower-turning and niche products we'll adjust down our holdings per store ... to reflect the rate of sale rather than presentation levels...
    There'll be more rigour around the approval process for off location and minimum presentation requests. Where requests add too many weeks cover, they may be rejected.

    It is believed this latest change to Bunnings' inventory management relates to the number of products to be displayed at the end of aisles, referred to in her letter as "off location", and will further tighten the volumes of products in store.

    The Wesfarmers-owned retailer could be cutting down stock that was built up this year due to concerns that factory shutdowns and lockdowns in China would disrupt supply chains.

    Along with many hardware stores, Bunnings saw revenues rise over 2020 off the back of a jump in renovation and DIY activity. China is a significant supplier of inventory sold through the Wesfarmers retail networks including Bunnings, Kmart and Officeworks.

    According to the Australian Financial review, the company has never revealed the percentage of goods sourced from China, but the annual report says the Wesfarmers supply chain includes 190 sites in China, Indonesia, Taiwan and Vietnam covering more than 43,000 workers.

    With supply chains continuing to improve, many retailers are looking to slim down inventories to better match demand. In a statement to The Australian, Ms Tucker said:

    There's no doubt COVID was a disruptive period for all retailers with supply chain challenges and unprecedented levels of demand across different product categories.
    Now that we are beginning to come out the other side, we are working with our suppliers to ensure we're managing stock as we always have, in a practical and common sense manner.

    Ms Tucker also told Daily Mail Australia the process was standard for large retailers.

    We're constantly improving our processes to ensure we have the right product on our shelves at the right time and at the lowest prices for our customers. Like all retailers, we regularly review inventory.

    Barrenjoey analyst Tom Kierath said it made sense for Bunnings to finesse its inventory levels to a level more closer to what the business was holding in 2019 before the pandemic hit.

    Mr Kierath said it was difficult to gauge inventory levels, but that the retailer should be tweaking its inventory to benefit from the changing sales mix flowing from the end of the worst of the pandemic. He told The Australian:

    The dynamic here is that all the retail, do-it-yourself products that they sell, the demand for that has been really strong through COVID because people were stuck at home with nothing to do.
    Now they're out travelling and so the demand for those products is going to be lower than what it has been in the last couple of years. And you contrast that with trade products that tradies buy, so power equipment and nuts and bolts ... that part of the market is still strong because of all the work in the pipelines to be done.

    Related

    Bunnings consolidates its merchandising team - HNN Flash #104, July 2022

    Hervey Bay store

    A new Bunnings store is currently under construction in Pialba, a coastal town and suburb of Hervey Bay (QLD).

    When completed, the expansion will create 20 jobs for the region, Bunnings area manager Andy Stewart told the Fraser Coast Chronicle:

    The new warehouse would also create around 145 jobs throughout construction. Building on the things customers like about our current store, it would feature an even wider range of home improvement and lifestyle products.

    The development includes a new warehouse, outdoor nursery, landscape and material yard, trade yard and cafe.

    It is expected to be completed this year.

    Related

    Bunnings development for Hervey Bay - HNN Flash #24, November 2020
  • Sources: The Australian, The Australian Financial Review, Daily Mail Australia and Fraser Coast Chronicle
  • bigbox

    USA update

    Lowe's India is becoming a technology engineering hub

    CEO Marvin Ellison said India could also become the retailer's second largest product sourcing destination as it looks for alternatives to China

    On his first visit to India, Lowe's chairman and CEO Marvin Ellison emphasised the company's commitment to its technology centre in India. He said that India continues to play a pivotal role in the company's journey to become a USD100 billion omnichannel retailer.

    In March, Lowe's India announced the expansion of its operations with a second office in Bengaluru to support its local workforce, which grew by 60% during the pandemic. Today Lowe's has almost 4,000 IT staff in Bengaluru almost as many in the US, according to The Times of India.

    This period of growth coincides with the time Mr Ellison and chief digital & information officer Seemantini Godbole has been at the company. Both joined in 2018. During this time, Lowe's turnover surged from USD67 billion, to an expected USD97 billion this year.

    Mr Elliso said one of the major reasons why the company has done so well in the past four years has been the "amazing" progress it has made in technology. He believes Lowe's was a technology laggard four years ago, but it is now at the cutting edge. And the centre in India has played a vital role in this development.

    Much of the revenue growth has come from e-commerce. Four years ago, it was 3.5% of total revenue but this year it will be 10% of a larger revenue base. Mr Ellison told The Times of India:

    The key part of our digital strategy is run out of here [India]. The entire transition of our e-commerce site from a very clunky infrastructure to the cloud, most of the work was done here in a very accelerated fashion during the pandemic.

    During the pandemic, Mr Ellison said customers started looking for more options.

    Some wanted to buy online, and then pick up the purchase from the store; some wanted to pick it up from a locker in the store instead of engaging with our associates; some wanted our associates to deliver to the parking lot. Earlier, we couldn't do those things because our technology limited us. So, Seemantini's team here and in the US had to develop all those options.

    Mr Godbole said a lot of the Lowes.com components were developed in India. The centre also developed some of the iOS features, and components for the merchandising, pricing, and promotion systems.

    Our associates here are millennials, they are extremely digitally savvy, and are extremely data driven, so a lot of our data capabilities reside here.

    Mr Ellison said new opportunities in the home improvement industry are emerging in the US. There is a rising population of older people, and they want to live independently so they have to modify their houses such as changing the bathtub to a walk-in shower, changing steps to a ramp, and lowering the heights of cabinets. Millennials are becoming home-owners, and they want to do home projects or work in the yard. More women are also taking on DIY projects themselves.

    Despite inflation and higher interest rates, demand for home improvement remains high, along with the need for technology staff.

    Sourcing

    Vietnam is currently is Lowe's biggest sourcing country after China but Mr Ellison said the range of products that India can potentially supply could make it bigger than Vietnam in the coming years. He said:

    I went through some of the great products we are sourcing from here, from long-handle tools like axes and picks, to textiles and sheets, and curtains to storage devices like shelves, fencing material.

    Garden products, and appliances are Lowe's biggest categories. But the fastest growing are storage products and decor. India has good potential because of this, Mr Ellison said.

    Related

    Bunnings sets up IT centre in Bengaluru - HI News 6.02, May 2020, page 26
    bigbox

    Big box update

    Bunnings' new Narrabri store is open for business

    The hardware retailer recently confirmed it has no current plans to open a store in Mansfield, Victoria

    Bunnings has launched its new $15 million store in Narrabri, located around 521kms northwest of Sydney. It is the town's biggest-ever single retail development, according to the Narrabri Courier.

    It is anticipated the store will attract shoppers from a wider area in the north west, and will help to solidify Narrabri's status as a regional centre.

    Located on the corner of Saleyards Lane and the Newell Highway, Bunnings Narrabri covers more than 5000sqm, including a main retail area, nursery, paint department and tool shop, kitchen range and displays, a two-lane timber drive through and trade desk to service local trade customers, with more than 80 customer car parks.

    Bunnings store manager, Caroline Wells, said the team had been "working flat out" over the last few weeks to get the store ready for the first trading day. She told the Narrabri Courier:

    We'll be able to service locals who may have previously travelled to Bunnings stores in nearby towns. Now customers can grab everything they need off the Bunnings shelves right here in Narrabri.

    As part of the store opening celebrations, the team provided donations to local schools in the area, including Narrabri Public School and Wee Waa Public School.

    Bunnings Narrabri will also have a range of sustainability initiatives that will reduce the store's environmental impact, such as LED lighting throughout, on-site water reuse and a 99kw solar PV system, said a Bunnings spokesperson.

    Related

    Bunnings' Narrabri store development in regional New South Wales is nearing completion - HNN Flash #108, August 2022

    Mansfield, VIC

    Bunnings has confirmed to the Mansfield Courier that it has no plans in place to open a store in Mansfield at the present time.

    In 2019, "very reliable" informants told the local newspaper there was a "very real possibility" of Bunnings setting up shop at the old saleyards site in Mansfield.

    Further speculation cited potential locations at the old timber mill site on Deadhorse Lane and near the commercial complex on Mount Buller Road. But those rumours were dismissed by Bunnings director of property, Andrew Marks. At the time, Mr Marks said:

    Benalla remains an area of interest for us and we would consider opening a store there in the future should the right opportunity become available.

    Three years later and Benalla is yet to get a Bunnings store. However, Mansfield locals believe the goal posts may have shifted since then, with most recent census data indicating huge growth in Mansfield compared to the neighbouring rural town.

    An area near the showgrounds has since been suggested, until the most recent rumours pointed to a future industrial estate between Lakins Road and Deadhorse Lane, opposite the racecourse on the Midland Highway.

    This location has been earmarked as a prime location for future industrial development, in an independent report from Charter Keck Cramer, The report was submitted to council for its proposed Commercial and Industrial Land Use Strategy finalised in April 2021.

    The location piqued further interest amongst locals after council removed an item from their most recent meeting agenda a few days after its release, which was entitled "Lakins Road Industrial Precinct Master Plan Project".

    Council confirmed the matter, which would have been confidential, was not discussed at the most recent meeting. The matter likely had to do with council's depot and an industrial/business park subdivision, not the private property to the east, but nevertheless, it fuelled speculation in town.

    Bunnings confirmed recently that while they regularly review opportunities to improve their existing store network, they have no plans in place to open a store in Mansfield.

    The owner of the Lakins Road/ Deadhorse Lane property on the Midland Highway confirmed plans for future industrial development of the land, but said that he hadn't spoken with Bunnings or a supermarket about acquiring a site, and had only heard the rumours like everyone else.

  • Sources: Narrabri Courier and Mansfield Courier
  • bigbox

    Big box update

    Modifications requested for planned Bunnings Wagga store

    Bunnings announced it has teamed up with Afterpay for in-store payments, but with no minimum spend attached

    Wagga City Council's approval for the proposed 18,000sqm Bunnings store on the corner of the Sturt Highway and Pearson Street in Wagga Wagga (NSW) came with a number of conditions. They include the design and configuration of traffic lights at the intersection of Pearson and Bye Streets.

    The previously submitted plans for the development included entries and exits for customers on the Sturt Highway and Pearson Street. To preserve traffic flow, council has said the highway access must be entry-only and the Pearson Street accessway must be removed entirely. Council wanted to make Saxon Street the only exit for customers leaving the store.

    Bunnings has submitted a request to the council, asking it to modify the consent conditions to allow for an additional customer exit directly onto Pearson Street.

    The hardware retailer argued the current restrictions would divert almost all of their customers through the "arduous and counter-intuitive" Saxon Street exit, according to The Daily Advertiser.

    Representing the interests of Bunnings, town planner Aaron Sutherland submitted the request, and said funnelling all vehicles from the hardware store through Saxon Street would create serious traffic issues. He wrote:

    The current approval requires all customers wishing to leave Bunnings to undertake the arduous and counter-intuitive trek around the rear of the building. The compresses the entirely of all Bunnings egress traffic into a convoluted and inconvenient egress pathway which is considered a poor traffic planning outcome.

    The only other customer exit currently permitted for the $24 million development is a merging lane onto the Sturt Highway heading out of Wagga.

    Mr Sutherland argued the majority of customers would want to head east toward the city's CBD after leaving Bunnings - making the highway exit inconvenient for them and forcing them down Saxon Street.

    The council rejected the original request for an exit on Pearson Street due to fears it would create major congestion at the nearby roundabout. Specifically, there were concerns many cars leaving the Bunnings would turn left onto Pearson Street and then make a u-turn at the Sturt Highway roundabout to then head south toward Glenfield Park.

    Bunnings' request to modify the conditions includes modelling conducted by Transport and Traffic Planning Associates which suggests the exit would not create any issues at the intersection.

    Wagga City Council has placed the request to allow a Pearson Street exit at the Bunnings site on public exhibition until October 7.

    Related

    Bunnings store development in Wagga Wagga (NSW) - HNN Flash #76, December 2021

    BNPL at Bunnings

    Bunnings has introduced Afterpay in time for the busy DIY/renovation period during spring and summer. It will offer the popular BNPL (buy now, pay later) service for in-store purchases across its 375 outlets, but there is no minimum spend required to access the service.

    Afterpay allows customers to split the upfront cost of a purchase into four, interest-free payments over six weeks. It is free for customers who pay on time. Those who don't keep up with instalments are charged a late fee, which is capped at 25% of the total purchase price or $68, whichever is lower.

    The decision to offer a BNPL also comes as many Australians feel the pressure of rising inflation, forcing many to cut back on household expenses such as renovation projects.

    Katrina Konstas, executive vice president and country manager at Afterpay said 34% of Australians enjoy DIY projects and hobbies.

    Australia is a nation of DIYers with a passion for their homes and gardens, and nothing embodies this more than our national love for Bunnings. We are excited that Afterpay will now be available to Bunnings' shoppers, which will help Aussies to create inviting spaces within their homes, while balancing their budget.

    To checkout with Afterpay in-store, customers need to first install the payment app, and add the Afterpay card to their digital wallets.

    About BNPL

    Software company Block, formerly known as Square, acquired Afterpay at the end of January 2022.

    In the US and Australia, Block said BNPL transaction sizes were three times bigger than those paid all at once. Globally, the number of new customers paying with Afterpay's service grew by 180% between February and March this year, the company said.

    BNPL companies have faced some criticism in the wake of their growing popularity. Critics have said the payment option allows consumers to rack up debt.

    In Australia, an issues paper canvassing the options for BNPL regulation is scheduled to land in October. Treasury is undertaking a review of the sector to decide how to best bring it within credit regulation, including garnering feedback from the industry.

    Financial Services Minister Stephen Jones said impending regulation of the BNPL sector is intended to create a "level playing field" and not stifle competition among lenders.

    Large players such as Afterpay have argued their instalment payment product is not a form of credit because interest is not charged, and often market BNPL as a budgeting tool.

    Afterpay does not conduct credit checks of customers but its main rival, Australia Zip, undertakes identification and credit assessments.

    As a form of limited self-regulation, the domestic industry has formalised a BNPL code of practice that came into effect in March 2021. Players bound by the code include Afterpay, Brighte, Humm, Klarna, Latitude, Openpay, Plenti and Zip.

    The BNPL sector faces a host of challenges, including a surge in funding costs, rising bad debts and greater competition from banks and other players. Despite four straight monthly rate hikes by the Reserve Bank, retail spending by consumers has remained resilient. That bodes well for the instalments sector, which needs to keep turning over its loan book to earn fees from retailers and other merchants.

    Players offering the product will need to be approved by the Financial Conduct Authority, and borrowers will be able to complain to the Financial Ombudsman Service. A consultation on draft legislation is slated to be released toward the end of 2022, followed by secondary legislation by mid-2023. After that, the FCA will consult on its rules for the sector.

  • Sources: The Daily Advertiser, Daily Mail Australia, 9News, National Post (Canada) and The Australian
  • bigbox

    Big box update

    Bunnings Caboolture expected to open at the start of 2023

    The new store, valued at $32 million is expected to create more than 100 jobs and will include the main warehouse, outdoor nursery, timber trade sales area, cafe and playground

    The Bunnings Caboolture outlet will span more than 13,000sqm and have parking for over 400 cars.

    Regional operations manager Margaret Walford said the new Bunnings would provide greater convenience to local residents living in the growing area of Caboolture and surrounding suburbs, and complement existing stores located in the Moreton Bay Council area. She told the Caboolture Shire Herald:

    The opening will be celebrated with a range of events and in store activities...

    Some delays were experienced due to COVID-19 related challenges and wet weather, but the store development will be completed not long after the previously announced time frame. Initially, the store was planned to open in the second half of 2022.

    The new Bunnings forms part of the $80 million retail precinct at the Big Fish business park, on Pumicestone Road. A Caltex service station and McDonald's were built at the 15ha site in 2018 and 2020.

    Plans for a shopping centre, which will be anchored by Coles and Chemist Warehouse and a Red Rooster have also been approved. Further plans for a PetStock retail centre and veterinary service were also lodged with Moreton Bay Regional Council in August 2021.

    The huge retail centre will service not only the growing Caboolture region but also the future residents of Caboolture West - a satellite city set to be home to close to 70,000 people within the next 40 years.

    Related

    Bunnings store in Caboolture (QLD) - HNN Flash #62, September 2021
  • Source: Caboolture Shire Herald
  • bigbox

    Europe update: Kingfisher

    Sales boost from COVID-19 lockdowns could be over

    However, the energy crisis in the UK has pushed up demand for insulation products such as loft insulation

    B&Q and Screwfix owner Kingfisher has reported a significant drop in profits as it battled higher prices for raw materials such as metal and plastic and energy, as well as ongoing global supply chain disruption caused by higher demand, congestion at ports and the impact of COVID lockdowns. As a result, sales have slowed following the pandemic DIY boom.

    Pre-tax profits at the FTSE 100-listed company which also owns Castorama and Brico Depot in France, fell to GBP474 million in the six-month period to 31 July, an almost 30% decrease compared with GBP669 million a year ago.

    The DIY giant brought in GBP6.8 billion in like-for-like sales in the six months to July 31, a 4.1% fall from the GBP7.1 billion reported in the same period last year, but in line with analysts' expectations.

    Kingfisher had a very strong first half last year because DIY stores were allowed to stay open during COVID-19 lockdowns, and the move to home working prompted many people to make DIY improvements to their homes and gardens.

    This appears to be over, and Kingfisher chief executive, Thierry Garnier, warned of "a more challenging environment" as a recession looms and household budgets are hit by soaring energy and food bills. In The Guardian Australia, he said:

    The cost of living [crisis] probably is worse in the UK [than France]. The French government very early on decided to cap energy prices ... We are really welcoming the decision of the new [UK] prime minister [Liz Truss] in this area.

    At the same time, the company is benefiting from soaring demand for home insulation because customers had been keen to buy energy efficiency products. Mr Garnier said insulation sales were up 110% over the first three weeks in September compared to 2019, and are 82% higher year on year. Overall, across the group, insulation sales are up 70% from 2019, and 32% higher than a year earlier.

    Kingfisher said it has seen a shift back to DIFM - Do it For Me with household jobs outsourced to professionals - now the pandemic has mostly past.

    In the Evening Standard, Mr Garnier said sales were 16.6% ahead of pre-pandemic levels in the first half of the year.

    He said Kingfisher was back to "pre-pandemic levels for in-store product availability", after supply chain problems led to gaps on shelves, and there was good demand for outdoor and big ticket items such as kitchens and bathrooms. Mr Garnier added there were no signs of customers "trading down" to cheaper ranges.

    Kingfisher also warned that it expects inflation pressures to persist in the second half of the year even though raw material prices have dropped from recent highs and freight costs have slowed since January. This is because of the time lag between ordering more expensive products and subsequently selling them, the group said.

    Mr Garnier said Prime Minister Truss' first priority should be to support people faced with soaring energy bills, especially those on lower incomes, but he also stressed the importance of long term measures to improve homes' insulation and energy efficiency.

    The houses in this country are relatively poorly insulated. We need government decisions in this area.

    Kingfisher has sent a number of recommendations to the UK government such as reducing stamp duty for homebuyers who undertake energy efficiency work.

    Online sales

    B&Q's new online marketplace is performing ahead of expectations, with sales from partner brands representing 8% of its online sales in August, said Kingfisher.

    The move to enable partner brands to sell via the marketplace resulted in 100,000 product lines SKUs being added by about 200 partners in a month. The group now plans to launch additional marketplaces in France, Poland and in its Iberia market.

    Ecommerce group sales were 19% lower than a year earlier - but 156% ahead of the same period in pre-pandemic 2019. Some 16% of sales took place online - down from 19% last year, but ahead of 7% in 2019. Digitally-enabled sales accounted for 24% of sales. That's down from 26% a year earlier and up from 20% three years earlier. Kingfisher said in its half-year statement:

    Approximately a quarter of group sales are from ecommerce channels and online orders placed in-store, delivered through click and collect or to customer homes. We expect digitally-enabled sales to continue to grow over time, in line with the continued evolution of both customer behaviours and our in-store technologies and solutions.

    Click and collect remains the most popular online fulfilment channel - although sales via the channel were 22% down on last year but 195% ahead of pre-pandemic levels. Home delivery sales fell by 11% year-on-year - and rose by 97% on three years earlier.

    During the half-year, Kingfisher said it invested in faster fulfilment and in expanding product choice. To that end, it expanded its store-picking model to enable faster click and collect and last-mile delivery, managed orders through digital hubs - now present in 54 B&Q stores - to make home deliveries from store. It also rolled out click and collect lockers in Poland which are now being tested at B&Q in the UK, and expanded one-hour delivery in the UK through Screwfix Sprint to more than 300 shops, covering 45% of UK postcodes. The average delivery time is now 45 minutes, and its fastest delivery has been eight minutes.

    It has added mobile Scan & Go into the B&Q app, expanded its self-checkout terminals and offered a wider range of 3D design capabilities.

    Related

    Kingfisher provides a trading update.

    Kingfisher said demand for DIY remains resilient - HNN Flash #96, June 2022

    B&Q expands its e-commerce platform.

    B&Q's online marketplace - HNN Flash #86, March 2022

    Kingfisher saw continued growth in most segments during 2021.

    Growth at Kingfisher in the future will rely more on trade sales - HNN Flash #87, March 2022
    bigbox

    Lowe's and Home Depot at retailing conference

    The Goldman Sachs 29th Annual Global Retailing Conference

    The big question every home improvement retailer has is how the pandemic boom will change in 2023. Both Home Depot and Lowe's are optimistic, but both also see the need for ongoing change to retain market share and enhance margins.

    US investment firm Goldman Sachs held its 29th Annual Global Retailing Conference in early September 2022. This was attended separately by the CEOs of both The Home Depot and Lowe's Companies, who answered questions posed by the event's host, Kate McShane.

    The Home Depot

    Ms McShane started off the questions for Home Depot CEO Ted Decker and Jeff Kinnaird, the company's executive vice president of merchandising, by asking whether home improvement hadn't exhausted the market through the pandemic years.

    Mr Kinnaird outlined how he has seen consumer projects progress in recent years:

    In the early stages of the pandemic, I think everyone painted - we probably all painted something at some point in the early stages. That shifted to this investment cycle in the backyard and the entertaining in the backyard and we saw that in categories like grills and patio and landscaping and patio heaters and other categories that were about that backyard and about that backyard experience.
    That investment we still see a significant investment there. Past that, we are seeing this project-related investment ... this investment in finishing a basement and finishing a bathroom and repairing [an] issue in a home, replacing sinks and faucets and things that are seeing more wear and tear [as] the consumer spends more time at home. So we do see a transition in the business. It's a healthy transition.

    Mr Decker expanded on those comments by pointing out the evolution of home painting in the North American market:

    Paint is an interesting category in this dynamic ... As Jeff said, when the pandemic hit, everyone painted. The paint business and specifically the DIY - which we have pretty good visibility into if it's a Pro or DIY making the purchase. In the DIY, engagement in paint spiked in the early part of the pandemic and that reversed what has been a very long trend of painting ... It used to be a lot more, at least in our channel, used to be a lot more DIY and less Pro, but over decades now, the DIY share of actually painting has been coming down and the Pro has been going up, because most of us now hire someone to do the painting. That reversed in the first phase of the pandemic as DIYers were home, I'll paint. Now the Pro is re-emerging.

    Asked about how supply chain in changing for Home Depot, Mr Decker spoke about the evolution of three different types of facilities the company is building out:

    One is for big and bulky goods, which we call our flatbed distribution centres. And the great thing about those centres is, we always have had building material distribution centres for replenishment to the stores. And what we do is we move those into newer, larger, more optimised facilities and you can also deliver to job sites from those facilities.
    So you leverage huge inventory quantities that can replenish a store or go to the job site. Those are, I don't know, halfway built out at this point. That's where we are getting a lot of Pro share growth as we are now able to deliver the quantities and materials on time and complete to the job site.
    The second type facility that we are building, calling a direct fulfilment centre, these are both traditional pick, pack and ship e-commerce facilities, which, again, as we've started to build these out, we are about halfway built on these has been supportive of our e-com business. We've doubled our e-com business in the last two years, grew again 12% in the second quarter on top of that doubling.
    The third set of assets are what we call our market delivery operations and these are flow facilities for big and bulky product. So the big and bulky product will leave the FDC, flow to the MDO. Think of this as the last mile then when it goes on a box truck and has a dense route to either job sites or homeowners and the foundation of that flow is our appliance business.

    Mr Kinnaird added a comment about how these facilities were not just about throwing products on a truck.

    And just going back to the flatbed deliver centre as an example, our Pros are, in many cases, demanding deliveries from those facilities. It is not as easy as just putting a product on a truck and shipping it to a Pro. If there is a process of building an order, it's how it's packaged how it's positioned for that Pro. You can make a Pro's life much more productive just how you stack goods together. So, we have Pros demanding that delivery and that's creating a lot of energy around that opportunity.

    Asked about what Home Depot was doing to improve margins overall, the response was that increasing ticket size (order total cost) was important. Mr Kinnaird sees innovation as being an essential part of that.

    I'd also say that part of that ticket is innovation and we continue to see an enormous amount of innovation across our business and that's virtually almost every category. I mean, it's great to see that we've got many longstanding partnerships. It's great to see throughout the pandemic the innovation pipeline didn't slow down, and our merchants have worked alongside of our partners to build an opportunity to think of the continued electrification of tools.
    You think, there is dynamics changing there. I think we used the example earlier, the new Milwaukee M18 framing nailer is now the one tool you buy with the battery platform. Previously, you'd buy a nailer compressor, a cord, fittings and all the pieces that go with that process and today, it's a pneumatic nailer with this electrified nailer. That's changed the market.

    Lowe's Companies

    The CEO of Lowe's, Marvin Ellison, began by fielding questions about how Lowe's saw the overall market developing. He pointed to ongoing demand being driven by macro areas, such as the age of houses in North America.

    Roughly 50% of the homes in the US over 40 years old, and that's probably the largest number since World War II. And we are seeing a cycle where the big home building phase that took place in the early 2000s, those homes are now turning 20 years old, which means you are getting ready to hit a whole different investment cycle.
    And even though the work-from-home phenomenon is subsiding somewhat in certain sectors, I don't think any of us believe they will ever get back to pre-pandemic levels of people working in the office and not using their existing residence for home offices.

    Mr Ellison was also upfront about some of the mistakes that Lowe's has made over the years.

    One of the biggest mistakes that Lowe's made is that everything we did was store centric, everything we shipped, every system and every type of technology because we desired to serve the customers from our stores first. But when the customers decided that they wanted curbside and they wanted lockers and they wanted to bottom line, pick it up in store, we had to pivot. And at the time, we didn't know how to do it. And so now we've created a flexible agile model that we can easily or more easily pivot to the needs of the customer.

    Mr Ellison also pointed to some of the mistakes Lowe's made with its Pro (tradie) market. One of the advantages that Home Depot has over Lowe's is a market split 50/50 between Pro/DIY, while Lowe's is more 25/75.

    But then the question is, how do you serve the Pro? And so we're creating a fulfillment network of different nodes, including market delivery that will enable us to deliver products directly to the job site for the Pro.
    And over the course of the past 15 years, Lowe's exited a lot of the national brands that Pros really, really migrate to. Pros are extremely brand loyal and a lot of those brands had left for a variety of reasons and we've been bringing those brands back and now getting price right.

    One of the strengths of Lowe's has been its embrace of innovation in products, and the company sees this as an ongoing strength.

    And for DIY homeowners, we are trying to make projects easier by upgrading our digital experience with them on Lowes.com, investing in a broader set of direct-to-home fulfilment capabilities and enhancing all of our product assortments with new innovative easy-to-use products.
    ...
    We noted on our earnings call that one of our best selling outdoor power equipment SKUs was an EGO battery operated mower that reach out over USD700. We could barely keep it in-stock. And so what that means is that customers have a different definition of value. Value is not always just focus on price. It is focused on many other elements and we believe that if we stay closely engaged with our customers, we will always find the right level of elasticity from a pricing standpoint and we've done a really nice job so far this year.
    bigbox

    Big box update

    New Bunnings Ulladulla store plans in progress

    Bunnings Hoppers Crossing, one of the largest stores in the network, has been sold for $100 million: report

    Planning for the new Bunnings outlet in Ulladulla (NSW) is ongoing. Bunnings regional operations manager, Robyn Hudson, said the company is still working on the development with a number of agencies. She told the Ulladulla Times:

    Bunnings was pleased to receive development approval for a new store in Ulladulla earlier this year. At this stage, we don't have any firm timings on when construction will commence.
    We continue to work with Shoalhaven City Council and Transport for New South Wales and we look forward to keeping the local community updated with progress once we know more.

    The proposed Bunnings Warehouse will be located between 189 to 197 Princes Highway, Ulladulla and represents an investment of more than $16 million.

    The new Bunnings warehouse will include the main warehouse, outdoor nursery, timber trade sales area, playground and will span more than 11,000sqm, with carparking for over 180 cars. It is also expected to create more than 80 additional jobs for local residents.

    The current Bunnings Ulladulla is located at 131 St Vincent Street and the hardware retailer does not own the existing site.

    Related

    Decision on a new Bunnings store in Ulladulla (NSW) has been deferred - HNN Flash #84, March 2022

    Bunnings Hoppers Crossing

    The 21,670sqm Bunnings Warehouse in Hoppers Crossing (VIC) together with an Amart Furniture store was sold to ESCB Holdings, a company owned by Guirong Zhang, reports The Age.

    Beau Coulter, who negotiated the sale with colleagues Billy Holderhead, Yosh Mendis and Zomart, did not comment on or disclose the final sale price. However it was listed with expectations of around $100 million.

    Mr Coulter said recent interest rate rises were not dampening investors' interest in large format assets. He told The Age:

    People are looking for properties with long weighted average lease expiry (WALE). Money is moving out of the stock market and residential property, which has seen changes to tenancy laws.

    The properties return a combined annual income of $4,284,186, which would suggest a sharp yield under 5% for the transaction.

  • Sources: Ulladulla Times and The Age
  • bigbox

    Coroner reports on Bunnings-related death

    Fight with Bunnings LPOs has tragic consequences

    Anthony Georgiou passed away hours after loss prevention officers (LPOs) scuffled with the 31-year-old ex-brickie outside Bunnings Frankston in September 2016. Death was due to a medical condition combined with drug use, but the fight probably contributed to his demise, a report by the coroner found.

    The video footage, available through news.com.au, is highly confronting. Two men crouch on either side of another man held prone on the ground.

    Footage shows Anthony Georgiou pinned down, struggling to breathe, hours before death

    Both the prone man's arms are held behind his back, one by each of the other men, as he screams, "I can't breathe! Help! I can't breathe!"

    That took place around 11:00am on a Monday morning, 12 September 2016. (We note that this was three and a half years before the murder of George Floyd by police in the US, which renewed the efforts of the Black Lives Matter movement.) The location of the event was the Bunnings Warehouse store in Frankston, Victoria.

    The man being restrained was Anthony James Georgiou (friends called him "AJ"), a 31-year-old former bricklayer. The two men who restrained him were Abdul Brenzai and George Oyee. They were employed through an outside contractor as "covert operatives" to prevent loss through store theft in that Bunnings store.

    Police arrived at 11:12am. Mr Georgiou reported being "sore all over" his body, and the police called for an ambulance. Some 33 minutes later, at 11:45, Mr Georgiou was being triaged at Frankston hospital. The police spoke to him at 3:30pm that day. He died later in the day, though the exact time of death is not recorded in the coroner's report.

    The causative event behind Mr Georgiou's detention right before his death? Mr Brenzai and Mr Oyee believed Mr Georgiou had attempted to steal a saw blade.

    Obviously, that's not an outcome anyone wanted, including Mr Brenzai and Mr Oyee - as well as Bunnings itself. The medical forensics indicated what a specialist forensic pathologist called a "perfect storm" of medical conditions contributing to the death of Mr Georgiou. However this was paralleled - according to the coroner's report - by a process that seems to have nearly negated the series of safeguards Bunnings had attempted to put in place on the behaviour of its "covert operatives".

    For those of us who spent some time during Melbourne's initial long COVID-19 lockdowns watching the public state inquiry into the failures of the quarantine system, all this has a familiar echo. The Victorian Department of Health employed security guards to manage quarantine, as Victoria police refused participation. The result was undisciplined chaos. Who can forget, for example, the security guard who was placed in quarantine after exposure, got bored, and took up a job delivering takeaway food to households during his isolation period? As a workforce, they were utterly unsuited to their task.

    In a somewhat similar outcome, the coroner did not see any of the matters discussed below as being directly contributive to the highly unfortunate and very sad death of Mr Georgiou. Perhaps the most essential of his statements is this:

    Mr Brenzai and Mr Oyee gave evidence that they acted in self-defence. On the basis of the material before me I am unable to gainsay these assertions.

    That said, HNN still thinks it is worth pursuing this matter at some length. The reason for this is that there is an ongoing dispute, argument and, hopefully, discussion about hardware retail and the form it should take.

    Independent hardware retailers believe that to operate this form of retail successfully requires a depth of knowledge that exceeds that of other forms of retail. There is just too much at stake to do otherwise.

    Bunnings and other corporates tend to disagree. They believe that codes of practice, training, safe systems and good management can work just as well.

    There is much to be said on both sides, but HNN would suggest that the set of events surrounding the death of Mr Georgiou really does illustrate the limits to the Bunnings-style model. That's not because Bunnings was careless, or ill-prepared for what happened. On the contrary, the big-box retailer had Codes of Conduct and a training day for the employees engaged in "covert operations" around loss control.

    The most important thing the coroner has to say is that he is not convinced that even if Mr Brenzai and Mr Oyee had signed the Code of Conduct, attended the training day, and understood what was required in terms of avoiding physical engagement, that this would have made much difference.

    The reality is that probably Mr Brenzai and Mr Oyee should never have been put in the position they were in, not just as loss prevention staff, but also operating covertly. What was needed wasn't a set of guidelines, it was experience, and a real "feel" for the retail environment.

    Basically, if you actually have to tell a staff member "don't get into a brawl with a customer under any circumstances", then you've already made a mistake. Nobody in independent retail has a rule book that begins with Rule No. 1 "Don't punch the customers."

    The simple truth is that not everyone is cut out to work in retail, and that applies double to home improvement retail.

    The coroner's report

    Nearly six years after the event, the Victorian Coroners Court has released its findings. (That's not an uncommon delay for the Court, which has suffered a severe backlog for some time.)

    Coroner's Court findings (pdf)

    The end finding of that report is as follows:

    However, the coroner also acknowledges that there may be more to this death than a medical condition:

    66. Dr Brouwer's report sets out that medical cause of death and further explains the role of the struggle between Mr Georgiou and Messrs Brenzai and Oyee being at least a cause of the manifestation of the conditions which led to Mr Georgiou's death. That is, there seems little doubt that had Mr Georgiou not been involved in the struggle with Messrs Brenzai and Oyee he would have walked away from Bunnings that day.
    67. Submissions made on behalf of Bunnings support this conclusion.
    68. Such a conclusion is not a statement that anyone is, or may be guilty of a criminal offence, nor is it a determination of civil liability but it 'points up' the most significant issue in the Inquest - how the struggle involving Messrs Brenzai, Oyee and Mr Georgiou could have been avoided.

    That finding largely repeats the statement made by Dr H. Bouwer, a specialist forensic pathologist practising at the Victorian Institute of Forensic Medicine. In more detail, Dr Bouwer's report stated that the Mr Georgiou's death was triggered by electrolyte imbalance leading to rhabdomyolysis, which, as explained by Dr Bouwer, is:

    ...the break-down of cells which can occur after a violent, physical, activity or a struggle the effects of which can be complicated by methylamphetamines.

    Dr Bouwer explained that in the setting of physical exercise or strenuous activity the heart rate and blood pressure go up, adrenaline and noradrenaline are released causing stress on the heart. Methamphetamine increases the release of adrenaline and noradrenaline creating more stress and has a direct effect on the heart muscle.

    However, Dr Bouwer also left open the possibility that other injuries may have contributed to Mr Georgiou's death. In particular, he noted an unusual pattern of fractures in Mr Georgiou's thyroid area.

    Dr Bouwer described his examination of Mr Georgiou's body revealed bilateral superior thyroid horn fractures associated with haemorrhage, facial suffusion, bilateral conjunctival petechiae which he said is usually caused by pressure applied to the 'Adams Apple' area of the throat. Whilst Dr Brouwer was unable to describe how much pressure would have been necessary to cause the fractures to which he referred, he explained that in younger people, such as Mr Georgiou, the structures are more cartilaginous than in older people where they are more ossified and in younger people more pressure would be required to cause such fractures.
    Dr Bouwer commented that these injuries did not appear to be immediately fatal because the deceased spoke to police after Dr Bouwer thought that they occurred. Dr Bouwer gave evidence that if these injuries inhibited breathing, then they may have contributed to the cascade of events which resulted in Mr Georgiou's death. That is, a headlock, depending on how it was applied, may have caused the injuries, and if a headlock did cause the injuries and restricted Mr Georgiou's ability to breath, that this too may have contributed to the cascade that caused his death.

    This takes us to the description of the actual encounter between the "covert operatives" and Mr Georgiou. With the benefit of some CCTV footage (though the area where the scuffle occurred had only indirect coverage) the coroner was able to construct a step-by-step scenario. It goes like this:

  • The "covert operatives" say they observed Mr Georgiou remove the tag from a saw blade and place this in a pocket. He went to the register and paid for a number of other items, but was not seen to pay for the blade.
  • Mr Georgiou leaves the main store and enters the enclosed space outside the doors, where he stops for a drink of water.
  • The "covert operatives" approach him. They request that he return unpaid items and accompany them back into the store.
  • According to testimony by Mr Oyee, Mr Georgiou told them he didn't want to go back into the store, but agreed to give them the items he had in his pocket.
  • When the "covert operatives" insisted he return to the store, he told them to "F*** off", and started to force his way past them.
  • As Mr Georgiou pushed past them, Mr Oyee took a 25cm long gas cylinder from him. Meanwhile, Mr Brenzai ends up with his left arm wrapped around Mr Georgiou's neck, in what the coroner describes as a "head lock".
  • According to the coroner's interpretation of the CCTV: "A vigorous struggle ensues, and Mr Brenzai can be seen to punch and knee Mr Georgiou."
  • The struggle goes on from around 11:00am to 11:06am. The police arrive about 11:12am.
  • Testimony of the covert operatives

    Mr Brenzai and Mr Oyee were employed by security firm New Security Solutions (NSS), originally through a subcontracting arrangement with a man named Ali Haidar. In June 2016, the two men began working for NSS directly, an arrangement which was "formalised" in September 2016, but it's left less than clear exactly when that happened. Interestingly, when asked about his employment with Mr Haider by the coroner:

    Mr Brenzai said that he couldn't remember when he started work with or for Mr Haider or how Mr Haider paid him.

    It's perhaps helpful to add this rather short but pithy remark made by the coroner in the summation paragraphs of his report.

    Despite their best-efforts police have not been able to locate Mr Haidar.

    The three key points that were brought up by the coroner were: could Mr Oyee and Mr Brenzai have de-escalated the conflict; if they signed a copy of the Bunnings Covert Operative Instructions Code of Conduct and were therefore responsible for its content; and if they attended a training course held by Bunnings at its Melbourne head office for covert operatives on 19 August 2015.

    De-escalation

    When the coroner asked Mr Oyee why the two men didn't just step away from Mr Georgiou, Mr Oyee replied he didn't want to turn his back on the former brickie. The coroner pointed out that he could have stepped back without turning his back.

    Coroner: So, you could've stepped away from him while you were looking at him. Is that right?
    Mr Oyee: That's right. But the whole issue, your Honour, I wanted to prevent the product off him. I wanted to get the stuff off him.
    Coroner: Get the stuff off him?
    Mr Oyee: And wanted to take him up to upstairs to get the paperwork.
    Coroner: To get the paperwork?
    Mr Oyee: At the end of the week, you have to do the report to, ah, to NSS.

    In a slightly inchoate statement, Mr Brenzai declared that he did not simply let Mr Georgiou go because:

    We feared for our own safety with this gas bottle.

    This was despite Mr Oyee removing the gas bottle during the first minute of the attempted "arrest".

    Code of Conduct

    According to the coroner's report:

    Mr Oyee was shown the Bunnings Covert Operative Instructions Code of Conduct. Mr Oyee gave evidence that his signature was on the copy of this document at p.168 of the Inquest Brief but that he didn't remember signing any such document and that the document didn't look familiar to him.

    When shown a copy of the document, the testimony went like this:

    Coroner: And that's a document you signed? Is that right?
    Mr Oyee: Yes, Your Honour. I haven't directly signed.
    Coroner: I beg your pardon?
    Mr Oyee: I haven't directly signed.
    Coroner: Is that your signature?
    Mr Oyee: It looks like my signature, but I have a doubt.
    Coroner: I'm sorry, I don't understand?
    Mr Oyee: It doesn't look like my signature.

    It goes on like that.

    As the coroner sums up the exchange:

    Mr Oyee gave evidence that he had never seen the document at page 306 before and that it wasn't his signature at the bottom and that nobody from Bunnings had told him not to engage in arguments with a customer or physically restrain an offender except in self-defence.

    Mr Brenzai related a similar account, according to the coroner.

    46. Mr Brenzai was shown a document "Code of Conduct", attached to AM7, the same type of document that Mr Oyee was shown, this version of it ostensibly contained his, Mr Brenzai's signature. The Code of Conduct sets out Bunnings' expectations and instructions to 'convert operatives', that is 'plain clothes' security guards working at the stores looking for 'shoplifters' as Messrs Brenzai and Oyee were on 12 September 2016.
    47. Mr Brenzai gave evidence that the writing on the document was not his handwriting and that the signature was not his. He explained that points 1 - 4 of the document had been explained to him verbally by Mr Naffah, a then employee of New Security Solutions, his then employer although he could not remember when. Mr Brenzai gave evidence that he had never seen the "Code of Conduct" document at page 165 of the Inquest Brief, allegedly bearing his signature. Mr Brenzai gave evidence that nobody had given him any documents or instructions about how he was to perform his role other Mr Naffah explaining to him points 1 - 4.

    The importance of these signatures is laid out by the coroner, as he quotes these two key instructions from the document:

    7. Never attempt an apprehension unless I am 100% certain that the offender has stolen.
    8. Never engage in an argument of any kind with a customer or physically restrain an offender except in self-defence.

    The signatures were, of course, witnessed - but by Mr Haidar, who, as mentioned above, seems to have become somewhat unavailable. This meant the coroner could not make a final determination on these matters. As he reported:

    It is regrettable that Mr Haider could not be located - I can take this matter no further absent further evidence.

    However, in summing up his findings about this area, the coroner states:

    Even if the document had been signed by Messrs Brenzai and Oyee, and they had read Bunnings Covert Instructions I could not say with any degree of surety that what occurred, would not have. It is of course possible that having read those documents Messrs Brenzai and Oyee would have acted differently but on the basis of the evidence I cannot say with any confidence that this would certainly have been so.

    He goes on to comment:

    I am unable to be critical of Mr Brenzai or Mr Oyee for breaching the Bunnings Code of Conduct - and I am not. Their evidence is that they were simply not aware of it. As I have referred to above, even had they been, as the evidence currently stands, I am not clear that such knowledge would have made any difference to what happened.

    August training course

    While Bunnings might have held a training course for its "covert operatives" in August 2015, it seems this was not that memorable an event. Mr Brenzai has some recollection of attending something at Bunnings somewhere around that time, but he could not recall any of the content.

    When asked about whether he recalled attending any covert operative training conducted by Bunnings, Mr Brenzai said that he had attend a meeting in the Bunnings Head Office for which was late. He initially thought that he had attended after lunch although he could not precisely remember. He said that he thought that he attended this meeting while he was working for Mr Haidar and that he, Mr Brenzai was late - he didn't remember if he went back after lunch. He conceded that it may have been August 2015. Mr Brenzai was taken to the PowerPoint slides at pages 281-304 of the Inquest Brief and told that these were presented to students at the covert operative training in August 2015 and asked if the slides or their content were familiar to him. He responded that he didn't remember.

    Mr Oyee seems to have drawn a similar kind of blank regarding the Bunnings training, according to the coroner:

    Mr Oyee was also shown PowerPoint presentation slides said to have been used at a Bunnings training course conducted on 19 August 2015 for covert operatives in Bunnings Stores.
    Mr Oyee gave evidence that he could not remember if he had attended that training session and that the slides didn't look familiar to him. Mr Oyee gave evidence that he didn't recall going to any meetings of security staff or being provided any training at all by Bunnings.

    In the summation paragraphs, the coroner states:

    Mr MacDonald, the then National Investigations Security Manager for Bunnings gave evidence that Bunnings had no evidence that Mr Brenzai or Mr Oyee attended the training session on 19 August 2015.

    It's unclear whether attendance was taken, but the two "covert operatives" did not sign in, or if no efforts to record attendance were made.

    However, again, the coroner does not believe that attendance or non-attendance were determinative:

    There seems to be no controversy that Messrs Brenzai and Oyee didn't complete a full day's training on 19 August 2015. There is however insufficient evidence for me to conclude that if such training had occurred that Mr Georgiou would not have died as he did.

    Analysis

    Just about everyone in hardware retail - including suppliers - who reads this story is probably as much puzzled as horrified by these events. That is just not how you do loss prevention. Really.

    Why didn't the "covert operatives" simply calmly confront Mr Georgiou immediately after he made his other purchases, and say something like - pleasantly but firmly - "Mate, I reckon you might have forgotten to pay for the saw blade in your pocket, right?" That would have made the point, retrieved the allegedly stolen property, and burned up as few resources as possible.

    Or, later, after Mr Georgiou was confronted and offered to give the saw blade back, but refused to return to the store, why didn't Mr Brenzai and Mr Oyee simply accept that offer, and cut their losses? By all accounts, whatever his concealed ailments, he was, well, built like a brickie - a really big, solid guy. Plus, of course, he was under the influence of methylamphetamines. Most retailers know when they are dealing with a drug-addled customer.

    Every single independent retailer knows how to de-escalate and deal with that situation. You don't need to hurt anyone physically, when you can publicly shame or poke fun at the perpetrator. Often you just wait until the next time they visit the store - or try to.

    The odd thing is that HNN has been witness to just exactly this type of good judgement by Bunnings staff in the past. We've seen some young kid (probably a poor apprentice) get stopped on the way out of the Hawthorn Bunnings, and take to his heels, closely chased by a staff member - who was called back immediately by a manager.

    Afterwards, the manager and the staff member had a very quiet chat. The manager pointed out, very seriously, that the staff were under no circumstances to place themselves in that kind of danger, adding that they were also endangering the customer. As the manager said, very clearly, "It's never worth it".

    This also brings to mind, of course, the recent controversy about Bunnings using facial recognition over its CCTV systems to track loss prevention. As HNN wrote at the time, looking at the protections Bunnings has in place, these all seemed very reasonable, and almost a draft for future regulations. But are the assurances the company gives us about how it handles privacy going to result in better outcomes? Are they realised in place, or are they regulations that are seldom followed in a practical sense? The death of Mr Georgiou goes to how much confidence the public can place is guarantees issued by Bunnings.

    But beyond these abstractions, there is a single truth here. There is now an eight year-old Melbourne girl who has to grow up without AJ, her Dad. There's no way to ever make that really right.

    It would be good if everyone in our industry can just try to make sure this doesn't happen again. We can start by respecting expertise, training and experience, rather than just taking the cheap option.

    bigbox

    Big box update

    Bunnings Tempe superstore is greenlit

    Bunnings Group managing director Mike Schneider recently said in an interview there are still opportunities for growth, with a focus on the national roll-out of Tool Kit Depot

    The Sydney Eastern City Planning Panel has given the go-ahead for a huge Bunnings store to be built in the suburb of Tempe, on the Princes Highway in Sydney's inner west.

    It received approval with a local area traffic management plan (LATM) endorsed by the Inner West Council. However, the LATM was rejected and deferred by the same council's traffic committee due to a lack of traffic lights and a fear by residents that their narrow streets could turn into dangerous rat runs.

    Now the planning panel has given the all-clear for the megastore to begin construction with the LATM endorsed. According to the Inner West Courier, the determination stated:

    The panel is now satisfied that all relevant preconditions to consent have been satisfied and there is no reason that would warrant refusal of this modification application.
    The Local Traffic Committee had deferred or failed to decide on the (Inner West) Council's Officer's recommendation to approve the independent study and its recommendations, and both the applicant and the community should be able to expect certainty and timeliness in the planning system.

    The determination by the panel gives Bunnings permission to start construction. However some local community members said the outcome was "extremely disappointing". Local resident Jack Breen told the Inner West Courier:

    This is extremely disappointing news for the Tempe community. Bunnings has successfully used their bulldozer approach to push their way through the NSW planning system to get approval to start their build - opting for the quickest way, rather than the safest way.
    The one silver lining is that the need for a soft closure of Union Street from Smith Street has been agreed, although this is only addressing part of the challenges that remain about this problematic traffic plan for Bunnings Tempe.

    Bunnings welcomed the determination. Chief property officer Andrew Marks said:

    We welcome the Sydney Eastern City Planning Panel's decision to approve the LATM for the new Bunnings Tempe store, which we believe is the safest possible solution for local roads.
    Bunnings Tempe represents an investment in the community of approximately $100 million dollars and will create around 200 new jobs for locals.
    We look forward to being able to progress with the new Tempe store which will provide local residents with a wide range of home and lifestyle products, as well as ongoing local community support through hands-on projects, sausage sizzles and product donations.

    Related

    Decision pending on proposed Tempe store - HNN Flash #88, April 2022

    Tradie market

    Bunnings managing director, Michael Schneider has told the Australian Financial Review (AFR) it will soon open two "dark stores" on the east coast to service Tool Kit Depot (TKD) online orders, with the first stand-alone retail store to open before the end of the year in Queensland. WA already has six stores that are focusing on product categories in the landscape garden market.

    TKD is about landscaping power tools as a growth sector, expanding online before physical stores, and will include repair services. Mr Schneider said:

    The Tool Kit Depot business is helping us cater to more of the specialist trade customers. We're able to deliver even more choice including an expansive power garden range used for landscaping, as well as an onsite service and repair offer.

    According to the AFR, trade sales currently make up around 40% of sales but the goal is to reach 50% of sales compared to DIY.

    The retailer has made big investments in online commerce and is also looking to make a push into more personalised digital communications to consumers and expand Bunnings' marketplace offering.

    Wesfarmers-owned Bunnings will join the newly revamped membership program OnePass around November. Its stablemates Kmart, Target and marketplace Catch are already under this subscription umbrella.

    Related

    Bunnings has signed onto Flybuys as a loyalty program.

    Bunnings makes data play with Flybuys - HNN Flash #74, December 2021

    Bunnings FY2021/22 results.

    Bunnings posted modest gains in FY2021/22 - HNN Flash #108, August 2022
  • Sources: Inner West Courier and The Australian Financial Review
  • bigbox

    Big box update

    Bunnings in North Wollongong to close

    A super-sized Bunnings store in Sydney's inner west may get the green light for construction, as concerned local residents wait for a ruling on a contentious traffic management plan

    Bunnings is set to close its Wollongong (NSW) store in January as the lease comes to an end next year, according to the Illawarra Mercury.

    The store's last day of trade will be January 26, 2023 ahead of the lease expiring in March. Staff will be retained and redeployed at surrounding outlets.

    Bunnings regional operations manager Robyn Hudson said the company's outlets in Bellambi and Kembla Grange offered customers a newer and expanded site. She told the Illawarra Mercury:

    Because our lease expiry was nearing, and because North Wollongong is one of the older stores in our network, we've made the decision to close and service the local community from the nearby stores instead, rather than commit to a further lease term.

    Bunnings opened on the current site in 1997 and the North Wollongong store is one of the oldest Bunnings in NSW. Ms Hudson said:

    As our store portfolio evolves and new investments are made, we continually review our network and our needs in the local areas in which we operate. And while many of our stores play an important role for a long period of time, we continually reassess operations based on lease arrangements and store location.

    The Wollongong location, which covers 27,320 square metres, delivers an annual rent of $1,501,165 to its owner BWP Trust and is currently valued at $26,100,000, according to BWP Trust's 2022 annual report.

    Michael Wedgwood, managing director of BWP Management - the company that manages the properties on behalf of BWP Trust - said the business would assess what is next for the site.

    We will undertake a detailed assessment of all potential uses to determine the best alternative for the site.

    The property was originally purchased in 2003 for $12 million from BBC Hardware Limited which developed the site.

    Bunnings thanked the staff at the North Wollongong store and said their work would be recognised in the coming months.

    Tempe

    The Eastern City Planning Panel in NSW is expected to hand down a ruling relating to the planned construction of a Bunnings store in the suburb of Tempe.

    Bunnings has proposed changes to approved plans to allow construction to begin with the approval of a traffic management plan by the planning panel. The traffic plan was made in consultation with Inner West Council and an independent traffic consultant.

    However the planning panel deferred a decision on Bunnings' proposed changes in March, to give time for council to notify residents of the company's amended development application.

    The Inner West Council recently released its Traffic Signals Feasibility Study (TSFS). Its findings include road safety such as Transport for NSW 'Warrants', traffic signals and road delineation. Physical constraint suggestions include a heritage wall and an IKEA service driveway. Councillor Mat Howard told Inner West Independent (City Hub):

    We have been pressuring Bunnings to improve traffic arrangements at their new Tempe store for close to a year...
    We wrote to the Minister for Transport and Roads seeking approval for these traffic signals almost a year ago, to no avail. Our independent and new feasibility study is clear that traffic lights is the safest option and will have the least impact on our community.
    The Minister for Metropolitan Roads and Transport for NSW owe it to our community to do their job, assess the feasibility study and confirm it is the safest option for our community. Bunnings should then do the right thing by the community they want to be a part of.

    City Hub reached out to Bunnings for comment and a spokesperson said they "remain committed to achieving a safe and efficient outcome for local residents, inclusive of traffic calming measures to minimise any impacts."

    The spokesperson for Bunnings also said:

    However, we're yet to receive approval of the Local Area Traffic Management Plan (LATM), which is delaying the implementation of our development consent issued three years ago. We understand the unchanged LATM will now be put out for consultation again.
    We continue to participate in the Sydney Eastern City Planning Panel process and are hopeful the matter can be resolved through the scheduled meeting on 1 September, so we can move the project forward and provide certainty to our contracted builder and hundreds of trades people who will be engaged to undertake the work.

    Related

    The battle against the proposed Tempe store is now in its sixth year.

    The Eastern City Planning Panel deferred a decision on Bunnings' proposed changes to Bunnings Tempe store - HNN Flash #88, April 2022
  • Sources: Illawarra Mercury, Inner West Courier and Inner West Independent/City Hub Sydney
  • bigbox

    USA update

    Lowe's is offering enhanced supply chain services

    The home improvement retailer is looking to better tap professional customer demand through new fulfillment and delivery pilots

    Lowe's launched its Pro Fulfillment Center in Charlotte, North Carolina in the second quarter, offering customers same and next-day deliveries directly from the facility.

    The company also expanded its fulfillment capabilities direct from its Charlotte stores in April this year, with the rollout of a gig delivery network offering professional customers same- and next-day delivery, a spokesperson told Supply Chain Dive.

    Lowe's and competitor The Home Depot have both invested in enhanced professional fulfillment capacity in recent months, building out operations to cater to the niche consumer segment.

    The Home Depot, which has dominated the segment in the past, began a plan in 2020 to build three Georgia-based distribution centres over the following 18 months, with a key focus on fulfilling large orders for the segment with same and next-day delivery.

    At Lowe's, the company hopes to make fulfillment faster and easier in a bid to be more competitive.

    The Charlotte facility is one way the company is looking to speed fulfillment. As part of the pilot's launch, Lowe's expanded the facility's ability to handle large orders on multiple flatbeds, a spokesperson said.

    In designing the pilot, the company increased inventory levels for pro customer specific SKUs, CEO Marvin Ellison said in June. The fulfillment centre is stocked with more than 1,000 professional-grade products, such as timber, building materials, roofing, sheetrock and insulation, according to a spokesperson. Mr Ellison said:

    This new Pro fulfillment centre combines all these functionalities under one roof. So we're excited about what we're seeing in the short run, and we have a long-term plan to take these facilities and build out a network.

    Retooling its delivery operations has been a focus for Lowe's since the early days of the pandemic, with a goal to simplify the process of getting products to customers. In doing so, the retailer aimed to free up space at stores and grow other supply chain activities, such as same-day and next-day fulfillment to job sites.

    Lowe's also expanded its delivery network to select Florida markets in early August. Mr Ellison said during the company's recent earnings call to investors:

    Because time is money for Pros, one of the most valuable ways that we can serve them is by saving them time with enhanced fulfillment.

    Related

    Lowe's is opening its first Pro Fulfillment Centre dedicated to serving professional customers - HNN Flash #95, May 2022
  • Source: Supply Chain Dive
  • bigbox

    Bunnings FY2021/22 results

    Results trend upwards, but at reduced rate

    Bunnings' results for FY2022 reveal a modest increase in revenues, and less than 1.0% increase in EBIT. However, this comes after two years of double-digit increases, and after a tough season of retail due to COVID-19.

    Australian retail and chemicals conglomerate Wesfarmers has released its results for FY2021/22. As expected, after two prior years of robust growth in many categories, the results were not quite as buoyant. Wesfarmers overall recorded revenue of $36.8 billion, up by 8.5% on the previous corresponding period (pcp), which was FY2020/21. However, that revenue includes inorganic growth from acquisitions in the health sector. Excluding those revenues, revenue was $32.6 billion, for growth of 4.9% over the pcp.

    Similarly, with earnings before interest and taxation (EBIT), after interest and lease liabilities, and excluding significant items from FY2020/21, this came in at $3.4 billion, down -3.8% on the pcp. Net profit after tax (NPAT) was $2.4 billion. After excluding significant items from FY2020/21, this indicates a decline of -2.9% on the pcp.

    While Wesfarmers' WesCEF (Chemicals, Energy & Fertilisers) and Industrial and Safety businesses reported strong gains in EBIT, Kmart Group saw EBIT decline by -39.7%, and EBIT at Officeworks fell by -14.6% on the pcp.

    Bunnings results

    The topline for Bunnings saw revenue grow by $883 million to $17,754 million, an increase of 5.2% on the pcp. EBIT was $2317 million, up by just 0.7% on the pcp. Total stores sales growth was up 4.2%, and store-on-store (comp) sales growth was 4.8% higher than the pcp.

    In terms of overall market performance, hardware retail sales across Australia grew by 5.3% according to Australian Bureau of Statistics (ABS) figures. Given Bunnings' concentration of stores in Victoria, which saw hardware retail sales fall by -0.2% for the recent year, that likely indicates that Bunnings kept pace with the market but did not outperform it.

    In terms of second half performance, Bunnings saw revenue of $8,545 million, and EBIT of $1002 million, which represents an increase of 9.3% and 3.4% respectively over the second half of FY2020/21. ABS figures indicate hardware retail sales grew by 8.5% for that half over the second half of FY2020/21. A note in the Wesfarmers Annual Report for FY2021/22 indicates that total store sales for Bunnings increased by 7.8% during the second half as well. This indicates Bunnings most likely did outperform the market from January to June 2022.

    The results presentation followed a different pattern this year, at the request of the investment analysts, with less time spent on direct company reporting, and more time given over to questions. However, in a change of format, most listed companies are bringing out their annual reports to coincide with the full-year results, and these have provided some interesting material.

    In outlining progress during the year, Mike Schneider, the managing director of Bunnings stated in the Bunnings section of the annual report:

    Strong progress was made on the commercial 'Whole of Build' strategy, with new product ranges, enhanced capability of frame and truss, and improved sales support. Bunnings also launched a new fully-transactable e-commerce platform for commercial customers, and made further improvements to the PowerPass app with increasing usage by commercial customers to support ease of shop.
    Tool Kit Depot expanded into Western Australia with six stores catering to local demand for professional tools and the acquisition of Beaumont Tiles completed in November 2021.

    Mr Schneider's vision of the business is:

    Over the past 10 years, Bunnings has evolved from a warehouse model offering around 34,000 hardware and home improvement products to an omnichannel business with over 110,000 home, commercial and lifestyle products across its in-store, online and marketplace offers.

    Among the items listed as a "focus for the coming years" in the annual report were listed:

  • Reinvest in price by simplifying processes and systems to lower costs
  • Improve customer order fulfilment efficiency
  • Deliver low prices by lowering the cost of goods
  • Own-brand products to provide greater value in selected categories
  • Leverage data investments to personalise customer experiences
  • Continue to enhance online search and functionality to improve ease of shop
  • Network expansion opportunities across Bunnings, Tool Kit Depot and Beaumont Tiles
  • More personalised digital communications
  • Expand Frame and Truss offering
  • Strengthen product range and offer within Tool Kit Depot and Beaumont Tiles
  • Evolve PowerPass membership program to include Beaumont Tiles and provide members greater benefits
  • Use space better to accommodate new ranges, layouts and product adjacencies
  • The path out of COVID-19

    As Bunnings and Wesfarmers were quick to stress, the increase in both revenues and EBIT has been substantial for the big-box retailer when viewed over a longer timeframe. According to the ABS, retail sales grew by 28.4% from FY2018/19 to FY2021/22. Sales at Bunnings increased by 34.8% over that time span, while EBIT absent property income increased at close to 40%.

    Laying out the results in that way indicates that the hardware retail industry has now come to the point that many - including HNN - forecast back in 2021, where the peak in growth has occurred, and the market will, at best, level off. There's little doubt that one reason for the apparent buoyancy in the current market is relatively high background inflation.

    As HNN said back then, the task for publicly listed companies such as the Wesfarmers' owned Bunnings has always been to invest those high-phase earnings back into the business in such a way that the inevitable swing back to more diminished growth - or possibly even negative growth - will be cushioned by new and broader revenue streams.

    How well has Bunnings managed to do this? In particular, what does the exceptionally low EBIT number mean for this context?

    It's a question that also taxed the thoughts of several analysts, with Craig Woolford of MST Marquee putting it into a succinct question:

    Just wanted to ask a question about the Bunnings...I guess I'd phrase it as the "EBITDA margin", particularly for the second half. To look at, I guess one of the measures you guys have looked at the second half 22 sales are up 36% [over three years]. But second half costs on a consistent accounting basis looks to be about 36% [over three years] as well. Unfortunately, we don't get enough disclosure to really understand whether that's product cost or cost of operating the business. But can you give us some clarity about, of that 36% cost growth, what is transitory in nature within that mix, and what is likely to be ongoing?

    Mr Schneider replied:

    We talked about the $71 million in extra costs [due to COVID-19], roughly half of that was in the second half. So that's clearly some, there's a little bit of cost in supply chain as well. And clearly, we're making some investments for the longer term as well, because that's the thing that, ultimately, we're really focused on, is long term growth and long term returns for the business.

    Anthony Gianotti, the chief financial officer for Wesfarmers, added some additional clarification:

    I think probably the only thing to add on there is there's probably a little bit of a mix change through that period. Because as Mike pointed out earlier, commercial has grown stronger through that period, particularly in the second half. And as we know, commercial is slightly lower margin, then consumer. And I think the only other thing is, there's been some investment through that period. So we've had [Tool Kit Depot] investments, and we've had Beaumont Tiles come on board. So I think there's a combination of things going on in there, as to the split in terms of there's obviously a level of investment that will continue. But there's a level of that that will actually reverse over time as well.

    Mr Schneider also added that an additional factor was earlier stocking up in seasonal supplies for the first half of FY2022/23.

    In fact, Bunnings has been investing in growth across four basic areas. There is the new tools business, Tool Kit Depot (TKD), which is designed to compete with Total Tools, Sydney Tools and a range of other trade tool specialist retailers. Secondly, there is the acquisition of Beaumont Tiles, which is an expansion not only into floor surfaces, but also bathroom fittings. Thirdly there is Bunnings ongoing expansion into trade and commercial business, with the company setting a 50/50 revenue goal, based on expanding both trade and DIY/consumer markets. Finally, there is Bunnings' ongoing expansion into online sales, and the further development of digital channels for sales, marketing and community.

    It's important to understand that these changes are not just about market expansions, they are also fundamentally about broad shifts in markets. That idea that the markets have to play a large part in all this was brought up by analyst Richard Barwick of CLSA:

    As you say, it's been a remarkable period of growth. Just be interested to hear your thoughts on how you can sort of work your way or cycle through this. Is there an inevitable slump in sales and earnings that we will be seeing in FY2022/23? And you will be restricted in what you can say, but perhaps if you can give some context around the shape of sales. So, obviously, in the second half, you saw trade outperform DIY. I just go back to one of your comments. I think you made it at the strategy day, wasn't this year but perhaps last year, talking about people that [won't] paint their house twice [in the same year]. So just love to hear your thoughts on how you think Bunnings will shape up over the next 12 months.

    Mr Schneider replied:

    We can see more clearly on the commercial side of the business because of the sort of pipelines of work, that one's a little bit easier to sort of see. And with availability now in categories like timber, insulation, board product, there's pent up demand. I think Anthony touched on that sort of mix in the second half, some of that is a little bit of catch up in the work that's outstanding.
    But talking about builder customers, strong pipelines, two and three years out, and the type of construction that we're focused on, the smaller builder, they're not managing some of these bigger projects, where you've seen some building companies get themselves into a bit of trouble. So I think there's a lot of opportunity for us to pursue there.
    The "whole of build" strategy, the team have sort of built into the way we're thinking about that through the different segments of Bunnings. Also TKD, and Beaumont tiles, I think gives us a great opportunity to really earn the right to be chosen by customers in that space.
    On the consumer side, I think there has been a structural shift in the way that that our customers think about their home, it's become a workplace, it's become a classroom, it's become somewhere that you're spending more periods of time. When you're working from home two to three days a week, there is more wear and tear on the house, you're seeing more things to do. And we saw also see that over the last few years, customers have actually really developed quite a new array of DIY skills. We've been able to bring new products and services and categories into the market to be able to meet those needs. So we sort of, you know, have a view that with people at home a little bit more, that is going to [grow].
    As I touched on earlier, we've got some parts of Australia and New Zealand where for the first time in quite a while we've got the ability to actually trade our stores through a spring and summer cycle, hopefully without interruption. So I think that that structural shift is there, and I'm really focused on driving strong growth as we move through this financial year and beyond.

    Analysis

    When we look back over the history of Bunnings, we see a company that began at the intersection of a number of trends that would help to define the first two decades of the 21st Century in Australia. There was the floating of the Australian dollar during the 1990s, the opening up of China as a manufacturing base, the increasing financialisation of home ownership as urban centres grew in importance, and the rise of new, more efficient logistics models.

    To a large extent, we seem set now to witness the beginning of the end or at least the transformation of most of those trends. That's not necessarily because any of those areas has grown all that less important, but because the potential for growth in all of them has diminished sharply in recent years.

    The question, then, for companies such as Wesfarmers and its subsidiary Bunnings is where is the growth - which is what is needed in order to continue as a viable investment vehicle on the Australian Stock Exchange - going to come from?

    At the moment, the answer that Bunnings at least is providing is to follow a "tried and true" pattern of expansion using Wesfarmers capacity to organise and efficiently scale businesses. The move into trade sales, for example, is something HNN predicted back when Metcash first decided to acquire Danks/Home Timber & Hardware and create the Independent Hardware Group (IHG). That merger was presented to the Australian Competition & Consumer Commission as a "hedge" against Bunnings' influence, but it also set up the trade market for more competition.

    That said, one would be forgiven for thinking that the approach that Bunnings has chosen to take to trade sales, what it terms "whole of build", is somewhat associated with IHG's "whole of house" strategy, first formulated by IHG CEO Annette Welsh in 2018.

    TKD may have some innovative ideas behind it, but it's also a straight competitor to an existing retail solution, already pioneered by Total Tools and Sydney Tools. We don't know exactly what Bunnings plans to do with Beaumont Tiles, but while it's certainly a worthy company, the only real innovation the tile industry has seen for some time is the spread of inkjet printed tiles which can better emulate other surfaces.

    Then of course there is online. It's difficult to think that anyone comparing the websites for The Home Depot, Lowe's Companies or Kingfisher's B&Q with Bunnings would see the Australian site as being anywhere other than at the bottom of that group. It's not a bad website, but it doesn't excel, either.

    What Bunnings did really well back around 2000 was to understand that there was an emerging discontinuity in the market. Taking advantage of that discontinuity disrupted standard hardware retailers then, and still continues to disrupt them today. But now there is a new discontinuity on the horizon, and there are few signs that Bunnings, or even Wesfarmers, are really positioned to take advantage of this.

    bigbox

    Big box update

    Murray Bridge gets new Bunnings store

    The hardware retailer also confirmed its Narrabri store development in regional New South Wales is nearing completion

    The new $16 million Bunnings outlet in Murray Bridge, located around 78 kilometres east-southeast of Adelaide in South Australia, has opened to customers.

    The new store replaced the existing smaller building, just down the road, which opened in 2009. It spans around 7500sqm - more than 3000sqm larger than the existing store.

    Features of the new location include a four-lane trade drive through, a larger nursery, and tool shop, plus an in-store cafe and playground. It also has a new Kitchen Design Centre, a newly laid out paint department, bathroom displays, new look trade service area, a wider range of site safety and workwear products, as well as an aisle for transport and moving needs.

    Bunnings complex manager Jade Sander is leading the Murray Bridge team of 95 and, according to Bunnings, the new store has created over 40 new jobs with around 50 existing team members transferring across from the existing store.

    Ms Sander said team included a number of skilled experts in areas such as timber, tools, paint, kitchens, plumbing, garden and outdoor living who will be on hand to provide residents with expert advice. She told The Murray Valley Standard:

    The new store offers a convenient option for locals who may have previously travelled to larger stores or placed orders with us to access our full range.

    In 2020, a report prepared for the council by consultants URPS described the new store as a "significant investment" in Murray Bridge, but one which would be justified as the city's population grew.

    Bunnings was encouraged by the local council's Make It Yours campaign, which predicted the district's population would reach 29,000 in a decade, the consultants said.

    URPS predicted the expansion would allow Bunnings to generate an extra $70,000 worth of investment for local community groups each year, including by hosting sausage sizzle fundraisers.

    Narrabri

    The doors of Bunnings' new store on the Newell Highway, north of Narrabri (NSW) are expected to open by October this year.

    Bunnings area manager Deb Thompson said recruitment for its local store had been completed, with around 40 new team member jobs created in the community. She told the Narrabri Courier:

    Internal racking, shelving and signage has now commenced, and car park and landscaping works are ongoing. We will soon be busy filling the shelves with thousands of products as we prepare for opening and we look forward to welcoming customers to the new store soon.

    External barriers have come down as the outside work of the store development nears completion. Workers are busily preparing the car park and vehicle entry areas ahead of the opening.

    While the external work nears completion, the focus is shifted on the internal fit-out in anticipation of the October opening.

    The development of a Bunnings store represents a $15 million investment in the venture, and it is anticipated the Narrabri store will cater for the North West region. The store will span more than 5000sqm on its highway site, on the edge of the Narrabri industrial estate. It will feature a main retail area, outdoor nursery, timber and building materials area, as well as parking for more than 80 cars.

    When Bunnings submitted its development application in 2020, it estimated that $15.1 million was spent at hardware businesses outside the region, including at Bunnings stores in Tamworth and Inverell. The company said in its response to submissions lodge in relation to the development in 2020:

    The proposed Bunnings Narrabri represents a tangible expression by Bunnings (and parent company Wesfarmers) in support of the economic potential of the town, and the important regional service role and function that Narrabri serves to surrounding areas...
    This includes the ability to attract customers seeking access to a Bunnings from other towns in the surrounding region, including Moree, Boggabri, Wee Waa, etc.
    Store data indicates customers from Narrabri and surrounds are ... travelling a significant distance to existing Bunnings stores (primarily Tamworth and Inverell), representing 'escape spending' from the region by customers seeking the popular Bunnings warehouse store format...
    The proposal reflects a strong level of confidence in the economic prospects of the town and region, rather than a concern relating to economic vulnerability.

    Of 35 submissions, 32 were in favour of the project, and three were against.

    As part of the development approval granted by Narrabri Shire Council in 2020, Bunnings will enter into a voluntary planning agreement to pay a contribution towards upgrades to the intersection of Newell Highway and Saleyards Lane to accommodate an increase in traffic as a result of the store.

    While the store will have prominent exposure with its frontage on the Newell Highway, access will predominantly take place from Saleyards Lane.

  • Sources: The Murray Valley Standard, Murray Bridge News and Narrabri Courier
  • bigbox

    Home Depot results FY2022/23 H1

    Positive outlook as high demand continues

    The US is facing a home improvement market similar to Australia's - and the same good fortune. Even as the economy reverts closer to 2019, high spending on homes continues.

    US big-box home improvement retailer The Home Depot (HD) has released its results for the second quarter of its FY2022/23, which means the results from the company's first half are available for comparison.

    During the more severe quarters of the pandemic, there was a broad divergence between the US and Australian home improvement markets, and the responses of retailers. For example, the US market had already heavily invested in online e-commerce, where the Australian market had not. It's also necessary to always point out that the US market is far more diverse than the Australian market, in terms of many factors, including weather and culture.

    However, as we begin to enter the pandemic exit-strategy stage, there are more similarities emerging, including inflation caused by both demand and supply shortages, and strong governmental action to curtail that inflation. In fact, Richard McPhail, chief financial officer at HD, summed up US situation that sounds familiar to Australian retailers:

    We find ourselves in a unique environment with many cross currents. We are operating in a broad-based inflationary environment not seen in four decades while managing through constrained global supply chain conditions, all against a backdrop of monetary policy shifts intended to moderate demand. We also see engaged and resilient homeowners who have strong balance sheets, consumers spending more time in their homes, and continued structural support for home improvement project demand.

    From that viewpoint, the results from US retailers provide some interesting perspective on past and emerging markets.

    The numbers

    While the quarterly numbers are interesting, we'll mostly look at the numbers for half, as these provide a more comprehensive overview.

    Sales at HD for the half ending 31 July 2022 were USD43,792 million, an increase of 6.5% over the previous corresponding period (pcp), which was the six months to 1 August 2021. Operating income (much the same as earnings before interest and taxation) was USD7210 million, up by 6.0% over the pcp. Net earnings were USD5173 million, up by 7.6% on the pcp.

    Interestingly, in terms of customer transactions, these fell by 3.0% to 467.4 million, but increased their average value from USD82.48 to USD90.02, up 9.1%. This resulted in an increase in sales per retail square foot of USD700.62, up by 5.7% on the pcp.

    According to Jeff Kinnaird, the executive vice-president of merchandising:

    Big-ticket comp transactions, or those over $1,000, were up 11.6% compared to the second quarter of last year. We saw big-ticket strength across many Pro [tradie] heavy categories like pipe and fittings, gypsum and fasteners.

    He said that the ticket gains were largely driven by inflation, but noted also that tickets were deflated by 0.14% due to falling lumber prices.

    Mr McPhail clarified in response to an analyst's question, that much of the growth in HD's Pro business was coming from larger Pro customers.

    According to HD's CEO, Ted Decker, there was disappointing growth in seasonal items, but this was made up for by ongoing growth in larger housing projects. As Mr Kinnaird pointed out, the seasonal areas that disappointed included BBQ grills, fertilisers, chemicals, and mowers. One reason these trended down was that the 2021 comps were quite high.

    The categories that did much better, according to Mr Kinnaird, included building materials, plumbing, millwork, paint and hardware, while electrical, de´cor and storage, kitchen and bath, outdoor garden, tools, appliances, indoor garden, lumber, and flooring posted positive gains, but were below the overall average for growth.

    In answer to an analyst's question, Mr Kinnaird also provided some details about shifting demand:

    As Ted [Decker] commented, there's COVID pull-forward, there's stimulus effect. We went from a very wet and cold spring, to a very hot summer in the majority of our markets, and the consumer is focusing on other projects... You think of the last year, it was all about the backyard. This year, it's about categories like paint and other large renovation categories, and we're seeing that across our business.
    And then, I'll also say we continue to see the consumer and the Pro trade-up around innovation, and couldn't be more proud of the merchants and our supplier partners on what we delivered around innovation for our customers. We've got a lot of products helping our Pros finish the job faster and simplifying the project for consumers, so no significant trade-down taking place.

    Mr McPhail also set out the forecast for FY2022/23. Sales are expected to be 3.0% up over sales for the prior year, with sales coming off their first half increase.

    Analysts questions

    Michael Lasser of UBS asked the core question that everyone in the industry asks, which is how are sales continuing to grow even as the demand for new housing contracts, due to higher interest rates?

    As Mr Decker stated:

    Our customer in our markets has been incredibly resilient. As Jeff said, project demand is incredibly strong. Our Pro in particular is very strong, and their backlog remains healthy. In DIY, we did see some seasonal weakness. But as we parse through that, it's difficult to say is that weakness in the seasonal businesses the overlap of the two prior incredibly strong years? Is it the weather where we had a really bad and late spring and then it turned incredibly hot across the country? Or are they fundamental demand pressures? Again, we have not seen a broad-based fundamental demand pressure in the business.

    Mr Decker elaborated further on this theme in response to a question about the potential for reversion to pre-pandemic levels of sales:

    Clearly, the US consumer has re-engaged in activities outside the house and travel is incredibly strong right now and eating out and hospitality... But home improvement in particular has been, again, just incredibly strong as Richard laid out, which led us to increase our guidance from what was essentially flat at the start of the year to the 3% we just affirmed.
    But we just don't - we don't see a slowdown from that and remain incredibly bullish about the engagement level. It's really all the dynamic of the home improvement. Again, so many cross-currents in the economy. But when you think of the wealth, our core customers, and their home equity up $9-odd billion; the excess savings rates; the strong jobs and earnings growth of wages; and the fact that we're just continuing to spend more time at home in general, people are still super-engaged in improving that home that they're spending more time in. So, we're certainly benefiting from that longer-term dynamic.

    Analysis

    Perhaps the most interesting section of the presentation, from an analytical perspective, was where Mr Kinniard detailed some of the newly released products that HD expects to perform well. There were four that he called out specifically: a paint, a bathroom shower/bath insert, a power tool series, and a smarthome system.

    The paint is Henry's Tropi-Cool Roof coatings, which increases reflectivity, to help keep buildings cooler. The bathroom kits are the Delta Classic 500 series, which is not stocked by rival Lowe's.

    The tool is Makita's XGT 40-volt and 80-volt system. According to Mr Kinniard:

    The XGT system is engineered to achieve the optimum power required for heavier load applications without sacrificing run time. And these one-battery solution tools are exclusive to The Home Depot in the big box channel.

    The smarthome system is HD's own Hubspace platform.

    These four products provide a look forward into where HD sees the market heading. While HD is careful to describe Tropi-Cool as being useful for reducing the electricity costs of air-conditioning, it is also, of course, and ecologically aware, global warming prevention product. That trend is likely to be a growing one through 2022/23.

    The bathroom kits are an interesting choice, as these are in the somewhat grey area between DIY and DIFM. The kits enable customers to put together complete waterproofing floor/wall systems made from acrylic. This is really a direct pointer to a reviving part of the market in both the US and Australia, which is the acutely cost-conscious DIYer.

    Obviously, the Makita XGT system is a trade product, but it's interesting that this won out for promotion over a Milwaukee/Ridgid tool system.

    As interesting as these are, it is actually the last product, the smarthome system, that is more revealing as regards HD. Smaller home appliances are rapidly approaching the stage where, if not all of them offer smarthome connectivity, that will at least be a range option. Hubspace is a loose alliance between some regular suppliers to HD to make their appliances directly network via Bluetooth or Wifi, and controllable through a shared smartphone app.

    What is surprising, however, is that by the end of 2022 the connected smarthome standard known as Matter will be available - indeed, serious smarthome companies such as IKEA have already announced their Matter hubs. Matter is an "everything" protocol, that will enable just about any smarthome device to communicate with any system.

    Matter uses a communication protocol known as Thread, which overcomes the difficulties inherent to Bluetooth and Wifi systems (such as poor connectivity response times), while also building in more functionality that the pre-existing low-power standard, Zigbee (such as direct internet connectivity).

    While HD has been clear that Hubspace is designed for people who want some connectivity without any fuss, it's just difficult to see those standard surviving very long. Similar standards, from both HD's main competitor Lowe's (Iris) and the electronics big-box BestBuy have failed in the past, angering customers who invested in them, even though conditional refunds were offered.

    The reality behind this is that the US market is set to not so much bifurcate in the future, as to develop definite clustering. One cluster is going to want the most advanced systems of smarthome management it can get, along with, most likely, more climate change aware products. The other cluster is going to want the benefits of technology without having to understand much about it, and probably not be that interested in climate change.

    It's being able to predict for than level and type of variance while will likely determine those home improvement big boxes prosper in the future.

    bigbox

    Big box update

    Bunnings Oxley warehouse to be demolished, rebuilt

    The flood-plagued Oxley store has been closed since the deluge in February this year. The hardware retailer hopes the new-look warehouse will reopen in 2024.

    Bunnings has lodged plans to demolish its flood-affected Oxley warehouse in Queensland and replace it with a raised building that can be reopened one day after waters recede.

    The existing store has experienced at least three major flood events since it was built, but Bunnings is confident the planned version will resist damage. The new store would be higher and much bigger - going from the existing 14,350sqm gross floor area to 19,344sqm. The new-look Oxley warehouse will also have two levels of shop space and carparking underneath, according to a development application (DA) lodged with Brisbane City Council.

    It will be based on a design similar to the warehouse in Bundamba (near Ipswich) which successfully resisted damage in the February flood, reopening 24 hours after floodwaters receded, and stores in Virginia and Acacia Ridge.

    Flood doors would protect the main and nursery entrances and essential services would be raised. It would also mean only the car park would go under water, as the suspended retail floors would be above the one-in-200-year flood level.

    The internal layout would be similar to the existing warehouse, including the main retail area, outdoor nursery and timber trade drive-through. But there would be a wider range of home and lifestyle products.

    Bunnings said it would spend $60 million on the new store. Bunnings regional operations manager, Jason Doyle, said he was hopeful the store would be open again to local customers in 2024, pending council approval. He told South West News:

    We have been working closely with the relevant authorities while preparing our application and we're hopeful of getting a timely approval so we can get on with construction and get back to serving the community, giving them access to the products they need.

    Town planners Property Projects Australia said in the development application (DA) documents that reopening a flooded warehouse could take up to four months. They stated:

    In addition to the impact on flood recovery, approximately 195 team members have been displaced (from at the Oxley store), having to be temporarily relocated to surrounding stores to ensure no significant job loss from the temporary closure.
    Bunnings Group Limited is seeking to replace the existing store to establish a flood-resilient Bunnings Warehouse to ensure the continuity of service and trade through major flood events and to maximise the utility of the land.
    This proposal is founded upon the principles that have been adopted at the (flood resilient) Bunnings Warehouse Bundamba store.

    In "pre-lodgement'' meetings, Brisbane City Council and the State Assessment and Referral Agency told Bunnings that a designated flood warden would have to be on duty at all times during opening hours,

    The existing Bunnings warehouse store is located at 32 Blunder Road in Oxley. Council officers pointed out during the meetings that both access points, on Blunder and Factory Roads, had flooded in January, 2011 and in February this year. They wrote in the DA documents

    To facilitate vehicular evacuation, it would be beneficial to provide a 3.5m wide flood emergency egress point (fitted with removable bollards or boom gate) at the higher part of Blunder Road.

    Bunnings offered to gift land to widen Blunder Road and its verge, to improve that exit. There would be an increase in parking spaces, but it submitted a traffic report on the impact of the extra car movements.

    The two existing access points would be retained, but the safety of a proposed new access to the Ipswich Road Service Lane would need to be considered, Council officers said.

    Council officers also raised concerns about visual screening of the taller building, which would be up to 15.5m high.

    Only 6.2% of the site would be devoted to deep planting (large trees with roots in the ground), less than the required 10%. Officers said the "undercroft'' parking area needed to be screened from the road by landscaping. Property Projects Australia said:

    Council raises no concern with the proposed uses in this location and the proposed redevelopment of the site to ensure the Bunnings is flood resilient providing the issues relating to the visual impacts to the street frontage, can be addressed through landscape screening/buffering.
    It is considered there is merit for a 'performance outcome' (exemption) regarding height as the raised structure is only slightly exceeding the preferred maximum to address the flood constraints affecting the site.

    The warehouse, which has flooded multiple times since it was built, was deemed a high risk stormwater area, but Bunnings said it should not have to submit a hazardous chemicals flood plan as all stock would be on the new, raised levels.

    In June, Bunnings reopened its flood-hit Rocklea store after major repairs, adding new features including a revamped cafe and kitchen design centre. It had to seek specialist advice to ensure the warehouse was structurally and hygienically safe to reopen.

    Related

    Bunnings Oxley store left devastated from February 2022 flooding - HNN Flash #94, May 2022
  • Sources: South West News (Brisbane) and Urban Developer
  • bigbox

    Lowe's FY2022/23 first half results

    Growth stutters, but maintains

    Lowe's has seen a difficult first half unfold for 2022, with the company claiming that poor weather limited seasonal sales. The big-box retailer points to ongoing development of its tradie sales as an indicator of a better future.

    US big-box home improvement retailer Lowe's Companies has reported its results for the first half of FY2022/23. Overall, revenues came in at USD51,135 million for the half, a decrease of 1.7% compared to the previous corresponding period (pcp), which was the first half of FY2021/22.

    Operating income (effectively earnings before interest and taxation) was USD7531 million, an increase of 1.0% on the pcp. Net earnings were USD5325 million, a decline of 0.3%.

    In describing the results, Lowe's CEO Marvin Ellison suggested that weather patterns had produced a less than ideal spring trading season, which resulted in poor sales of seasonal categories. He also pointed to cycling the strong comps from the previous year's pandemic buying sprees, which particularly affected categories such as BBQ grills and patio furniture.

    Lowe's executive vice president of merchandising Bill Boltz noted that there was increased demand for more innovative products.

    Another interesting trend from the quarter is the ongoing demand for innovation, reflecting underlying consumer strength. Rather than seeing trade down, in many cases, we are seeing customers trade up, spending more to purchase the latest technology like battery-powered products available in the EGO, Kobalt, CRAFTSMAN and Skill brands.
    In fact, one of our top-performing products this quarter was an EGO 56-volt self-propelled mower that retailed for over USD700. This unit dramatically outperformed our sales forecast despite being one of the most expensive battery mowers in our assortment, proven what we have said before that value doesn't have to be low priced.
    In refrigeration, we continue to see consumers trade up to higher-priced products in brands like KitchenAid, Samsung and LG, with features and benefits that serve a busy family's lifestyle. And while client sales were below our expectations, we continue to take incremental share and lead the market as the number one appliance retailer in the US.

    Mr Ellison pointed to strong performance in the Pro (tradie) categories, as Lowe's moves to increase its sales split from 25/75 Pro/DIY to better favour Pro sales. Lowe's executive vice president for stores, Joe McFarland, commented further on the development of the Pro market:

    We continue to deliver incredible results with Pro comps of over 13% in the quarter. In fact, this is the ninth quarter in a row that we have driven double-digit Pro comps. Even in a quarter that is traditionally our most DIY-heavy, we saw Pro penetration of over 23% in the U.S., an increase of over 500 basis points from 2019.

    Mr Ellison also went into some detail as regards the home improvement market in general:

    I'd like to address some concerns that I've heard from our shareholders about the home improvement market. I want to begin by clarifying that the market dynamics that pressure the home builder are not necessarily the same market dynamics that pressure the home improvement retailer. At Lowe's, the three highest correlating factors of home improvement demand are home price appreciation, the age of the housing stock and disposable personal income.
    While housing turnover is important, it does not index at the same rate as home price appreciation, housing age and disposable personal income. And while we acknowledge that housing turnover has slowed, home prices and home equity remains at record highs, which gives customers confidence that they will get a return on the investment that they make in their homes.
    And also importantly, those homes keep getting older. More than half of the homes in the U.S. are over 40 years old and millions more built at the peak of the housing boom in the early 2000s are now starting to turn 20 years old, which is a key inflection point for big ticket repairs.

    Lowe's is predicting sales in the range of 1.0% to -1.0% for its FY2022/23 as compared to FY2021/22.

    Analysis

    If there is a single noticeable difference between Lowe's and its main competitor, The Home Depot (HD), it's that you can discus HD without referring to Lowe's, but it's difficult to discuss Lowe's without referring to HD.

    The two companies have had a markedly different experience through the pandemic years. Comparing the first half results at Lowe's between FY2019/20 and FY 2021/22, Lowe's shows a 34% increase in net sales, and whopping 96% increase in net earnings. On the same comparison, HD saw a 37% increase in net sales, and a 49% increase in net earnings.

    One major contributing reason for that is Lowe's heavier orientation to the DIY market, which not only took off strongly during the pandemic, but also - of course - produces higher profit margins. Other reasons include Mr Ellison's astute management of the company, and the availability of new product lines, such as the Craftsman DIY tools from Stanley Black & Decker.

    This half could be a harbinger of what happens to Lowe's now that DIY is fading somewhat, and the Pro market is becoming more significant. There is little doubt that, given its troubled history, Lowe's made the right decision to pursue profits through the pandemic, but this has left it with what we might describe as a bit of a Pro headache after the DIY party.

    The difficulty is, of course, that winning over the Pro market requires deep CAPEX investment over a significant period of time. So Mr Ellison's task is now how to management that transition, while keeping earnings within an acceptable range.

    bigbox

    Big box update

    Kyneton locals considering court action to fight Bunnings development

    Victoria's planning tribunal has allowed a complex that includes a Bunnings to be built in Kyneton, but some residents fear it will detract from the town's country charm

    Macedon Ranges residents are considering Supreme Court action following a state planning tribunal decision to overturn a council vote to put a stop to a development for a Bunnings store, a McDonald's outlet, another restaurant, and a 24-hour service station. It was approved by the Victorian Civil & Administrative Tribunal (VCAT) after the applicant decided to challenge the council's decision and the conditions imposed.

    Susan McNab is one of the locals leading the fight against the development and said residents were disappointed by the tribunal's actions. She said the group would look at viable options to counter the decision, but accepted that a loss in the Supreme Court would be costly. She told ABC Premium News:

    Naturally, we don't feel the decision is to the benefit of Kyneton. That part of the town is the main access to nearby reserves and people often go out that way climbing and for classic car rallies and cycling. It's difficult for many residents to not be considered at VCAT.
    It's been about the economics of the matter. The council said that area would be developed at some point, but this particular style of development works against Kyneton's character.

    The decision almost confirms the introduction of commercial development in Kyneton, which one community group has labelled the "tide of overdevelopment". Residents fear the big brands will take away the small country charm that the town is known for, with small businesses and well-known eateries losing out. However VCAT's decision said:

    The proposal will not detract from the rural character of the Shire. The proposal will reinforce the rural character of the Shire by its location [in a commercial zone] within the protected settlement boundary; [and the] containment of its impacts within the subject land.

    The decision by VCAT attracted hundreds of submissions regarding concerns about traffic and safety, and the effect the development could have on the nearby environment and local economy. Ms McNab wrote to the group:

    Our options on a personal and group level are very limited. We can attempt to appeal the decision on a matter of law ... within 28 days. That is incredibly expensive, and we would have to pay the other party's costs if unsuccessful. It's down to what the shire council may be able to do now.

    Macedon Ranges Shire Council said it was not considering pursuing legal action. A spokesperson told the ABC:

    An appeal of a VCAT decision is made to the Supreme Court of Victoria and must be on a point of law. Council has received communication for the community expressing their disappointment in the decision.

    The council's design guidelines from 2012 showed the council's aim was to "reinforce" the rural character of the Macedon Ranges, particularly in areas that were visible from main roads, the Calder Freeway, rail corridors, and key public viewing areas and from adjoining rural and residential areas.

    Several residents have asked for a review of VCAT's decisions after a similar development in regional Victoria was not allowed to go ahead. Some also said it was difficult for small-town community groups and residents to fight organisations and businesses with access to a lot of money.

    The tribunal has ordered VCAT to remove multiple signs, and reduce the height of one, and resubmit the plans to show those and other changes.

    Related

    VCAT approves Bunnings build in Kyneton (VIC) - HNN Flash #105, August 2022
  • Source: Australian Broadcasting Corporation
  • bigbox

    Big box update

    VCAT approves Bunnings build in Kyneton (VIC)

    The tribunal disagreed with council the new store would be inappropriate for a site located on Edgecombe Road

    The Victorian Civil and Administrative Tribunal (VCAT) has dismissed a claim that a Bunnings store cannot be built in Kyneton (VIC).

    In 2021, developers took the Macedon Ranges Shire Council to VCAT after it failed to make a decision fast enough on their application for a Bunnings store 1.6km away from the centre of town in Kyneton. It would be the anchor tenant for a collection of retail premises.

    The council told VCAT that if it had made a decision, it would have opposed the Bunnings on a number of grounds, according to a report in the Bendigo Advertiser.

    It argued the Bunnings building would clash with the area's unique, rural township character and detract from a gateway into Kyneton, in part because motorists would be able to see it from the Calder Freeway. The council told VCAT:

    While the proposal is an appropriate use of the site, the development response fail [sic] to recognise the sensitivities of the site.

    Witnesses for the developers argued the building's design was one Bunnings had used at other regional locations.

    VCAT described the building as a generally typical Bunnings Warehouse design, with a low-pitched roof, dark green metal cladding walls and white panelling along the lower portion of the facades.

    VCAT said the land was not at the town's border and was in an area zoned for commercial use, with industrial lots already visible to people entering that part of town. It also expected the rural feel of the area would change over time, and that building designs and landscaping would soften the Bunnings' visual impact.

    The council lodged a number of other objections that failed to sway VCAT. They included arguments that more landscaping was needed, especially to soften the building and car parking from roads like the Calder Highway.

    The council also argued designs for a 190-odd space car park could be more pedestrian-friendly.

    VCAT found current landscaping plans and car parking would be appropriate. It ordered developers to submit updated plans to planning authorities.

    In Star Weekly, the council said it was "disappointing" a Bunnings is now on the way to the outskirts of Kyneton.

    Last year, the council knocked back two separate proposals for land at the intersection of Edgecombe Road and Pipers Creek Road, which included plans for a Bunnings Warehouse. It received more than 500 objections to the proposal.

    The decision was appealed at VCAT, and while the proposal for a service station and attached McDonalds at the same location is still pending, the tribunal granted a permit to construct a building, put up signs and create access and parking for Bunnings.

    The council's planning and environment director Rebecca Stockfeld said it had blocked the planning application for a range of reasons which had not been addressed by the VCAT decision. Ms Stockfeld told Star Weekly:

    The proposal had detrimental amenity impacts, a poor design and interface with its surrounds, inadequate landscaping, removal of native vegetation, and poor layout for pedestrians within the car-parking and access areas.
    The VCAT decision to approve the development with little change to the design is disappointing.
    The approved Bunnings will have a generic design, similar to many others in large cities, rather than responding to the unique character of Kyneton and the Macedon Ranges.

    A spokesperson from one of the four respondents to the VCAT hearing, the Macedon Ranges Sustainability Group, said they could not comment at this stage as an appeal for the second proposal was still underway.

    At a council meeting in September 2021, mayor Jennifer Anderson said developers for both applications had not met the necessary standards for approval. Cr Anderson said last year:

    We are now declared an area of distinction and landscape, and we have a standard of planning policy and we must look at when we look at any application. It is mandated upon every authority to do so, and the officers have assessed this application against that and feel that it doesn't meet all those criteria.

    Ms Stockfeld said council would "continue to push for new developments to comply with the design standards incorporated within the Macedon Ranges Planning Scheme" into the future.

    Related

    A proposal for a Kyneton store in regional Victoria has been rejected.

    Kyneton development goes to tribunal - HNN Flash #67, October 2021

    A new development in the central Victorian town of Kyneton includes a Bunnings.

    Bunnings proposed for Kyneton -HNN Flash #57, August 2021
  • Sources: The Bendigo Advertiser and Star Weekly (Sunbury & Macedon Ranges)
  • bigbox

    Europe update: Kingfisher

    Cost-of-living increases present opportunities for own brands

    Kingfisher believes own brands are becoming increasingly important in an environment of higher inflation. Price may be the reason shift, but own brands can offer much more than just cheaper products.

    In a recent edition of UK publication Retail Gazette, Kingfisher chief offer and sourcing officer Henri Solere writes that the cost-of-living crisis is "a moment for own brands to shine".

    Own brand products have a number of benefits for consumers, and against the current backdrop of rising living costs, affordability has leapt to top of the list, according to Mr Solere. He writes:

    At Kingfisher, our own exclusive brands - or OEBs as we call them - are 15-30% cheaper than branded products. Our OEBs have significantly grown in popularity in recent years, up 19% since 2019 and now account for 45% of Kingfisher Group sales.
    But while the affordability argument for buying own brand is clear, there remains a lingering perception that own brand can mean compromising elsewhere - whether that's on quality or on other considerations such as sustainability.
    That might have been true twenty years ago, but today's reality could not be more different.
    It is no longer about sourcing the same products for less, but instead about how we can add value as retailers who know their customers inside out, using that insight to design and develop products that truly suit their needs.
    With consumers thinking more about their finances, now is the time for retailers to step up and show what own brands can deliver.
    The truth is that most own brand products have gone through an exceptionally rigorous design, testing and development process.
    For Kingfisher, the development of any of our OEB product starts with our customers' home improvement challenge whether that's in DIY or trade - and we work back from there. We then find ways to develop and supply the product at scale, so great design is affordable and accessible to everyone.
    To give an example, through listening to our customers, we learnt that they need more space efficient, multi-functional areas in their homes, particularly in the kitchen. So, we created the Romesco smart space sink, which has the functionality for a work surface on top of the sink bowl for preparing food or drying dishes when it isn't in use.
    As retailers, we need to make sure we are not just thinking about now but pre-empting what our customers will need in the future.
    For example, our team undertake in-depth trend analysis to identify changes around how we live in and improve our homes, so we can design products that make customers' lives easier for the long term.
    The success of any of our OEB products is rooted in our ability to truly understand a customer's problem and create a product that fixes it, with our award-winning in-house design team dedicated to delivering just that.
    Having an own brand offer means that a retailer has complete control over the process of bringing products to market. Our depth of knowledge and expertise in home improvement means that we have the ability to create products that solve our customer's challenges, with the reassurance that they are buying from a business that they can trust.
    The 'no compromise' approach doesn't just apply to quality. We want to help customers live more sustainably, without a price premium.
    Our Erbauer 18V power tools are an excellent example of this. We know that most carbon emissions when manufacturing drills come from the battery and charger, so we've developed a product with a battery that can be used in multiple tools thanks to its modular design. In addition, the products' brushless motors mean they last longer between charges, use less energy and have a longer product life.
    Going forward, we're committed to making sustainable home products affordable and accessible to all.
    That's why, despite the cost-of-living crisis, we've increased our sustainable home product target to account for 60% of sales by 2025/26, 70% of which will come from our OEBs.
    As retailers, we need to tackle head-on the outdated myth that buying own brand means buying an inferior product.
    The innovation and expertise that goes into the development of own branded products is remarkable, and the cost-of-living crisis means it has never been important to show what they can do when it comes to affordability and innovation.
    It's time for retailers to rise to the challenge and prove what own brand is really capable of achieving for consumers.

    Related

    Kingfisher provides a trading update.

    Kingfisher said demand for DIY remains resilient - HNN Flash #96, May 2022

    Earlier this year, Kingfisher released its full year results.

    Kingfisher FY2021/22 - HNN Briefing No.5, March 2022
  • Source: Retail Gazette
  • bigbox

    Big box update: Store development

    Application for bigger Bunnings Lithgow store

    Bunnings in Hoppers Crossing (VIC) up for sale and Bunnings Timaru in New Zealand is expected to open in 2023

    A larger Bunnings store could be part of Lithgow's Pottery Plaza in NSW after a development application (DA) was lodged with Lithgow City Council. The proposed commercial premises would be located in Lot 26 DP 1244557 at 21 Willowbank Avenue, off Valley Drive, according to the Lithgow Mercury.

    Bunnings area manager Michele Ward said the new site would replace the existing Lithgow store which is currently located at 295 Main Street in Lithgow. She told the newspaper:

    The proposed store represents an investment of more than $13 million and would span more than 6000sqm, 1500sqm larger than the existing store.

    Ms Ward said the store would create 35 new jobs in the Lithgow community and feature an improved store layout, nursery, a timber trade drive through and car park dedicated for more than 100 cars.

    Bunnings has been part of the Lithgow community since 2010 and we look forward to providing local customers with a much wider range of home and lifestyle products. We will keep the community updated as our application progresses.

    The application and plans for the proposed site are available for public inspection at Lithgow Council's administration centre and on the council's website until August 5.

    Bunnings Hoppers Crossing

    The 55,000sqm Bunnings Hoppers Crossing store in Wyndham City (VIC) is being offered through an expression of interest campaign which closes on 11 August, reports The Property Tribune.

    The store is one of the largest in the Bunnings network, at 21,670sqm, and is complemented by an Amart Furniture outlet. Amart recently renewed its year, resulting in a weighted average lease expiry of seven years, and a total net income of over $4.72 million. Almost three-quarters of this is paid by Bunnings, owned by ASX-listed Wesfarmers.

    Billy Holderhead, a partner of Burgess Rawson, said investor appetite in this sector remains strong, with considerable interest from the top end of the market. He told The Property Tribune:

    Given the scale of the Bunnings store, the quality of its location, forecast growth in the trade catchment, size of the landholding and its robust lease structure, we've backed the property as the best Bunnings freehold ever offered on the open market.

    This Bunnings store is in a high-profile location in what is considered to be the fastest growing local government area in Australia over the past two decades.

    Business consultancy Deep End Services also said the property has the largest concentration of large format retail floor (LFR) space in Victoria. Harvey Norman, The Good Guys, JB Hi-Fi and Barbeques Galore are all located within 500 metres. Mr Holderhead said:

    With swathes of undeveloped residential land in Wyndham City there's still much more growth to come, and the Hoppers Crossing LFR precinct is strategically placed to benefit from this.

    The Bunnings store is being sold as part of a $350 million commercial property auctions and expressions of interest campaign beginning in August. This includes a Wattyl Paints store in Sunbury (VIC) which has signed a new seven-year lease to 2029, with options to 2034.

    Bunnings Timaru, New Zealand

    A Bunnings store located in Timaru, a port city in the southern Canterbury region of New Zealand, is expected to open next year. It is part of the Showgrounds Hill retail development site.

    Ben Camire, director of Bunnings New Zealand said work on the new store is progressing well. He told The Timaru Herald:

    The store's steel structure is now complete to make way for construction of the roof and store exterior, with concrete floor pours also underway. We anticipate the store opening in mid-2023...
  • Sources: Lithgow Mercury, The Property Tribune and The Timaru Herald
  • bigbox

    Big box update

    Bunnings consolidates its merchandising team

    Bunnings and Kmart Australia have paused the use of facial recognition technology while the Australian Information Commissioner investigates their personal information handling practices amid privacy concerns

    Recently appointed Bunnings merchandising director Jennifer Tucker has reduced her direct merchandise reports from three to two. This restructure means that dozens of categories will be grouped into two new portfolios: "building" and "home and lifestyle", according to The Australian.

    Adrian Pearce will lead the "home and lifestyle" portfolio and Cam Rist will lead the "building" portfolio. As a result, Tracey Lefebure will leave Bunnings after a career with Wesfarmers of 34 years.

    In a letter sent to Bunnings suppliers, obtained by The Australian, Ms Tucker told suppliers the change in the merchandising teams would help drive growth and "simplify the way we work". She wrote:

    This simplification of our structure will position us to accelerate our growth strategy in our commercial (tradies) business while also driving our core DIY business.

    Ms Tucker's rationalisation of teams that report to her replaces the structure set up by former Bunnings merchandise director Phil Bishop, who was recently appointed as CEO of discount retailer The Reject Shop. He was Bunnings' director of merchandise and marketing until early 2021.

    The Australian also reports Bunnings held a supplier forum in early July- its first in-person mass meeting with suppliers in more than two years - where issues around Bunnings' strategic agenda and the focus on merchandise strategies were fleshed out.

    For the suppliers who attended the forum, of which 450 were in person and 350 people online, Bunnings laid out merchandise growth opportunities around deepening and evolving its range for both consumer and commercial markets.

    Suppliers were told Bunnings was keen to expand its depth across existing product categories, with particular opportunities in room and furniture storage, garden and garden decor, and kitchen and bathroom. New growth opportunities were also revealed to be in in-home services, pet durables, recreation and the online Bunnings Marketplace.

    The suppliers were also told Bunnings believed that broader consumer growth would come from driving the core pillars across lowest prices, widest range and best experience. From a commercial range point of view, focused on tradies, it would be about better catering for each stage of the build and the needs of specialist trades.

    During the forum, Bunnings also discussed opportunities for its suppliers to partner with it on product innovation and new solutions to address the opportunities the hardware giant sees in the market.

    Related

    Bunnings plans trade revenue growth of $5bn - HNN Flash #97, June 2022

    Facial recognition tech on pause

    Bunnings and Kmart have stopped using facial recognition technology after CHOICE named large retailers that do not collect and use such biometric information, and have no plans to introduce it. Those retailers include Woolworths, Coles, Aldi, Target, Big W, Myer, David Jones, Dan Murphy's, BWS, Vintage Cellars, Liquorland, Rebel and Officeworks.

    Bunnings managing director Mike Schneider said facial recognition allowed the hardware retailer to identify when a banned person entered a store. He told the Australian Financial Review (AFR):

    When we have customers berate our team, pull weapons, spit, or throw punches, we ban them from our stores. But a ban isn't effective if it's hard to enforce.
    For absolute clarity, an individual's image is only retained by the system if they are already enrolled in the database of individuals who are banned or associated with crime in our stores.
    We don't use it for marketing or customer behaviour tracking, and we certainly don't use it to identify regular customers who enter our stores as CHOICE has suggested.

    In the Australian Associated Press, Mr Schneider said:

    If a particular Bunnings store has facial (recognition), and not all of our stores do, the camera will scan your face. It will map it back to the database, and if it doesn't recognise it, no data is held.

    If the camera does 'recognise' a face, their image goes back to Bunnings' loss-prevention team, which determines whether there is a genuine match and they should call the police. He said:

    That's what's been so frustrating for us in the way that this has been characterised by CHOICE. .It's not in any way designed to look at shopping patterns or anything else, it is purely there for the wellbeing of our team.

    It temporarily switched the technology off in stores ahead of a platform shift earlier this year, and has since informed the privacy watchdog it will not be reverting to it for the time being. Mr Schneider said:

    Given an investigation is underway, we won't be using it for the time being.

    CHOICE also polled 16,000 supporters in July that that indicated 80% of people want Bunnings and Kmart to stop using facial recognition in stores.

  • Sources: The Australian, Australian Financial Review, The Guardian Australia and Australian Associated Press
  • bigbox

    Big box update

    Bunnings store proposed close to South Australian cultural site

    There are plans for the site to be turned into a shopping hub after a developer from Victoria looks to buy the land

    Developer Troon Group has entered negotiations with the Indigenous Land and Sea Corporation (ILSC) to purchase the southern portion of the 707 Lot along Marion Road at Bedford Park in South Australia, reports the Eastern Courier Messenger.

    The site would encompass a Bunnings store, two fast food chains and hundreds of car parks.

    Bunnings regional operations manager Jessica Hitchin confirmed the company is considering the site. She told the Eastern Courier Messenger:

    We regularly review opportunities to improve our existing store network, but have no firm plans in place at this stage.

    The Troon Group also said no decision had been made on the development.

    However this has not stopped residents pushing back against the shopping hub proposal. Local resident Carolyn told the Eastern Courier Messenger that the site's cultural significance should be given first priority.

    Warriparinga is an important sacred site for the Kaurna people. The current proposal surrounds the Elders Village with businesses that operate until late at night, increasing noise and light pollution, and will not be the peaceful environment that was envisaged in the original plans.
    I am hoping the new [state] government can do better and quickly provide the means for a better quality of life for the Elders at Warriparinga.

    In June 2021, the-then Marshall Government announced a $10 million village next to the Warriparinga Wetlands that would create a purpose-built village for Aboriginal Elders living in Adelaide. At the announcement, former Premier and Aboriginal Affairs and Reconciliation Minister Steven Marshall said:

    ...Empowering Aboriginal South Australians by supporting them into home ownership, ensuring they have access to safe and secure housing and giving them a greater voice in determining their housing future is all crucial to helping them reach their housing aspirations.

    The 4.3ha vacant site next to the culturally significant Warriparinga Wetlands went on the market back in 2020.

    In documents supplied to The Messenger, the Kaurna Yerta Aboriginal Corporation (KYAC) have been working with the ILSC on a strategy for the land since 2013. An ILSC spokesman told The Adelaide Advertiser:

    ILSC purchased the land some years ago with an ultimate intent to benefit the Kaurna people of Adelaide.
    In 2019-20, the Kaurna Yerta Aboriginal Corporation, Kaurna's native title body, applied for authority under the Aboriginal Heritage Act 1988 to allow the sale and development of the Lot 707 and to specifically construct an Aboriginal Elders' Village on part of the land, and to provide an income stream for Kaurna people from the lease of buildings on the land.
    Most submissions received from Aboriginal people supported the sale and development of the land.
  • Sources: Eastern Courier Messenger and The Adelaide Advertiser
  • bigbox

    UK update

    Kingfisher adds 3D and VR planning tools

    The home improvement group is partnering with 3D Cloud[tm] by Marxent to roll out new 3D visualisation, planning, and design technology

    Kingfisher's latest initiative includes 3D and virtual reality visualisation, planning and design tools across a number of its banner stores. They offer what tech partner Marxent said is "a superior hybrid planning experience" that flows seamlessly between in-store colleague-led design systems and ecommerce.

    Kingfisher's B&Q and Brico Depot Romania stores have already launched the 3D room planning system in the UK, Republic of Ireland and Romania. B&Q UK also has a line-up of intuitive, mobile-first 3D product configurators for fireplaces and the Kingfisher-exclusive Atomia and Alara product lines.

    Using the Kingfisher 3D planning and design tools, shoppers are able to explore, design, visualise and checkout in a single app. Simple enough for consumers and sophisticated enough for experienced kitchen designers, even novices can draw a custom room layout, drag and drop products directly into the space, and customise finishes. More complex design features are available for experienced designers.

    The result is a realistic picture of any kitchen, bathroom, or storage project in both 2D and 3D. Finished designs or proejcts can be exported to HD renders or 360 panoramas for an immersive virtual reality experience. For those shopping from home, items can be added from the finished 3D scene directly to their e-commerce basket.


    Customers can book an in-store planning appointment, sharing measurements, budget, style preferences, and designs and collaborate on final project details.

    The suite of tools also offers the retailer localised to specific banners, markets and product lines, as well as personalisation and customisation options. It comes with auto room scanning and offers a drag-and-drop photo feature, millimetre perfect precision and an add to basket option for easy online check out.

    JJ Van Oosten, Kingfisher's chief digital and technology officer, said:

    At Kingfisher, we're focused on offering the best experience for our customers, offering greater convenience, choice and speed as part of our Powered by Kingfisher strategy.
    We chose 3D Cloud by Marxent because they have the tech, team, and experience to implement 3D experiences at enterprise scale. The 3D room planner tool in stores combines leading-edge visualisation and configuration technology and provides customers with a seamless and personalised shopping experience.
    In partnering with Marxent, it has enabled us to focus on our mobile first approach, with tools to allow our customers to design from pictures and room scanning. 3D technology is just one of the initiatives we have launched to ensure Kingfisher is at the forefront of innovation in retail.

    Related

    JJ Van Oosten at Retail Connected - HNN Flash #44, May 2021

    Sources: Internet Retailing and 3D Cloud[tm] by Marxent

    bigbox

    Big box update

    Investigation by federal Privacy Commissioner

    The probe into Bunnings and Kmart follows a report from consumer advocacy group CHOICE about the retailers' use of facial recognition technology

    The Office of the Australian Information Commissioner (OAIC) announced it will launch an investigation into the personal information handling practices of Bunnings and Kmart in how they use the facial recognition technology in store, and whether it is consistent with Australian privacy law.

    The retailers say facial recognition is being used in some stores to protect shoppers and staff, combat anti-social behaviour and reduce theft.

    Bunnings chief operating officer Simon McDowell said it is aware of the OAIC investigations into the use of facial recognition technology in its stores and would co-operate with them. He told news.com.au:

    As we've previously explained, this technology is used solely to help keep team and customers safe and prevent unlawful activity in our stores and we have strict controls around its use.

    In a previous email exchange with Electronic Frontiers Australia (EFA) chair Justin Warren, published on the EFA's website, the Bunnings Privacy Team said the company is "comfortable" that its use of facial recognition is "undertaken in accordance with the requirements of the Privacy Act".

    Bunnings explained how facial recognition software attached to CCTV systems is used to enforce bans on customers. It said only the facial images of targets are stored by the system to make sure that, if a banned individual walks into a store, the CCTV cameras can immediately notify staff or security. It said:

    The facial recognition technology checks for matches against these uploaded images, and where there isn't a match then no action occurs. No data relating to anyone other than these uploaded images are stored in the system.

    The Australian Information Commissioner and Privacy Commissioner Angelene Falk said before she announced the investigation:

    It is important that all retail stores, when they are deciding whether to use technology to collect personal information, consider the impact on privacy, the community's expectations and the need to comply with privacy law.
    The Privacy Act generally requires retailers to only collect sensitive biometric information if it's reasonably necessary for their functions or activities, and where they have clear consent.
    While deterring theft and creating a safe environment are important goals, using high privacy impact technologies in stores carries significant privacy risks. Retailers need to be able to demonstrate that it is a proportionate response to collect the facial templates of all of their customers coming into their stores for this purpose.

    The OAIC is the independent national regulator for privacy, and said no further comment would be made while the probe continued.

    The Commissioner is authorised to investigate an act or practice which may be an interference with the privacy of an individual or a breach of the Australian Privacy Principles under the Privacy Act 1988.

    Background

    CHOICE submitted a formal complaint to the OAIC, detailing how Bunnings, Kmart and The Good Guys may have breached the Australian Privacy Act through their use of facial recognition.

    Specifically, it said the retailers have broken Australian Privacy Principles 1, 3, and 5 which relate to the companies' privacy policies, the reasonable collection of sensitive personal information, and obtaining consent from people whose faceprints were gathered. In the complaint, CHOICE senior campaigns and policy advisor, Amy Pereira said:

    CHOICE is concerned that the retailers' practices related to their use of facial recognition technology pose significant risks to individuals.
    The social and economic risks include invasion of privacy, misidentification, discrimination, profiling and exclusion, as well as vulnerability to cybercrime through data breaches and identity theft.

    Businesses are generally allowed to use CCTV to photograph customers on their premises, but CHOICE raised concerns that privacy law has not kept pace with advances in facial recognition technology.

    While an investigation is underway regarding Bunnings and Kmart, the OAIC said "preliminary inquiries" have commenced with The Good Guys after the retailer said it will "pause the trial of the upgraded security system with the optional facial recognition technology".

    Analysis

    Journalists and publishers make mistakes. Often those mistakes arise not out of a pure drive for success or recognition, but because they believe passionately in something.

    It's that passion which might have caused Choice to commit what HNN would regard as a real error in covering the issue of facial recognition in retail environments. What is at issue is not actually the article that Choice published, calling out a range of retailers, including big-box hardware retailer Bunnings, for potential mis-use of FR. Instead, it has to do with the way in which that article was promoted to the press.

    In brief, the promotional media release provided information and opinion that was not present in the original article. As that information and opinion was largely negative in nature, this method of dissemination left Bunnings with less recourse to answer and address the insinuations and allegations made.

    It's bewildering that if Choice, a publisher, had important statements to make and facts to declare, they would not put this in an article, and instead use a media release to convey the message.

    The article

    That original article made a number of very good points. More than anything it did the research to show that Australian consumers have been largely unaware they are subjected to FR when shopping. While retailers (including Bunnings) did disclose that information, it was not done in a clear and thorough way. Information could be obtained by browsing the websites of the various retailers. In Bunnings' case, there was also a physical sign present at the entrance of stores using the technology. However, these signs and small and not prominent, according to Choice.

    A particular focus of the article was the use by retailers of what is know as "faceprint" technology, which essentially converts a facial image into a unique identifying set of numbers, making future recognition simpler and more reliable.

    As part of the article, Choice quoted Mark Andrejevic, professor of media studies at Monash University and a member of the ARC Centre of Excellence for Automated Decision-Making and Society, who stated:

    I think the other set of concerns is we don't have a clear set of regulations or guidelines on the appropriate use of the technology. That leaves it pretty wide open. Stores may be using it for the purposes of security now, but down the road, they may also include terms of use that would say that they can use it for marketing purposes.

    Choice did suggest that retailers such as Bunnings might have been in breach of the Privacy Act. Choice quotes its consumer data advocate, Kate Bower, as saying:

    We also believe that these retail businesses are disproportionate in their over collection of this information, which means that they may be in breach of the Privacy Act. We intend to refer them to the Information Commissioner on that basis.

    That's all well and good. Choice is doing a public service here by alerting both the public and governmental agencies to a developing problem with FR technology in large stores. Great.

    Reading the article alone, the general impression most readers might have had was that the principal "sin" of Bunnings was that it definitely needed bigger signs in front of its affected stores. A deeper reading is that the industry would benefit from the establishment of clear standards, and some kind of audit process, to ensure that this information was not abused in the future.

    It's very difficult, however, to condemn a retailer operating in what Choice admits, through quotes from experts, is not a very well-defined legal area, for what comes down to not guessing what form future legislation and guidelines might take.

    The press release

    The Choice media release of 15 June 2022 differed in some ways from that article. For example, where the quotes from Ms Bower in the article were somewhat guarded, the media release quotes were less so. For instance, the media release quotes Ms Bower as stating:

    The use of facial recognition by Kmart, Bunnings and The Good Guys is a completely inappropriate and unnecessary use of the technology.

    This is a little confusing as Ms Bower states elsewhere that only Bunnings responded to queries about the technologies, so it's not clear where the background research to that statement originates.

    The quote continues:

    Using facial recognition technology in this way is similar to Kmart, Bunnings or The Good Guys collecting your fingerprints or DNA every time you shop. Businesses using invasive technologies to capture their customers' sensitive biometric information is unethical and is a sure way to erode consumer trust.

    If these are such important points, why were they not included in the original article? Perhaps that's because it is something of a stretch to link gathering DNA to facial recognition. It's certainly evocative, but is supported by analysis?

    The real final point where it seems to HNN that Choice may have stepped over a line is in this statement quoted from Ms Bower:

    The technology is capturing highly personal data from customers, including infants and children.

    Bunnings has very clearly stated since the publication of the article - or, rather, media release - that it has no interest at all in using FR on minors. Presumably Bunnings would have answered that question the same way prior to publication - if the company was asked. And, again, apparently the other retailers did not provide any information. So it's simply difficult to work out to what facts Ms Bower is actually referring. Does she have an inside source? Or is it guesswork?

    If this is so important, why isn't it in the actual article? Why would you omit the important fact that FR was being used on "infants" from the article?

    It's good to be passionate about good causes, and it can be frustrating when the pubic pays insufficient attention to them. That frustration is just part of being a journalist. You just have to believe that even if an issue doesn't get the attention it deserves, it still matters, it still counts. Because the alternative is far worse.

    Related

    Bunnings uses facial recognition technology - HNN Flash #98, June 2022
  • Sources: The Guardian, News.com.au, Australian Financial Review, AAP General News Wire, Australian Computer Society Information Age and Gizmodo
  • bigbox

    UK update

    Kingfisher sets stronger zero-net targets

    It has unveiled a new wave of environmental targets as part of its annual report on responsible business

    Home improvement retail group Kingfisher - owner of B&Q and Screwfix - said it is bringing forward its net zero target to 2040.

    In its 2021/22 financial year, it reduced the carbon emissions - scope one and two emissions - in its own operations by almost a quarter (24.5%).

    At the same time, 44.1% of its annual sales - or GBP5.8 billion of GBP13.2 billion sales made in the year to January 31 - were from sustainable home products - a figure that the retail group now aims to raise to 60% by 2025.

    The group said that 87.2% of the wood and paper in its products, and in all of its catalogues, are now being responsibly sourced and will be Forest Positive by 2025/26.

    Kingfisher reduced its emissions this year by moving to 100% renewable energy, investing in energy efficiency measures and starting to use alternative fuels in its delivery fleets. The group now aims to cuts its operational emissions by 37.8% by 2025/26 and to reduce its scope three emissions - from the use of its products once sold, as well as from the goods and services that it buys - by 40% per GBPmillion of its turnover by 2025/26. Thierry Garnier, chief executive of Kingfisher, said:

    We are committed to helping tackle climate change by setting targets both in the short and in the long-term. In the short term, we are on track to reduce our carbon emissions in line with global efforts to limit warming to below 1.5°C by 2025. In the long term, we are now committed to reach net zero emissions by the end of 2040.
    Helping our customers to live in more sustainable homes is another of our key priorities. We think everyone deserves a greener, healthier home - that's comfortable to live in but uses fewer resources and costs less to run. With rising energy prices, home energy efficiency has never been more important.

    Its four responsible business priorities are tackling climate change and creating forests, making greener, healthier homes affordable, tackling bad housing and becoming a more inclusive company. Mr Garnier said:

    There is more to do, but we have made good progress since last year, not only with our progress on carbon reduction but also with our work to become a more inclusive company, and our commitment to help people living in unfit housing.

    Related

    Wesfarmers' retail clean energy deal in Queensland.

    Wesfarmers' retail businesses sign onto clean energy - HNN Flash #88, April 2022

    Bunnings pledges to source 100% renewable electricity for its operations by 2025.

    Bunnings aims for 100% renewable electricity by 2025 - HNN Flash #22, November 2020
  • Source: Internet Retailing
  • bigbox

    Big box update

    Bunnings store proposal in Perth arts precinct

    The local arts community believes the unique district is at risk of being destroyed by a large development

    An area of Perth known as the Pickle District has become the latest location for a $25 million development application to build a Bunnings store, with a childcare centre, and retail and hospitality tenancies in a five-storey complex.

    The Pickle District is currently a burgeoning arts precinct, home to art galleries, design and photography studios, a boutique theatre and event spaces, all within a 300-metre radius.

    WAtoday reports the development would take up the block between Cleaver, Newcastle and Old Aberdeen streets to the border of gallery Linton and Kay and demolish the buildings that house existing businesses including Cleaver Street Co, STALA Contemporary, Voxlab, Old Habits, Gourmet Trader and 2 Brothers.

    Pickle District's Town Team spokesman and artist Jon Denaro said the development would be devastating. He told WAtoday:

    We are not opposed to a development in the area, however we want to see a development that honours the existing precinct and is geographically, and culturally valuable.
    The proposed development destroys everything we have been building, the community and the whole potential of the precinct.

    Bunnings property and store development director Andrew Marks said the proposed store would be a small warehouse and form part of a wider development which is being led by a developer.

    We're always very mindful of community feedback and as a potential tenant, we would listen to concerns raised and work closely with the developer through their continued community engagement as they progress their application.

    Developer Saracen Properties said it would bring extensive investment to West Perth and act as a catalyst for the redevelopment of the Pickle District. A report to council said:

    This development will be the first major mixed used multi-storey redevelopment within the locality.
    Taking advantage of these corner locations, the proposed development will comprise recognisable and iconic building features which reflect existing structures and operations within the Pickle District, intended to strengthen its relation with the history of the area.

    Saracen Properties said it had incorporated two spaces - a lower level community space and rooftop event space - to allow the Pickle District's Town Team to continue to operate on the site, and ensure the demolition of warehouses did not take away the area's character.

    Janet Holmes à Court is the owner and director of Holmes à Court Gallery located in the Pickle District. She also told WAtoday:

    Over the past eight years I have seen and have been a part of a growing Pickle District. It has become a totally unique, one-of-a-kind arts precinct.
    The proposed Bunnings development is slap-bang in the middle of [it] and its impact will be insurmountable.
    Not only will it erase small businesses and art galleries, but also shatter the heart of the Pickle District and future opportunities for the ongoing development of this area as a unique multi-arts destination.

    City of Vincent mayor Emma Cole said council was on the cusp of developing a precinct plan for the Pickle District.

    Wesfarmers will not land a business-as-usual Bunnings in this unique area unless they do something extremely innovative.
    Wesfarmers is a big investor in the arts and my suggestion was for them to look at adding a dedicated rooftop level for live music, art galleries and a space for existing tenants to continue their operations. This would make huge difference to how Bunnings lands in the area and adapts.

    The City of Vincent will provide a recommendation to the Joint Development Assessment Panel which will make the final decision.

  • Source: WAtoday
  • bigbox

    USA update

    The Home Depot undertaking a network refresh

    The hardware retailer is also rolling out 125,000 mobile devices to enhance store staff and customer experiences

    The Home Depot is investing in its network infrastructure that will also allow it to streamline its IT management and operations.

    The home improvement retailer is making a large-scale investment in edge technology and network as a service (NaaS) to drive enhanced customer and employee experiences across its North American stores.

    The Home Depot said it has selected Aruba ESP (Edge Services Platform), delivered via HPE (Hewlett Packard Enterprise) GreenLake for Aruba networking, because it provides a solution with agility and flexibility.

    The retailer continues to enhance the interconnected experience that blends the digital and physical worlds; one that allows customers to peruse, research, and purchase with ease, and delivers a familiar experience, regardless of whether they're in-store, online, or using the mobile app.

    Home Depot bricks-and-mortar stores continue to be the centre of the customer experience - in the first quarter of 2022, more than 50% of online orders were fulfilled through a store.

    Delivering a seamless experience to its customers and 500,000 employees is important to The Home Depot. Daniel Grider, vice-president of technology, said:

    Our goal is to enable technology to remove the friction from our customers' and associates' experiences each and every day.
    Our customers trust us to have the right tools and materials to complete their home improvement projects; having an in-store network that further supports interconnected capabilities like in-store navigation or image search allows them to get back to their projects more quickly.

    The Home Depot's technology investments and initiatives are intended to make it easier for customers to design, visualise, and buy materials for their projects. For example, maintaining strong connectivity in stores will help provide Home Depot staff the ability to deliver a great customer experience.

    The Home Depot's refreshed network should streamline IT management and operations. Solutions such as Aruba Central cloud with AIOp capabilities allow the company to proactively monitor network health and address issues before they negatively impact performance.

    The Home Depot's wireless solution includes Aruba location services via WLAN APs, which provide zero-touch determination of AP location, continuously validate and update location, and provide a set of universal coordinates that may be transposed on any building floor map or web mapping platform.

    Related

    Lowe's commitment to edge technologies - HNN Flash #98, June 2022

    Mobile devices

    The Home Depot is also beginning to roll out 125,000 new mobile devices for store staff. The devices, called hdPhones, will be in all US stores by the end of the year, so that every staff member working in-store will have a new device.

    With the latest mobile device technology in collaboration with Zebra Technologies, HPE and Aruba, The Home Depot is making it faster and more convenient for its store associates to serve customers.

    The Home Depot is the first major retailer to combine the new Zebra devices and Aruba Wi-Fi 6 across its more than 2,300 stores, it said. With the combined technologies, the new mobile devices can communicate anywhere across the entire store and into the parking lots.

    The new hdPhones will improve engagement between customers and store staff, while helping customers locate products faster, and quickly connect with experts across the store and beyond. Advanced-range barcode scanning enables staff to locate products, check pricing and inventory availability in hand or from more than 40 feet away, which is particularly helpful when serving customers and locating products in overhead storage.

    Additionally, docking with Zebra's Workstation Connect enables store associates to help customers by viewing and demoing products and specifications on larger screens. Additional capabilities include multi-device integration, more efficient app speeds, in-store texting, direct walkie talkie communication, and more. Executive vice-president and CIO, Fahim Siddiqui, said

    Our customers expect a frictionless experience, in our stores and on their mobile devices. We continue to identify ways to make it more seamless for our customers to shop wherever, whenever and however they want. The enhanced digital in-store environment allows our customers to more quickly get what they need to complete their projects with the help of a more connected associate.

    The home improvement chain first deployed handheld tech for associates in 2010. At the time, the retailer deployed 30,000 transactional/communication devices in 1,970 of its stores, providing store staff with handheld technology that combines inventory management and analytics functions, a phone, a store walkie-talkie, and label printing with POS.

  • Sources: Chain Store Age and RIS News
  • bigbox

    USA update

    Lowe's enters the metaverse

    The home improvement retailer is making more than 500 digital assets available for free to virtual and augmented reality developers

    Lowe's said it will begin helping builders of the metaverse create new possibilities. Rather than entering the metaverse with a storefront to sell virtual goods, Lowe's aims to equip developers free of charge with items from its real-world shelves to make their creations more useful and more inspiring.

    To start, Lowe's will make more than 500 3D product assets available for download for free via Lowe's Open Builder, a new hub designed to be available to all creators. They assets address key challenges of interoperability and accessibility, and are based on real products the company currently sells online and in its stores.

    As the first major home improvement retailer to enter the metaverse, a key goal would be to watch consumer behaviour to eventually capitalise on the opportunity that might exist.

    Lowe's executive vice president and chief brand and marketing officer Marisa Thalberg told CNBC in an exclusive interview the retailer decided not to choose one metaverse platform or game like Fortnite or Roblox but rather "a kind of an agnostic and kind of democratised approach".

    While other brands have found immediate ways to make money in the metaverse, even on an experimental basis, Ms Thalberg said:

    This isn't about immediately jumping in and trying to make an event or immediately commoditising it.

    Rather, she told CNBC:

    Our goal really is to take this new frontier and help people use their imaginations and help them make their virtual spaces as exciting and inspirational and enjoyable as their real world spaces. And that's the only benefit we seek to obtain at this point.

    Lowe's is also releasing a free, limited NFT* collection of boots, hardhats and other related accessories for builders on the Decentraland platform to the first 1,000 participants.

  • An NFT* (Non-Fungible Token) is a financial security consisting of digital data stored in a blockchain, a form of distributed ledger. The ownership of an NFT is recorded in the blockchain, and can be transferred by the owner, allowing NFTs to be sold and traded.
  • Seemantini Godbole, Lowe's executive vice president and chief information officer, also told CNBC exclusively the retailer is applying many of the principles it currently uses for shoppers for this metaverse project.

    What we have noticed in our current mediums like Lowes.com and in our stores ... people like to experiment and while they're shopping and getting inspired they like to put things together in the virtual world before they start their project.
    It's the same idea for the metaverse. That you want them to experiment, feel and understand how it's going to look before they start the project in the real world.

    Ms Godbole said many of these metaverse assets had already been created as 3D digital versions of physical products available for purchase, to help online shoppers visualise the real-life dimensions and features.

    Lowe's is already using virtual and augmented reality technology to allow shoppers to design an entire kitchen online or map their home's floor plan using their smartphone as examples. Ms Godbole said:

    There is just a huge appetite from our customers to use emerging technology [like the VR and AR tools]. We are applying some of those lessons in the metaverse.

    At the moment, Lowe's isn't offering a physical good with the purchase of a virtual one, or any link back to its website from any metaverse platforms, Ms Godbole said. But that could change.

    In the future, we could absolutely think about, how do all these different things link, and make sure that [metaverse users] are able to shop these items on Lowe's dot com or in our stores.

    Through its experimentation and focus on delivering what customers need, Lowe's believes it is uniquely positioned to leverage emerging technology to help people imagine the possibilities. Ms Godbole said:

    Over the past several years, we have infused new technologies into the planning and shopping experience and know our customers have benefitted greatly from being able to explore and test home improvement projects in the virtual world before taking the leap to implementation in their real-world homes or job sites.
    By entering the metaverse now, we can explore new opportunities to serve, enable and inspire our customers in a way no other home improvement retailer today is doing.

    Ms Thalberg acknowledged that the typical metaverse participant "skews really young" likely younger than the typical Lowe's shopper or homeowner today.

    But if you look at kids who've used platforms like Minecraft and Roblox, a lot of what they do there, is fascinatingly enough, build and design. This idea of being able to build and decorate and design and improve is kind of core to how these spaces are emerging.
    And so if we catch them young, that's great, but we see a real utility too, as we look to a huge wave of millennial new homeowners who aren't afraid of technology.

    Analysts see a big breakthrough coming for the metaverse. By 2026, a quarter of consumers will spend at least one hour per day in the metaverse, said consulting and research firm Gartner estimates. Morgan Stanley estimates the total addressable market for advertising and e-commerce opportunities could be worth USD8.3 trillion in the metaverse, with USD697 billion in home and home related spending. The firm lists walking through "home renovation plans" as an example.

    Related

    While this is the company's first step into the metaverse, Lowe's has been using emerging technology to help customers gain inspiration and more easily visualise and plan their home improvement projects for many years. This includes the beta version of an end-to-end room scanning, measurement and estimate tool called "Measure Your Space" in its iOS app.

    Lowe's launches room measurement tool - HNN Flash #71, November 2021
  • Sources: CNBC, Wikipedia, Chain Store Age and Lowe's Home Improvement
  • bigbox

    Big box update: Delivery and store network

    Bunnings Group will use Zoom2u delivery platform

    Bunnings' flood-hit Rocklea store has reopened after major repairs and Bunnings Shepparton turns five

    Zoom2u Technologies (Z2U) recently announced its partnership with Bunnings Group for the use of its delivery platform.

    The Zoom2u platform is an Australian owned delivery platform that connects users with local independent couriers in their area for fast, same-day delivery. It provides customers with a live tracking link showing the real-time location of the delivery as well as an estimated time of arrival.

    The agreement is not exclusive and follows the completion of a trial undertaken with Bunnings across select stores in Australia. Under the agreement, Bunnings is under no obligation to meet a minimum volume of spending or fee commitments.

    The finances are yet to be revealed as it is dependent on delivery volumes. In The Market Herald, Z2U founder and CEO Steve Orenstein, said:

    ...To be chosen as one of Bunnings' last mile delivery providers is a validation of the Zoom2u Platform. It has been a pleasure working closely with Bunnings over the past few months as they trialled the service.

    About Zoom2u Technologies (ASX:Z2U)

    Z2U's core service is the Zoom2u platform, which is a tech-based courier service that allows accredited drivers to make deliveries. It is an algorithm-based platform that can respond with flexibility to demand surges, and provides detailed location data for customers.

    The company does not have warehouses and does not own or lease a fleet of vehicles. Instead it has a team of over 20 tech developers tinkering with software for customers and more than 7000 drivers. Unlike Amazon, which processes deliveries from warehouses and delivery centres, Zoom2U often facilitates deliveries from brick-and-mortar stores to consumers.

    Mr Orenstein said this model gives smaller players an advantage, as businesses can "leverage their retail footprint" instead of working through the Amazon ecosystem. Stores can operate as "micro-warehouses", he said.

    That allows them to be really close to the consumer, and to be able to do an even faster delivery because the delivery system is really short.

    The platform passed 2.7 million completed deliveries in late March, as the market shifts towards customers with larger volume requirements.

    The company also has the Locate2U platform, a SaaS-based tracking delivery service that allows clients to manage their logistics in-house. It is essentially a white label product for businesses to manage their own delivery fleets. Locate2U's customers Amart Furniture, Bing Lee, Super Pharmacy, and waste management firm Cleanaway.

    Z2U has been operating for eight years after it was founded in 2014, with early backing from Perennial Value Management, Gandel's Invest (the investment vehicle for the billionaire Gandel family) and Deals Direct co-founder Mike Rosenbaum.

    Its client base now includes names such as Australia Post, Best & Less, Couriers Please and JayCar.

    By December 2021, Z2U also completed the acquisition of the Local Delivery Shopify App in an $880,000 all-cash deal. Integrating the Local Delivery app gives Zoom2u direct access to another 570 customers across more than 45 countries.

    After its ASX initial public offering (IPO) in September 2021, the business raised $8 million to fund its future growth.

    For more information, visit the Zoom2u home page here:

    Zoom2u delivery platform

    Rocklea store

    Bunnings' Rocklea store has reopened with a revamped cafe and kitchen design centre after being impacted by the floods. It had to seek specialist advice to ensure the warehouse was structurally and hygienically safe to reopen, according to The Courier-Mail.

    However the hardware retailer said it still had not decided what to do with its Oxley store, although redevelopment options in the coming six to 12 months could include a flood-resilient design.

    The revamped Rocklea Bunnings now includes energy efficient LED lighting throughout, a children's playground, new bathroom displays and new format Trade Desk for tradies.

    Bunnings Shepparton

    Bunnings Shepparton celebrated its fifth birthday on the Queen's Birthday long weekend, marking five years of trading. Bunnings Shepparton complex manager Trish Fedley said staff at the store were excited to be celebrating the fifth birthday. She told Shepparton News:

    We love being part of the Shepparton community and it's a great milestone that myself and the team are really proud of.
    Helping customers with their DIY and project needs, and supporting our local community groups through the sausage sizzle and other hands-on activities, has been the highlight for us.
  • Sources: The Market Herald, Stockhead, Inside Retail, Rask Media, The Courier-Mail and Shepparton News
  • bigbox

    Big box update: Privacy concerns and new-gen customers

    Bunnings uses facial recognition technology

    During his keynote speech at the 8th Global DIY-Summit Bunnings Group managing director Michael Schneider spoke about strategies to attract Generation Z

    An investigation by consumer group CHOICE has found that Bunnings, Kmart and The Good Guys are analysing images of people's faces from video camera - CCTV - footage to create profiles based on customers' unique biometric information such as facial features (known as a "faceprint"). Facial recognition technology captures and stores this information.

    CHOICE consumer data advocate, Kate Bower said most customers aren't aware how their face is being captured and used which is raising privacy concerns.

    In CHOICE magazine, Ms Bower said the Privacy Act considers biometric information to be sensitive data, and that a higher standard is applied to it than to other types of personal information.

    It requires that your collection of that information has to be suitable for the business purpose that you're collecting it for, and that it can't be disproportionate to the harms involved.
    We also believe that these retail businesses are disproportionate in their over collection of this information, which means that they may be in breach of the Privacy Act. We intend to refer them to the Information Commissioner on that basis.

    Irrespective of whether the retailers are in breach of the Act or not, Ms Bower believes that clearer and stronger regulations are needed around customer consent and how retailers obtain and use facial recognition data.

    According to CHOICE, Kmart and Bunnings have small signs on the stores where facial recognition technology is used. Both the Bunnings and Kmart privacy policies state the technology is for "loss prevention or store safety purposes". Ms Bower said:

    The use of facial recognition by Bunnings, Kmart and The Good Guys is a completely inappropriate and unnecessary use of the technology.
    Discreet signage and online privacy policies are not nearly enough to adequately inform shoppers that this controversial technology is in use. The technology is capturing highly personal data from customers, including infants and children.

    Simon McDowell, Bunnings' chief operating officer, told CHOICE that facial recognition is one of several measures the retailer has in place to prevent theft and anti-social behaviour. He said:

    At selected stores our CCTV systems utilise facial recognition technology, which is used to help identify persons of interest who have previously been involved in incidents of concern in our stores. This technology is an important measure that helps us to maintain a safe and secure environment for our team and customers.
    We let customers know about our use of CCTV and facial recognition technology through signage at our store entrances and also in our privacy policy, which is available on our website.
    It's really important to us that we do everything we can to discourage poor behaviour in our stores, and we believe this technology is an important measure that helps us to maintain a safe and secure environment for our team and customers.

    Businesses are generally allowed to use CCTV to photograph customers on their premises, but CHOICE points out that privacy law has not kept pace with advances in facial recognition technology. According to Dennis B Desmond, lecturer in Cyberintelligence and Cybercrime Investigations at the University of the Sunshine Coast (QLD) wrote in The Conversation:

    Current Australian privacy laws require retailers to disclose what data are being collected, retained and protected, as well as how it might be used outside of a loss prevention model.

    The investigation

    CHOICE said it asked 25 leading Australian retailers whether they were using facial recognition technology and examined their privacy policies. Based on that investigation, it said Bunnings, Kmart and The Good Guys appeared to be the only retailers among that group who were using the technology.

    Between March and April 2022, CHOICE canvassed more than 1000 Australians in a survey to gauge consumer awareness of facial recognition technology.

    CHOICE staff members also visited some of these stores in person as part of the investigation. Ms Bower says the Kmart and Bunnings stores they visited had physical signs at the store entrances informing customers about the use of the technology, but the signs were small, inconspicuous and would have been missed by most shoppers.

    CHOICE said most customers are not aware some retailers are using facial recognition technology. More than three in four respondents (76%) said they didn't know retailers were using facial recognition.

    This lack of awareness doesn't mean people aren't concerned, according to CHOICE. Most survey respondents (83%) say retail stores should be required to inform customers about the use of facial recognition before they enter the store, and 78% expressed concern about the secure storage of faceprint data. Nearly two thirds of respondents (65%) are concerned about stores using the technology to create profiles of customers that could cause them harm.

    As the statement from Bunnings indicates, most privacy policies can be found online. However Ms Bower said:

    Most of these privacy policies you have to search for online, and they're often not easy to find. But because we're talking about in-person retail shops, it's likely that no one is reading a privacy policy before they go into a store.

    Privacy Act

    CHOICE said it has notified the OAIC (Office of the Australian Information Commissioner) of its findings and asked it to determine whether the use of the technology is consistent with the Privacy Act. Ms Bower said:

    CHOICE is concerned that Australian businesses are using facial recognition technology on consumers before Australians have had their say on its use in our community.

    A five-year review of the Privacy Act is currently being conducted by the Attorney General. Ms Bower said it is an opportunity to strengthen measures around the capture and use of consumer data, including biometric data.

    CHOICE is also calling on the federal government to create a guide to protect consumers who don't want their "faceprint" on file.

    New generation customers

    In The Australian, Bunnings MD Michael Schneider said Bunnings is increasingly reaching out to social media influencers and bloggers, building its YouTube presence and developing apps to help younger people better visualise their living spaces.

    Speaking at the Global DIY Summit in Copenhagen, Denmark, Mr Schneider focused much of his keynote address on the challenges and opportunities of Gen Z and what changes to the business were being made to appeal to this key demographic. He said:

    Just as we got our collective minds around millennials, along came Generation Z. In the Asia-Pacific region, they make up around 20% of the population and are reaching adulthood at a moment of reckoning for the environment, not to mention when home ownership is harder than ever to attain - and having just spent some of their most formative years in many and varied forms of lockdown.
    We believe Gen Z have defined attitudes and preferences that will require a reimagining of the DIY shopping experience. Today, they are infrequent purchasers of DIY products, relative to the average DIYer. And whilst that's probably not too surprising given most still live at home, it means there are fantastic opportunities to connect and engage and inspire them around all things DIY.

    Mr Schneider told the conference that he believed younger Australians were still focused on their future homes despite the declining home ownership rates of young Australians.

    I say this because our research shows they are absolutely thinking about their future homes and, despite affordability challenges, they're optimistic they will own a home one day.
    Their affinity with technology means they are smart home enthusiasts - more than two-thirds are interested in installing smart home tech in the future and similarly Gen Z are really interested in learning more about interior design and home styling.

    Mr Schneider said that unsurprisingly, Gen Z turned to online sources for DIY information and inspiration, and this was a space Bunnings would increasingly play in. He said Bunnings would join with social media influencers, create YouTube videos to help Gen Z discover the Bunnings brand and be inspired about home projects.

    They want to source their DIY inspiration and discover products much in the same way as they curate their social media feeds and use other digital services. For Bunnings. that's meant doing things a bit differently, seeking out social influencers and brands on social media, and thinking about apps to help visualise a space online, blogs and YouTube videos.

    This was shaping how Bunnings communicated with Gen Z on digital platforms, he added. He said Bunnings was working more with social influencers too, recognising the important part these people played in Gen Z making their own retail purchasing decisions.

    We're working extensively with social influencers to bring DIY inspiration to life in a relevant and relatable way. We started working with influencers a few years ago and today we have an extensive program.

    Bunnings has been developing an online community called Bunnings Workshop that provided ideas and inspiration customers need to start a new project. This was being embraced by younger consumers, Mr Schneider said.

    Pleasingly, our membership base has more than doubled in the past two years, and 35 per cent of the Workshop audience are Gen Z or Gen Y, and we have big plans to expand Workshop, including exploring community engagement opportunities such as promoting local community projects and connecting groups with volunteers - to help Gen Z fulfil their desire for purpose.

    Related

    Bunnings' Workshop went live in 2016.

    Bunnings goes social with Workshop website - HI News 2.16 - August 2016

    Bunnings is marketing towards Millennials with its "Make It Yours" video series.

    Bunnings reaches out to Gen M with "Make It Yours" - HNN Flash #11, December 2019

    UK DIY retailer Wickes said it launched the home improvement industry's first campaign on TikTok.

    DIY campaign stars TikTok influencers - HNN Flash #30, January 2021

    About the Global DIY-Summit

    Mr Schneider's keynote speech at the Global DIY-Summit in Copenhagen, Denmark, was centred on the theme: "Always Evolving... Markets, Offers and People". It was held from 8 to 10 June 2022.

    According to the event's in-app voting tool, over 31% of visitors were retailers, approximately 55% were manufacturers while the remaining delegates were consultants, industry associations and education providers.

    Attendees were given the opportunity to attend a Store Tour of Copenhagen, visiting a range of home improvement retailers, including one store pioneering sustainability through re-furbished building materials.

    In addition to presentations, three main workshops focused on driving high productivity in business, remaining relevant in times of disruption, and driving incremental sales on Amazon.

    The next Global DIY-Summit will be held in Berlin, Germany, from 14 to 16 June 2023.

  • Sources: CHOICE, The Guardian Australia, ABC News, The Conversation and DIY Week
  • bigbox

    USA update

    Home Depot and Adobe partner on customer personalisation

    Lowe's Companies is bolstering its omnichannel approach using Dell Technologies

    The Home Depot is deploying the Adobe customer data platform to get a deeper view of customer journeys and to enhance the omnichannel experience. The data platform is part of Adobe's Experience platform.

    The technology will allow the home improvement retailer to deliver personalised campaigns within 24 hours, which previously took seven to 10 days to deliver.

    The effort is an expansion of Adobe's continuing partnership with The Home Depot. According to a company press release:

    With so many touchpoints, the Adobe partnership will provide comprehensive insights into the customer journey. This will enable The Home Depot to optimise experiences across channels while refining marketing investments. This marks the next phase of a partnership that began with digital tools including web analytics and A/B testing, as well as creative cloud applications to design and deliver new online services and experiences.

    Melanie Babcock, vice president of integrated media at The Home Depot, said in the release:

    The Home Depot made early investments in providing omnichannel shopping experiences, and these digital and physical assets continue to guide our strategic priorities.
    Our expanded partnership with Adobe will enable us to enhance the customer experience even further, driving personalisation at scale and further optimising The Home Depot experience across online and in-store.

    Anjul Bhambhri, senior vice president, Adobe Experience Cloud, said in a statement:

    With Adobe Experience Platform, The Home Depot can align teams around a single view of the customer, with strict governance and activation capabilities that will make experiences even more connected and relevant.

    Related

    Home Depot tech focuses on customer experience - HNN Flash #92, April 2022

    Lowe's and Dell

    John Dabek senior director of infrastructure at Lowe's and Alison Biers, director of global marketing for edge solutions at Dell Technologies, recently spoke with industry analysts Dave Vellante and Lisa Martin at the recent Dell Technologies World event. They addressed Lowe's commitment to edge technologies as a key to maintaining its market positioning. Mr Dabek said:

    It's the edge, and the edge has become very, very important for us, because that's where we want to put all of our technologies in the store, closer to the store.

    The extension of compute and storage capabilities to the edge has become imperative for companies to stay competitive, according to Ms Biers. This notion is especially important in a field like retail, where the margins are slim and customers can be fickle.

    Companies like Lowe's have to balance the satiation of perceptive buyers looking for quality and convenience with a complex business model in a changing landscape. Dell's VxRail has been that answer for Lowe's. Mr Dabek explains:

    When you talk about modernising at a fast pace, the first 600 stores that we did with VxRail, we did in three months with the help of Dell. The main goal was zero disruptions in the store. Now we're talking about 100,000+ square-foot stores, so big stores, and we have a very short window.

    In addition, the pandemic exponentially increased the value of Lowe's contractor-facing operations. To maintain pace and create convenience there, the company leaned on edge yet again. Mr Dabek said:

    We have 140,000 mobile devices deployed in our stores for our employees that can do everything from finding merchandise, taking and receiving calls. They can take the device and do a checkout instead of you having to come into the store and then go out again.

    Here's the complete video interview, part of SiliconANGLE's and theCUBE's coverage of the Dell Technologies World event:

    As pandemic fuses digital and in store retail channels Lowe's taps Dell to stay ahead
  • Sources: Retail Customer Experience and SiliconANGLE
  • bigbox

    Bunnings Strategy Day 2022

    Bunnings plans trade revenue growth of $5bn

    The Bunnings part of the Wesfarmers Strategy Day saw the retailer launch a new strategy, which includes growth of its trade business, and evolution of its DIY business from supplier of goods to partner in transformation. Tool Kit Depot is to launch additional 60 stores.

    Wesfarmers held its annual Strategy Day on Thursday, 2 June 2022. HNN will be covering the Bunnings aspects of this in more depth in our upcoming edition of HI News. However, we do want to provide a summary of what seem the most important points delivered by Bunnings managing director Mike Schneider. Some of these may have an immediate impact from a strategic and operational viewpoint for hardware retailers and suppliers.

    Strategy Days tend to vary widely in terms of their importance. The most significant ones were those that occurred from 2010 to 2012, when Bunnings outlined its strategy to overcome the challenge from Woolworths' failed Masters Home Improvement big-box retailer, followed by the 2017 and 2018 Strategy Days which dealt with the decline of Bunnings UK & Ireland (BUKI).

    While the 2022 Strategy Day was not as significant as those, it is the most significant since 2018, as it highlights a shift in strategy for Australia's only big-box hardware retailer. That was outlined - to some extent - by Mr Schneider in his introductory remarks to the Strategy Day presentation:

    We've achieved transformative acceleration of our capabilities, not only in our technology, but across our network design and commercial offer. But a bit like our tagline, this is just the beginning for our next stages of evolution and growth.

    Unfortunately, we have to report that many of these changes will have a direct and significant negative impact on smaller independent hardware retailers over the next year to two years - in other words, it's more immediate than medium-term.

    HNN would highlight the following points as being the most significant.

    Commercial/Trade markets

    It's no secret that Bunnings has been expanding its trade business over the past four years. When the Australian Competition & Consumer Commission (ACCC) gave the go-ahead for Mitre 10 to merge with the Danks-derived Home Timber & Hardware Group (HTH) to form Metcash's Independent Hardware Group (IHG), HNN commented that the end result would be more competition in trade from Bunnings - and that is pretty much what has happened.

    However previously it was not possible to quantify the scale of Bunnings' ambition in that area. Now it is, as Mr Schneider outlined this in response to a question from veteran analyst Shaun Cousins of UBS.

    Yeah, well our aspiration in time, Shaun, is to get the two businesses [DIY and Trade/Commercial] roughly 50/50, which it is in New Zealand, and has been for a long time. But that's not at the expense of consumer growth. So commercial is slowly tracking towards 40% at the moment. But that's because consumer continues to grow well for us. So the commercial [team at Bunnings] have got a big job in front of them.

    Bunnings total revenue for FY2021/22 H1 was $9.2 billion, and revenue for FY2020/21 H2 was $7.8 billion, so the total for the 12 months to December 2021 was $17.0 billion. If we consider Bunnings' trade revenue is around 38% for that period, this means the trade/DIY split is $6.5 billion to $11.5 billion, a difference of $5 billion.

    What Mr Schneider is talking about here is not an even redistribution of that $17 billion so that trade increases by $2 billion to $8.5 billion. Instead, he expects trade to reach $11.5 billion as well - an increase of $5 billion. Added to that, as Mr Schneider points out, overall revenue continues to grow, as that number will be closer to an increase of $5.5 billion.

    Obviously, that is not going to be achievable in the short term, but even if it is a five-year goal, that means extracting over $1.1 billion a year from, essentially, the market currently held by independent hardware retailers. To put that in perspective, that's close to half the annual revenue of Metcash's Independent Hardware Group (IHG) prior to the acquisition of Total Tools Holdings.

    In case there is any doubt that Bunnings intends to compete in the same market as independent retailers, the retailer was very explicit about the profile of its intended market. Mr Schneider remarked:

    But [trade] has got to grow hard in a very profitable way. So we're not taking our eye off the types of customers we're serving and chasing high volume, low margin, that's got risk all over it for everyone. So we're sticking with the sort of small to medium builders and trades and really deepening those relationships, which is setting us up really well.

    This was backed up by Bunnings' chief financial officer, Rachael McVitty (she has been in the role since September 2021, coming over from Blackwoods) in response to an analyst's question.

    We've got a pretty diversified portfolio and mainly focused on the small- to mid-tier residential builders. So credit limits are quite small, and there's no single exposure to any one customer or portfolio of customers. So you know, average size is less than $20,000, to give you an idea, and average credit terms are 30 days. So we have a pretty good read pretty quickly when payment is not made but really strong relationships with our customers. So we've also got really deep understanding of their credit profile as well.

    It's interesting to place this in context with the remarks by the CEO of IHG, Annette Welsh, at the Metcash Strategy Day in 2021, when she said her goal was to have IHG surpass Bunnings in trade revenue.

    One key part of this ambition in trade seems to be Bunnings' truss manufacturing. As Mr Schneider said:

    We're optimising our capabilities, brands and assets to partner across more phases of the build from frame to fix through to finishing. There are significant opportunities for us to participate more strongly in the frame to fix element of the build. We're addressing these through stronger project management capabilities, and an expanded frame and truss network. Our frame and truss sites in Australia supply high quality roof trusses, floor trusses and wall frames.

    This also extends to providing specific builder services:

    We're also introducing new supply and install services including joinery, windows and flooring to save our builders time.

    Tool Kit Depot

    Fairly evidently, the Bunnings expansion into power tool specialist retail with Tool Kit Depot (TKD) will be a part of this planned growth. Mr Schneider provided a thumbnail sketch of projected growth in this area as well. In response to a question by analyst Craig Woolford of MST Marquee he said:

    Tool Kit Depot's aspiration is to get to sort of 70 odd stores over the next few years.

    He provided something of a timeline as well:

    We also plan to expand our Tool Kit Depot store network beyond Western and South Australia in the new financial year, moving into regions where we see strong underserved demand for professional tools.

    Mr Schneider also said:

    Tool Kit Depot is now established in Western Australia with four stores and a refresh of all stores in South Australia is almost complete. And our network planning for national coverage is shaping up really well.

    It seems likely from these statements that there will be an expansion in TKD outlets sometime between July and September in 2022.

    Category growth

    Identifying key areas of category growth from Strategy Day remarks is not always easy. These are narratively scattered, so it is best to start by listing them.

    Mr Schneider on opportunities:

    We've identified a range of opportunities to optimise and expand our existing offer to cater to strong customer interest, including smart security, outdoor furniture and cleaning with a renewed focus on healthy homes.

    Mr Schneider on growth:

    We're focused on growth across all of our product categories, with some specific examples including expanding our room furniture solutions to help our customers organise their homes, strengthening our garden and garden decor offer by extending and localising our plant ranges and improving service in our nurseries.

    Mr Schneider on kitchen and bathroom:

    Further, in kitchen and bathroom, we're increasing our range of customisable and modular products and introducing more complementary accessories.

    Further to that, Mr Schneider on in-home services:

    We're seeing strong interest for in-home services, where Bunnings designs, assembles and installs solutions for our customers. For the first time, we're introducing design consultants to help our customers design their dream bathrooms.

    Mr Schneider on pets:

    We're introducing new pet categories from collars, toys, bowls and beds through to smart pet products.

    Mr Schneider on caravan/RV:

    We're lining up a new range of products to help caravan and RV owners maintain their home on wheels.

    He also mentioned the introduction of appliance sales to some "selected stores". So the list would be, roughly:

  • Garden/plants
  • Room furnishings, including kitchen and bathrooms, but expanding beyond that (home offices, etc.)
  • Indoor and outdoor furniture
  • Expanding existing kitchen design services to include bathroom design
  • Pets
  • Caravans and RVs
  • Smart security (CCTV, Bluetooth door locks)
  • Cleaning/home wellness
  • When we see these categories in a list, it becomes evident that what is really going on here is a shift from selling individual items/products, to selling systems. It's less about "do you want to buy a table?", or "how do I build a bookcase?", and more about "how will I furnish this room?"

    It's a move to an experiential economy, where the "lived in" experience of the house has changed. That fits in with several comments Mr Schneider made about the shift in the way families value their homes.

    The last two years have seen a considerable shift in the way that DIY customers see their homes: as a safe sanctuary, a home office and classroom, as well as an asset that underpins their financial security.

    This translates into the way Bunnings presents its "offer" to customers:

    We're focused on creating more ways to inspire and support our customers to build, improve and maintain whether it's catering to our customers love of DIY, property investors or the growing demand for services and installation.

    That cycle of "build, improve and maintain" is mentioned several times throughout the Strategy Day briefing. It might be that Bunnings is transitioning from being a "supplier" for home projects, to more of a home "partner". The goal is to take that total budget for home development, and work out how to get more of that budget spent at Bunnings. If anything, it seems to be leaning towards the approach taken by Kingfisher's brands B&Q and Castorama.

    As part of this change Bunnings is also stepping up its surveillance of supplier brands as well:

    With customers well and truly back exploring our stores, we've increased the frequency of our range reviews to present the very best of the latest products.

    Own/exclusive brands

    Mr Schneider introduced the issue of own and exclusive brands by saying:

    Our own-brand range continues to grow and has never been stronger, with names such as All Set and Garden Basics giving customers incredible prices and names such as Full Boar, Matador and Mimosa providing outstanding value.

    In response to a question by an analyst regarding how much of revenue was down to own brands, he expanded on this:

    It's a hard number to call, it's sort of around the 30% mark. But there's some swings and roundabouts in that because we've got exclusive brands like Ozito and Trojan that are actually provided to us through our supplier network. But the brand is exclusive to us or it's a brand that we own. So in the case of Trojan it is owned by Bunnings, it's licensed out to a different organisation [which does] an incredible job of innovating and doing all those sorts of things. So it's a little bit blurry at the margins, but no significant expansion, you know, purely based on the fact that we don't think we've got the sourcing sort of capabilities that many of our suppliers do.

    One area where Bunnings is quite different from, for example, US-based home improvement big-box retailers is that it participates less in the development of new products. While the Australian company may have input into product development, both Lowe's and The Home Depot at the very least partner up with some big suppliers to specify what they think the market needs.

    It's an interesting selection of own brands to choose to nominate, as well. Mimosa began as simple outdoor furniture brand, but has morphed into providing outdoor fireplaces and gazebos as well. Matador is the Bunnings outdoor barbecue range. It's rumoured to be a response to US barbecue maker Weber declining to supply Bunnings over a dispute regarding what Weber took to be "grey market" sales.

    Full Boar is the most recent Bunnings own brand, with the trademark registered in June 2020. This is mostly a line of construction/demolition equipment. It's an interesting move, because usually equipment in this range is purchased from established brands, due to the high level of stress it undergoes.

    One possibility is that as it features petrol-powered compactors and spray washers, it's aimed at the market that brands such as Milwaukee are abandoning as they move to cordless battery-powered tools. Additionally, of course, it's also a brand being sold in TKD, providing TKD with another unique point of difference from its competitors.

    Store network changes

    This is one of the more difficult areas to fully interpret. For example, Mr Schneider introduced the topic of store growth by saying:

    We've always had a variety of different but complementary store formats and sites across our network, reflecting a disciplined approach to investment and the evolving needs of the communities we serve... If we consider the next five years, we see lots of runway ahead for network growth and upgrading existing sites. We're forecasting 15 to 20 expansions, upgrades or new Bunnings warehouses and small formats per year.

    An important element of this is that Bunnings is also changing how its stores manage space.

    We're also optimising space in our stores, reviewing how we display our products to maximise ease of shop and inventory productivity. This is showing up in new, easier to shop layout through our power tools, new-look paint shop concepts, and the improvements to in-aisle product information for our barbecues, and co-locating accessories.

    When asked by Mr Woolford of MST if he could provide a percentage estimate of growth in retail floor area, he replied:

    It's about 10 to 11% over the next five years. And the way we sort of think about that is using space more efficiently.

    Mr Schneider went on to explain why space utilisation was so important to Mr Woolford.

    As we make more investments into space management and planning, and as our online offer gets stronger, we can actually scale up and down the sort of assortment that we would have in a store. So, think about a small format store. For a while there, we'd have patted ourselves on the back that we had a full Bunnings range, you know, 95 [to] 96% of the full range crammed in a small store.
    With our online offering, we might scale that back to 70% of the range, but actually a wider availability of that product in store so that the customer experience on the things that really matter are being serviced. And then we've got online and our largest stores to sort of fill out the rest of the range.

    Finally, Mr Schneider was very clear about the number of stores this would involve:

    So that that guidance, I think we've probably given over time of that sort of five to seven net new stores here. That's about that's about right. And obviously there's a couple of other things in there with frame and truss sites and fulfilment centres.

    In fact, though, from 2011 to 2020, the median value for new warehouse stores alone has been nine. So it's possible that Bunnings is slowing its development of new stores. That could be an indication that there is more concern about intra-network store competition (cannibalisation), but it also likely reflects the energy and effort that will be put into building and additional 60 TKD stores over the next three years or so.

    Supply chain changes

    In terms of its foundational strategies, perhaps the most interesting announcement at the Strategy Day was for a shift in its logistics supply chain. Mr Schneider introduced this by stating:

    Some of the current opportunities include: continuing to improve our in-store click and collect capabilities, developing stronger transport management capabilities underpinned by data and technology, introducing fulfilment centres to support our growing range and channels to market across consumer and commercial... Adding additional products to our existing cross-stock programs where it makes sense to optimise store replenishment and stock availability, and implementing technology where it makes sense.

    This was enough to alert veteran analyst David Errington of BankAmerica, who asked exactly what this "evolution" in the supply chain might mean. Mr Schneider clarified that he was talking about the "logical next step", not a "big bang" change to fully automated warehouses, like Amazon. The following three extracts describe this evolving attitude to supply hain.

    Bunnings directly controls its supply chain for globally sourced product via our distribution centre network. But most of our products come direct from local suppliers who source product on our behalf. These suppliers replenish our store network largely through third party logistics providers. The strength of this model was clear during the pandemic, where along with our supplier partners, we were able to handle unprecedented volumes of stock and maintain industry leading in stock availability of around 90% for our customers.
    I think about cross-stock there's opportunities there. And we should be thinking about these as low capital investments, you know, our products set the way stock moves through our supply chain, you know, there's not much we're seeing globally... We've been running cross stocks for a long time, particularly in our GreenLife. area. Some of our suppliers, we'll take Dulux, for example, world class supply chain, very sophisticated manufacturing process. Us doing anything with that supply chain would bring no value to anyone.
    There's lots of little suppliers in Bunnings, who are probably not as efficient with their supply chains as they could [be], could we bring value through some cross docking of those low hanging smaller suppliers, where we could consolidate products in a cross dock facility shipper to store in a more efficient manner. Make it more efficient in store from a backdrop to shelf logistics point of view, take some cost pressure off supply. That's how we're thinking about it.

    What makes this so interesting is that over the past 20 years Bunnings has been very adamant that its low level of involvement in supply chain was a real strength. The logic to that went something along the lines that time, effort and expenditure spent managing supply chain would be better spent on other activities which had a higher potential for growth.

    There have certainly been some environmental changes. With Bunnings stocking 80,000 SKUs, where once it managed 34,000 SKUs, the need for delivery consolidation is very real. Then there are also some Bunnings stores - most noticeably the one under development in the Sydney suburb of Rozelle - where planning agreements limit the number of truck deliveries per day, making cross-stocking a necessity.

    The additional possibility to consider, however, is whether growth opportunities have reduced, and the growth that can be extracted from logistics management is now worth the expenditure of effort.

    Analysis

    No analysis of this situation would be complete without mentioning the external environment. That environment is highly uncertain, and continues to pull in opposite directions.

    Displacement of expenditure

    The chart below shows the recent pickup in international departures from Australia:

    Note that the figures for April 2022 from the Australian Bureau of Statistics (ABS) are estimates. However, they do give a good indication of both how fast they could grow, and also of how they still remain at historically low levels. What would happen to the home improvement market if they not only return to previously high levels, let alone go into overdrive as people rush to take overseas vacations?

    COVID-19 continues

    On the other side of that are the grim statistics that Australia is currently sixth in the world for the rate of COVID-19 infections per 100,000 people during a week, at 94. It is also ranked at tenth for deaths in a week per 100,000 people, with a daily average of 39.5. At this point, only two-thirds of the population has received the third booster vaccine injection.

    While the current COVID-19 variant has a relatively low morbidity rate, the danger is from some new variant developing a morbidity rate closer to that of the Delta variant. The pandemic, in other words, is very far from being over in Australia.

    The economy

    Outside of that, there is, of course, rising inflation in the Australian economy, and the subsequent increase in interest rates. As this was a situation that was evidently going to happen, HNN's conclusion about the housing market during 2022 was that Australian homebuyers knew what would happen, and had decided to purchase houses and go through the down cycle anyway. That said, it is one thing to plan for something, and quite another to actually live through it.

    Other measures aren't looking all that great either. For example (via the Reserve Bank of Australia) consumer sentiment:

    Business investment as share of nominal GDP has done the seemingly impossible, and actually dropped lower over the past year, to a 29-year historical low.

    And, of course, the wage price index growth has managed to make it only back up to where it was in 2018, despite inflation.

    Is Bunnings in the right markets?

    While all that matters, perhaps the most important question is more fundamental. Is the Bunnings basic store format really what the current market needs? Or, to put that in a different way, will the store formats Bunnings uses today be basically unchanged by 2030?

    That seems unlikely, which means that what needs to be considered is mostly a matter of timing, and what the change would be. The Bunnings store format is what might be called a "narrative" style. The bare floors and general low amenity worked 20 years ago, as it was taken as a signal of "inexpensive", "good value", and even "cheap". It backed up the idea that low overheads meant that the goods on sale could have a lower profit margin.

    Today, however, that narrative barely registers with younger customers from Gen Z, and it just seems a bit odd to many from Gen Y. It's clear that Bunnings could, if it wanted to, boost amenity without having to so much raise prices as sacrifice 0.2% of its profit. Yet that would be incredibly risky, as it puts in doubt the big-boxes entire identity.

    Probably that dilemma is best illustrated by the Bunnings website itself. There is something almost institutional in feel about the website, like something built by a keen but not very versatile government department. One big factor that one senses is missing, present on the websites of The Home Depot, Lowe's Companies, Castorama, and even Homebase, is simply people. Not staff members in green aprons, but people who represent the customers. For example:

    What a great idea. But could you see Bunnings doing that? Or is it simply too friendly?

    There is nothing so difficult as taking an established, successful, popular brand, and changing it to better suit both the moment and the emerging markets. Yet if finding new sources of growth is really the problem confronting Bunnings, then it may have no choice other than to contemplate such a transition over the next three years.

    The rise of the independent?

    There is much in this Strategy Day for independent hardware retailers to have some concern about. Bunnings is about to increase its pressure on the trade market, and it is difficult to predict what the outcome of that may be.

    Yet it is difficult, for HNN at least, to shake off the sense that somehow the overall hardware retail market is moving in a direction that does favour independents - if they can rise to some of the new challenges. That's largely because, gradually, the market is seeing its intangibles increase in value.

    Where we've been through a couple of decades where tangible investments, such as stores and stock, have dominated business, now intellectual capital is becoming more important.

    It's still very important to work out how to leverage those intangible values, but it could be that independent retailers discover a path out of what has been a tough two decades.

    bigbox

    UK update

    Kingfisher said demand for DIY remains resilient

    The home improvement retail group also reported that product availability improved following recent supply pressures

    Kingfisher - owner of B&Q and Screwfix in the UK and Castorama and Brico Depot in France and other markets - said it is managing inflationary pressures amid "resilient demand" for DIY despite cost of living pressures.

    Consumer spending is expected to drop as household budgets are squeezed by inflation, particularly in energy prices which have soared in part because of Russia's war on Ukraine

    It said sales had remained at elevated levels seen during the coronavirus pandemic, and that it was confident enough about its outlook to launch a GBP300 million share buyback.

    In a recent trading update, Kingfisher's chief executive Thierry Garnier said the company had retained a "significant proportion of the increased sales during the pandemic".

    Like-for-like sales in the February to April quarter were 16% above the same period in 2019 at GBP3.2 billion, although they dropped back by 5.8% overall compared with the boom in 2021. UK and Ireland sales were down by 14% compared with the year before, but were up nearly 17% on 2019, with kitchen, bathroom and storage products among the bestsellers at B&Q.

    Kingfisher said it was "mindful of the heightened macroeconomic and geopolitical uncertainty that has emerged since the start of the year" but added that it will look to increase its market share. It left profit guidance unchanged at GBP770 million for the full financial year. Mr Garnier said:

    Looking forward, we are reiterating our profit guidance for full year 2022-23. We are focused on delivering on our strategic objectives and growth initiatives, including the growth of our scalable ecommerce marketplace, the expansion of Screwfix in the UK and France, new store openings in Poland, and further increasing our trade customer base.

    One of the big challenges across B&Q and Screwfix since the pandemic has been managing the disruption to supply chains and related increases in costs. The company argues that its scale means it has a strong negotiating position with suppliers, and it also allows it to offer lower prices in its own-brand ranges. Mr Garnier said:

    We continue to effectively manage inflationary and supply chain pressures. As a result, our product availability is now very close to 'normal' levels across all our banners, and we continue to deliver value for our customers through our own exclusive brands and competitive prices.

    Kingfisher also raised the wages of its lowest-paid staff at B&Q and Screwfix by 6.5% and 5.4% respectively.

    In City A.M., AJ Bell Investment director Russ Mould said of the results:

    Sales are proving more resilient than some might have feared. This suggests there is still some pent-up demand for home improvement despite the pressures on household budgets.

    This was echoed by senior investment and markets analyst at Hargreaves Lansdown Susannah Streeter, who said:

    This [sales] shows that a sizeable chunk of customers that picked up a hammer for the first time have kept coming back, thanks to their new skills and a shortage of labour in the building trade.

    Screwfix

    Trade-focused Screwfix announced it will open 80 new shops across the UK and Ireland by January 2023.

    The expansion will create retail vacancies in locations across the UK and Ireland in places such as Swanley and Brackley. Screwfix chief executive John Mewett said its expansion plans are responding to sustained demand from tradespeople who need tools.

    We know how busy tradespeople are and how important it is to be able to find a Screwfix store close to site. In opening more stores across the UK and Ireland, we're making Screwfix even more accessible to tradespeople, ensuring they can get their job done quickly, affordably and right first time.
    We're also delighted to be having a positive impact on local communities, creating more than 800 jobs for local people.

    Screwfix opened 70 new shops in 2021, and the additions this year will take its total stores to 870.

  • Sources: The Guardian Australia, Yahoo Finance (UK), City A.M. and Press Association Limited
  • bigbox